태풍 노을 (2015년)
"오늘의AI위키"의 AI를 통해 더욱 풍부하고 폭넓은 지식 경험을 누리세요.
1. 개요
태풍 노을 (2015년)은 2015년 4월 말 미크로네시아 연방 부근에서 발생하여 필리핀, 대만, 일본에 영향을 준 태풍이다. 열대폭풍, 슈퍼 태풍 단계를 거쳐 일본 남부 해상에서 온대 저기압으로 변질되었다. 필리핀에 상륙하여 강풍과 폭우로 인한 피해를 발생시켰으며, 대만에는 가뭄 해갈에 도움을 주었다. 일본 류큐 열도와 본토에 강풍과 폭우를 동반하여 농작물 피해, 정전, 항공편 결항 등의 피해를 입혔다.
더 읽어볼만한 페이지
- 2015년 미크로네시아 연방 - 태풍 마이삭 (2015년)
2015년 4월에 발생한 태풍 마이삭은 최대 풍속 60m/s, 최저 기압 905hPa로 발달하여 4월 이전 기록상 가장 강력한 태풍으로 기록되었으며 미크로네시아 연방과 필리핀에 영향을 미쳤다. - 2015년 필리핀 - 킴니르바나 호 침몰사고
킴니르바나 호 침몰사고는 여객선 킴니르바나 호가 침몰한 사고로, 세월호 참사와 같이 과적이 원인으로 지목되고 있으며, 위키백과 모바일 웹사이트에서 관련 템플릿 표시 문제와 모바일 페이지 조회수 통계 미제공 문제가 있었고, 난파선 관련 토막 문서로 분류된다. - 2015년 필리핀 - 태풍 메칼라 (2015년)
2015년 9월에 발생한 태풍 메칼라는 필리핀과 야프 주에 영향을 미쳐 홍수, 산사태 등의 피해를 발생시키고 교황의 방문 일정 변경을 초래했으며, 괌 남동쪽 해상에서 발생하여 필리핀 상륙 후 일본 큐슈 남쪽 해상에서 소멸한 열대성 저기압이다. - 2015년 태풍 - 태풍 메칼라 (2015년)
2015년 9월에 발생한 태풍 메칼라는 필리핀과 야프 주에 영향을 미쳐 홍수, 산사태 등의 피해를 발생시키고 교황의 방문 일정 변경을 초래했으며, 괌 남동쪽 해상에서 발생하여 필리핀 상륙 후 일본 큐슈 남쪽 해상에서 소멸한 열대성 저기압이다. - 2015년 태풍 - 태풍 히고스 (2015년)
2015년 2월 8일에 발생하여 2월 12일에 소멸한 태풍 히고스는 괌 동쪽 해상에서 발생, '중형' 태풍으로 최성기를 기록하며 2015년 2월 태풍 중 역대 최강의 세력을 나타냈고, 2월 태풍 공백 기간을 채우는 이례적인 현상에 포함되었다.
2. 발생 및 경로
태풍 노을은 2015년 4월 30일, 미크로네시아 연방 추크 주 서남서쪽 약 230 km 해상에서 대류(뇌우) 지역이 지속적으로 발생하면서 발달하기 시작했다.[2] 이 시스템은 낮거나 보통 수준의 풍속 시어를 포함하여 열대 저기압 발생에 유리한 환경 속에서 광범위한 순환을 보였다.[2] 5월 2일 UTC 06:00에, 일본 기상청(JMA)은 이 시스템을 추크 서남서쪽 약 850 km 지점에서 열대 저기압으로 지정했다.[5] 5월 3일 UTC 00:00에, 합동 태풍 경보 센터(JTWC)는 이 시스템을 열대 저기압 06W로 분류했다.[6] 같은 날 UTC 18:00에, JMA는 이 저기압을 열대폭풍 노을(Noul)로 격상시켰다.[5]

5월 5일, 노을이 야프 주 근처에 있는 동안 폭풍의 중심에 눈이 발달했고, JTWC는 폭풍을 태풍으로 격상시켰다.[11] 5월 6일 UTC 06:00에, JMA는 노을을 태풍으로 격상시켰다.[5] 5월 7일 초, 노을은 필리핀 기상청(PAGASA)의 관할 구역으로 135º E를 넘어갔고, 현지 이름인 '도동'으로 명명되었다.[14]
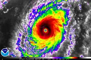
5월 9일, 노을은 필리핀 루손섬에 접근하면서 급격한 심화를 시작하여, JTWC는 같은 날 늦게 이를 슈퍼 태풍으로 격상시켰다.[15] 5월 10일 UTC 00:00에, JMA는 최고 10분 지속 풍속을 205 km/h로 추정했다.[5] 같은 시각, JTWC는 최고 1분 지속 풍속을 260 km/h로 추정했다.[16] PAGASA에 따르면, 5월 10일 UTC 08:45경에 노을은 필리핀 카가얀 주 산타 아나의 파나나판 포인트에 상륙했다.[17] 그러나 JMA 및 JTWC의 경로에서는 상륙이 나타나지 않고, 대신 중심이 해안에 머무르는 것으로 나타났다.
