자나방
"오늘의AI위키"의 AI를 통해 더욱 풍부하고 폭넓은 지식 경험을 누리세요.
1. 개요
자나방은 자나방과에 속하는 나방의 일종으로, 유충인 자벌레의 독특한 이동 방식과 형태가 특징이다. 자벌레는 배다리가 퇴화하여 몸을 움츠렸다 펴면서 이동하며, 주변 환경에 몸 색깔을 맞추거나 나뭇가지처럼 위장하여 포식자를 피한다. 자나방 성충은 가늘고 긴 배와 넓은 날개를 가지고 있으며, 밤에 활동하는 경우가 많다. 일부 종은 농작물에 해를 끼치기도 하며, 진화 생물학 연구의 모델로 활용되기도 한다. 자나방과는 다양한 아과로 분류되며, 계통 분류는 연구에 따라 차이가 있다.
더 읽어볼만한 페이지
- 자나방상과 - 마다가스카르비단제비나방
마다가스카르 섬 고유종인 마다가스카르비단제비나방은 선명한 색상의 날개와 독특한 생김새로 인해 문화적으로 중요한 의미를 지니며, 꼬리 돌기, 깃털 모양의 더듬이, 특정 식물 섭취, 꿀 섭취 등의 특징을 가진 아름다운 나방이지만, 서식지 파괴와 남획으로 멸종 위기에 놓여 보호가 시급하다.
| 자나방 - [생물]에 관한 문서 | |
|---|---|
| 기본 정보 | |
![]() | |
| 과 | 샤크가과 |
| 분류 | |
| 계 | 동물계 |
| 문 | 절지동물문 |
| 강 | 곤충강 |
| 목 | 나비목 |
| 아목 | 선훼아목 |
| 하목 | 이맥류 |
| 미분류 | 난이문류 옵텍토메라류 대시류 |
| 상과 | 샤크가상과 |
| 아과 | |
| 어원 | |
| 그리스어 | (게) (가이아) |
| 그리스어 | (메트론) |
| 기타 | |
| 영어 이름 | Geometrid Moths |
2. 특징
"자나방"이라는 이름은 그리스어 γεωμέτρηςel ("기하학자", "땅 측정자")에서 유래되었으며, 이는 애벌레의 이동 방식에서 비롯되었다.[4] 자나방 애벌레는 다른 애벌레와 달리 배다리가 퇴화하여, 몸의 뒤쪽 끝에 2~3쌍만 가지고 있어, 몸의 양쪽 끝에 있는 다리로 번갈아 가며 이동하는 모습이 마치 자로 재는 듯하여, "루퍼", "스팬웜", "인치웜" 등으로 불린다.[4]
자나방과의 가장 큰 특징은 유충의 배다리가 퇴화하여 자벌레 형태를 띤다는 것이다. 나비목 유충은 기본적으로 제3, 4, 5, 6 복절 및 제10 복절에 총 5쌍의 배다리를 가지지만, 자나방과 유충은 카바자나방아과 등 극히 일부 예외를 제외하고, 뒤쪽 2쌍(제6, 제10 복절의 배다리)을 제외하고 배다리가 퇴화한다. 밤나방과의 일부 등에서도 배다리가 퇴화하는 경향이 있지만, "세미루퍼(semi-looper)"라고 불리며, '''자벌레'''(looper)와 구별된다.
성충의 경우, 복부 기저부 근처에 위치한 "ansa"라는 부위를 가진 특징적인 형태의 고막 기관이 자나방과의 분류 형질이 된다.
