태풍 마이삭 (2015년)
"오늘의AI위키"의 AI를 통해 더욱 풍부하고 폭넓은 지식 경험을 누리세요.
1. 개요
태풍 마이삭 (2015년)은 2015년 3월에 발생하여 미크로네시아 연방과 필리핀에 영향을 미친 강력한 열대성 저기압이다. 마셜 제도 부근에서 열대 저기압으로 발달하여 슈퍼태풍으로 세력을 키웠으며, 추크 제도와 울리시 환초를 지나면서 막대한 피해를 입혔다. 특히 미크로네시아 연방에서는 농작물 피해와 가옥 파괴가 심각했으며, 4명의 사망자가 발생했다. 필리핀에는 상륙 직전 세력이 약화되어 미미한 피해를 남겼다. 미크로네시아 연방 정부는 국제 사회에 지원을 요청했고, 미국, 호주, 중국, 일본, 유럽 연합 등 여러 국가와 기구에서 구호 활동을 펼쳤다.
더 읽어볼만한 페이지
- 2015년 미크로네시아 연방 - 태풍 노을 (2015년)
태풍 노을 (2015년)은 2015년 4월 미크로네시아 부근에서 발생하여 필리핀, 대만, 일본에 영향을 주었으며, 필리핀 상륙으로 피해를, 대만에는 가뭄 해갈을, 일본에는 강풍과 폭우로 인한 피해를 입혔다. - 2015년 필리핀 - 킴니르바나 호 침몰사고
킴니르바나 호 침몰사고는 여객선 킴니르바나 호가 침몰한 사고로, 세월호 참사와 같이 과적이 원인으로 지목되고 있으며, 위키백과 모바일 웹사이트에서 관련 템플릿 표시 문제와 모바일 페이지 조회수 통계 미제공 문제가 있었고, 난파선 관련 토막 문서로 분류된다. - 2015년 필리핀 - 태풍 메칼라 (2015년)
2015년 9월에 발생한 태풍 메칼라는 필리핀과 야프 주에 영향을 미쳐 홍수, 산사태 등의 피해를 발생시키고 교황의 방문 일정 변경을 초래했으며, 괌 남동쪽 해상에서 발생하여 필리핀 상륙 후 일본 큐슈 남쪽 해상에서 소멸한 열대성 저기압이다. - 2015년 태풍 - 태풍 메칼라 (2015년)
2015년 9월에 발생한 태풍 메칼라는 필리핀과 야프 주에 영향을 미쳐 홍수, 산사태 등의 피해를 발생시키고 교황의 방문 일정 변경을 초래했으며, 괌 남동쪽 해상에서 발생하여 필리핀 상륙 후 일본 큐슈 남쪽 해상에서 소멸한 열대성 저기압이다. - 2015년 태풍 - 태풍 히고스 (2015년)
2015년 2월 8일에 발생하여 2월 12일에 소멸한 태풍 히고스는 괌 동쪽 해상에서 발생, '중형' 태풍으로 최성기를 기록하며 2015년 2월 태풍 중 역대 최강의 세력을 나타냈고, 2월 태풍 공백 기간을 채우는 이례적인 현상에 포함되었다.
| 태풍 마이삭 (2015년) | |
|---|---|
| 기본 정보 | |
| 이름 | 태풍 마이삭 (Chedeng) |
| 영어 이름 | Typhoon Maysak |
| 국제 번호 | 201504 |
| 태풍 진행 정보 | |
| 발생 | 2015년 3월 26일 |
| 소멸 | 2015년 4월 7일 |
| 존속 시간 | 204시간 |
| 세력 | |
| 등급 | cat5 (슈퍼 태풍) |
| 최저 기압 | 910 hPa |
| 최대 풍속 (10분 평균) | 55m/s (105kt) |
| 최대 풍속 (1분 평균, JTWC) | 150kt |
| 이동 속도 | 21.0km/시 (504km/일) |
| 이동 거리 | 4,285km |
| 영향 | |
| 피해 지역 | 미크로네시아 연방, 필리핀, 중국, 타이완, 캐롤라인 제도 |
| 사망자 | 5명 (직접적인 원인) 9명 (전체) |
| 피해액 | 850만 달러 |
| 관련 정보 | |
| 관련 시즌 | 2015년 태평양 태풍 시즌 |
| JMA 연도 보고서 | http://agora.ex.nii.ac.jp/cgi-bin/dt/search_name2.pl?lang=en&sort=minp&order=asc&stype=number&mtype=se&gid=c0ab6fdf943410570ae33e567d93d697&basin=wnp |
| 이미지 | |
![]() | |
![]() | |
![]() | |
2. 발생 및 경로
태풍 마이삭은 2015년 3월 24일 마셜 제도 동남동쪽 해상에서 발생한 대류 활동으로부터 시작되었다.[4] 이 시스템은 점차 조직화되어 3월 26일 JMA에 의해 열대 저기압으로 분류되었고,[6] 3월 27일에는 JTWC와 JMA 양측 모두로부터 열대 폭풍 '마이삭(Maysak)'으로 격상되었다.[7][8][9]
마이삭은 서쪽으로 이동하며 꾸준히 발달하여 3월 29일 JMA에 의해 태풍 등급으로 격상되었고,[6] 같은 날 미크로네시아 연방의 추크 석호를 통과했다.[32][12] 이후 급격히 발달하여 3월 31일에는 JTWC 기준 SSHWS 5등급 슈퍼태풍으로 최성기를 맞이했으며, 당시 1분 평균 최대 풍속은 280km/h에 달했다.[18] JMA는 이때 마이삭의 10분 평균 최대 풍속을 195km/h, 최저 중심 기압을 910hPa로 분석하여,[6] 4월 이전에 발생한 태풍 중 가장 강력한 태풍으로 기록되었다.[18] 최성기 당시 마이삭은 미크로네시아 연방의 페이스 섬 북쪽과 울리티 부근을 통과했다.[17][18]
