맨위로가기

허리케인 매슈

"오늘의AI위키"는 AI 기술로 일관성 있고 체계적인 최신 지식을 제공하는 혁신 플랫폼입니다.
"오늘의AI위키"의 AI를 통해 더욱 풍부하고 폭넓은 지식 경험을 누리세요.

1. 개요

허리케인 매슈는 2016년 9월 말 카리브해를 강타한 강력한 허리케인으로, 아이티, 쿠바, 미국 등 여러 국가에 막대한 피해를 입혔다. 5등급으로 발달하여 아이티에 상륙, 1964년 이후 가장 강력한 허리케인으로 기록되었으며, 미국 플로리다주와 사우스캐롤라이나주에도 상륙했다. 이로 인해 수많은 인명 피해와 재산 피해가 발생했으며, 국제 사회의 지원이 이어졌다. 허리케인 매슈는 2017년 이름이 퇴출되어 더 이상 사용되지 않으며, 2022년에는 "마틴"으로 대체되었다.

광고

더 읽어볼만한 페이지

2. 발생 및 진로

2016년 9월 22일 아프리카 해안 쪽에서 이동한 열대 기류로부터 발달하기 시작해, 9월 28일 리워드 제도 동쪽에서 열대 폭풍으로 발전하였고,[167] 다음 날 제도 서쪽에서 허리케인이 되었다. 이후 순식간에 1분 최대 풍속 140kt의 초강력 5등급 허리케인으로 급성장하여,[167] 아이티, 자메이카, 쿠바, 도미니카 공화국, 바하마 등을 강타하였다. 2007년 펠릭스 이후 처음있는 5등급 허리케인이었다.[3] 허리케인 매슈로 인해, 아이티에서만 발생한 877명의 사망자를 포함하여 피해 국가들에서 최소 889명이 사망하였다.

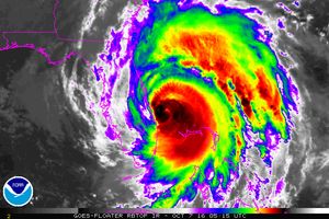
10월 3일 국제 우주 정거장에서 NASA가 관측한 허리케인 매슈


매슈가 10월 6일에서 7일 사이 미국 플로리다주 일대에 상륙할 것으로 예상되자, 버락 오바마 미 대통령은 해당 지역에 비상사태를 선포하였다.[168] 매슈는 7일 중심 풍속 최대 220km(4급)로 플로리다주 동부와 중부를 강타했고, 조지아 주로 북상했다.[169] 10월 4일 11:00 UTC경, 매슈는 240 km/h의 풍속과 934 mbar의 기압으로 레장글레 근처 아이티에 상륙했는데, 이는 1964년 클레오 이후 아이티를 강타한 가장 강력한 허리케인이었다.[2] 북쪽으로 계속 이동하면서, 허리케인은 10월 5일 초에 쿠바의 마이시를 약간 약해진 상태로 강타했다. 쿠바와 아이티의 산악 지형은 매슈를 3등급 상태로 약화시켰으며, 바하마를 통해 북서쪽으로 가속하기 시작했다. 매슈의 순환이 더 잘 조직되면서 재강화가 발생했고, 이 폭풍은 프리포트를 통과하면서 다시 4등급 허리케인이 되었다. 그러나 매슈는 눈벽 교체 사이클이 발생하면서 다시 약화되기 시작했다. 이 폭풍은 플로리다와 조지아 해안과 매우 가깝게 나란히 이동하면서 크게 약화되었으며, 외부 눈벽의 서쪽 부분이 3등급 허리케인으로 플로리다에 상륙했고, 내부 눈벽은 해안에서 바로 떨어져 있었다.

10월 8일 15:00 UTC경, 허리케인은 사우스캐롤라이나주 맥클렌빌 근처의 케이프 로메인 국립 야생동물 보호구역에 140 km/h의 풍속과 963 mbar의 중심 기압으로 상륙했는데,[4][2] 이는 2011년 아이린 이후 압력 측면에서 미국을 강타한 가장 강력한 허리케인이었으며, 1954년 허리케인 헤이젤 이후 10월에 플로리다 북쪽에서 상륙한 첫 번째 허리케인이었다. 8일 사우스캐롤라이나 주를 거쳐,[170] 10일 열대성 저기압으로 약화된 뒤 대서양으로 빠져나갔다.[170] 국립 허리케인 센터(NHC)는 10월 9일 노스캐롤라이나주 케이프 해터러스 동쪽 약 320 km에서 이 시스템을 온대 저기압으로 선언했다.[2]

2. 1. 발생

허리케인 매슈는 2016년 9월 22일 아프리카 해안 쪽에서 이동한 열대 기류로부터 발달하기 시작했다.[2] 9월 28일 리워드 제도 동쪽에서 열대 폭풍으로 발전하였고,[167] 다음 날 제도 서쪽에서 허리케인이 되었다. 이후 급격히 발달하여 9월 30일에는 1분 최대 풍속 140kt의 5등급 허리케인으로 성장했다.[167] 이는 2007년 펠릭스 이후 처음이었다.[3]

10월 1일 늦게 해수면 상승으로 인해 4등급 허리케인으로 약화되었으나, 10월 2일 늦게 다시 강해져 두 번째 최고 강도에 도달했다.[2] 10월 4일에는 레장글레, 아이티 근처에 상륙했는데, 이는 1964년 클레오 이후 아이티를 강타한 가장 강력한 허리케인이었다.[2] 이후 쿠바의 마이시를 강타하고 바하마를 통과하며 다시 4등급으로 강화되었다.[2]

매슈는 눈벽 교체 사이클이 발생하면서 다시 약화되었고, 플로리다와 조지아 해안과 매우 가깝게 이동하면서 세력이 약화되었다.[2] 10월 8일에는 사우스캐롤라이나주 맥클렌빌 근처의 케이프 로메인 국립 야생동물 보호구역에 상륙했다.[2] 이는 2011년 아이린 이후 압력 측면에서 미국을 강타한 가장 강력한 허리케인이었으며, 1954년 허리케인 헤이젤 이후 10월에 플로리다 북쪽에서 상륙한 첫 번째 허리케인이었다.[4][2]

이후 바람 시어가 증가하면서 육지에서 멀어졌고, 10월 9일 노스캐롤라이나주 케이프 해터러스 동쪽 약 200마일 (320 km) 지점에서 온대 저기압으로 변질되었다.[2] 잔해는 다음 날까지 지속되었고, 한랭 전선에 흡수되었다.[2]

2. 2. 최성기

허리케인 매슈는 2016년 9월 22일 아프리카 해안 쪽에서 이동한 열대 기류로부터 발달하기 시작했다.[167] 9월 28일 리워드 제도 동쪽에서 열대 폭풍으로 발전하였고, 다음 날 제도 서쪽에서 허리케인이 되었다. 이후 급격히 발달하여 9월 30일에는 1분 최대 풍속 140kt의 5등급 허리케인으로 성장했다.[2] 이는 2007년 펠릭스 이후 처음이었다.[3]

10월 1일 늦게 해수면 상승으로 인해 4등급 허리케인으로 약화되었으나, 10월 2일 늦게 다시 풍속 155mph(250km/h)로 두 번째 최고 강도에 도달했다.[2] 10월 4일에는 풍속 150mph(240km/h), 기압 934mbar로 아이티 레장글레 근처에 상륙했는데, 이는 1964년 클레오 이후 아이티를 강타한 가장 강력한 허리케인이었다. 이후 쿠바의 마이시를 강타한 뒤, 바하마를 통과하며 다시 4등급으로 강화되기도 했다.

이후 눈벽 교체 사이클이 발생하며 다시 약화되었고, 플로리다주와 조지아주 해안과 매우 가깝게 이동하면서 크게 약화되었다. 10월 8일에는 사우스캐롤라이나주 맥클렌빌 근처의 케이프 로메인 국립 야생동물 보호구역에 풍속 85mph(140km/h), 중심 기압 963mbar로 상륙했다.[2] 이는 2011년 아이린 이후 압력 측면에서 미국을 강타한 가장 강력한 허리케인이었으며, 1954년 허리케인 헤이젤 이후 10월에 플로리다 북쪽에서 상륙한 첫 번째 허리케인이었다.[4][2] 10월 9일, 노스캐롤라이나주 케이프 해터러스 동쪽 약 200mi(320km)에서 온대 저기압으로 약화되었다.[2]

2. 3. 상륙 및 소멸

허리케인 매슈는 2016년 9월 22일 아프리카 해안 쪽에서 이동한 열대 기류로부터 발달하기 시작해, 9월 28일 리워드 제도 동쪽에서 열대 폭풍으로 발전하였고, 다음 날 제도 서쪽에서 허리케인이 되었다.[167] 이후 급격히 1분 최대 풍속 140kt의 5등급 허리케인으로 성장하여, 아이티, 자메이카, 쿠바, 도미니카 공화국, 바하마 등을 강타하였다.[167] 2007년 펠릭스 이후 처음있는 5등급 허리케인이었다.[3] 허리케인 매슈로 인해, 아이티에서만 발생한 877명의 사망자를 포함하여 피해 국가들에서 최소 889명이 사망하였다.[168]

10월 4일 11:00 UTC경, 매슈는 150 mph(240 km/h)의 풍속과 934 mbar(27.6 inHg)의 기압으로 레장글레 근처 아이티에 상륙했는데, 이는 1964년 클레오 이후 아이티를 강타한 가장 강력한 허리케인이었다.[2] 북쪽으로 계속 이동하면서, 허리케인은 10월 5일 초에 쿠바의 마이시를 약간 약해진 상태로 강타했다.[2] 쿠바와 아이티의 산악 지형은 매슈를 3등급 상태로 약화시켰으며, 바하마를 통해 북서쪽으로 가속하기 시작했다.[2] 매슈의 순환이 더 잘 조직되면서 재강화가 발생했고, 이 폭풍은 프리포트를 통과하면서 다시 4등급 허리케인이 되었다.[2] 그러나 매슈는 눈벽 교체 사이클이 발생하면서 다시 약화되기 시작했다.[2]

매슈가 10월 6일에서 7일 사이 미국 플로리다주 일대에 상륙할 것으로 예상되자, 버락 오바마 미 대통령은 해당 지역에 비상사태를 선포하였다.[168] 매슈는 7일 중심 풍속 최대 220km(4급)로 플로리다 주 동부와 중부를 강타했고, 조지아 주로 북상했다.[169] 이 폭풍은 플로리다와 조지아 해안과 매우 가깝게 나란히 이동하면서 크게 약화되었으며, 외부 눈벽의 서쪽 부분이 3등급 허리케인으로 플로리다에 상륙했고, 내부 눈벽은 해안에서 바로 떨어져 있었다.[2]