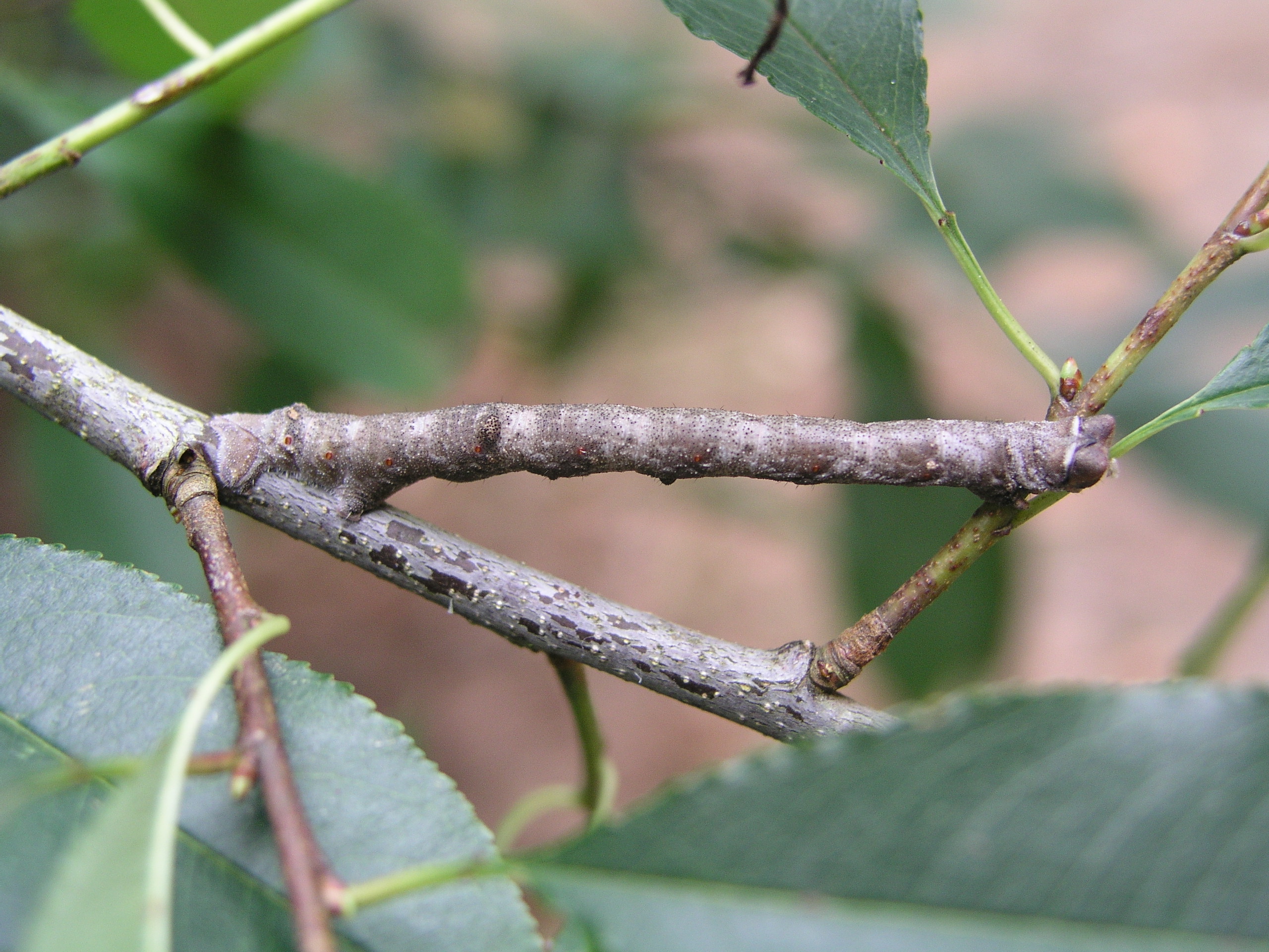
2. 1. 유충 (자벌레)
자나방과 유충은 대부분 배다리가 퇴화하여 앞쪽(가슴다리)과 뒤쪽(배 끝부분)에만 다리가 남아있다. 이러한 신체 구조 때문에 몸을 움츠렸다 펴면서 이동하는 독특한 걸음걸이를 보인다. '자벌레'라는 이름은 이러한 이동 방식이 마치 자로 길이를 재는 모습과 비슷하다고 하여 붙여진 이름이다.[4] 영어로는 'inchworm', 'looper', 'spanworm' 등으로 불리며, 이는 모두 자벌레의 특징적인 이동 방식을 나타내는 말이다.자벌레는 주변 환경과 비슷하게 몸 색깔을 바꾸거나(보호색), 나뭇가지처럼 위장하여 포식자를 피하는 능력이 뛰어나다.[4] 일부 자벌레는 혹이나 실을 가지고 있거나, 식물 재료로 몸을 덮어 위장 효과를 높이기도 한다.[4]
하와이의 ''Eupithecia'' 속 자벌레는 육식성이며, 매복 포식을 하는 것으로 알려져 있다.[4]
2019년에는 발트해 호박에서 4천 4백만 년 전 에오세 시기의 자나방과 애벌레 화석(''Eogeometer vadens'')이 발견되어, 자나방과의 초기 진화 과정을 연구하는 데 중요한 단서를 제공하였다.[5]
2. 2. 성충
대부분의 자나방은 가늘고 긴 배와 넓은 날개를 가지고 있으며, 날개를 편 채로 앉는 습성이 있다. 대부분 밤에 활동하며, 날개에는 복잡한 물결 무늬가 있어 주변 환경과 섞여 위장하는 데 도움을 준다. 수컷의 더듬이는 깃털 모양인 경우가 많다. 복부 기저부에는 'ansa'라고 불리는 특징적인 한 쌍의 고막 기관이 있는데, 이는 날지 못하는 암컷에게는 없다. 겨울자나방이나 가을자나방과 같이 일부 종의 암컷은 날개가 퇴화되어 날지 못한다.크기는 종에 따라 다양하며, 날개 길이는 10mm에서 50mm 정도이지만, ''Dysphania'' 속과 같이 훨씬 큰 종도 있다.

