케르겔렌 해대
"오늘의AI위키"의 AI를 통해 더욱 풍부하고 폭넓은 지식 경험을 누리세요.
1. 개요
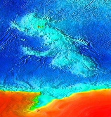
케르겔렌 해대는 인도양 중앙 해령을 대칭으로 하여 호주 서쪽에 위치한 수중 화산 고원이다. 세계에서 가장 큰 대규모 화성암 지역 중 하나로, 1,226,230 km²의 면적을 차지하며 주변 해양 분지보다 2,000m 높이 솟아 있다. 케르겔렌 열점은 인도양의 초기 개방부터 여러 구조를 생성했으며, 1억 4,500만 년 전부터 형성되기 시작했다. 케르겔렌 해대에는 숯과 역암 조각을 포함한 현무암의 토양층이 존재하며, 과거 미니 대륙으로 해수면 위로 솟아 있었을 가능성을 보여준다. 또한, 케르겔렌 해대는 고래류의 중요한 먹이 활동 지역으로, 남극 순환 해류의 영향으로 영양염류가 풍부하게 공급된다.
더 읽어볼만한 페이지
- 거대 화성암 지대 - 시베리아 트랩
시베리아 트랩은 약 2억 5천만 년 전 시베리아에서 발생한 대규모 화산 활동으로 형성된 광대한 홍수 현무암 지대로, 페름기-트라이아스기 대멸종과 연관되어 있으며 풍부한 광물 자원이 매장되어 있다. - 거대 화성암 지대 - 데칸고원
데칸고원은 인도 아대륙의 대부분을 차지하는 고원 지대로, 빈디아-사트푸라 산맥에서 타밀나두 북쪽까지 뻗어 있으며 서고츠 산맥과 동고츠 산맥에 의해 경계 지어지고, 다양한 왕조의 흥망성쇠와 신석기 시대부터 여러 제국의 지배를 거쳐 왔으며, 지질학적으로 안정적인 육지 지형으로 백악기 말 화산 폭발로 형성된 데칸 트랩으로 덮여 있고, 다양한 기후와 지형 덕분에 동식물 다양성이 높고 농업과 IT 산업이 발달했다. - 고대 대륙 - 곤드와나
곤드와나는 고생대와 중생대에 존재했던 초대륙으로, 현재의 아프리카, 남아메리카, 남극, 인도, 오스트레일리아 등을 포함했으며, 판게아 분열 이후 서곤드와나와 동곤드와나로 나뉘어 각 대륙이 이동하면서 생물 지리학적 분포 패턴에도 영향을 미쳤다. - 고대 대륙 - 로디니아
로디니아는 고지자기학 및 지질학적 연구로 확인된 약 13억 년 전부터 7억 5천만 년 전까지 존재했던 초대륙으로, 분열을 거쳐 기후 변화 및 생명체 진화에 영향을 미쳤으며, 한반도 지질학적 역사 이해에도 단서를 제공하지만, 정확한 형성 과정과 대륙 배열은 연구 중이다.