이후, 노을은 증가하는 풍속 시어 및 육지 상호 작용으로 인해 약화되기 시작했다.[18] 5월 11일, 노을은 대만 동쪽을 지나갔다.[21] 5월 12일 초, 폭풍은 건조한 공기가 중심에 유입되면서 점점 더 연장되었고, JTWC에 따르면 "콤마" 모양과 유사한 구조를 보였다.[22] 이 기관은 폭풍이 아마미오시마를 통과하면서 그날 UTC 00:00에 열대 폭풍으로 강등시켰다.[22] 6시간 후, 폭풍은 일본 남부 해안에서 온대 저기압이 되었다.[5][23] 일본 기상청 기준으로는 5월 12일 오후 6시에 일본 가고시마 북동쪽 약 330km 부근 해상에서 중심기압 994hPa의 온대저기압으로 변질되었다.[58]
3. 각국의 영향 및 대비
3. 1. 미크로네시아 연방
태풍 경보가 미크로네시아 연방의 야프 주에 발령되었다.[26] 노을은 형성 단계에서 페이스 섬과 울리시 환초에 경미한 피해를 입혔다.[27] 야프 섬에서는 태풍으로 인해 순간 최대 풍속이 116km/h에 달했으며, 강수량은 296mm를 기록했다. 섬의 피해액은 10만 달러로 추산되었다.[28] 이 폭풍으로 인해 한 달 전에 태풍 마이사크의 영향을 받은 주의 외딴 섬으로 가는 보급선이 지연되었다.[27]
3. 2. 필리핀


태풍 노을은 필리핀에서 태풍 도동으로 알려졌으며, 5월 7일 필리핀 책임 구역에 진입했다.[29] 이 폭풍에 대응하여 PAGASA는 북동부 카가얀과 해안에 위치한 바타네스, 바부얀 제도에 최고 단계인 경고 신호 4를 발령했다. 인접한 지역에는 더 낮은 경고 신호가 발령되었다.[29] 총 3,803명의 사람들이 카가얀과 이사벨라 주의 27개 폭풍 대피소로 대피했으며, 폭풍이 큰 피해 없이 상륙한 후 5월 10일 늦게 귀가했다.[29] 항공편과 페리 노선이 취소되어 10,000명의 사람들이 발이 묶였다.[29] 필리핀 육군은 폭풍 준비를 지원하기 위해 보트와 헬리콥터를 사용하여 18명의 군인을 투입했다.[29] 어부들에게는 루손섬 동쪽 바다로 나가지 말 것을 권고했다.[30] 또한, 노을로 인한 폭우가 최근 분화로 발생한 화산재로 인해 라하르와 산사태를 일으킬 위험이 있어 불루산 산 인근 지역에서도 사람들이 대피했다.[31] 노을이 북쪽으로 방향을 틀었고 위험이 현실화되지 않아 그들은 다시 돌아갈 수 있었다.[32]
태풍은 필리핀에 상륙하면서 루손에 강풍과 폭우를 동반했다.[33] 노을은 나무를 쓰러뜨리고 가옥을 파손시켰으며,[34] 7개 지역에 정전이 발생했지만 하루 만에 복구되었다.[29] 폭풍의 비는 오랜 가뭄 끝에 현지 농부들에게 도움이 되었다.[35] 폭풍이 상륙한 산타 아나에서는 7개의 학교가 경미한 피해를 입었다. 카가얀 전역에서 폭풍으로 ₱270만 페소(US$61,000) 상당의 옥수수와 쌀 작물 피해가 발생했으며, 어업에도 경미한 피해가 발생했다. 인접한 일로코스 노르테에도 경미한 기반 시설 피해가 있었다. 전체적으로 노을은 ₱1,630만 페소(US$366,000)의 피해를 입혔다.[29] 카가얀에서는 폭풍 전 지붕을 수리하려다 감전으로 2명이 사망했다.[33][35] 폭우와 강풍의 영향으로 가옥 붕괴와 대규모 정전, 도목 등이 발생했다. 최소 2명의 사망자가 확인되었고, 약 3,000명이 일시적으로 대피했다.[54][59]
3. 3. 대만
대만에서는 태풍 노을의 영향으로 5월 10일 뤼다오와 란위로 향하는 국내선 항공편이 결항되었다.[36] 외딴 섬 지역에서는 학교와 관공서가 휴교 및 휴업했으며, 보트들은 항구에서 대피했다.[36] 태풍의 외곽 밴드와 전선에서 쏟아진 폭우로 심각한 가뭄에 시달리던 대만 북부 지역에 단비가 내렸다. 스먼 댐에는 총 93mm의 비가 내려 저수지에 약 700만 톤의 물이 증가했으며, 저수율은 30.5%가 되었다.[37][38] 그 결과 여러 주요 도시에서 물 배급이 해제될 수 있었다.[37] 바오산 저수지에는 69mm, 밍테 저수지에는 60.5mm, 그리고 페이수이 저수지에는 52.5mm의 강수량이 기록되었다.[38]