최성기를 지난 마이삭은 4월 1일부터 눈벽 교체 주기를 겪으며 약화되기 시작했다.[21][6] 건조한 공기 유입과 풍속 시어 증가로 세력이 약화되면서 서진을 계속하여 필리핀으로 접근했다.[23][26] 4월 1일 PAGASA의 감시 영역에 진입하여 '체뎅(Chedeng)'이라는 현지 이름이 부여되었다.[24] 4월 5일, 최소 등급의 열대 폭풍 상태로 루손 섬 중동부 해안에 상륙한 뒤[6] 곧바로 열대 저기압으로 약화되었고, 루손 섬을 가로질러 남중국해로 진출했다.[29] 이후 서북서진을 계속하다가 4월 7일 최종 소멸하였다.[6]
2. 1. 발생 초기
2015년 3월 24일, 마셜 제도 동남동쪽 해상에서 대류 활동이 지속되며 태풍 발생의 초기 단계가 시작되었다. 처음에는 넓게 퍼져 있었으나 점차 하나의 순환 중심으로 통합되었고, 북쪽으로의 강한 상층 유출이 중간 정도의 풍속 시어를 상쇄하며 발달을 도왔다.[4] 시간이 지나면서 점차 조직화되어, 휘어지는 형태의 대류 구름대가 중심부를 감싸기 시작했다.[5]3월 26일, JMA는 이 시스템을 폰페이 동쪽 해상의 열대 저기압으로 공식 분류했다.[6] 다음 날인 3월 27일, 미국의 JTWC 역시 이 시스템을 '열대 저기압 04W'로 명명하고 추적을 시작했다.[7] 시스템은 서북서쪽으로 이동하며 중심부가 더욱 단단해지고 주변의 대류 밴드가 발달했다. 같은 날 JTWC는 04W를 열대 폭풍 등급으로 상향 조정했고,[8] JMA도 이 저기압을 '열대 폭풍 마이삭(Maysak)'으로 명명하며 격상시켰다.[9] 이는 3월에 발생한 4번째 태풍으로, 1965년 이후 50년 만의 일이었으며, 3월에 2개의 태풍이 발생한 것은 1991년 이후 24년 만이었다.[60][61]

3월 28일, 마이크로파 위성 영상 분석 결과, 비록 중심부의 짙은 구름에 가려져 있었지만 태풍의 눈 구조가 드러났다.[10] 이를 바탕으로 JMA는 마이삭을 '강한 열대 폭풍'으로 다시 격상시켰다.[6] 마이삭은 아열대 고기압의 가장자리를 따라 서쪽으로 이동하면서 계속해서 세력을 키워나갔다.[10] 태풍의 눈은 점차 뚜렷해졌고, 주변의 대류 활동도 더욱 강하게 통합되었다.[11]
3월 29일 새벽, JMA는 마이삭을 마침내 태풍 등급으로 격상시키고, 10분 평균 최대 풍속을 시속 120km/h로 추정했다.[6] 같은 날, 태풍은 미크로네시아 연방의 추크 석호를 통과했는데, 이는 1971년 태풍 에이미 이후 처음으로 이 지역을 통과한 태풍이었다.[32][12] 강한 북풍의 도움으로 상층 유출은 양호했지만,[13] 중간 정도의 풍속 시어가 태풍의 급격한 발달을 다소 억제했다.[14]
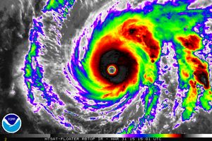
그러나 3월 30일, 태풍의 눈이 매우 선명해지고[15] 풍속 시어가 약해지면서 마이삭은 급격하게 발달하기 시작했다.[16] JTWC는 직경 30km 크기의 눈이 경기장 효과를 보이며 매우 두터운 대류벽에 둘러싸여 있다고 분석했다. 3월 31일, JTWC는 마이삭이 SSHWS 기준 최상위인 카테고리 5급 슈퍼 태풍으로 발달했다고 발표했으며, 당시 1분 평균 최대 풍속은 시속 260km/h였으나, 사후 분석에서는 시속 280km/h로 상향 조정되었다. 이는 4월 이전에 발생한 태풍 중 가장 강력한 기록이다.[18] 이 시기 마이삭은 미크로네시아 연방을 통과하며 페이스 섬 바로 북쪽을 지나[17] 울리티 환초 부근을 통과했다.[18] 3월 31일 늦게 마이삭은 최성기를 맞이했으며, JMA는 이때 10분 평균 최대 풍속을 시속 195km/h, 중심 최저 기압을 910hPa로 분석했다.[6] 이 기록은 2002년의 태풍 미탁, 1979년의 태풍 앨리스, 1959년의 태풍 해리엇을 넘어서는, 4월 이전에 발생한 태풍 중 역사상 가장 강력한 태풍으로 기록되었다.[18]
2. 2. 발달 과정
2015년 3월 24일, 마셜 제도 동남동쪽 해상에서 대류 활동이 지속되기 시작했다. 초기에는 넓지만 점차 통합되는 순환 형태를 보였으며, 북쪽으로의 유출이 중간 정도의 풍속 시어를 상쇄하면서 발달에 유리한 환경이 조성되었다.[4] 점차 조직화되면서 곡선 형태의 대류 밴드가 중심부를 감싸기 시작했다.[5] 3월 26일, 일본 기상청(JMA)은 이 시스템을 폰페이 동쪽 해상의 열대 저기압으로 분류했다.[6] 다음 날인 3월 27일, 합동태풍경보센터(JTWC)도 이 시스템을 열대 저기압 04W로 지정하고 추적을 시작했다.[7]시스템은 서북서쪽으로 이동하면서 중심부가 더욱 견고해지고 대류 밴드가 발달했다. 같은 날 JTWC는 04W를 열대 폭풍으로 격상시켰고,[8] JMA 역시 이 저기압을 열대 폭풍으로 격상하며 '마이삭(Maysak)'이라는 이름을 부여했다.[9] 마이삭은 3월에 발생한 4번째 태풍으로, 이는 1965년 이후 50년 만의 일이며, 3월에 2개의 태풍이 발생한 것은 1991년 이후 24년 만이었다.[60][61]