케르겔렌 해대 | |
---|---|
지도 | |
일반 정보 | |
위치 | 인도양 남부 |
면적 | 약 220만 km² |
최고점 | 해수면 아래 약 1,000 m 일부 섬은 해수면 위로 솟아 있음 |
지질학적 특징 | 거대한 해저 고원 화산 활동의 결과로 형성 |
지리 | |
크기 | 길이: 약 3,000 km 너비: 약 2,200 km |
주요 지형 | 케르겔렌 제도 허드 제도와 맥도널드 제도 브로큰 해령 |
지질학 | |
형성 시기 | 약 1억 1천만 년 전 (백악기) |
형성 원인 | 케르겔렌 열점의 화산 활동 |
구성 암석 | 주로 현무암 |
생태 | |
해양 생물 | 다양한 해양 생물 서식 (어류, 해양 포유류, 해조류 등) |
주요 서식 생물 | 크릴 남극빙어 |
역사 및 연구 | |
발견 | 1772년 프랑스 탐험가 이브조제프 드 케르겔렌 트레마렉 |
연구 | 해양학, 지질학, 생물학 연구 활발 |
기타 | |
중요성 | 남극 환류에 영향, 해양 생태계 연구의 중요 지역 |
2. 지리적 범위
인도양 중앙 해령을 대칭으로 하여 호주 서쪽에 위치한 브로큰 해령은 수중 화산 고원으로, 한때 대양저 해령에 의해 갈라지기 전에는 케르겔렌 해대와 연결되어 있었다.[7]
브로큰 해령 북쪽에는 벵골만으로 거의 정북 방향으로 뻗어 있는 선형 나인티이스트 해령이 있으며, 이는 핫스팟의 이동 경로로 여겨진다.[7]
2. 1. 지형
케르겔렌 고원은 세계에서 가장 큰 대규모 화성암 지역(LIP) 중 하나로, 1,226,230 km2의 면적을 차지하며 주변 해양 분지보다 2,000m 높이 솟아 있다.[4][5] 고원의 대부분은 해수면 아래 3,000m 미만이다.[6]남극판에 위치한 케르겔렌 고원은 동남 인도양 해령(SEIR)에 의해 호주와 분리되어 있으며, 남서 인도양 해령(SWIR)에 의해 아프리카와 분리되어 있다. 이 두 해령은 로드리게스 삼중점에서 만난다. 케르겔렌 고원은 엘리자베스 공주 해구와 협력해에 의해 남극 대륙과 분리되어 있다. 윌리엄 해령 북쪽의 동쪽 가장자리는 가파르며 케르겔렌 고원과 브로큰 해령 사이의 분리 과정에서 형성되었다. 가장자리의 남쪽 부분은 깊은 라부안 분지에 의해 호주-남극 분지와 분리되어 있다.[7]
인도양 중앙 해령을 대칭으로 하여 호주 서쪽에 위치한 브로큰 해령은 수중 화산 고원으로, 한때 대양저 해령에 의해 갈라지기 전에는 케르겔렌 고원과 연결되어 있었다. 브로큰 해령 북쪽에는 벵골만으로 거의 정북 방향으로 뻗어 있는 선형 나인티이스트 해령이 있으며, 이는 핫스팟의 이동 경로로 여겨진다.
3. 지질학적 역사
인도양의 초기 개방부터 현재까지, 케르겔렌 열점은 여러 개의 대규모 구조를 생성했으며, 현재는 널리 흩어져 있다. 이들은 현재 1억 4,500만 년 전(Ma)부터 시작하는 것으로 알려져 있으며, 가장 오래된 구조는 티베트 남동부에 있는 코메이 대규모 화성암 지역이다.[8] 역사적인 연구에서는 열점이 현재 호주 남동부 지역에서 더 최근에 활성화되었다고 믿었다.[9] 표본의 지속적인 분석으로 인해 시기가 변경될 수 있으며,[8] 따라서 다음 순서의 일부 날짜가 변경될 수 있다.
- 남부 케르겔렌 고원(SKP)은 1억 2,000만 년 ~ 1억 1,000만 년 전에 형성되었다.[8]
- 엘란 뱅크는 라몬트 도허티 지구 관측소의 데니스 E. 헤이즈에 의해 명명되었으며, 1억 800만 년 ~ 1억 700만 년 전에 형성되었다.
- 중앙 케르겔렌 고원(CKP)은 1억 100만 년 ~ 1억 년 전에 형성되었다.
- 브로큰 해령 (에오세 분리 이전 CKP에 연결됨)은 9,500만 년 ~ 9,400만 년 전에 형성되었다.
- 케르겔렌 제도 동쪽의 스키프 뱅크는 6,900만 년 ~ 6,800만 년 전에 형성되었다.
- 북부 케르겔렌 고원(NKP)은 3,500만 년 ~ 3,400만 년 전에 형성되었다.
- 나인티이스트 해령은 북쪽에서 남쪽으로 8,200만 년 ~ 3,700만 년 전에 형성되었다.[8]
- 번버리 현무암 (서호주)은 1억 3,700만 년 ~ 1억 3,050만 년 전에 형성되었으며,[9]
- 내추럴리스트 고원 (서호주 해안)은 1억 3,200만 년 ~ 1억 2,800만 년 전에 형성되었다.[10]
- 북동 인도의 라지마할 트랩은 1억 1,800만 년 ~ 1억 1,700만 년 전에 형성되었다.