10월 8일 15:00 UTC경, 허리케인은 사우스캐롤라이나주 맥클렌빌 근처의 케이프 로메인 국립 야생동물 보호구역에 85 mph(140 km/h)의 풍속과 963 mbar(28.4 inHg)의 중심 기압으로 상륙했는데,[4][2] 이는 2011년 아이린 이후 압력 측면에서 미국을 강타한 가장 강력한 허리케인이었으며, 1954년 허리케인 헤이젤 이후 10월에 플로리다 북쪽에서 상륙한 첫 번째 허리케인이었다. 8일 사우스캐롤라이나 주를 거쳐,[170] 10일 열대성 저기압으로 약화된 뒤 대서양으로 빠져나갔다.[170] 국립 허리케인 센터(NHC)는 10월 9일 노스캐롤라이나주 케이프 해터러스 동쪽 약 200 mi(320 km)에서 이 시스템을 온대 저기압으로 선언했다.[2]

3. 피해

(2016년 USD)참고총계직접간접바하마0005억 8천만[2][105]캐나다0007,600만[149]콜롬비아110해당사항 없음[73]쿠바40425억 8천만[2][103]도미니카 공화국4404억 3,400만[98][99]아이티674674028억[2][92][96][95]세인트빈센트
그레나딘
110해당사항 없음[67]미국473413100억[2]합계:73171417164억 7천만



2016년 10월 6일 허리케인 매슈에서 동부 캐나다를 휩쓴 중위도 폭풍과 합쳐진 10월 11일까지의 위성 이미지 루프


허리케인 매슈는 10월 4일 시속 230km의 강풍을 동반하며 아이티에 상륙하여 건물이 무너지고 도심 곳곳이 물에 잠기는 등 초토화시켰다.[171] 서부 대부분 지역에서는 전기, 수도, 전화가 끊겨 마비 상태가 되었다. 공식 집계된 사망자 수는 300여 명이었으나,[172] 로이터 통신은 877명이 숨졌으며, 시신이 추가로 발견되어 사망자가 더 늘어날 전망이라고 보도했다.[171][172]

유엔은 100만 명 이상이 피해를 입었으며, 이 중 최소 3분의 1이 인도적 지원을 필요로 하는 상황이라고 발표했다.[171] 미국 국제개발처는 항공기로 물자를 공수하고, 미국 해군은 상륙함 메사베르데호를 급파해 해병대원 300명과 CH-53 중무장 헬기, 생수, 의약품 등을 지원했다.[172] 독일 정부도 700만 달러를 지원하기로 했다.[171] 남서부 아이티 지역에서는 수자원 및 위생시설 파괴로 콜레라가 발생해 13명이 사망했다.[173]

9월 28일부터 10월 2일까지 허리케인 매슈와 GPM의 DPR 장비에서 얻은 3차원 레이더 데이터를 보여준다.


당초 예상과 달리 경로가 동쪽으로 이동하면서, 10월 1일 몰 생 니콜라에서 도미니카 공화국 국경까지 아이티 대부분 지역에 허리케인 경보가 발령되었고,[25] 10월 2일 오후까지 국가 전체로 확대되었다.[26] 아이티 정부는 주민들에게 대피를 촉구했지만,[33] 많은 주민들이 이를 거부했다.[32] 전국적으로 1,300개의 대피소가 준비되어 390,000명을 수용할 수 있었고,[34] 10월 4일 오전까지 9,280명이 대피했다.[35]

10월 5일, 선거 임시 위원회는 대통령 선거 등을 11월 20일까지 연기했다.[36]

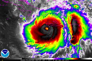
10월 3일 자메이카, 아이티, 쿠바에 접근하는 허리케인 매슈


아이티에 상륙하는 매슈


10월 2일, 거대한 너울이 일 아 바슈에 도달해 89명이 대피했고,[81] 10월 3일에는 어부 2명이 실종되어 1명이 숨진 채 발견되었다.[82] 포르 살뤼에서는 나무가 쓰러져 1명이 사망했고, 26세 남성이 급류에서 아이를 구하려다 익사했다.[83]

1964년 허리케인 클레오 이후 아이티에 직접적인 영향을 미친 가장 강력한 폭풍이었던 매슈는 레 카예의 앙투안 시몽 공항에서 순간 최대 풍속 107mph (172km/h)를 기록했다.[84] 그랑드앙스의 주요 교량이 붕괴되고, 제레미의 80%가 피해를 입는 등[85] 통신 두절과 도로 파괴로 수만 명이 고립되었다.

공식 사망자 수는 546명이었지만,[2] 지방 정부는 1,000명을 넘을 것으로 추정했다.[87][88][89][90][91] 국가 민방위국에 따르면 10월 14일 기준 사망자 546명, 실종자 128명, 부상자 439명이었다.[92][96][93] 피해액은 처음에는 1240억 구르드 (19억 미국 달러)로 추산되었으나,[2][94] 나중에 최대 28억 달러로 조사되었다.[95] 약 210만 명이 영향을 받았고, 140만 명이 지원을 필요로 했으며, 175,000명이 집을 잃었다.[96]

쿠바 기상청은 10월 1일, 카마구에이, 라스 투나스, 그란마, 올긴, 산티아고 데 쿠바, 관타나모를 포함한 쿠바 남동부 전역에 대해 허리케인 경보를 발령했다.[16] 이는 10월 2일 카마구에이를 제외한 모든 주에 대해 경고로 격상되었다.[26] 관타나모 만 해군 기지의 비필수 인력은 그날 대피를 시작했다.[27] 쿠바 전역에서 100만 명 이상이 대피를 시작했으며, 산티아고 데 쿠바에서 25만 2천 명, 라스 투나스에서 23만 명이 대피했고, 해안가에 있는 사람들에게 우선순위가 주어졌다.[39][40] 2012년 허리케인 샌디로 인해 막대한 피해를 입었던 산티아고 데 쿠바에서는 218개의 대피소가 개방되었고, 당국은 소카파, 카라콜레스, 카요 그란마에 특별한 주의를 기울였다.[39] 응급 인력, 주로 의사들이 위험 지역에 파견되었고, 물품이 비축되었다.[40]

허리케인 매튜가 관타나모 해군 기지에 상륙한 다음 날, 절벽 침식의 모습


시에라 마에스트라를 따라 위치한 3개의 마을에 10월 2일부터 해안 홍수가 시작되었다.[39] 허리케인 매튜는 10월 4일 저녁, 카테고리 4등급으로 쿠바의 가장 동쪽 지방을 강타하여 엄청난 피해를 입혔다. 해안 도시인 바라코아는 강풍과 폭풍 해일로 광범위한 피해를 입었으며, 폭풍 해일로 인해 수많은 건물들이 파괴되었다.[100] 피해의 심각성에도 불구하고, 이 도시에서는 사망자가 보고되지 않았다. 폭풍 중에는 마자야라의 통신탑이 붕괴되었고, 토아 강을 가로지르는 다리가 파괴되어 여러 지역 사회가 고립되었다.[101] 쿠바의 피해는 25억 8천만 미국 달러에 달했으며, 대부분은 관타나모 주에서 발생했다.[102] 쿠바에서는 130만 여명이 대피하고 최소 주택 30채가 홍수 피해를 입었다.[174]

약 2개월 후인 11월 22일, 허리케인 매튜로 손상된 모아 시의 지방 자치 단체 다리가 붕괴되어 캐나다 광산 회사인 셰리트 인터내셔널(Sherritt International)의 직원 4명이 사망했다. 이 직원들은 모아와 광산 현장 사이의 접근을 복구하기 위해 수리를 진행하고 있었다.[103]

도미니카 공화국에서는 허리케인 매슈로 인해 상당한 강우량과 해안 홍수가 발생했다.[97] 10월 3일 오후까지 카보 로호의 자동 기상 관측소에서는 214mm의 강수량이 기록되었다.[97] 최소 36,500명이 긴급 대피하고 4명이 숨졌으며[174], 주택 붕괴로 인한 사망자도 발생했다.[98] 10월 2일 아침에는 바라오나 서쪽에서 아이티 국경까지의 남부 해안에 열대성 폭풍 경보가, 푸에르토 플라타 서쪽에서 아이티 국경까지의 북부 해안에 열대성 폭풍 주의보가 발령되었다.[37] 10월 3일 아침까지 남서부 지역에서 최소 8,500명이 대피했다.[38] 홍수로 인한 피해는 약 200억 도미니카 페소(4억 3,400만 달러)에 달했다.[99]

6일 오후에는 바하마 제도에 상륙하여 남부와 동부 해안가를 중심으로 홍수가 발생하고 주택가 지붕이 강풍에 날아가기도 했다.[174]

허리케인 매슈가 10월 5일~6일 바하마를 통과하는 모습을 보여주는 주석이 달린 애니메이션


바하마 정부는 10월 2일 남동부 섬들과 터크스 케이커스 제도에 대해 허리케인 경보를 발령하기 시작했다.[26] 남부 섬들의 항공편은 취소되었고, 다음 날부터 학교 운영이 중단되었다.[41] 그랜드 바하마는 매슈의 눈벽에 직접적인 피해를 입어 광범위한 피해를 입었다. 에이트 마일 록과 홈스 록의 가구 중 약 95%가 심각한 피해를 입었다.[104] 폭풍의 강풍으로 수많은 나무와 전선이 쓰러져 도로가 통행 불가능해졌다. 폭풍의 후면으로 인한 홍수는 섬 서쪽 절반에 큰 영향을 미쳤다.[104] 바하마에서 매슈로 인한 총 손실은 약 5억 8천만 달러로 추산된다.[105][106]

미국 동남부 지역에 상륙한 매슈로 인해 43명이 숨지고 수백만 명이 대피하였다.[175][176][177] 10월 3일, 플로리다와 노스캐롤라이나 주지사는 비상사태를 선포했다.[42][43] 다음날, 사우스캐롤라이나 주지사 Nikki Haley는 해안에서 160km 이내에 거주하는 주민들에게 대피 명령을 내렸다.[44] 사우스캐롤라이나주 26번 고속도로 동쪽 방향은 차선 역전되어 사우스캐롤라이나 로우컨트리와 찰스턴 지역에서 멀리 이동할 수 있도록 했다.[45] 케이프 루컷 국립 해안 대피도 이날 시작되었다.[46] Pat McCrory 노스캐롤라이나 주지사는 대피를 의무화하는 명령을 내렸다.[47] 조지아주 동부 13개 카운티에도 비상사태가 선포되었다.[47]

국립 허리케인 센터 소장 Richard Knabb ''(사진)''는 허리케인 매튜가 미국에 미칠 것으로 예상되는 상황과 예보에 대한 브리핑을 정기적으로 촬영했다.