3월 28일, 마이크로파 위성 영상에서 태풍의 눈 구조가 관측되었으나, 중앙 밀집 구름대에 가려진 상태였다.[10] 이를 바탕으로 JMA는 마이삭을 강한 열대 폭풍으로 격상시켰다.[6] 마이삭은 아열대 고기압의 가장자리를 따라 서쪽으로 이동하며 계속 발달했다.[10] 눈은 점차 뚜렷해졌고 대류는 더욱 조직화되었다.[11] 3월 29일 새벽, JMA는 마이삭을 태풍으로 격상시키고 10분 최대 지속 풍속을 120km/h로 추정했다.[6] 같은 날, 마이삭은 추크 석호를 통과했는데, 이는 1971년 태풍 에이미 이후 처음으로 이 지역을 통과한 태풍이었다.[32][12] 강한 북풍에 의해 강화된 양호한 상층 유출에도 불구하고,[13] 중간 정도의 풍속 시어가 급격한 발달을 다소 억제했다.[14]

하지만 3월 30일, 눈이 매우 뚜렷해졌고,[15] 풍속 시어가 약화되면서 마이삭은 급격하게 발달하기 시작했다.[16] JTWC는 직경 30km의 눈이 경기장 효과를 보이며 매우 강한 대류에 둘러싸여 있다고 분석했다. 3월 31일, JTWC는 마이삭이 사피어-심슨 허리케인 등급(SSHWS) 5등급에 해당하는 슈퍼태풍으로 발달했다고 발표했으며, 당시 1분 평균 풍속은 260km/h였으나 사후 분석에서 280km/h로 상향 조정되었다. 이는 4월 이전에 발생한 태풍 중 가장 강한 기록이다.[18] 이 시기 마이삭은 미크로네시아 연방을 통과하며 페이스 섬 바로 북쪽과[17] 울리티 근처를 지났다.[18] 3월 31일 늦게 마이삭은 최성기를 맞이했으며, JMA는 10분 평균 최대 풍속 195km/h, 최저 중심 기압 910hPa로 분석했다.[6] 이 기록은 2002년의 태풍 미탁, 1979년의 태풍 앨리스, 1959년의 태풍 해리엇을 넘어 4월 이전에 발생한 태풍 중 가장 강력한 세력이었다.[18] 최성기 당시 마이삭은 거의 완벽한 대류 고리를 가진 대칭적인 눈을 보여 환형 열대 저기압의 특징을 나타냈다.[20]
4월 1일, 눈벽 교체 주기를 겪으면서 눈의 직경이 약 40km로 넓어졌고,[21] 태풍은 약화되기 시작했다.[6] 대류의 강도가 약해졌으며,[22] 건조한 공기의 유입과 상층 환경 악화로 인해 남쪽 사분면의 대류가 현저히 약화되었다.[23] 같은 날, 필리핀 대기 지구 물리 천문청(PAGASA)은 마이삭이 필리핀 책임 영역에 진입함에 따라 추적을 시작하고 필리핀식 이름 '체뎅(Chedeng)'을 부여했다.[24] 태풍 접근에 따라 필리핀에서는 3일 루손 섬의 카탄두아네스 주와 남카마리네스 주에 처음으로 폭풍우 경보(PSWS) 시그널 1이 발령되었고,[66] 4일 저녁에는 이사벨라 주와 아우로라 주에 시그널 3, 루손 섬 광범위한 지역에 시그널 2와 1 경보가 발령되었다.[67]
건조한 공기가 중심으로 유입되면서 눈은 더욱 넓어졌고,[25] 강해진 풍속 시어로 인해 대류는 더욱 약화되었다.[26] 4월 4일, JMA는 마이삭을 강한 열대 폭풍으로 강등시켰고, 같은 날 늦게 다시 열대 폭풍으로 강등했다.[6] 필리핀에 접근하면서 계속 약화되어, 4월 4일 늦게에는 태풍의 대류가 중심 순환과 분리되기 시작했다.[27] 4월 5일, 마이삭은 최소 등급의 열대 폭풍 상태로 루손 중동부 해안에 상륙했다.[6] 이는 1945년 이후 1월에서 4월 사이에 루손 섬에 상륙한 8개의 태풍 중 하나였다.[28] 상륙 직후 마이삭은 열대 저기압으로 약화되었고,[6] 산발적인 뇌우를 동반하며 루손 섬을 가로질렀다.[29] 남중국해로 진출한 후 서북서진을 계속하다가 4월 7일에 최종 소멸했다.[6]
2. 3. 최성기
3월 28일, 마이크로파 위성 영상에서 중앙 조밀 흐림에 가려진 눈의 형태가 드러났다.[10] 이에 따라 JMA는 마이삭을 강한 열대 폭풍으로 격상시켰다.[6] 마이삭은 아열대 고기압의 가장자리를 따라 서쪽으로 이동하며 계속 발달했고,[10] 눈은 점차 뚜렷해졌으며 대류 활동도 더욱 조직화되었다.[11] 3월 29일 새벽, JMA는 마이삭을 태풍 등급으로 격상하고 10분 최대 지속 풍속을 120km/h로 분석했다.[6] 같은 날, 마이삭은 추크 제도의 추크 석호를 통과했는데, 이는 1971년 태풍 에이미 이후 처음 있는 일이었다.[32][12] 마이삭은 강한 북쪽 상층 유출 덕분에 좋은 발달 환경을 가졌으나,[13] 중간 정도의 윈드 시어가 급격한 발달을 일시적으로 막았다.[14]