- 인도와 남극 대륙의 람프로파이어는 1억 1,500만 년 ~ 1억 1,400만 년 전에 형성되었다.[11]
3. 1. 주요 형성 구조 및 시기
티베트 남동부 코메이 대규모 화성암 지역은 1억 4,500만 년 전에 형성되었다.[8] 서호주 번버리 현무암은 1억 3,700만 년 ~ 1억 3,050만 년 전에,[9] 서호주 해안 내추럴리스트 고원은 1억 3,200만 년 ~ 1억 2,800만 년 전에 형성되었다.[10] 남부 케르겔렌 고원(SKP)은 1억 2,000만 년 ~ 1억 1,000만 년 전에 형성되었다.[8] 북동 인도의 라지마할 트랩은 1억 1,800만 년 ~ 1억 1,700만 년 전에 형성되었고, 인도와 남극 대륙의 람프로파이어는 1억 1,500만 년 ~ 1억 1,400만 년 전에 형성되었다.[11] 엘란 뱅크는 1억 800만 년 ~ 1억 700만 년 전에 형성되었다.[8] 중앙 케르겔렌 고원(CKP)은 1억 100만 년 ~ 1억 년 전에 형성되었고, 브로큰 해령은 9,500만 년 ~ 9,400만 년 전에 형성되었으며 에오세 분리 이전 중앙 케르겔렌 고원에 연결되어 있었다.[8] 케르겔렌 제도 동쪽의 스키프 뱅크는 6,900만 년 ~ 6,800만 년 전에 형성되었다.[8] 북부 케르겔렌 고원(NKP)은 3,500만 년 ~ 3,400만 년 전에 형성되었다.[8] 나인티이스트 해령은 북쪽에서 남쪽으로 8,200만 년 ~ 3,700만 년 전에 형성되었다.[8]3. 2. 인도-호주 분리

케르겔렌 열점의 영향을 받은 것으로 여겨지는 호주에서 가장 오래된 화산 활동은 웨스턴오스트레일리아 남서부의 번버리 현무암(1억 3700만~1억 3050만 년 전)[9]과 내추럴리스트 고원(1억 3200만~1억 2800만 년 전)[10]이다. 동인도의 실렛 및 라지마할 트랩(1억 1800만~1억 1500만 년 전),[8] 케르겔렌 대규모 화성 활동의 가장 오래된 부분의 형성 및 이러한 대륙 현무암은 동인도양의 개시와 관련이 있다.[12] 번버리 현무암은 대규모 현무암의 규모가 아니므로 케르겔렌 열점 아래의 맨틀이 상당히 뜨겁거나, 습하거나, 부피가 크지 않았음을 시사한다. 반대로, 1억 3600만~1억 5800만 년 전의 호주-인도 분열을 일으킨 마그마 활동은 왈라비 고원을 형성했지만, 이 사건과 관련된 열점은 알려져 있지 않다.[13]
3. 3. 인도-남극 대륙 분리
케르겔렌 열점의 최대 활동 시기는 1억 2천만 년에서 9천 5백만 년 전으로, 인도-남극 대륙 분리 후 1천 2백만 년에서 7천만 년 후이다.[13] 왈비스–히우그란데, 차고스-라카디브, 그린란드-스코틀랜드와 같은 해령이나 열점 흔적이 SKP와 남극 대륙 사이의 엘리자베스 공주 해구 또는 인도의 동쪽 대륙 가장자리에서는 발견되지 않았다.[13] 케르겔렌 열점의 최대 활동 시기는 엘란 뱅크와 같은 하나 또는 여러 개의 미세 대륙 형성 시기와 일치한다.[13]인도양이 약 1억 3천만 년 전부터 열리기 시작한 이후, 케르겔렌 열점은 남쪽으로 3–10° 이동했으며, 그 결과 인도와 남극 대륙 사이의 해령은 한 번 이상 북쪽으로 이동했다.