10월 5일, 포트 카나베럴은 2004년 이후 처음으로 미국 해안 경비대에 의해 폐쇄되었다.[48] 케이프 카나베럴 공군 기지에서는 미국 공군의 45 우주 비행단이 10월 4일에 중요하지 않은 시설의 전원 연결을 끊기 시작했다.[49] 케네디 우주 센터는 10월 5일에 시설 준비를 시작했다.[50] Walt Disney World Resort는 45년 역사상 네 번째로 폐쇄되었다.[51] 유니버설 올랜도 리조트와 씨월드 올랜도를 포함한 다른 올랜도 지역 테마파크도 폐쇄되었다.[52]

플로리다 동쪽을 통과하는 매튜의 10월 7일 향상된 적외선 위성 루프


Southeastern Conference 풋볼 경기, LSU와 플로리다의 경기는 10월 8일 게인스빌에서 취소되었으며, 조지아와 사우스캐롤라이나의 경기는 10월 8일 컬럼비아에서 10월 9일로 연기되었다. 샬롯 모터 스피드웨이에서 NASCAR 경기가 취소되었으며, Xfinity Series와 스프린트 컵 시리즈 경기는 모두 10월 9일로 연기되었다.[53][54]

10월 6일, 미국 대통령 Barack Obama는 플로리다에 연방 비상사태를 선포했으며,[55] 이후 조지아와 사우스캐롤라이나까지 확대되었다.[56] 플로리다 주지사 Rick Scott는 150만 명 이상의 사람들에게 대피를 촉구했으며,[57] 허리케인 매튜는 그날 저녁 상륙할 것으로 예상되었다.[58] 같은 날, 조지아 주지사 Nathan Deal은 95번 고속도로 동쪽의 모든 지역에 의무적인 대피령을 내렸으며, 조지아 공공 안전부는 다음 날까지 16번 고속도로의 동쪽 차선을 역전시켰다.[60][61]

매튜가 플로리다 해안과 평행하게 이동하면서 플로리다주 전역에서 100만 명 이상의 사람들이 정전 피해를 입었다.[118] 플로리다주 잭슨빌에서는 주요 모래 언덕이 파괴되고 세인트존스강이 범람했다. 또한 많은 재산이 파괴되었고 거의 25만 명의 전기 고객에게 전력 공급이 중단되었다.[119]

10월 8일 사우스캐롤라이나주 찰스턴의 홍수.


사우스캐롤라이나 전역에서 최소 60만 명이 정전을 겪었으며, 방파제가 붕괴된 후 찰스턴에서 심각한 홍수가 발생했다고 보고되었다.[129] 와카모 강은 사우스캐롤라이나주 컨웨이에서 5.5m로 최고 수위에 도달하여 1928년 오키초비 허리케인에 의해 세워진 기록을 깼다. 리틀 피 디 강은 사우스캐롤라이나주 갤리반츠 페리에서 5.2m로 기록적인 최고 수위에 도달하여 또한 1928년 기록을 깼다.[130]



노스캐롤라이나 전역에서 폭풍 관련 사고로 26명이 사망했다.[109] 허리케인 홍수로 인해 사우스캐롤라이나주와 노스캐롤라이나주의 I-95 구간이 폐쇄되어야 했다.[132] 럼버 강은 노스캐롤라이나주 럼버턴 남쪽 끝에서 기록적인 7.3m에 도달하여 6.2m의 기록을 깼다.[135] 노스캐롤라이나주 스미스필드에서 뉴스 강은 8.9m로 최고 수위에 도달하여 허리케인 프랜 이후보다 0.6m 더 높았다.[137] 노스캐롤라이나주 킨스턴에서 뉴스는 8.6m로 최고 수위에 도달하여 허리케인 플로이드에 의해 세워진 기록보다 0.3m 더 높았다.[138] 노스캐롤라이나주 그린빌에서 타르 강은 7.5m로 최고 수위에 도달했다.[139]

폭우와 강풍으로 인해 나무가 쓰러지고 버지니아 비치, 버지니아주, 라고 마에 기록적인 홍수가 발생했다.


허리케인이 버지니아에 상륙했을 때, 매튜로 인해 2명이 사망했다. 최대 109km/h의 강한 돌풍과 280mm 이상의 강우량으로 인해 수백 그루의 나무가 쓰러지고 버지니아 비치 남부 지역에 심각한 도로 침수가 발생했다.[141][142][115]

미국 주별 사망자 및 피해
사망자피해참고
플로리다1227억 7천만 달러[107]
조지아39천만 달러[108]
노스캐롤라이나2616억 달러[109]
사우스캐롤라이나42억 4960만 달러[110]
버지니아25814만 달러[111]



총 47명이 미국에서 사망했는데, 노스캐롤라이나에서 26명, 플로리다에서 12명, 조지아에서 3명, 사우스캐롤라이나에서 4명, 버지니아에서 2명이 사망했다.[112][113][114][115] 국립 환경 정보 센터에 따르면, 매튜로 인한 미국의 피해는 약 100억 달러에 달했다.[116]

콜롬비아에서는 카리브해 연안 지역을 중심으로 최소 18,000여 명이 피해 범위에 들어갔고 1명이 사망했다.[174] 도미니카 공화국에서도 최소 36,500명이 긴급 대피하고 4명이 숨졌다.[174] 쿠바에서는 130만여 명이 대피하고 최소 주택 30채가 홍수 피해를 입었다.[174]

9월 28일 윈드워드 제도를 지나 카리브해로 진입하는 매튜의 수증기 루프


열대 저기압으로 발달하기 전인 9월 27일, LIAT는 악천후를 예상하여 윈드워드 제도 전역의 항공편 운항을 중단했다.[6] 9월 27일과 28일 동안 그레나다,[7] 세인트빈센트, 세인트루시아에서는 학교와 기업이 문을 닫았고, 도미니카의 학교들은 10월 3일까지 휴교했다.[67][68] 세인트루시아의 헤와노라 국제공항과 조지 F. L. 찰스 공항은 9월 28일에 폐쇄되었다.[68] 9월 28일 매튜가 열대 저기압으로 발달하자 윈드워드 제도 전역의 정부는 열대 폭풍 경보를 발령하여 강풍을 대비했다.[8]

|thumb|대앤틸리스 제도바하마에 대한 허리케인 매튜의 예상 강수량 지도.]]

폭풍의 특이한 남쪽 경로로 인해 9월 28일 아루바, 보네르, 퀴라소, 콜롬비아 북부 해안에 열대 폭풍 감시가 발령되었다.[9][10] 남아메리카에 영향을 미치는 북대서양 허리케인은 흔하지 않다. 콜롬비아의 감시는 9월 30일 경보로 격상되었다.[11] ABC 제도 전역의 주민들에게는 가옥을 보드질하고 비축 물품을 준비하라는 권고가 내려졌고, 이로 인해 슈퍼마켓과 주유소에 긴 줄이 늘어섰다.[12] 퀴라소 정부는 2016년 총선을 10월 5일까지 연기했다.[13]

세인트 빈센트에서는 폭우로 인해 산사태와 섬 전역에 걸쳐 홍수가 발생했다. 레이우 마을에서는 바위가 떨어져 한 명이 사망했다.[67] 허미티지 강은 한 시간 만에 1.1m 이상 불어났고, 예방 조치로 중앙 수도 및 하수도 당국은 모든 급수 서비스를 중단했다. 범람한 강에 의해 퇴적된 잔해로 인해 많은 도로가 통행 불가능해졌다.[68]

세인트 루시아에서는 시속 97km를 초과하는 강풍으로 인해 많은 나무와 전선이 쓰러져 섬의 약 70%가 정전되었다. 폭풍을 동반한 254mm 이상의 강우량으로 인한 산사태와 홍수로 인해 많은 주택과 도로가 파손되었다.[67] 헤와노라 국제공항의 강수량은 335mm에 달했다.[69] 이 나라의 바나나 작물은 심각한 피해를 입었다. 농장의 85%가 피해를 보고했다.[70] 도미니카에서도 일부 피해가 보고되어 많은 사람들이 일시적으로 물과 전기를 사용하지 못하게 되었다.[67]

마르티니크에서는 생피에르에서 최고 시속 143km의 강풍이 불어 전력망에 큰 피해를 입혔고, 약 55,000명의 사람들이 정전되었다.[69] 강풍에 쓰러진 수많은 나무들이 도로를 막았고, 폭우로 인해 홍수가 발생했다. 약 4,000명이 급수를 잃었다. 세 명이 경미한 부상을 입었다.[72]

ABC 제도에 접근했음에도 불구하고, 허리케인 매슈의 영향은 비교적 제한적이었다. 아루바와 퀴라소에서 일부 도로 침수가 발생했다. 강풍도 불었다. 도로 침수 후 차량에 손상이 발생했다. 야외 바와 레스토랑이 손상되었다.[12] 콜롬비아의 과히라 반도는 3년 만에 처음으로 폭우가 쏟아져 광범위한 홍수가 발생했다. 우리비아에서 불어난 강물에 한 명이 익사했다;[73] 마을에 30분 동안 833mm의 비가 내렸다.[74] 카르타헤나의 강우량은 24시간 동안 222mm에 달했고 산타 마르타에서는 140mm의 강우량을 기록했다.[75] 반도의 해안 지역을 따라 큰 파도가 건물에 피해를 입혀 마나우레에서 380명의 대피를 유발했다.[76][73] 마그달레나 강이 제방을 범람하면서 투쿠린카의 약 70%가 침수되었고, 인근 다리가 붕괴되어 일부 지역 사회가 고립되었다.[77] 홍수로 약 73,000명이 피해를 입었다.[75]

자메이카는 열대성 폭풍의 특성과 유사하게 비교적 경미한 피해를 입었다. 해안을 따라서는 이안류와 해안 침식이 보고되었으며, 강수량으로 인한 추가적인 홍수도 발생했다. 강한 돌풍은 섬의 식생을 휩쓸어 경미한 피해를 입혔다.

매슈의 온대 저기압 잔해는 노스캐롤라이나 해안에서 전선대에 흡수되었다. 열대성 기후 시스템의 습기는 당시 형성된 폭풍으로 유입되었다. 후자는 10월 10일부터 11일까지 노바스코샤, 프린스에드워드아일랜드, 뉴펀들랜드에 많은 비와 강한 바람을 몰고 왔다.