하지만 3월 30일에는 눈이 매우 뚜렷해졌고,[15] 윈드 시어가 약해지면서 태풍은 급격한 발달하기 시작했다.[16] JTWC는 약 30km 너비의 눈이 경기장 효과를 보이며 매우 깊은 대류에 둘러싸여 있다고 보고했다. 3월 31일, JTWC는 마이삭이 사피어-심슨 허리케인 등급(SSHWS) 기준 카테고리 5 슈퍼태풍으로 발달했으며, 1분 평균 최대 풍속이 260km/h에 달했다고 발표했다. 이는 사후 분석에서 280km/h로 상향 조정되었으며, 4월 이전에 발생한 태풍 중 가장 강한 기록이다.[18] 이 시기 마이삭은 미크로네시아 연방을 통과하며 페이스 섬 바로 북쪽을 지나갔고,[17] 울리티 근처를 통과했다.[18] 3월 31일 늦게 마이삭은 최성기를 맞이했으며, JMA는 10분 평균 최대 풍속 195km/h, 최저 중심 기압 910hPa로 분석했다.[6] (운영 분석 당시 JMA는 이보다 약간 더 강하게 추정했었다.[19]) 이로써 마이삭은 2002년의 태풍 미탁, 1979년의 태풍 앨리스, 1959년의 태풍 해리엇을 넘어 4월 이전에 발생한 태풍 중 가장 강력한 태풍으로 기록되었다.[18] 최성기 당시 마이삭은 거의 완벽한 대칭 형태의 눈과 이를 둘러싼 강한 대류 고리를 가지고 있어 환형 열대성 저기압의 특징을 보였다.[20]
2. 4. 약화 및 소멸
최대 강도에 도달한 후, 4월 1일 마이삭은 눈벽 교체 주기를 거치면서 눈의 크기가 약 40km로 넓어졌고, 약화되기 시작했다.[21][6] 대류의 강도가 감소했으며,[22] 건조한 공기와 악화되는 상층 조건으로 인해 폭풍 남쪽 사분면의 대류가 눈에 띄게 약해졌다.[23] 같은 날, 필리핀 대기, 지구물리 및 천문 서비스 관리국(PAGASA)은 마이삭을 추적하기 시작하며 필리핀 현지 이름 '체뎅'(Chedeng)을 부여했다.[24][65] 건조한 공기가 중심으로 감싸이면서 눈은 더욱 넓어졌고,[25] 강해진 풍속 시어는 대류를 더욱 약화시켰다.[26]4월 4일, 일본 기상청(JMA)은 마이삭을 강한 열대 폭풍으로 강등시켰고, 같은 날 늦게 다시 열대 폭풍으로 강등시켰다.[6] 필리핀에 접근하면서 폭풍은 계속 약화되었고, 4월 4일 늦게에는 폭풍의 대류가 순환 중심에서 분리되기 시작했다.[27] 4월 5일, 마이삭은 최소 열대 폭풍 상태로 필리핀 루손 중동부 해안에 상륙했다.[6] 이는 1945년 이후 1월에서 4월 사이에 루손 섬을 강타한 8개의 태풍 중 하나였다.[28] 상륙 직후 마이삭은 열대 저기압으로 약화되었고,[6] 약화된 폭풍은 산발적인 뇌우를 동반하며 루손 섬을 가로질렀다.[29] 이후 남중국해로 진입한 마이삭은 서북서쪽으로 계속 이동하다가 4월 7일에 최종적으로 소멸하였다.[6]
3. 영향
태풍 마이삭은 미크로네시아 연방 전역에 걸쳐 광범위한 피해를 남겼으며, 특히 추크주와 야프주가 가장 큰 타격을 입었다. 농업 및 기반 시설 피해가 심각했고, 인명 피해도 발생했다.[30] 이후 필리핀에 접근했으나 세력이 약화되어 영향은 상대적으로 경미했다.[41]
3. 1. 미크로네시아 연방

태풍 마이삭은 미크로네시아 연방(FSM) 전역에 광범위한 피해를 입혔으며, 특히 추크주와 야프주가 가장 큰 타격을 받았다. 농업 피해가 심각하여 추크주와 야프주에서 바나나, 빵나무, 토란 작물의 90%가 파괴되었다. 총 281채의 가옥이 파괴되었고, 300채가 추가로 피해를 입었다. USAID에 따르면, 총 29,000명이 폭풍의 직접적인 영향을 받았으며, FSM 전역의 피해액은 850만달러에 달했다. FSM 공식 집계로는 태풍으로 4명이 사망하고 10명이 부상했다.[30]
마이삭은 발달 초기 코스라에를 스쳐 지나가면서 일부 나무를 쓰러뜨리고 가옥에 피해를 주었으며, 해안 침식을 유발했다.[34] 이후 3월 29일, 카테고리 1등급 상당 태풍의 세력으로 추크주 본섬을 직접 통과했다.[32] 이때 순간 최대 풍속은 175km/h에 달했으며,[34] 웨노 섬에서는 약 15.24cm에서 약 17.78cm 사이의 강수량이 기록되었다.[31] 현지 국립 기상청 사무소에서 측정된 최대 풍속은 71mph에 달해 수많은 나무와 전선을 쓰러뜨리고 지붕을 날려 버렸다.[32] 추크주 가옥의 80~90%가 피해를 입은 것으로 추정되며,[32] 최소 830채의 가옥과 37개의 사업체가 파괴되어 6,760명의 이재민이 발생했다. 웨노를 포함한 주 대부분 지역에서 전력 공급이 중단되고 통신이 두절되었으며,[33] 웨노에서만 약 7,000명이 집을 잃었다.[46] 식수는 오염되어 마실 수 없게 되었다.[44] 외딴 섬들도 작물과 가옥에 심각한 피해를 입었다. 추크주 전역에서 태풍으로 인한 거친 파도가 방파제를 파괴하고 11척의 보트 또는 선박을 침몰시키거나 손상시켰다. 추크주에서는 쓰러진 나무, 날아온 파편, 산사태 등으로 최소 4명이 사망했으며, 신생아 1명은 쓰러진 나무로 인해 병원에 도착하지 못해 사망했다.[31] 4월 2일 집계 기준으로 총 9명의 사망자가 확인되었다는 보고도 있었다.[70] 또한 추크 제도에서는 24시간 동안 218mm의 폭우가 쏟아져 홍수 피해도 발생했다.[68][69] 최소 6척의 배가 침몰한 것으로 보고되었다.[71]