3. 생태
자나방과 유충은 초식성이며, 다양한 식물을 먹는 광식성 종과 단일 종의 식물만을 먹는 단식성 종으로 나뉜다. 자벌레는 정지 자세가 식물의 가지, 잎, 새싹 등과 매우 흡사하여 포식자의 눈을 피한다. (은폐 의태영어) 큰점박이가지나방( Biston betulariala) 유충은 체색을 변화시켜 주변 환경에 맞추는 보호색 능력이 뛰어나다는 연구 결과가 있다.
일부 풀자나방아과 유충은 식물 파편 등을 등에 지고 다녀 위장 효과를 높인다.
유충 시기의 모습과 걷는 방식 때문에 "자나방"이라는 이름으로 불리며, 여러 문화권에서 "inchworm", "arpenteur" 등으로 불린다.
카바나미샤쿠속( Eupitheciala)에는 매복 포식을 하는 파리자나방이 여러 종 알려져 있다. 파리자나방은 하와이 제도에서만 알려져 있으며, 육식성 인시목 중에서도 매우 드문 매복 포식자이다.
4. 인간과의 관계
일부 자나방과 종은 농작물이나 원예 식물을 먹이로 삼기 때문에, 때로는 그것들을 식해하는 해충으로 간주된다. 예를 들어, 국화과나 콩과의 초본에서 장미과나 차나무과의 목본 식물까지 다양한 식물을 섭식하는 As. selenaria|아셀레나리아la는 과수나 차 재배에 해를 끼치는 농업 해충으로 알려져 있다. 북미에 분포하는 Alsophila pometaria|알소필라 포메타리아la는 많은 활엽수의 잎을 갉아먹어 산림 해충으로 알려져 있다. 나기나 개잎갈나무, 나한송을 먹는 M. basalis|기오비에다샤쿠일본어는 일본 규슈 이남 지역에서 개잎갈나무에 큰 피해를 주는 해충으로 취급받고 있다.
자나방 유충은 특이한 모습과 움직임 때문에 여러 가지 관심을 받는다. 유충의 특징적인 걸음걸이는 다양한 언어에서 이름의 유래가 되었다. 중국에서는 예로부터 자나방을 "보굴(步屈)"이나 "척화(尺蠖)"라는 이름으로 불렀으며, 본초서나 경전 등에서 관련 기록을 찾을 수 있다. 이러한 기록 중 일부는 일본에도 전해졌다. 일본에서는 에도 시대 문헌인 대화본초, 화한삼재도회, 훈몽도휘 등에서 "척화"라는 이름을 찾을 수 있다. "가지와 착각하여 자나방에 토병을 걸어 토병을 깨뜨렸다"라는 전설에서 유래한 "토병할(土壜割)", "토병할(土瓶割り)"과 같은 다양한 별명이 계절어로 알려져 있으며, "키를 자나방에게 재이면 죽는다"라는 전승이 전해지는 지방도 있다고 한다.
공업 암화 현상의 모델 생물로 잘 알려진 배나무자나방(B. betularia|베툴라리아la)은 자나방아과에 속한다.