노바스코샤에서는 동쪽에서 서쪽으로의 강수량이 시드니(케이프브레턴 섬)에서 224.8mm, 포트호크스베리에서 129.2mm, 체티캠프에서 114.4mm, 핼리팩스에서 102.8mm, 켄트빌에서 82.88mm, 야머스에서 49.2mm로 기록되었다.[145] 폭우와 강풍으로 인해 피크투, 앤티고니시, 가이스버러, 케이프브레턴 카운티에서 특히 홍수와 위험한 상황이 발생했다. 핼리팩스 항만 다리와 뉴브런즈윅과 프린스에드워드아일랜드 사이의 연방 대교를 포함하여 여러 도로가 대형 트럭의 통행을 금지했다.[145]

뉴펀들랜드는 중앙, 남부, 서부 지역에서 일반적으로 100~150mm의 강수량을 기록하며 더욱 큰 피해를 입었다. 시간당 10~20mm의 속도로, 심지어 버고에서는 시간당 42mm의 속도로 꾸준한 비가 내렸다. 그 지역의 한 개인 관측소에서는 총 234.4mm를 기록했고, 갠더 국제공항의 공식 관측소에서는 163.8mm를 기록했다.[146]3. 1. 아이티 허리케인 매슈는 10월 4일 시속 230km의 강풍을 동반하며 아이티에 상륙하여 건물이 무너지고 도심 곳곳이 물에 잠기는 등 초토화시켰다.[171] 서부 대부분 지역에서는 전기, 수도, 전화가 끊겨 마비 상태가 되었다. 공식 집계된 사망자 수는 300여 명이었으나,[172] 로이터 통신은 877명이 숨졌으며, 시신이 추가로 발견되어 사망자가 더 늘어날 전망이라고 보도했다.[171][172]

유엔은 100만 명 이상이 피해를 입었으며, 이 중 최소 3분의 1이 인도적 지원을 필요로 하는 상황이라고 발표했다.[171] 미국 국제개발처는 항공기로 물자를 공수하고, 미국 해군은 상륙함 메사베르데호를 급파해 해병대원 300명과 CH-53 중무장 헬기, 생수, 의약품 등을 지원했다.[172] 독일 정부도 700만 달러를 지원하기로 했다.[171] 남서부 아이티 지역에서는 수자원 및 위생시설 파괴로 콜레라가 발생해 13명이 사망했다.[173]

당초 예상과 달리 경로가 동쪽으로 이동하면서, 10월 1일 몰 생 니콜라에서 도미니카 공화국 국경까지 아이티 대부분 지역에 허리케인 경보가 발령되었고,[25] 10월 2일 오후까지 국가 전체로 확대되었다.[26] 아이티 정부는 주민들에게 대피를 촉구했지만,[33] 많은 주민들이 이를 거부했다.[32] 전국적으로 1,300개의 대피소가 준비되어 390,000명을 수용할 수 있었고,[34] 10월 4일 오전까지 9,280명이 대피했다.[35]

10월 5일, 선거 임시 위원회는 대통령 선거 등을 11월 20일까지 연기했다.[36]

10월 2일, 거대한 너울이 일 아 바슈에 도달해 89명이 대피했고,[81] 10월 3일에는 어부 2명이 실종되어 1명이 숨진 채 발견되었다.[82] 포르 살뤼에서는 나무가 쓰러져 1명이 사망했고, 26세 남성이 급류에서 아이를 구하려다 익사했다.[83]

1964년 허리케인 클레오 이후 아이티에 직접적인 영향을 미친 가장 강력한 폭풍이었던 매슈는 레 카예의 앙투안 시몽 공항에서 순간 최대 풍속 를 기록했다.[84] 그랑드앙스의 주요 교량이 붕괴되고, 제레미의 80%가 피해를 입는 등[85] 통신 두절과 도로 파괴로 수만 명이 고립되었다.

공식 사망자 수는 546명이었지만,[2] 지방 정부는 1,000명을 넘을 것으로 추정했다.[87][88][89][90][91] 국가 민방위국에 따르면 10월 14일 기준 사망자 546명, 실종자 128명, 부상자 439명이었다.[92][96][93] 피해액은 처음에는 1,240억 구르드 (19억 미국 달러)로 추산되었으나,[2][94] 나중에 최대 28억 달러로 조사되었다.[95] 약 210만 명이 영향을 받았고, 140만 명이 지원을 필요로 했으며, 175,000명이 집을 잃었다.[96]

3. 2. 쿠바

쿠바 기상청은 10월 1일, 카마구에이, 라스 투나스, 그란마, 올긴, 산티아고 데 쿠바, 관타나모를 포함한 쿠바 남동부 전역에 대해 허리케인 경보를 발령했다.[16] 이는 10월 2일 카마구에이를 제외한 모든 주에 대해 경고로 격상되었다.[26] 관타나모 만 해군 기지의 비필수 인력은 그날 대피를 시작했다.[27] 쿠바 전역에서 100만 명 이상이 대피를 시작했으며, 산티아고 데 쿠바에서 25만 2천 명, 라스 투나스에서 23만 명이 대피했고, 해안가에 있는 사람들에게 우선순위가 주어졌다.[39][40] 2012년 허리케인 샌디로 인해 막대한 피해를 입었던 산티아고 데 쿠바에서는 218개의 대피소가 개방되었고, 당국은 소카파, 카라콜레스, 카요 그란마에 특별한 주의를 기울였다.[39] 응급 인력, 주로 의사들이 위험 지역에 파견되었고, 물품이 비축되었다.[40]

시에라 마에스트라를 따라 위치한 3개의 마을에 10월 2일부터 해안 홍수가 시작되었다.[39] 허리케인 매튜는 10월 4일 저녁, 카테고리 4등급으로 쿠바의 가장 동쪽 지방을 강타하여 엄청난 피해를 입혔다. 해안 도시인 바라코아는 강풍과 폭풍 해일로 광범위한 피해를 입었으며, 폭풍 해일로 인해 수많은 건물들이 파괴되었다.[100] 피해의 심각성에도 불구하고, 이 도시에서는 사망자가 보고되지 않았다. 폭풍 중에는 마자야라의 통신탑이 붕괴되었고, 토아 강을 가로지르는 다리가 파괴되어 여러 지역 사회가 고립되었다.[101] 쿠바의 피해는 25억 8천만 미국 달러에 달했으며, 대부분은 관타나모 주에서 발생했다.[102] 쿠바에서는 130만 여명이 대피하고 최소 주택 30채가 홍수 피해를 입었다.[174]

약 2개월 후인 11월 22일, 허리케인 매튜로 손상된 모아 시의 지방 자치 단체 다리가 붕괴되어 캐나다 광산 회사인 셰리트 인터내셔널(Sherritt International)의 직원 4명이 사망했다. 이 직원들은 모아와 광산 현장 사이의 접근을 복구하기 위해 수리를 진행하고 있었다.[103]

3. 3. 도미니카 공화국

도미니카 공화국에서는 허리케인 매슈로 인해 상당한 강우량과 해안 홍수가 발생했다.[97] 10월 3일 오후까지 카보 로호의 자동 기상 관측소에서는 214mm의 강수량이 기록되었다.[97] 최소 36,500명이 긴급 대피하고 4명이 숨졌으며[174], 주택 붕괴로 인한 사망자도 발생했다.[98] 10월 2일 아침에는 바라오나 서쪽에서 아이티 국경까지의 남부 해안에 열대성 폭풍 경보가, 푸에르토 플라타 서쪽에서 아이티 국경까지의 북부 해안에 열대성 폭풍 주의보가 발령되었다.[37] 10월 3일 아침까지 남서부 지역에서 최소 8,500명이 대피했다.[38] 홍수로 인한 피해는 약 200억 도미니카 페소(4억 3,400만 달러)에 달했다.[99]

3. 4. 바하마

6일 오후에는 바하마 제도에 상륙하여 남부와 동부 해안가를 중심으로 홍수가 발생하고 주택가 지붕이 강풍에 날아가기도 했다.[174]

바하마 정부는 10월 2일 남동부 섬들과 터크스 케이커스 제도에 대해 허리케인 경보를 발령하기 시작했다.[26] 남부 섬들의 항공편은 취소되었고, 다음 날부터 학교 운영이 중단되었다.[41] 그랜드 바하마는 매슈의 눈벽에 직접적인 피해를 입어 광범위한 피해를 입었다. 에이트 마일 록과 홈스 록의 가구 중 약 95%가 심각한 피해를 입었다.[104] 폭풍의 강풍으로 수많은 나무와 전선이 쓰러져 도로가 통행 불가능해졌다. 폭풍의 후면으로 인한 홍수는 섬 서쪽 절반에 큰 영향을 미쳤다.[104] 바하마에서 매슈로 인한 총 손실은 약 5억 8천만 달러로 추산된다.[105][106]

3. 5. 미국

미국 동남부 지역에 상륙한 매슈로 인해 43명이 숨지고 수백만 명이 대피하였다.[175][176][177] 10월 3일, 플로리다와 노스캐롤라이나 주지사는 비상사태를 선포했다.[42][43] 다음날, 사우스캐롤라이나 주지사 Nikki Haley는 해안에서 160km 이내에 거주하는 주민들에게 대피 명령을 내렸다.[44] 사우스캐롤라이나주 26번 고속도로 동쪽 방향은 차선 역전되어 사우스캐롤라이나 로우컨트리와 찰스턴 지역에서 멀리 이동할 수 있도록 했다.[45] 케이프 루컷 국립 해안 대피도 이날 시작되었다.[46] Pat McCrory 노스캐롤라이나 주지사는 대피를 의무화하는 명령을 내렸다.[47] 조지아주 동부 13개 카운티에도 비상사태가 선포되었다.[47]

10월 5일, 포트 카나베럴은 2004년 이후 처음으로 미국 해안 경비대에 의해 폐쇄되었다.[48] 케이프 카나베럴 공군 기지에서는 미국 공군의 45 우주 비행단이 10월 4일에 중요하지 않은 시설의 전원 연결을 끊기 시작했다.[49] 케네디 우주 센터는 10월 5일에 시설 준비를 시작했다.[50] Walt Disney World Resort는 45년 역사상 네 번째로 폐쇄되었다.[51] 유니버설 올랜도 리조트와 씨월드 올랜도를 포함한 다른 올랜도 지역 테마파크도 폐쇄되었다.[52]

Southeastern Conference 풋볼 경기, LSU와 플로리다의 경기는 10월 8일 게인스빌에서 취소되었으며, 조지아와 사우스캐롤라이나의 경기는 10월 8일 컬럼비아에서 10월 9일로 연기되었다. 샬롯 모터 스피드웨이에서 NASCAR 경기가 취소되었으며, Xfinity Series와 스프린트 컵 시리즈 경기는 모두 10월 9일로 연기되었다.[53][54]

10월 6일, 미국 대통령 Barack Obama는 플로리다에 연방 비상사태를 선포했으며,[55] 이후 조지아와 사우스캐롤라이나까지 확대되었다.[56] 플로리다 주지사 Rick Scott는 150만 명 이상의 사람들에게 대피를 촉구했으며,[57] 허리케인 매튜는 그날 저녁 상륙할 것으로 예상되었다.[58] 같은 날, 조지아 주지사 Nathan Deal은 95번 고속도로 동쪽의 모든 지역에 의무적인 대피령을 내렸으며, 조지아 공공 안전부는 다음 날까지 16번 고속도로의 동쪽 차선을 역전시켰다.[60][61]