추크주를 강타한 지 이틀 후, 마이삭은 최대 강도로 울리시 환초를 직접 통과하고 파이스 섬을 스쳐 지나가며 광범위한 피해를 남겼다.[33][44] 괌 주지사 에디 칼보에 따르면, 울리시에서는 지속 풍속이 130mph, 파이스에서는 100mph에 달했으며, 울리시에서는 순간 최대 풍속이 240km/h까지 기록되었다.[34][71] 울리시에서는 콘크리트로 지어지지 않은 모든 구조물이 마이삭의 강력한 바람에 심각한 피해를 입거나 파괴되었다.[35] 폭풍으로 인해 울리시의 전력과 식수 공급이 완전히 중단되었고,[47] 유럽 연합에서 기증한 태양광 패널이 손상되고 일부 식수 탱크의 파손도 확인되었다.[71] 태풍의 폭풍 해일과 염해로 인해 섬 전체의 작물이 손실되었으며, 초기 추정치에 따르면 작물을 다시 심는 데 1년이 걸릴 것으로 예상되었다.[36][71] 야프섬 본섬은 직접적인 타격은 피했지만, 폭풍 동안 공중 파편이 날아다니는 등 큰 피해를 입었다.[44] 외딴 섬들도 영향을 받았다. 파라울레프에서는 우물이 오염되고 과일 나무가 쓰러졌다.[31] 폭풍 동안 18명의 어부가 피콜로트 섬과 웨스트 페이유 섬에 고립되었으나, 이후 무사히 집으로 돌아왔다.[37]
3. 2. 필리핀

태풍 접근에 대비하여 필리핀 북동부의 아우로라 주에서는 24,000명 이상의 주민이 대피했다.[38] 일반적으로 부활절 기간에는 방송을 중단하는 많은 라디오 방송국들이 태풍 관련 방송을 위해 운영을 지속했다. 정부 관계자들은 태풍 경보를 발령하고 군대에 경계 태세를 유지하도록 지시했다.[39] 해변은 폐쇄되었고 선박들은 항구에 머물도록 명령받았으며, 10편의 항공편 운항이 취소되었다.[40] 필리핀 사회복지개발부는 구호 활동을 위해 약 ₱3.09억필리핀 페소(680만달러) 상당의 기금과 물품을 준비했으며, 약 28,000개의 가족 식량 꾸러미를 루손 섬 전역의 창고에 미리 배치했다.[41]
마이삭은 필리핀 상륙 시 급격히 약화되어 큰 영향을 미치지는 못했다.[41] 다만 강한 파도와 적은 양의 비를 뿌렸다.[39] 아우로라 주와 이사벨라 주에서 총 2,761명이 태풍의 직접적인 영향을 받았으나, 이들 대부분은 상륙 전에 이미 대피한 상태였다.[41][72] 다행히 별다른 재산 피해나 인명 피해는 보고되지 않았다. 그러나 4월 4일, 아우로라 주 디파쿨라오 해안가에서 셀카를 찍던 4명이 마이삭이 일으킨 파도에 휩쓸려 부상을 입는 사고가 있었다.[41][42] 한편, 4월 3일 민다나오의 술루 주 해상에서 정원 초과 상태로 운항하던 미등록 페리가 전복되어 5명이 사망하는 사고가 발생했다. 필리핀 해안 경비대는 당시 해상이 잔잔했던 점으로 미루어 볼 때, 이 사고는 태풍 마이삭보다는 선박의 과적 문제로 인해 발생했을 가능성이 높다고 밝혔다.[43]
4. 피해 복구 및 지원
태풍 마이삭으로 큰 피해를 입은 미크로네시아 연방 지역의 복구를 위해 국내외적인 노력이 이루어졌다. 각 주 정부는 비상사태를 선포하고 구호 활동을 시작했으며, 미크로네시아 연방 의회는 구호 기금을 할당했다. 또한 미국, 오스트레일리아, 중국, 일본 등 여러 국가와 국제 이주 기구(IOM), 유럽 연합 등의 국제기구가 구호 물품, 자금, 기술 지원 등을 제공하며 피해 복구를 도왔다.[44][55][45][50][53][54][55][56]
4. 1. 미크로네시아 연방

추크 주지사 존슨 엘리모는 4월 1일에 비상사태를 선포하고 국제적인 지원이 필요하다고 밝혔다. 가장 우려되는 점은 주요 농작물이 대부분 파괴되어 주민들이 기아에 직면할 가능성이 있다는 것이었다.[44] 얍 주지사 토니 갱기안 역시 같은 날 비상사태를 선포했다.[55] 4월 9일, 미크로네시아 연방 의회는 매니 모리 대통령의 요청에 따라 이틀간의 특별 회기를 열어 태풍 구호 기금 지원을 논의했다. 의회는 4월 11일, 추크 주와 얍 주를 위한 구호 기금으로 150만달러를 할당했다.[45] 모리 대통령은 폭풍 이후 물가가 급등하는 것을 막기 위해 폭풍 이전 수준으로 물가 통제를 시행했다.[46]