[13] 케르겔렌 고원, 엘란 뱅크 및 SKP의 일부는 원래 인도에 부착되어 있었으며 대륙 지각으로 구성되어 있다.[13] 해령 도약으로 엘란 뱅크가 미세 대륙으로 변환되었고, SKP에 대륙 조각이 분산되었으며, 이러한 구조는 결국 인도가 북쪽으로 이동하면서 남겨졌다.[13] 1억 1천 8백만 년에서 1억 1천 9백만 년 전 사이에 남부 케르겔렌 고원의 발달은 해양 무산소 사건 1에 기여했다.[14]
약 8천 3백 5십만 년 전, 케르겔렌 고원 지역에서 인도와 남극 대륙 사이의 해저 확장은 비대칭적이었으며, 생성된 해저의 3분의 2가 남극 판에 추가되었다. 해령 도약은 결국 케르겔렌 고원의 일부를 인도 판에서 남극 판으로 이전했다.[15]
3. 4. 신생대 화산 활동
케르겔렌 열점은 8,200만 년에서 3,800만 년 전 사이 5,000 km 길이의 나인티이스트 해령을 생성했으며, 지구화학적 증거는 이것이 해령 근처에서 발생했음을 시사한다.[13] 그러나 남극판에서 짝을 이루는 구조가 없다는 점은 이 오랜 기간 동안 열점이 해령에 위치했을 가능성이 낮다는 것을 보여준다.[13] 이후 남극판이 케르겔렌 열점 위로 이동하면서 비교적 오래된 해양 지각 위에 북부 케르겔렌 고원(NKP)이 형성되었다.[13]케르겔렌 제도에서는 3,000만 년에서 2,400만 년 전 대규모 현무암이 형성되었고, 100만 년 전까지 소규모의, 더 최근의 화산 활동이 발생했다.[13] 지난 2,100만 년 동안 허드 섬을 포함, 중앙 케르겔렌 고원(CKP) 위에 화산 구조가 형성되었으며, 허드 섬과 맥도널드 섬 모두 최근 분화가 있었다.[13]
6,500만 년 전, CKP-브로큰 리지 LIP는 케르겔렌 플룸과 인도양의 판 경계 근처에 위치했다.[16] LIP는 2,500만 년 동안 비교적 높은 마그마 활동을 보이다가 4,000만 년 동안 활동이 감소한 결과이다.[16]
4. 케르겔렌 미소 대륙
Schlich, Delteil, Moulin, Patriat (1971)은 케르겔렌 제도 인근의 기울어진 기반암 블록을 묘사했으며, 다른 대규모 화산 활동 지대(LIP)와는 대조적으로 케르겔렌 해대를 대륙 기원으로 처음 확인했다.[20]
숯과 역암 조각을 포함한 현무암의 토양층의 존재는 케르겔렌 해대 대부분이 1억 년 전에서 2천만 년 전 사이에 세 번의 기간 동안 미니 대륙으로 해수면 위로 솟아 있었음을 나타낸다.[21][27] 숯은 번개나 용암류에 의해 시작된 산불에 의해 만들어졌다. 현재 해저에 있는 남부 케르겔렌 고원(SKP)과 중부 케르겔렌 고원(CKP)의 상당 부분이 LIP 형성 기간 동안 육상에 있었다. 남부 케르겔렌 고원은 아마도 50만 km² 크기의 섬을 형성했으며 주요 봉우리는 해수면 위 1,000~2,000m에 달했을 것으로 추정된다.
케르겔렌 미소 대륙은 중백악기와 초기 신생대에 울창한 침엽수림으로 덮여 있었을 수 있다. 케르겔렌 섬에서 회수된 화석 나무 조각은 남양삼과 측백나무로 확인되었으며, 케르겔렌의 식물상은 남반구 전역에서 발견되는 남극 식물상과 유사했을 수 있음을 보여준다.