3. 4. 일본
5월 11일, 너울은 세력이 약화된 태풍으로 일본 류큐 열도에 영향을 미쳤다. 야에야마 제도에서는 예상외로 강한 바람이 불어 이시가키에서는 5월 중 가장 강한 지속풍이 104km/h로 관측되었으며, 1897년부터 기록이 시작되었다. 동쪽 시모지 섬에서는 131km/h의 지속풍과 172km/h의 순간 최대 풍속이 관측되었다.[39] 오키나와 전역에서 폭풍의 강풍과 파도로 인해 농작물이 피해를 입어,28억 엔(US$2330만 달러)의 피해가 발생했다.[40] 농작물 피해는 대부분 미야코에서 발생했으며,[41] 이곳에서는 폭풍으로 인해 정전도 발생했다.[42] 도쿠노시마 섬에서는 폭풍으로 13채의 가옥이 파손되고 6명이 부상을 입었다.[43] 가고시마현 토쿠노시마의 이센정에서는 태풍의 영향으로 토네이도로 보이는 돌풍이 발생하여 주택 1채가 전파되는 등 총 12채가 피해를 입었고, 주민 5명이 부상을 입었다.[55][60] 또한 태풍으로 인해 47편의 항공편이 결항되어 4,300명이 발이 묶였다. 너울은 일본 전역에 5월 일일 강수량 기록을 세우는 폭우를 쏟았으며, 이시가키 섬에서는 143mm의 강수량을 기록했다. 강수량은 일본 본토까지 확산되어 도카이 지방에서는 180mm에 달했다.[44] 교토의 한 사람은 강풍 속에서 넘어져 심각한 부상을 입었다.[45] 폭풍으로 인해 일본의 정유 공장에서의 석유 수송도 지연되었다.[46]
4. 명칭 및 은퇴
5. 기타
참조
[1]
간행물
A Quarterly Bulletin of the Pacific El Nino-Southern Oscillation Applications Climate (PEAC) Center
http://www.weather.g[...]
2015-07-30
[2]
웹사이트
Significant Tropical Weather Advisory for the Western and South Pacific Oceans
http://gwydir.demon.[...]
Joint Typhoon Warning Center
2015-04-30
[3]
웹사이트
Significant Tropical Weather Advisory for the Western and South Pacific Oceans
http://gwydir.demon.[...]
Joint Typhoon Warning Center
2015-05-01
[4]
웹사이트
Tropical Cyclone Formation Alert
http://gwydir.demon.[...]
Joint Typhoon Warning Center
2015-05-02
[5]
보고서
Typhoon Best Track 2015-06-24T06:00:00Z
http://www.wis-jma.g[...]
Japan Meteorological Agency
2015-06-24
[6]
웹사이트
Tropical Depression 06W (Six) Warning Nr 001
http://weather.noaa.[...]
Joint Typhoon Warning Center
[7]
웹사이트
Prognostic Reasoning for Tropical Depression 06W (Six) Warning Nr 03
http://weather.noaa.[...]
Joint Typhoon Warning Center
[8]
웹사이트
Prognostic Reasoning for Tropical Storm 06W (Noul) Warning Nr 04
http://weather.noaa.[...]
Joint Typhoon Warning Center
[9]
웹사이트
List of names for tropical cyclones
http://www.jma.go.jp[...]