매튜가 플로리다 해안과 평행하게 이동하면서 플로리다주 전역에서 100만 명 이상의 사람들이 정전 피해를 입었다.[118] 플로리다주 잭슨빌에서는 주요 모래 언덕이 파괴되고 세인트존스강이 범람했다. 또한 많은 재산이 파괴되었고 거의 25만 명의 전기 고객에게 전력 공급이 중단되었다.[119]

사우스캐롤라이나 전역에서 최소 60만 명이 정전을 겪었으며, 방파제가 붕괴된 후 찰스턴에서 심각한 홍수가 발생했다고 보고되었다.[129] 와카모 강은 사우스캐롤라이나주 컨웨이에서 5.5m로 최고 수위에 도달하여 1928년 오키초비 허리케인에 의해 세워진 기록을 깼다. 리틀 피 디 강은 사우스캐롤라이나주 갤리반츠 페리에서 5.2m로 기록적인 최고 수위에 도달하여 또한 1928년 기록을 깼다.[130]

노스캐롤라이나 전역에서 폭풍 관련 사고로 26명이 사망했다.[109] 허리케인 홍수로 인해 사우스캐롤라이나주와 노스캐롤라이나주의 I-95 구간이 폐쇄되어야 했다.[132] 럼버 강은 노스캐롤라이나주 럼버턴 남쪽 끝에서 기록적인 7.3m에 도달하여 6.2m의 기록을 깼다.[135] 노스캐롤라이나주 스미스필드에서 뉴스 강은 8.9m로 최고 수위에 도달하여 허리케인 프랜 이후보다 0.6m 더 높았다.[137] 노스캐롤라이나주 킨스턴에서 뉴스는 8.6m로 최고 수위에 도달하여 허리케인 플로이드에 의해 세워진 기록보다 0.3m 더 높았다.[138] 노스캐롤라이나주 그린빌에서 타르 강은 7.5m로 최고 수위에 도달했다.[139]

허리케인이 버지니아에 상륙했을 때, 매튜로 인해 2명이 사망했다. 최대 109km/h의 강한 돌풍과 280mm 이상의 강우량으로 인해 수백 그루의 나무가 쓰러지고 버지니아 비치 남부 지역에 심각한 도로 침수가 발생했다.[141][142][115]

미국 주별 사망자 및 피해
사망자피해참고
플로리다1227억 7천만 달러[107]
조지아39천만 달러[108]
노스캐롤라이나2616억 달러[109]
사우스캐롤라이나42억 4960만 달러[110]
버지니아25814만 달러[111]



총 47명이 미국에서 사망했는데, 노스캐롤라이나에서 26명, 플로리다에서 12명, 조지아에서 3명, 사우스캐롤라이나에서 4명, 버지니아에서 2명이 사망했다.[112][113][114][115] 국립 환경 정보 센터에 따르면, 매튜로 인한 미국의 피해는 약 100억 달러에 달했다.[116]

3. 6. 기타 카리브해 국가

콜롬비아에서는 카리브해 연안 지역을 중심으로 최소 18,000여 명이 피해 범위에 들어갔고 1명이 사망했다.[174] 도미니카 공화국에서도 최소 36,500명이 긴급 대피하고 4명이 숨졌다.[174] 쿠바에서는 130만여 명이 대피하고 최소 주택 30채가 홍수 피해를 입었다.[174]

열대 저기압으로 발달하기 전인 9월 27일, LIAT는 악천후를 예상하여 윈드워드 제도 전역의 항공편 운항을 중단했다.[6] 9월 27일과 28일 동안 그레나다,[7] 세인트빈센트, 세인트루시아에서는 학교와 기업이 문을 닫았고, 도미니카의 학교들은 10월 3일까지 휴교했다.[67][68] 세인트루시아의 헤와노라 국제공항과 조지 F. L. 찰스 공항은 9월 28일에 폐쇄되었다.[68] 9월 28일 매튜가 열대 저기압으로 발달하자 윈드워드 제도 전역의 정부는 열대 폭풍 경보를 발령하여 강풍을 대비했다.[8]

|thumb|대앤틸리스 제도바하마에 대한 허리케인 매튜의 예상 강수량 지도.]]

폭풍의 특이한 남쪽 경로로 인해 9월 28일 아루바, 보네르, 퀴라소, 콜롬비아 북부 해안에 열대 폭풍 감시가 발령되었다.[9][10] 남아메리카에 영향을 미치는 북대서양 허리케인은 흔하지 않다. 콜롬비아의 감시는 9월 30일 경보로 격상되었다.[11] ABC 제도 전역의 주민들에게는 가옥을 보드질하고 비축 물품을 준비하라는 권고가 내려졌고, 이로 인해 슈퍼마켓과 주유소에 긴 줄이 늘어섰다.[12] 퀴라소 정부는 2016년 총선을 10월 5일까지 연기했다.[13]

세인트 빈센트에서는 폭우로 인해 산사태와 섬 전역에 걸쳐 홍수가 발생했다. 레이우 마을에서는 바위가 떨어져 한 명이 사망했다.[67] 허미티지 강은 한 시간 만에 1.1m 이상 불어났고, 예방 조치로 중앙 수도 및 하수도 당국은 모든 급수 서비스를 중단했다. 범람한 강에 의해 퇴적된 잔해로 인해 많은 도로가 통행 불가능해졌다.[68]

세인트 루시아에서는 시속 97km를 초과하는 강풍으로 인해 많은 나무와 전선이 쓰러져 섬의 약 70%가 정전되었다. 폭풍을 동반한 254mm 이상의 강우량으로 인한 산사태와 홍수로 인해 많은 주택과 도로가 파손되었다.[67] 헤와노라 국제공항의 강수량은 335mm에 달했다.[69] 이 나라의 바나나 작물은 심각한 피해를 입었다. 농장의 85%가 피해를 보고했다.[70] 도미니카에서도 일부 피해가 보고되어 많은 사람들이 일시적으로 물과 전기를 사용하지 못하게 되었다.[67]

마르티니크에서는 생피에르에서 최고 시속 143km의 강풍이 불어 전력망에 큰 피해를 입혔고, 약 55,000명의 사람들이 정전되었다.[69] 강풍에 쓰러진 수많은 나무들이 도로를 막았고, 폭우로 인해 홍수가 발생했다. 약 4,000명이 급수를 잃었다. 세 명이 경미한 부상을 입었다.[72]

ABC 제도에 접근했음에도 불구하고, 허리케인 매슈의 영향은 비교적 제한적이었다. 아루바와 퀴라소에서 일부 도로 침수가 발생했다. 강풍도 불었다. 도로 침수 후 차량에 손상이 발생했다. 야외 바와 레스토랑이 손상되었다.[12] 콜롬비아의 과히라 반도는 3년 만에 처음으로 폭우가 쏟아져 광범위한 홍수가 발생했다. 우리비아에서 불어난 강물에 한 명이 익사했다;[73] 마을에 30분 동안 833mm의 비가 내렸다.[74] 카르타헤나의 강우량은 24시간 동안 222mm에 달했고 산타 마르타에서는 140mm의 강우량을 기록했다.[75] 반도의 해안 지역을 따라 큰 파도가 건물에 피해를 입혀 마나우레에서 380명의 대피를 유발했다.[76][73] 마그달레나 강이 제방을 범람하면서 투쿠린카의 약 70%가 침수되었고, 인근 다리가 붕괴되어 일부 지역 사회가 고립되었다.[77] 홍수로 약 73,000명이 피해를 입었다.[75]

자메이카는 열대성 폭풍의 특성과 유사하게 비교적 경미한 피해를 입었다. 해안을 따라서는 이안류와 해안 침식이 보고되었으며, 강수량으로 인한 추가적인 홍수도 발생했다. 강한 돌풍은 섬의 식생을 휩쓸어 경미한 피해를 입혔다.

4. 국제사회의 지원

제24 해병 원정대에 배속된 CH-53E 씨 스탤리온 헬리콥터가 강습 수송 도크 의 비행 갑판에 착륙하고 있다. 허리케인 매슈에 대응하여 아이티의 인도적 지원 및 재난 구호 노력을 지원하기 위해 준비 중이다.


마르티니크에서는 프랑스 전력 공사(Électricité de France)가 전력 복구를 돕기 위해 과들루프와 프랑스령 기아나에 추가 인력을 요청했다. 군대와 안틸레스 프랑스군(Forces françaises aux Antilles) 병력이 도로의 잔해를 치우는 데 투입되었다.[72] 세인트루시아 적십자사는 폭풍의 영향을 받은 270명에게 비식량 물품을 배포했다.[150]

10월 4일, 미국은 2010년 아이티 지진 피해자 수천 명을 지원했던 병원선과 수송 도크, 항공모함을 아이티 구호 작전을 위해 준비했다.[151] 나중에 제24 해병 원정대와 함께 다른 함정으로 교체되었다. 미국 남부 사령부는 구호 작업을 준비하기 위해 9대의 헬리콥터와 함께 100명의 병력을 케이맨 제도에 배치했다.[151] 초기 추산에 따르면 최소 35만 명이 지원을 필요로 했다.[86]

남부와 포르토프랭스를 잇는 다리가 파괴되면서 구호 단체들은 아이티에서 가장 피해가 심하고 폭풍의 영향을 받은 지역으로 이동하는 데 어려움을 겪었다.[152]

카리브해 주둔 미국군 사령관은 합동 작전 사령부-브라보의 병력과 헬리콥터 6대가 피해를 입은 아이티에 배치되어 10월 6일에 도착할 것으로 예상된다고 보고했다.[153] 이들은 수색 및 구조 임무와 의료 지원을 돕기 위해 투입될 예정이며, 해군 준장 1명이 작전에 참여하는 태스크 포스를 이끌기 위해 파견될 것이다. 300명 이상의 군인이 아이티로 이동할 것이며, 미국에서 파견된 구호 선박에는 300명의 해병대가 탑승할 것이다.[153]

다음은 피해 복구를 돕기 위해 아이티에 파견된 여러 구호 단체들이다:[154]
세계 식량 계획은 쿠바 정부와 협력하여 동부 지역의 약 18만 명의 식량 지원을 조율했다. 이 작전은 6개월 동안 진행되며 400만 미국 달러가 소요될 예정이다.[158]

유럽 연합(EU) 카리브 투자 시설과 유럽 투자 은행에서 제공하는 5천만 유로의 대출은 주택 재건은 물론, 도로, 교량, 도시 기반 시설 등 손실된 기타 필수 기반 시설 복구 자금으로 사용될 것이다. 기후 변화 적응력은 더 높은 기준에 맞춰 건설된 기반 시설, 홍수 예방, 토지 활용 개선을 통해 향상될 것이다. 경제적으로 더 취약한 사람들에게 우선순위를 부여하여 약 4,000명에서 5,000명의 사람들을 위해 약 1,000채의 새로운 주택이 건설될 것이다.[159][160]

노스캐롤라이나 주 방위군이 노스캐롤라이나주 페이엣빌에서 수해 구조 작업을 돕고 있다.