이 고원은 후기 백악기 동안 인도와 남극 대륙 사이의 육교를 형성하는 것으로 제안되었지만, 현재는 고원이 가장 가까운 대륙에서 상당한 거리에 위치해 있어 지지받지 못하는 것으로 여겨진다. 결국 2천만 년 전에 침수되었으며 현재 해수면 아래 1,000~2,000m에 있다. 여기에는 오스트레일리아나 인도에서 발견된 것과 매우 유사한 퇴적암이 존재하며, 이는 이들 대륙이 한때 연결되어 있었음을 시사한다.
5. 생물 다양성
남극해 여름 동안 향유, 밍크, 혹등을 포함한 많은 수의 이동성 고래들이 케르겔렌 해대의 남쪽 끝과 인접한 프린세스 엘리자베스 해구의 북쪽 부분에 모여든다. 이 고래들은 남극 순환 해류의 남부 전선이 해대에 의해 방향이 바뀌면서 발생하는 영양염류 공급으로 인해 먹이 활동이 활발해지기 때문이다. 얕아진 영양분이 풍부한 상부 순환 심층수가 표면으로 올라오면서 거대 영양소를 표면으로 가져온다. 얼음 또한 해대의 동쪽을 따라 북쪽으로 운반된다.
참조
[1]
문서
Oxford English Dictionary
[2]
서적
Munschy & Schlich, 1987
[3]
서적
UT Austin 1999
[4]
웹사이트
Blue Habitats – Plateaus
https://www.bluehabi[...]
[5]
서적
Bénard, Callot, Vially & Schmitz, 2010
[6]
웹사이트
NOAA Bathymetry Viewer
https://maps.ngdc.no[...]
[7]
서적
Bénard, Callot, Vially & Schmitz, 2010
[8]
서적
Bredow & Steinberger, 2018
[9]
서적
Olierook, Jourdan, Merle & Timms, 2016
[10]
서적
Direen, Cohen, Maas & Frey, 2017
[11]
서적
Frey, Coffin, Wallace & Weis, 2003
[12]
서적
Ingle, Scoates, Weis & Brügmann, 2004
[13]
서적
Frey, Coffin, Wallace & Weis, 2003
[14]
서적
Wallace, Frey, Weis & Coffin, 2002
[15]
서적
Müller, Gaina & Clark, 2000
[16]
서적
Whittaker, Williams & Müller, 2013
[17]
서적
Schlich, Delteil, Moulin & Patriat, 1971
[18]
간행물
Leg 183 Summary: Kerguelen Plateau-Broken Ridge—A Large Igneous Province
http://www-odp.tamu.[...]
[19]
서적
Frey, Coffin, Wallace & Weis, 2003
[20]
서적
Mohr, Wähnert & Lazarus, 2002
[21]
논문
Fossil Coniferous Wood from Kerguelen Island
https://www.biodiver[...]
1921
[22]
서적
Ali & Aitchison, 2009
[23]
웹사이트
UT Austin scientist plays major role in study of underwater "micro-continent"
https://news.utexas.[...]
1999-05-28
[24]
서적
Tynan, 1997
[25]
문서
OED
[26]
웹사이트
GEBCO/NOAA gazetteer(地名辞典) > Kerguelen Plateau
http://www.ngdc.noaa[...]
[27]
간행물
Mid-Cretaceous paleobotany and palynology of the central Kerguelen Plateau, southern Indian Ocean (ODP Leg 183, Site 1138)
http://www-odp.tamu.[...]
2002-09
본 사이트는 AI가 위키백과와 뉴스 기사,정부 간행물,학술 논문등을 바탕으로 정보를 가공하여 제공하는 백과사전형 서비스입니다.
모든 문서는 AI에 의해 자동 생성되며, CC BY-SA 4.0 라이선스에 따라 이용할 수 있습니다.
하지만, 위키백과나 뉴스 기사 자체에 오류, 부정확한 정보, 또는 가짜 뉴스가 포함될 수 있으며, AI는 이러한 내용을 완벽하게 걸러내지 못할 수 있습니다.
따라서 제공되는 정보에 일부 오류나 편향이 있을 수 있으므로, 중요한 정보는 반드시 다른 출처를 통해 교차 검증하시기 바랍니다.
문의하기 : help@durumis.com