Japan Meteorological Agency
[10]
웹사이트
Prognostic Reasoning for Tropical Storm 06W (Noul) Warning Nr 07
http://weather.noaa.[...]
Joint Typhoon Warning Center
[11]
웹사이트
Prognostic Reasoning for Typhoon 06W (Noul) Warning Nr 12
http://weather.noaa.[...]
Joint Typhoon Warning Center
[12]
웹사이트
Prognostic Reasoning for Typhoon 06W (Noul) Warning Nr 17
http://weather.noaa.[...]
Joint Typhoon Warning Center
[13]
웹사이트
Prognostic Reasoning for Typhoon 06W (Noul) Warning Nr 20
http://weather.noaa.[...]
Joint Typhoon Warning Center
[14]
웹사이트
Severe Weather Bulletin #1 Tropical Cyclone Alert: Typhoon "Dodong"
http://kidlat.pagasa[...]
PAGASA
[15]
웹사이트
Prognostic Reasoning for Super Typhoon 06W (Noul) Warning Nr 28
http://weather.noaa.[...]
Joint Typhoon Warning Center
[16]
웹사이트
Prognostic Reasoning for Super Typhoon 06W (Noul) Warning Nr 29
http://weather.noaa.[...]
Joint Typhoon Warning Center
[17]
웹사이트
Severe Weather Bulletin #15 for: Typhoon "Dodong"
http://pubfiles.paga[...]
Philippine Atmospheric, Geophysical and Astronomical Services Administration
[18]
웹사이트
Prognostic Reasoning for Super Typhoon 06W (Noul) Warning Nr 31
http://weather.noaa.[...]
Joint Typhoon Warning Center
[19]
웹사이트
Prognostic Reasoning for Typhoon 06W (Noul) Warning Nr 32
http://weather.noaa.[...]
Joint Typhoon Warning Center
[20]
웹사이트
Prognostic Reasoning for Typhoon 06W (Noul) Warning Nr 34
http://weather.noaa.[...]
Joint Typhoon Warning Center
[21]
웹사이트
Prognostic Reasoning for Typhoon 06W (Noul) Warning Nr 35
http://weather.noaa.[...]
Joint Typhoon Warning Center
[22]
웹사이트
Prognostic Reasoning for Tropical Storm 06W (Noul) Warning Nr 37
http://weather.noaa.[...]
Joint Typhoon Warning Center
[23]
웹사이트
Tropical Storm 06W (Noul) Warning Nr 038
http://weather.noaa.[...]
Joint Typhoon Warning Center
[24]
웹사이트
High Seas Forecast for Metarea XII 1145 UTC Sat May 16, 2015
http://www.wis-jma.g[...]
Ocean Prediction Center
[25]
웹사이트
High Seas Forecast for Metarea XII 1745 UTC Sat May 16, 2015
http://www.wis-jma.g[...]
Ocean Prediction Center
[26]
웹사이트
Typhoon Noul passes over Yap
http://www.guampdn.c[...]
Guampdn.com
2015-05-07
[27]
뉴스
Yap's Typhoon Disaster Relief Efforts Continue
http://pidp.eastwest[...]
Yap State Government
2015-05-19
[28]
웹사이트
Event Report for Micronesia
http://www.ncdc.noaa[...]
National Climatic Data Center
[29]
보고서
Final Report re Preparedness Measures and Effects for Typhoon "DODONG" (NOUL)
http://www.ndrrmc.go[...]
National Disaster Risk Reduction and Management Council
2015-05-11
[30]
웹사이트
LGUs, agencies ready for Typhoon Dodong
http://www.rappler.c[...]
Mara Cepeda
2015-05-09
[31]
웹사이트
Typhoon Noul: Philippines evacuates residents threatened by typhoon, volcano
http://www.abc.net.a[...]
ABC News
2015-05-08
[32]
웹사이트
Typhoon intensifies as it zeroes in on northern tip of Philippines; 1,400 evacuated
https://www.usnews.c[...]
U.S. News & World Report
2015-05-10
[33]
웹사이트
Two Dead as Super Typhoon Noul (Dodong) Displaces Thousands in the Philippines
http://www.businessn[...]
Business News Asia
2015-05-10
[34]
웹사이트
Evacuations as Typhoon Noul hits the Philippines
https://www.bbc.com/[...]
BBC News
2015-05-10
[35]
웹사이트
Powerful typhoon brings needed rain to northeast Philippines; two people reported killed
http://www.japantime[...]
The Japan Times
2015-05-10
[36]
뉴스
Typhoon Noul spares Taiwan as it continues northeast
http://www.channelne[...]