조지아 주에서는 주지사가 이전에 발령했던 대피령을 철회한 후, 대피를 선택하지 않은 사람들을 위해 그들의 생명을 위험에 빠뜨릴 수 없다고 강조했다. 이후 주 방위군 1,000명이 지원을 위해 배치되었다.[161]

노스캐롤라이나 주에서는 10월 9일 아침까지 보트 구조대에 의해 약 900명이 구조되었다.[162] 2017년 4월, 노스캐롤라이나 주지사 로이 쿠퍼는 9억 2900만 달러의 연방 자금 지원을 요청했다. 다음 달, 트럼프 행정부는 이 요청의 99% 이상을 거부하고 주에 610만 달러만 지원했다.[163]

4. 1. 미국



조지아 주에서는 주지사가 이전에 발령했던 대피령을 철회한 후, 대피를 선택하지 않은 사람들을 위해 그들의 생명을 위험에 빠뜨릴 수 없다고 강조했다. 이후 주 방위군 1,000명이 지원을 위해 배치되었다.[161]

노스캐롤라이나 주에서는 10월 9일 아침까지 보트 구조대에 의해 약 900명이 구조되었다.[162] 2017년 4월, 노스캐롤라이나 주지사 로이 쿠퍼는 9억 2900만 달러의 연방 자금 지원을 요청했다. 다음 달, 트럼프 행정부는 이 요청의 99% 이상을 거부하고 주에 610만 달러만 지원했다.[163]

4. 2. 유엔

10월 4일, 미국은 2010년 아이티 지진 피해자 수천 명을 지원했던 병원선 과 수송 도크, 항공모함을 아이티 구호 작전을 위해 준비했다.[151] 와 은 제24 해병 원정대와 함께 에 의해 교체되었다. 미국 남부 사령부는 구호 작업을 준비하기 위해 9대의 헬리콥터와 함께 100명의 병력을 케이맨 제도에 배치했다.[151] 최소 35만 명이 지원을 필요로 했다.[86]

남부와 포르토프랭스를 잇는 다리가 파괴되면서 구호 단체들은 아이티에서 가장 피해가 심하고 폭풍의 영향을 받은 지역으로 이동하는 데 어려움을 겪었다.[152]

카리브해 주둔 미국군 사령관은 합동 작전 사령부-브라보의 병력과 헬리콥터 6대가 피해를 입은 아이티에 배치되어 10월 6일에 도착할 것으로 예상된다고 보고했다.[153] 이들은 수색 및 구조 임무와 의료 지원을 돕기 위해 투입될 예정이며, 해군 준장 1명이 작전에 참여하는 태스크 포스를 이끌기 위해 파견될 것이다. 300명 이상의 군인이 아이티로 이동할 것이며, 미국에서 파견된 구호 선박에는 300명의 해병대가 탑승할 것이다.[153]

액션 에이드는 5만 명 이상이 깨끗한 물과 쉼터를 즉시 필요로 한다고 보고했다.[154] 월드 네이션은 헬리콥터를 파견했으며, 어린 아이들과 식량에 대한 어려움과 우려를 보고했다. 이들은 5만 명 이상에게 물과 위생 시설을 제공할 것이다.[154] 유엔 세계 식량 계획은 한 달 동안 최대 30만 명을 먹일 수 있는 식량을 마련했으며, 필요한 경우 사용할 수 있도록 34톤이 마이애미에 준비되어 있다.[154] 유니세프는 1만 명을 위해 생명 구조 지원을 제공할 것이며,[154] 유엔 식량 농업 기구는 씨앗을 제공하여 농부들이 사업을 재건하도록 돕겠다고 밝혔다.[154] 미국 국제 개발처는 10월 3일에 자메이카와 아이티에 대한 구호에 40만 달러를 제공할 것이라고 밝혔다.[155] 적십자는 5만 명에게 물, 쉼터, 식량을 제공하기 위해 960만 달러 모금 캠페인을 시작했으며, 다수의 지역 자원 봉사자를 남부로 파견했다.[85][156] 다이렉트 릴리프는 아이티에 대규모 응급 의료 지원 공수 작전을 펼쳤다. 이 단체는 페덱스가 기증한 757기를 사용하여 16.7톤의 의약품과 의료 용품을 운송했다.[157]

4. 3. 유럽 연합

유럽 연합(EU) 카리브 투자 시설과 유럽 투자 은행은 5천만 유로의 대출을 제공했다.[159][160] 이 자금은 주택 재건, 도로, 교량, 도시 기반 시설 등 손실된 필수 기반 시설 복구에 사용될 것이다.[159] 기후 변화 적응력은 더 높은 기준에 맞춰 건설된 기반 시설, 홍수 예방, 토지 활용 개선을 통해 향상될 것이다.[159] 경제적으로 더 취약한 사람들에게 우선순위를 부여하여 약 4,000명에서 5,000명의 사람들을 위해 약 1,000채의 새로운 주택이 건설될 것이다.[159][160]

4. 4. 독일

4. 5. 대한민국

5. 기록

매슈는 길고 파괴적인 여정 동안 여러 기록을 세웠다. 매슈는 위도 13.4도 북위에서 Category 5 허리케인으로 발달했는데, 이는 2004년 이반이 13.7도 북위에서 같은 강도에 도달했던 기록을 깼다.[2] 또한 콜로라도 주립 대학교의 필 클로츠바흐에 따르면, 매튜는 10월 중 4등급 이상의 세력을 가장 오랫동안 유지했는데, 약 5일 동안 지속되었다.[5]

6. 명칭 퇴출

허리케인 매슈는 여러 국가에서 광범위한 피해와 인명 피해를 발생시켜, 2017년 3월 세계 기상 기구에 의해 이름이 퇴출되었으며, 앞으로 대서양 열대 저기압의 이름으로 사용되지 않을 것이다. 이 이름은 2022년 대서양 허리케인 시즌에 "마틴"으로 대체되었다.[164][165]