미크로네시아 연방 정부는 태풍 피해를 입은 파이스 섬과 울리시 환초 주민들에게 3개월에서 6개월간 식량 지원이 필요할 것으로 예상했다.[47] 추크 국제공항의 잔해 제거 작업이 완료되면서 4월 1일부터 항공편 운항이 재개되었다.[36] 하지만 섬들이 작고 멀리 떨어져 있어 전국적인 긴급 지원은 어려움을 겪었다. 많은 지역 사회는 배로만 접근할 수 있었고, 태풍으로 쓰러진 나무들이 도로를 막아 상황은 더욱 복잡했다.[49] 4월 6일까지 울리시와 파이스에 발전기가 공급되어 물 펌프를 가동하고 깨끗한 물을 공급할 수 있게 되었다.[47] 전력과 수도 공급은 점차 복구되었지만, 태풍 발생 2주가 지나도 여전히 많은 주민들이 전력 없이 지냈다.[46] 4월 6일, 미국 해안 경비대 헬리콥터가 피해 지역 상공을 비행하며 피해 상황을 조사했다.[47] 넓은 바다에 흩어져 있는 많은 섬 때문에 피해 평가가 어려웠다.[48] 미크로네시아 적십자사가 비축해 둔 구호 물품은 태풍 직후 배포되었으나, 4월 8일까지 모두 소진되었다.[49] 4월 14일, 미크로네시아 연방 정부는 순찰선을 추크 주로 보내 쌀, 라면, 물을 전달했다.[52]
자유 연합 협약에 따라, 미국 대통령 버락 오바마는 4월 28일 미크로네시아 연방을 재난 지역으로 선포하고 복구를 위한 연방 지원을 승인했다.[50] 이는 전날 모리 대통령의 요청에 따른 조치였다.[51] USAID(미국 국제개발처)는 구호 물품, 역삼투압 정수 장치, 물 분배 탱크 등을 포함하여 210만달러 상당의 지원을 제공했다. 울리시에서는 USAID가 주민들에게 약 19958.05kg 상당의 식량을 전달했다. 또한 미크로네시아 연방 전역에서 건물 수리를 돕고, 집을 잃은 주민들에게 임시 거처[52]와 방수포를 지원했다. 5월 8일까지 미국 정부는 손상된 농작물을 다시 키우기 위해 유엔 식량 농업 기구(FAO)에 보낸 62만달러를 포함하여 총 296만달러에 가까운 지원을 제공했다.[55]
마이삭 태풍 이후 여러 국가와 국제기구, 비정부 기구들이 미크로네시아 연방을 지원했다.[30] 4월 13일, 오스트레일리아 정부는 복구 및 구호 활동을 위해 10만호주 달러 (당시 약 7.7만달러)와 순찰선 2척을 지원했다.[53] 중국 정부는 "위로와 지원"의 표시로 4월 21일 미크로네시아 연방에 50만달러의 현금을 제공했다.[54] 일본 정부는 미크로네시아 연방 정부에 수처리 및 운송 물품을 보냈고, 국제 이주 기구(IOM)는 울리시에 20개의 수처리 장치를 배포했다.[55] 유럽 연합 역시 47개의 빗물 저장 장치를 지원하여 향후 물 공급에 도움을 주었다.[56]
참조
[1]
간행물
List of Western North Pacific Typhoons by minimum pressure existing in January, February, and March
http://agora.ex.nii.[...]
National Institute of Informatics
2015-04-07
[2]
뉴스
Pacific Super Typhoon Maysak among strongest on record so early in the season
https://www.washingt[...]
2015-03-31
[3]
웹사이트
Cyclone Maysak: Red Cross makes urgent appeal for help as death toll rises to nine
http://www.abc.net.a[...]
2015-04-02
[4]
웹사이트
Significant Tropical Weather Advisory for the Western and South Pacific Oceans
http://gwydir.demon.[...]
Joint Typhoon Warning Center
2015-08-08
[5]
웹사이트
Significant Tropical Weather Advisory for the Western and South Pacific Oceans
http://gwydir.demon.[...]
Joint Typhoon Warning Center
2015-08-08
[6]
간행물
Typhoon Best Track 2015-05-19T01:00:00Z
http://www.wis-jma.g[...]
Japan Meteorological Agency
2015-08-08
[7]
웹사이트
Tropical Depression 04W (Four) Warning NR 001
http://gwydir.demon.[...]
Joint Typhoon Warning Center
2015-03-27
[8]
웹사이트
Prognostic Reasoning for Warning 003 on Tropical Storm 04W
http://www.usno.navy[...]