Channel News Asia
2015-05-11
[37]
웹사이트
Taiwan lifts water rationing as rains from Typhoon Noul ease drought
http://www.scmp.com/[...]
South China Morning Post
2015-05-13
[38]
웹사이트
Gov't calls off phase-3 water rationing in north
http://www.chinapost[...]
The China Post
2015-05-13
[39]
웹사이트
A Quiet Tornado Season Revs Up; Tropics Calm Down
http://www.wundergro[...]
Weather Underground
2015-05-11
[40]
뉴스
Typhoon Noul kills two in the Philippines, hits Japan
http://www.smh.com.a[...]
2015-05-12
[41]
웹사이트
ja:台風6号被害28億 葉タバコ漁船など
http://headlines.yah[...]
Yahoo! News
2015-05-19
[42]
뉴스
Powerful typhoon pounds southern Japanese islands
2015-05-12
[43]
뉴스
Typhoon Noul in Japan after deadly Philippines hit
2015-05-13
[44]
뉴스
Typhoon Noul Causes Heavy Rain to Southern, Western Japan
2015-05-12
[45]
웹사이트
ja:台風6号影響、京都で1800軒停電 滋賀・長浜で女性重傷
http://headlines.yah[...]
Yahoo! News
2015-05-12
[46]
뉴스
Refinery updates
2015-05-15
[47]
뉴스
Record heat roasts parts of Alaska, where it's warmer than Washington, D.C.
https://www.washingt[...]
2015-05-22
[48]
웹사이트
台風の番号と名前
https://www.jma.go.j[...]
気象庁
[49]
문서
台風6号、5月4日の発生は44年前の1971年(5月3日発生)に次ぐ2番目に早い記録である。
[50]
웹사이트
デジタル台風 台風リスト
http://agora.ex.nii.[...]
デジタル台風
[51]
웹사이트
平成27年 台風第6号に関する情報
https://www.jma.go.j[...]
気象庁
2015-05-04
[52]
웹사이트
デジタル台風:台風201506号 (NOUL) - 詳細風速情報
http://agora.ex.nii.[...]
デジタル台風
[53]
웹사이트
デジタル台風:台風201506号 (NOUL) - 全画像一覧
http://agora.ex.nii.[...]
デジタル台風
[54]
웹사이트
台風6号上陸のフィリピン、2人死亡・3000人以上が避難
http://headlines.yah[...]
YAHOO!
2015-05-11
[55]
웹사이트
台風6号 鹿児島・徳之島で竜巻か、住宅1棟が全壊など12棟に被害
http://www.fnn-news.[...]
FNN ニュース
2015-05-12
[56]
웹사이트
平成27年 台風第6号に関する情報
https://www.jma.go.j[...]
気象庁
2015-05-04
[57]
웹사이트
デジタル台風:台風201506号 (NOUL) - 詳細風速情報
http://agora.ex.nii.[...]
デジタル台風
[58]
웹사이트
デジタル台風:台風201506号 (NOUL) - 全画像一覧
http://agora.ex.nii.[...]
デジタル台風
[59]
웹사이트
台風6号上陸のフィリピン、2人死亡・3000人以上が避難
http://headlines.yah[...]
YAHOO!
2015-05-11
[60]
웹사이트
台風6号 鹿児島・徳之島で竜巻か、住宅1棟が全壊など12棟に被害
http://www.fnn-news.[...]
FNN ニュース
2015-05-12
[61]
웹인용
Digital Typhoon: Typhoon 201506 (NOUL) - General Information (Pressure and Track Charts)
http://agora.ex.nii.[...]
2021-08-21
[62]
웹인용
Digital Typhoon: Typhoon 201506 (NOUL)
http://agora.ex.nii.[...]
2021-08-21
본 사이트는 AI가 위키백과와 뉴스 기사,정부 간행물,학술 논문등을 바탕으로 정보를 가공하여 제공하는 백과사전형 서비스입니다.
모든 문서는 AI에 의해 자동 생성되며, CC BY-SA 4.0 라이선스에 따라 이용할 수 있습니다.
하지만, 위키백과나 뉴스 기사 자체에 오류, 부정확한 정보, 또는 가짜 뉴스가 포함될 수 있으며, AI는 이러한 내용을 완벽하게 걸러내지 못할 수 있습니다.
따라서 제공되는 정보에 일부 오류나 편향이 있을 수 있으므로, 중요한 정보는 반드시 다른 출처를 통해 교차 검증하시기 바랍니다.
문의하기 : help@durumis.com