참조

[1] 웹사이트 Matthew Storm History https://web.archive.[...] The Weather Channel 2016-10-03
[2] 간행물 Tropical Cyclone Report: Hurricane Matthew http://www.nhc.noaa.[...] United States National Hurricane Center 2017-04-03
[3] 간행물 Hurricane Matthew Public Advisory Number 12 http://www.nhc.noaa.[...] National Hurricane Center 2016-09-30
[4] 웹사이트 Hurricane Matthew Records/Notable Facts Recap (through October 8) https://webcms.colos[...] 2016-10-08
[5] 웹사이트 Philip Klotzbach on Twitter https://twitter.com/[...]
[6] 뉴스 Weather disturbance draws nearer to Eastern Caribbean https://web.archive.[...] 2016-09-28
[7] 간행물 Schools Closed on Wednesday 28 September http://nowgrenada.co[...] National Disaster Management Agency 2016-09-28
[8] 간행물 Tropical Storm Matthew Public Advisory Number 1 http://www.nhc.noaa.[...] National Hurricane Center 2016-09-28
[9] 간행물 Tropical Storm Matthew Public Advisory Number 2 http://www.nhc.noaa.[...] National Hurricane Center 2016-09-28
[10] 간행물 Hurricane Matthew Public Advisory Number 6 http://www.nhc.noaa.[...] National Hurricane Center 2016-09-29
[11] 간행물 Hurricane Matthew Public Advisory Number 10 http://www.nhc.noaa.[...] National Hurricane Center 2016-09-30
[12] 뉴스 Edge of Hurricane Matthew whips at Aruba, Bonaire, Curacao https://archive.toda[...] Fredericksburg.com 2016-09-30
[13] 뉴스 Orkaan Matthew op Curaçao lijkt storm in glas water http://nos.nl/artike[...] Nederlandse Omroep Stichting 2016-09-30
[14] 뉴스 Met Service says Jamaica in Hurricane Matthew's cross hairs https://web.archive.[...] 2016-09-30
[15] 간행물 Hurricane Matthew Public Advisory Number 11 http://www.nhc.noaa.[...] National Hurricane Center 2016-09-30
[16] 간행물 Hurricane Matthew Public Advisory Number 15 http://www.nhc.noaa.[...] National Hurricane Center 2016-10-01
[17] 뉴스 "#TrackingMatthew: Trelawny beach closed, shelter managers put on alert" https://web.archive.[...] 2016-10-02
[18] 뉴스 Jamaica braces for Matthew's fury https://web.archive.[...] 2016-10-02
[19] 뉴스 "#TrackingMatthew: JUTC to terminate services at six o'clock" https://web.archive.[...] 2016-10-02
[20] 뉴스 "#TrackingMatthew: JPS might shut down power plants if hurricane severe" https://web.archive.[...] 2016-10-02
[21] 뉴스 "#TrackingMatthew: JDF deploys troops islandwide" https://web.archive.[...] 2016-10-02
[22] 뉴스 "#TrackingMatthew: All Gov't offices, tax offices closed" http://www.jamaicaob[...] 2016-10-03
[23] 뉴스 First taste of Hurricane Matthew leaves city roads flooded https://web.archive.[...] 2016-10-03
[24] 뉴스 Hurricane Matthew may hit Haiti, Jamaica with 25 inches of rain https://www.usatoday[...] 2016-10-03
[25] 간행물 Hurricane Matthew Public Advisory Number 14 http://www.nhc.noaa.[...] National Hurricane Center 2016-10-01
[26] 간행물 Hurricane Matthew Public Advisory Number 17 http://www.nhc.noaa.[...] National Hurricane Center 2016-10-02
[27] 뉴스 Hurricane Matthew: Evacuations in Haiti as powerful storm looms https://www.bbc.com/[...] BBC 2016-10-02
[28] 뉴스 Hurricane Matthew Soaks Colombia, Heads for Jamaica, Haiti https://abcnews.go.c[...] 2016-10-01
[29] 간행물 Hurricane Matthew Intermediate Public Advisory Number 18A http://www.nhc.noaa.[...] National Hurricane Center 2016-10-02
[30] 뉴스 Haïti démunie face à l'arrivée de l'ouragan Matthew http://www.rfi.fr/am[...] Radio France Internationale 2016-10-02
[31] 뉴스 Haiti – Matthew : 55,107 persons in camps in Haiti without protection... http://www.haitilibr[...] 2016-10-02
[32] 뉴스 Haiti – Flash : Matthew the situation this morning http://www.haitilibr[...] 2016-10-03
[33] 뉴스 Matthew : Schools closed on Monday and Tuesday – Address to the Nation of Privert http://www.haitilibr[...] 2016-10-03
[34] 뉴스 Haiti – Flash : Hurricane Matthew en route to Haiti, first effects tonight http://www.haitilibr[...] 2016-10-02
[35] 뉴스 Huracán Mathew toca tierra en Cuba tras dejar muertos por su paso por Haití http://cnnespanol.cn[...] CNN 2016-10-04
[36] 웹사이트 Haiti – FLASH : The elections of October 9 postponed http://www.haitilibr[...] 2016-10-05
[37] 간행물 Hurricane Matthew Intermediate Public Advisory Number 16A http://www.nhc.noaa.[...] National Hurricane Center 2016-10-02
[38] 뉴스 Huracán Matthew deja 1 muerto en Haití y 8 mil 500 evacuados en República Dominicana http://www.rcnradio.[...] RCN Radio 2016-10-03
[39] 뉴스 Primeros daños y evacuados por huracan Matthew en Santiago de Cuba http://www.radiorebe[...] Radio Rebelde 2016-10-02
[40] 뉴스 Cuba inicia evacuación por huracán 'Matthew' http://www.milenio.c[...] 2016-10-02
[41] 뉴스 "#TrackingMatthew: Bahamas preparing for passage of Hurricane Matthew" http://www.jamaicaob[...] 2016-10-03
[42] 뉴스 Gov. Rick Scott Issues State of Emergency For All Counties in Florida Ahead of Hurricane Matthew http://www.nbcmiami.[...] NBC6 2016-10-03
[43] 뉴스 McCrory declares state of emergency as Matthew approaches US http://www.journalno[...] 2016-10-03
[44] 뉴스 1.1 million South Carolinians could be evacuated http://www.greenvill[...] Greenville Online 2016-10-04
[45] 뉴스 I-26 eastbound lane reversal in effect: what you need to know http://abcnews4.com/[...] WCIV 2016-10-05
[46] 뉴스 Cape Lookout National Seashore evacuating ahead of Hurricane Matthew http://www.carolinac[...] 2016-10-04
[47] 뉴스 Gov. Nathan Deal declares state of emergency ahead of Hurricane Matthew http://www.wtoc.com/[...] WTOC 2016-10-04
[48] 뉴스 Port Canaveral closing to ships, business on Wednesday http://www.floridato[...] 2016-10-04
[49] 뉴스 KSC, Cape Canaveral AFS preparing for Hurricane Matthew http://www.floridato[...] 2016-10-04
[50] 뉴스 Hurricane Matthew poses a significant threat to Kennedy Space Center https://arstechnica.[...] 2016-10-04
[51] 뉴스 Hurricane Matthew forces Disney World to close for 4th time ever https://www.usatoday[...]
[52] 웹사이트 Hurricane Matthew – Theme Park Closings and Updates – Attractions Magazine http://attractionsma[...] 2016-10-06
[53] 웹사이트 Rain washes out XFINITY race, all Friday activities at Charlotte http://www.foxsports[...] 2016-10-07
[54] 웹사이트 NASCAR Sprint Cup race at Charlotte postponed until Sunday http://www.foxsports[...] 2016-10-08
[55] 웹사이트 Obama signs Florida emergency declaration to deal with Hurricane Matthew http://www.miamihera[...] 2016-10-06
[56] 뉴스 Hurricane Matthew, now a Category 3 storm, approaches Florida; emergencies declared in three states https://www.washingt[...] 2016-10-06
[57] 뉴스 Hurricane Matthew Approaches Florida; Governor Urges 1.5 Million to Flee https://www.nytimes.[...] 2016-10-06
[58] 뉴스 Florida governor tells residents to 'evacuate, evacuate, evacuate' http://www.nbcnews.c[...]
[59] 뉴스 I almost refused to evacuate before Hurricane Matthew. Here's why I changed my mind. https://www.vox.com/[...] 2016-10-07
[60] 뉴스 Gov. Deal: Savannah, all coastal Georgia east of I-95 under mandatory evacuation http://savannahnow.c[...] 2016-10-06
[61] 뉴스 Contraflow begins on I-16 in Georgia to help motorists evacuate http://www.wjcl.com/[...] WJCL-TV 2016-10-06
[62] 뉴스 Drudge Report's playing down and politicizing of Hurricane Matthew was 'deplorable' https://www.washingt[...] 2016-10-06
[63] 웹사이트 Storm Fizzle? Matthew Looks Ragged! http://www.drudgerep[...] 2016-10-06
[64] 뉴스 Matt Drudge Suggests Government May Be Lying About Hurricane Matthew https://www.npr.org/[...] NPR 2016-10-07
[65] 뉴스 Matt Drudge's Hurricane Theory Takes Conspiracies To A Dangerous Level http://www.huffingto[...] 2016-10-07
[66] 뉴스 Matt Drudge suggests government is "lying" about Hurricane Matthew http://www.cbsnews.c[...] 2016-10-07
[67] 뉴스 One dead as Matthew batters Eastern Caribbean http://www.jamaicaob[...] 2016-09-30
[68] 뉴스 One dead in St Vincent as Matthew rages http://www.nationnew[...] 2016-09-29
[69] 웹사이트 Tropical Storm Matthew Near Hurricane Strength in the Caribbean Sea; Jamaica, Hispañola, Cuba, Bahamas Threats Next Week https://weather.com/[...] The Weather Channel 2016-09-29
[70] 뉴스 Next Steps in Saint Lucia Recovery After Tropical Storm Matthew https://stluciatimes[...] 2016-09-30
[71] 간행물 Update on Water Systems http://nowgrenada.co[...] National Water and Sewerage Authority 2016-09-29
[72] 뉴스 Tempête Matthew en Martinique : 3 blessés et 55.000 personnes sans électricité http://www.lci.fr/fr[...] La Chaîne Info 2016-09-30
[73] 뉴스 'Matthew' coge fuerza en su avance frente a la Costa http://www.elheraldo[...] 2016-10-01
[74] 뉴스 Huracán Matthew se fortalece y aumenta a categoría cuatro http://noticias.cara[...] 2016-09-30
[75] 뉴스 "Matthew" provocó estragos en la Costa http://www.elcolombi[...] 2016-10-03
[76] 뉴스 La Guajira, en alerta roja por huracán Matthew http://www.eltiempo.[...] 2016-09-30
[77] 뉴스 Fuertes inundaciones se registran en zona bananera, Magdalena http://www.elunivers[...] 2016-10-02
[78] 뉴스 Lluvias por coletazo del huracán Matthew afectan el plebiscito en Colombia http://www.lavanguar[...] 2016-10-02
[79] 웹사이트 Caribbean Hurricane Matthew - Fact Sheet #2 {{!}} Fact Sheet https://www.usaid.go[...] 2024-07-18
[80] 웹사이트 Jamaica: Hurricane Matthew - DREF Operation Final Report n° MDRJM004 - Jamaica {{!}} ReliefWeb https://reliefweb.in[...] 2024-07-18
[81] 뉴스 Haiti – FLASH : Matthew, first evacuations in Haiti http://www.haitilibr[...] 2016-10-02
[82] 웹사이트 Hurricane Matthew Kills Two Fishermen in Haiti; They 'Took Risks to Feed Their Families,' Official Says https://weather.com/[...] The Weather Channel 2016-10-03
[83] 뉴스 At least 11 people dead as Hurricane Matthew makes landfall https://www.thestar.[...] 2016-10-04
[84] 뉴스 Hurricane warning in Florida after Matthew strikes Haiti as strongest hurricane in 52 years https://www.washingt[...] 2016-10-04
[85] 뉴스 Hurricane Matthew: Haiti dead reach 800 as south awaits aid https://www.bbc.co.u[...] 2016-10-08
[86] 뉴스 Hurricane Matthew: New images show scale of Haiti destruction https://www.bbc.com/[...] BBC 2016-10-06
[87] 웹사이트 C EDIM Forensic Disaster Analysis Group (FDA) Hurricane Matthew 1 4 October 2016 – Report No. 2 https://www.cedim.de[...] 2016-10-23
[88] 웹사이트 Matthew Kills 1,332 In Haiti, Cholera Spreading In New Outbreak http://hcnn.ht/en/20[...] 2016-10-13
[89] 뉴스 Hurricane Matthew death toll in Haiti hits 1,000 http://news.trust.or[...] 2016-10-10
[90] 트윗 BREAKING: Hurricane Matthew death toll in Haiti rises to 842 – local officials. 2016-10-07