Joint Typhoon Warning Center
2015-03-27
[9]
웹사이트
Tropical Storm Maysak from JMA 2015-03-27
http://gwydir.demon.[...]
Japan Meteorological Agency
2015-03-28
[10]
웹사이트
Prognostic Reasoning for Warning 007 of Tropical Storm Maysak
http://gwydir.demon.[...]
Joint Typhoon Warning Center
2015-03-28
[11]
웹사이트
Prognostic Reasoning for Warning 008 on Typhoon Maysak
http://gwydir.demon.[...]
Joint Typhoon Warning Center
2015-03-29
[12]
간행물
United States of America Member Report
http://www.typhoonco[...]
ESCAP/WMO Typhoon Committee 10th Integrated Workshop
2015-12-21
[13]
웹사이트
Prognostic Reasoning for Warning 010 on Typhoon Maysak
http://gwydir.demon.[...]
Joint Typhoon Warning Center
2015-03-31
[14]
웹사이트
Prognostic Reasoning for Warning 012 on Typhoon Maysak
http://gwydir.demon.[...]
Joint Typhoon Warning Center
2015-03-31
[15]
웹사이트
Prognostic Reasoning for Warning 14 on Typhoon Maysak
http://gwydir.demon.[...]
Joint Typhoon Warning Center
2015-03-31
[16]
웹사이트
Prognostic Reasoning for Warning 16 on Typhoon Maysak
http://gwydir.demon.[...]
Joint Typhoon Warning Center
2015-03-31
[17]
웹사이트
Prognostic Reasoning for Warning 018 on Typhoon Maysak
http://gwydir.demon.[...]
Joint Typhoon Warning Center
2015-03-31
[18]
웹사이트
Category 5 Super Typhoon Maysak Pounding Micronesia
http://www.wundergro[...]
Weather Underground
2015-08-10
[19]
웹사이트
JMA Tropical Cyclone Advisory 31/12z on Typhoon Maysak
http://gwydir.demon.[...]
Japan Meteorological Agency
2015-04-01
[20]
웹사이트
Prognostic Reasoning for Warning 020 on Typhoon Maysak
http://gwydir.demon.[...]
Joint Typhoon Warning Center
2015-04-01
[21]
웹사이트
Prognostic Reasoning for Warning 021 on Typhoon Maysak
http://www.usno.navy[...]
Joint Typhoon Warning Center
2015-04-01
[22]
웹사이트
Prognostic Reasoning for Warning 022 on Typhoon Maysak
http://www.usno.navy[...]
Joint Typhoon Warning Center
2015-04-01
[23]
웹사이트
Prognostic Reasoning for Waring 023 on Typhoon Maysak
http://www.usno.navy[...]
Joint Typhoon Warning Center
2015-04-01
[24]
웹사이트
PAGASA Weather Bulletin 001 for Typhoon Chedeng
http://www.pagasa.do[...]
PAGASA
2015-04-01
[25]
웹사이트
Prognostic Reasoning for Warning 025 on Typhoon Maysak
http://gwydir.demon.[...]
Joint Typhoon Warning Center
2015-04-02
[26]
웹사이트
Prognostic Reasoning for Warning 026 on Typhoon Maysak
http://www.usno.navy[...]
Joint Typhoon Warning Center
2015-04-02
[27]
웹사이트
Prognostic Reasoning for Warning 037 on Tropical Storm Maysak
http://gwydir.demon.[...]
Joint Typhoon Warning Center
2015-08-08
[28]
웹사이트
A Rare Easter Typhoon for the Philippines; Chile Flood Toll: 107 Dead or Missing
http://www.wundergro[...]
Weather Underground
2015-08-10
[29]
웹사이트
Prognostic Reasoning for Warning 039 on Tropical Storm Maysak
http://gwydir.demon.[...]
Joint Typhoon Warning Center
2015-08-10
[30]
간행물
Micronesia - Typhoon Maysak Fact Sheet #3, Fiscal Year (FY) 2015
http://reliefweb.int[...]
ReliefWeb
2015-04-22
[31]
웹사이트
Event Report for Micronesia
http://www.ncdc.noaa[...]
National Climatic Data Center
2015-12-12
[32]
웹사이트
Chuuk hit hard by Typhoon Maysak
http://www.mvariety.[...]
Marianas Variety
2015-03-31
[33]
간행물
Typhoon Maysak Situation Report No.1
http://reliefweb.int[...]
ReliefWeb
2015-04-02
[34]
논문
A Quarterly Bulletin of the Pacific El Niño-Southern Oscillation Applications Climate (PEAC) Center
http://www.weather.g[...]
2015-12-12
[35]
웹사이트
After Maysak, FSM tries to cope with 'humanitarian crisis'
http://www.radionz.c[...]
Radio New Zealand International
2015-04-04
[36]
웹사이트
Maysak slams Yap; power restored in Chuuk, regular flights resume
http://www.mvariety.[...]
Marianas Variety
2015-04-02
[37]
뉴스
4 dead, 6,760 people displaced in Chuuk
2015-04-09
[38]
뉴스
US Authorities Give Warning as Tropical Storm Ana Approaches East Coast – Reports
2015-05-08
[39]
뉴스
Philippines: Philippine Storm Maysak Fizzles, Puts Damper on Lenten Vacations
2015-04-08
[40]
뉴스
Philippines fears subside as typhoon melts away
2015-04-07
[41]
웹사이트
Waves injure 4 taking 'selfies' during typhoon
http://manilastandar[...]