5. 분류
자나방과는 전 세계적으로 매우 다양한 종을 포함하며, 분류 체계는 학자에 따라 다소 차이가 있다. 나비목 중에서 밤나방과(또는 Erebidae 과) 다음으로 두 번째로 큰 과이다. 전 세계에서 24,000종 가까이 알려져 있으며, 신열대구에서 가장 다양하다。일본에서는 900종 가까이 보고되었다。
성충은 가늘고 긴 몸과 폭이 넓은 날개를 가진 종이 많다。 이른바 "겨울자나방" 무리(겨울자나방아과, 큰자나방아과, 가지나방아과의 일부)는 암컷 성충의 날개가 현저하게 퇴화하여, 때로는 날개를 완전히 잃는 종도 있다。 낙엽이나 나무껍질과 같은 수수한 색상의 날개를 가진 종도 많지만, 얼룩가지나방 Dysphania militarisla이나 노란띠자나방 Milionia basalisla처럼 선명한 색상과 반점 날개를 가진 종도 있어 형태가 다양하다. 애벌레는 배다리가 퇴화한다. 자침도 기본적으로 눈에 띄지 않지만, 육질 돌기가 발달하는 종이 알려져 있다。
화석 자나방과 분류군에는 다음이 포함된다.
- †''Eogeometer'' Fischer, Michalski & Hausmann, 2019[5]
- †''Hydriomena? protrita'' Cockerell, 1922 (프리아보니안, 플로리산트 지층, 콜로라도)[9]
- †''Geometridites'' Clark 등, 1971

5. 1. 아과
다음은 자나방과의 아과 목록이다.| 이노우에(1954) | 일반적인 9 아과 | Murillo-Ramos et al.(2019) |
|---|---|---|
| 밤나방아과 | 밤나방아과 Archiearinae영어 | 밤나방아과 Archiearinae영어 |
| 자나방아과 | 자나방아과 Ennominae영어 | 자나방아과 Ennominae영어 |
| 겨울자나방아과 Alsophilinae영어 | ||
| 별불나방아과 | 풍뎅이밤나방아과 Oenochrominae영어 | 풍뎅이밤나방아과 Oenochrominae영어 |
| 가는자나방아과 Desmobathrinae영어 | 가는자나방아과 Desmobathrinae영어 | |
| 별불나방아과 Orthostixinae영어 | ||
| Epidesmiinae 아과 | ||
| 녹자나방아과 | 녹자나방아과 Geometrinae영어 | 녹자나방아과 Geometrinae영어 |
| 좁은자나방아과 | 좁은자나방아과 Sterrhinae영어 | 좁은자나방아과 Sterrhinae영어 |
| 굴뚝나방아과 | 굴뚝나방아과 Larentiinae영어 | 굴뚝나방아과 Larentiinae영어 |
전통적으로 Archiearinae는 자나방 계통 중 가장 오래된 것으로 여겨졌는데, 그들의 애벌레가 잘 발달된 다리를 가지고 있기 때문이다. 그러나 현재는 Larentiinae가 실제로 더 오래된 것으로 보이며, 이는 그들의 많은 형질전환과 DNA 염기서열 데이터에 의해 나타난다.[6][7] 이들은 자나방과의 극도로 기저 계통이거나( Sterrhinae와 함께) 자나방상과의 별도의 과로 간주될 수도 있다. Archiearinae와 관련하여 전통적으로 그곳에 배치되었던 일부 종은 실제로 다른 아과에 속하는 것으로 보이며, 전체적으로 몇몇 경우에서 조상 자나방에서 원래 손실되었던 다리가 atavism으로 다시 진화된 것으로 보인다.[6][7]
- Larentiinae – 약 5,800종, 겨자나방을 포함하며, 대부분 온대 지역에 분포하며, 별개의 과일 수 있다.[6][7]
- Sterrhinae – 약 2,800종, 대부분 열대 지역에 분포하며, Larentiinae와 같은 과에 속할 수 있다.[6][7]
- 자작나무 모카, ''Cyclophora albipunctata''
- 가짜 모카, ''Cyclophora porata''
- 처녀의 홍조, ''Cyclophora punctaria''
- 리본파, ''Idaea aversata''
- 작은 팬 모양 물결, ''Idaea biselata''
- 단일 점 물결, ''Idaea dimidiata''
- 작은 가리비, ''Idaea emarginata''
- ''Idaea filicata''
- 드워프 크림 물결, ''Idaea fuscovenosa''
- 녹슨 물결, ''Idaea inquinata''
- 보라색 가장자리 금색, ''Idaea muricata''
- 밝은 물결, ''Idaea ochrata''
- 최소 카펫, ''Idaea rusticata''
- 작은 먼지 물결, ''Idaea seriata''
- 보라색 막대 노란색, ''Lythria cruentaria'' (이전 Larentiinae에 속함)
- 베스탈, ''Rhodometra sacraria''
- 일반 핑크 막대, ''Rhodostrophia vibicaria''
- 중간 레이스 테두리, ''Scopula decorata''
- 크림 물결, ''Scopula floslactata''
- 작은 혈관, ''Scopula imitaria''
- Lewes 물결, ''Scopula immorata''
- 작은 크림 물결, ''Scopula immutata''
- 멀린 물결, ''Scopula marginepunctata''
- Zachera 나방, ''Chiasmia defixaria''
- 혈관, ''Timandra comae''
- 동부 혈관, ''Timandra griseata''
- Desmobathrinae – 범열대
- Geometrinae – 에메랄드 나방, 약 2,300종의 명명된 종, 대부분 열대
- Archiearinae – 열두 종; 홀극, 남부 안데스 및 태즈메이니아, 후자는 일부가 Ennominae에 속하는 것으로 보이지만,[7] 유충은 모든 다리를 가지고 있지만 대부분 축소되어 있다.