[91] 뉴스 Hurricane Matthew: Haiti in national mourning as aid gears up https://www.bbc.co.u[...] 2016-10-09
[92] 웹사이트 Haiti: Cholera spreads from Hurricane Mathew, death toll reaches 546 https://www.newsghan[...] News Ghana 2016-10-14
[93] 웹사이트 HAITI, Hurricane Matthew Situation Report Number 9 (13 October 2016) https://www.humanita[...] United Nations 2016-10-14
[94] 뉴스 Hurricane Matthew damages in Haiti tally nearly $2 bn http://www.terradail[...] Terra Daily 2016-10-29
[95] 뉴스 After Hurricane Matthew, Many Victims in Haiti Feel Abandoned https://www.govtech.[...] Government Technology State & Local Articles 2017-07-17
[96] 웹사이트 Haiti Hurricane Matthew Situation Report #07 http://reliefweb.int[...] ReliefWeb 2016-10-12
[97] 트윗 Official @onamet automated rain gauge in southwestern Dominican Republic (Cabo Rojo, Pedernales Province) has received 8.43" of rain already 2016-10-03
[98] 뉴스 Hurricane Matthew kills four in Dominican Republic https://tribune.com.[...] The Express Tribune 2016-10-05
[99] 뉴스 Lluvias dejan pérdidas por más de $20 mil millones https://elnacional.c[...] El Nacional 2016-11-24
[100] 뉴스 Hurricane Matthew Destroyed Parts of Baracoa, Cuba, Last Night http://www.miaminewt[...] 2016-10-05
[101] 웹사이트 Baracoa después de Matthew, sin pérdidas humanas http://reliefweb.int[...] ReliefWeb 2016-10-06
[102] 웹사이트 Hurricane Matthew in Cuba causes over 2.5 bln USD in damage http://cubasi.com/cu[...] Xinhua 2016-11-03
[103] 뉴스 Bridge damaged by Hurricane Matthew collapses in Cuba, killing 4 http://bnonews.com/n[...] 2016-11-23
[104] 뉴스 Grand Bahama Suffers Significant Damage As Matthew Roars Through http://www.tribune24[...] 2016-10-07
[105] 뉴스 Bahamas Facing 'Hard Choices' On $710m Storm Woe http://www.tribune24[...] The Tribune 242 2018-04-03
[106] 뉴스 Bahamas Facing $500m Storm Bill Over Next Decade http://www.tribune24[...] 2018-01-19
[107] 웹사이트 "[Florida Event Reports related to Hurricane Matthew]" https://www.ncdc.noa[...] National Centers for Environmental Information 2017-02-27
[108] 뉴스 Hurricane Matthew damages reach $90 million in Georgia http://www.bizjourna[...] 2016-10-21
[109] 뉴스 Road To Recovery Remains Long For Cities Hardest Hit By Hurricane Matthew http://wunc.org/post[...] WUNC 2017-02-24
[110] 웹사이트 "[South Carolina Event Reports related to Hurricane Matthew]" https://www.ncdc.noa[...] National Centers for Environmental Information 2017-02-27
[111] 웹사이트 "[Virginia Event Reports related to Hurricane Matthew]" https://www.ncdc.noa[...] National Centers for Environmental Information 2017-02-27
[112] 뉴스 Hurricane Matthew Death Toll Rises, 'Difficult Days' Ahead, N.C. Governor Says http://www.nbcnews.c[...] 2016-10-08
[113] 웹사이트 McCrory says death toll from Hurricane Matthew rises to 28 http://www.ccenterdi[...] The Associated Press 2016-10-28
[114] 뉴스 Hurricane Matthew death toll rises again in NC as floodwater recedes http://www.newsobser[...] 2016-10-15
[115] 웹사이트 Man found dead in standing water in Hampton http://wavy.com/2016[...] 2016-10-09
[116] 웹사이트 Billion-Dollar Weather and Climate Disasters: Table of Events https://www.ncdc.noa[...] National Centers for Environmental Information 2017-02-27
[117] 뉴스 Hurricane Matthew Recap: Destruction From the Caribbean to the United States https://weather.com/[...] The Weather Company 2016-10-10
[118] 뉴스 Hurricane Matthew Batters Florida Coast; 3 Dead as Over 1 Million Lose Power https://abcnews.go.c[...] 2016-10-07
[119] 웹사이트 Hurricane Matthew is the 'most dangerous storm in living memory' http://metro.co.uk/2[...] 2016-10-08
[120] 뉴스 Firefighters douse Indialantic blaze http://www.floridato[...] 2016-10-07
[121] 뉴스 Hurricane Matthew Avoids Direct Hit on Florida, Continues North https://www.nytimes.[...] 2016-10-07
[122] 뉴스 Hurricane Matthew kills 10 in US, floods Carolinas https://www.bbc.co.u[...] 2016-10-08
[123] 뉴스 Hurricane Matthew washes away parts of A1A in Flagler County http://www.wftv.com/[...] WFTV 2016-10-07
[124] 뉴스 Hurricane Matthew at KSC: Millions in damages http://www.floridato[...] Florida Today 2016-10-12
[125] 뉴스 Hurricane Matthew challenged latest prediction tech http://www.orlandose[...] 2016-10-11
[126] 웹사이트 NASA's GOES-R satellite launch delayed again http://www.orlandose[...] 2020-01-01
[127] 웹사이트 Pegasus launches hurricane-hunting satellites for NASA https://www.usatoday[...] 2018-01-29
[128] 뉴스 A weakening Matthew rakes Atlantic coast; US deaths at 10 https://apnews.com/5[...] 2016-10-08
[129] 뉴스 Weakened Hurricane Matthew Makes Landfall in South Carolina https://www.nytimes.[...] 2016-10-08
[130] 뉴스 1928 hurricane left its mark in Horry County, but then came Matthew http://www.myrtlebea[...] 2016-10-19
[131] 뉴스 As Raleigh recovers from Matthew, power outages could last a week in NC http://wncn.com/2016[...] WNCN 2016-10-09
[132] 뉴스 Dam Breached: Sixty Miles Of I-95 Closed In Matthew's Aftermath http://wunc.org/post[...] WUNC
[133] 뉴스 I-95 reopens in NC; flooding keeps power out in some areas http://www.newsobser[...] 2016-10-17
[134] 뉴스 Misery now, a struggle ahead for Robeson County after flooding from Hurricane Matthew http://www.newsobser[...] 2016-10-15
[135] 뉴스 Flooding death toll climbs to 19 in North Carolina after Hurricane Matthew https://www.washingt[...] 2016-10-12
[136] 뉴스 Death toll from Hurricane Matthew rises to 28 in NC, Gov. Pat McCrory says http://www.journalno[...] 2016-10-27
[137] 뉴스 Record flood waters crest in Johnston County http://www.newsobser[...] 2016-10-10
[138] 뉴스 Neuse River crests in Kinston, flooding could last days http://abc11.com/wea[...] 2016-10-15
[139] 뉴스 Greenville Update: Inspectors preparing to assess damage http://www.witn.com/[...] 2016-10-13
[140] 뉴스 NC Hurricane Matthew damage estimate more than a billion dollars http://www.wyff4.com[...] WYFF 2016-10-16
[141] 뉴스 Ashville Park neighborhood under water https://www.wtkr.com[...] 2020-08-23
[142] 뉴스 Matthew's Heavy Rain Floods Parts of Virginia; Multiple Road Closures Reported https://weather.com/[...] 2016-10-11
[143] 뉴스 NHC: Matthew downgraded to post-tropical cyclone http://www.amny.com/[...] 2016-10-11
[144] 뉴스 MLB playoffs 2016: Hurricane Matthew drenches D.C.; Dodgers-Nationals Game 2 postponed https://www.sporting[...] The Sporting News 2023-03-11
[145] 뉴스 Les Maritimes se relèvent difficilement des inondations et pannes d'électricité http://ici.radio-can[...] 2016-10-11
[146] 뉴스 La tempête cause des dégâts pour au moins 1,5 millions de dollars à T.-N.-L. http://ici.radio-can[...] 2016-10-11
[147] 웹사이트 Newfoudnland-and-Labrador http://climate.weath[...] Environment Canada 2016-10-11
[148] 뉴스 Multiple states of emergency declared as heavy rains batter central Newfoundland http://www.cbc.ca/ne[...] Canadian Broadcasting Corporation 2016-10-11
[149] 뉴스 Thanksgiving storm caused $100M in insured damage https://www.cbc.ca/n[...] CBC News 2016-11-25
[150] 뉴스 Update on recovery effort in the aftermath of Tropical Storm Matthew http://www.stluciane[...] 2016-10-02
[151] 뉴스 Carrier George Washington to deploy for Hurricane Matthew relief https://www.navytime[...] 2016-10-04
[152] 뉴스 Hurricane Matthew: Strongest storm since 2004 nears Florida https://www.bbc.co.u[...] 2016-10-06
[153] 뉴스 Hurricane Matthew Kills At Least 136 in Haiti: 'The Situation Is Catastrophic,' Says Haitian President https://weather.com/[...] 2016-10-06
[154] 뉴스 Hurricane Matthew: at least 136 people killed in Haiti, officials say https://www.theguard[...] 2016-10-06
[155] 뉴스 Hurricane Matthew makes landfall in Cuba after ripping through Haiti https://www.theguard[...] 2016-10-06
[156] 뉴스 Local Red Cross volunteers head south to help with Hurricane Matthew http://www.binghamto[...] 2016-10-08
[157] 웹사이트 Click here to support Direct Relief - Hurricane Matthew Relief by Direct Relief https://www.crowdris[...] 2019-06-21
[158] 뉴스 WFP to provide food assistance in Cuba in the wake of Hurricane Matthew http://reliefweb.int[...] ReliefWeb 2016-10-11
[159] 웹사이트 Taking climate risk out the home equation https://www.eib.org/[...] 2020-08-24
[160] 웹사이트 EIB and the European Union agree USD 70 million support for climate change resilience and adaption in the Dominican Republic https://www.eib.org/[...] 2020-08-24
[161] 뉴스 Matthew Batters Southeast; 6 Dead, Over 1.4 Million Lose Power https://abcnews.go.c[...] 2016-10-08
[162] 뉴스 Hurricane Matthew Toll Climbs to at Least 15 as North Carolina Suffers Record-Breaking Flooding https://www.nytimes.[...] 2016-10-09
[163] 뉴스 99 percent of Hurricane Matthew aid requested by NC denied by Trump administration https://web.archive.[...] WNCN 2017-05-10
[164] 웹사이트 World Meteorological Organization retires storm names Matthew and Otto http://www.noaa.gov/[...] NOAA 2024-04-12
[165] 간행물 National Hurricane Operations Plan https://www.weather.[...] NOAA Office of the Federal Coordinator for Meteorological Services and Supporting Research 2024-04-12
[166] 웹사이트 WMO retires Matthew and Otto from list of hurricane names https://public.wmo.i[...] 2018-04-12
[167] 뉴스 'Extremely Dangerous' Hurricane Matthew strengthens into Cat. 5 storm http://cbs12.com/new[...] 2016-10-01
[168] 뉴스 허리케인 매튜로 아이티에서 264명 사망… 다음 정류장은 플로리다 http://news.kmib.co.[...] 2016-10-07
[169] 뉴스 허리케인 매튜 1급으로 세력 약화…9일 대서양으로 빠져나갈듯 http://www.yonhapnew[...] 2016-10-16
[170] 뉴스 美허리케인 매튜로 최소 19명 사망…곳곳 ‘물바다’ http://news.kbs.co.k[...]
[171] 뉴스 "모든 것이 파괴됐다"…허리케인 '매튜'에 최빈국 아이티 초토화 https://news.naver.c[...] 2016-10-08
[172] 뉴스 美해군, 아이티에 구조인력 급파…"아이티 사망자 842명" https://news.naver.c[...] 2016-10-08
[173] 뉴스 매튜로 초토화된 아이티, 콜레라 2차 재앙 우려…"13명 사망" http://www.yonhapnew[...] 2016-10-09
[174] 뉴스 야구 강속구보다 빠른 허리케인… 美대선 유세 올스톱 https://news.naver.c[...] 2016-10-08
[175] 뉴스 허리케인 '매튜' 아이티 900명 사망, 미국도 피해 속출 http://imnews.imbc.c[...] 2016-10-08
[176] 뉴스 美동남부, 허리케인 매튜 피해로 신음…30명 사망 http://www.newsis.co[...] 2016-10-11
[177] 뉴스 Hurricane Matthew Leaves 43 Dead in the U.S.; Flooding Crisis Continues in North Carolina https://weather.com/[...]



본 사이트는 AI가 위키백과와 뉴스 기사,정부 간행물,학술 논문등을 바탕으로 정보를 가공하여 제공하는 백과사전형 서비스입니다.
모든 문서는 AI에 의해 자동 생성되며, CC BY-SA 4.0 라이선스에 따라 이용할 수 있습니다.
하지만, 위키백과나 뉴스 기사 자체에 오류, 부정확한 정보, 또는 가짜 뉴스가 포함될 수 있으며, AI는 이러한 내용을 완벽하게 걸러내지 못할 수 있습니다.
따라서 제공되는 정보에 일부 오류나 편향이 있을 수 있으므로, 중요한 정보는 반드시 다른 출처를 통해 교차 검증하시기 바랍니다.

문의하기 : help@durumis.com