Manila Standard Today
2015-04-07
[42]
간행물
Final Report re Preparedness Measures and Effects of Typhoon "Chedeng" (Maysak)
http://ndrrmc.gov.ph[...]
National Disaster Risk Reduction and Management Council
2015-04-07
[43]
웹사이트
Ferry mishap leaves 5 dead, scores missing
http://gulftoday.ae/[...]
The Gulf Today
2015-04-22
[44]
웹사이트
Super Typhoon Maysak slams into Micronesia causing widespread damage and rising death toll
http://www.smh.com.a[...]
2015-04-01
[45]
웹사이트
Congress wants $2.8M public project, $3M FSM Trust Fund and $1.5M Typhoon relief in Chuuk and Yap
http://reliefweb.int[...]
ReliefWeb
2015-04-22
[46]
뉴스
FSM rebuilding after Typhoon Maysak
2015-04-14
[47]
간행물
Typhoon Maysak Situation Report No. 3
http://reliefweb.int[...]
ReliefWeb
2015-04-23
[48]
뉴스
Micronesia's vastness proves difficult for Maysak relief
2015-04-07
[49]
웹사이트
Reaching remote communities with relief after Typhoon Maysak
http://reliefweb.int[...]
ReliefWeb
2015-04-23
[50]
웹사이트
President Declares Disaster for the Federated States of Micronesia
http://www.fema.gov/[...]
FEMA
2015-04-09
[51]
뉴스
FSM's Mori requests US emergency declaration
2015-04-27
[52]
웹사이트
Assistance for Typhoon Maysak Victims in the Federated States of Micronesia
https://www.usaid.go[...]
United States Agency for International Development
2015-08-10
[53]
웹사이트
Assistance to the Federated States of Micronesia following Typhoon Maysak
http://reliefweb.int[...]
ReliefWeb
2015-04-22
[54]
웹사이트
China Provides the Micronesian Government with US$500,000 Emergency Humanitarian Assistance in Cash
http://reliefweb.int[...]
ReliefWeb
2015-04-22
[55]
웹사이트
Micronesia – Typhoon Maysak: Fact Sheet #4
https://www.usaid.go[...]
United States Agency for International Development
2015-08-10
[56]
뉴스
Water tanks and solar panel repairs provide relief on Fais and Ulithi following typhoon Maysak
2015-04-29
[57]
웹사이트
台風の番号と名前
https://www.jma.go.j[...]
気象庁
2015-03-31
[58]
웹사이트
平成27年 台風第4号に関する情報
http://www.jma.go.jp[...]
気象庁
2015-03-29
[59]
웹사이트
台風201504号 (MAYSAK) - 総合情報(気圧・経路図)
http://agora.ex.nii.[...]
デジタル台風
2015-03-28
[60]
웹사이트
台風の発生数
https://www.data.jma[...]
気象庁
2015-03-31
[61]
웹사이트
台風4号「メイサーク」発生
http://www.tenki.jp/[...]
日本気象協会
2015-03-31
[62]
웹사이트
台風201504号 (MAYSAK) - 詳細経路情報
http://agora.ex.nii.[...]
デジタル台風
2015-03-31
[63]
웹사이트
Super Typhoon Maysak pounces on Yap
http://www.mvariety.[...]
Marianas Variety
2015-04-01
[64]
웹사이트
台風4号(2015年)
http://www.tenki.jp/[...]
日本気象協会
2015-03-31
[65]
웹사이트
chedeng_2015_bulletin #1
http://www.pagasa.do[...]
フィリピン大気物理天文局
2015-04-01
[66]
웹사이트
Severe Weather Bulletin No. 04 Typhoon "CHEDENG" (MAYSAK)
http://www.ndrrmc.go[...]
フィリピン国家災害リスク削減管理委員会
2015-04-05
[67]
웹사이트
Severe Weather Bulletin No. 09 re Tropical Storm "CHEDENG" (MAYSAK)
http://www.ndrrmc.go[...]
フィリピン国家災害リスク削減管理委員会
2015-04-05
[68]
웹사이트
Typhoon "Maysak" impacts Chuuk, heading toward Yap and Philippines
http://thewatchers.a[...]
THE WATCHERS
2015-03-31
[69]
웹사이트
Chuuk hit hard by Typhoon Maysak
http://www.mvariety.[...]
Marianas Variety
2015-03-31
[70]
웹사이트
Cyclone Maysak: Red Cross makes urgent appeal for help as death toll rises to nine
http://www.abc.net.a[...]
ABC News
2015-04-05
[71]
웹사이트
Maysak slams Yap; power restored in Chuuk, regular flights resume
http://www.mvariety.[...]
Marianas Variety
2015-04-02
[72]
웹사이트
SitRep No.10 re Preparedness Measures and Effects of TY CHEDENG (MAYSAK)
http://www.ndrrmc.go[...]
フィリピン国家災害リスク削減管理委員会
2015-04-06
본 사이트는 AI가 위키백과와 뉴스 기사,정부 간행물,학술 논문등을 바탕으로 정보를 가공하여 제공하는 백과사전형 서비스입니다.
모든 문서는 AI에 의해 자동 생성되며, CC BY-SA 4.0 라이선스에 따라 이용할 수 있습니다.
하지만, 위키백과나 뉴스 기사 자체에 오류, 부정확한 정보, 또는 가짜 뉴스가 포함될 수 있으며, AI는 이러한 내용을 완벽하게 걸러내지 못할 수 있습니다.
따라서 제공되는 정보에 일부 오류나 편향이 있을 수 있으므로, 중요한 정보는 반드시 다른 출처를 통해 교차 검증하시기 바랍니다.
문의하기 : help@durumis.com