- 어린이, ''Archiearis infans''
- 희귀 어린이, ''Leucobrephos brephoides''
- Oenochrominae – 일부 분류에서 다른 그룹에 배치하기 어려운 속에 대한 "쓰레기통 분류군"으로 사용됨
- Alsophilinae – 몇몇 속, 나무의 잎을 먹는 해충, Ennominae, 족 ''Boarmiini''에 속할 수 있음[7]
- 3월 나방, ''Alsophila aescularia''
- 가을 깍지 벌레, ''Alsophila pometaria''
- Ennominae – 약 9,700종, 일부 잎을 먹는 해충 포함, 전 세계 분포
- †''Eogeometer vadens''[5]
자나방과 속 ''incertae sedis''에는 다음이 포함된다.
- ''Dichromodes''
- ''Homoeoctenia''
- ''Nearcha''
오랫동안 이 과는 6개의 아과로 분류되었으나, 최근에는 9개의 아과로 나누는 경우가 많다. 구 별불나방아과의 분류는 특히 불안정하며, 2019년의 분자 계통 분석에 기반한 연구에서는 신 아과를 포함한 8개의 아과를 인정하고 있지만, 별불나방아과의 지위는 불확실한 채로 남아있다.
5. 2. 기타
과거 자나방과로 분류되었던 자나방나방은 현재 나비(Rhopalocera)로 재분류되었다. ''Pseudobiston pinratanai'' 종은 자나방상과의 Pseudobistonidae 과로 분리되었다.6. 사진

참조
[1]
웹사이트
Family Geometridae - Geometrid Moths
http://bugguide.net/[...]
2009-04-27
[2]
웹사이트
Lepidoptera Barcode of Life
http://www.lepbarcod[...]
2017-07-11
[3]
서적
Geometrid Moths of the World: A Catalogue (Lepidoptera, Geometridae)
CSIRO Publishing
[4]
논문
Bad neighbors: urban habitats increase cankerworm damage to non-host understory plants
https://link.springe[...]
2014-12-01
[5]
논문
Geometrid caterpillar in Eocene Baltic amber (Lepidoptera, Geometridae)
[6]
논문
Systematic position of Lythriini revised: transferred from Larentiinae to Sterrhinae (Lepidoptera, Geometridae)
[7]
논문
Characterisation of the Australian Nacophorini using adult morphology, and phylogeny of the Geometridae based on morphological characters
http://www.mapress.c[...]
[8]
웹사이트
Hemitheini Bruand 1846 - Plazi TreatmentBank
https://treatment.pl[...]
2024-02-04
[9]
논문
A fossil Moth from Florissant, Colorado
https://books.google[...]
본 사이트는 AI가 위키백과와 뉴스 기사,정부 간행물,학술 논문등을 바탕으로 정보를 가공하여 제공하는 백과사전형 서비스입니다.
모든 문서는 AI에 의해 자동 생성되며, CC BY-SA 4.0 라이선스에 따라 이용할 수 있습니다.
하지만, 위키백과나 뉴스 기사 자체에 오류, 부정확한 정보, 또는 가짜 뉴스가 포함될 수 있으며, AI는 이러한 내용을 완벽하게 걸러내지 못할 수 있습니다.
따라서 제공되는 정보에 일부 오류나 편향이 있을 수 있으므로, 중요한 정보는 반드시 다른 출처를 통해 교차 검증하시기 바랍니다.
문의하기 : help@durumis.com
