맨위로가기

태풍 마리아 (2018년)

"오늘의AI위키"는 AI 기술로 일관성 있고 체계적인 최신 지식을 제공하는 혁신 플랫폼입니다.
"오늘의AI위키"의 AI를 통해 더욱 풍부하고 폭넓은 지식 경험을 누리세요.

1. 개요

태풍 마리아 (2018년)는 2018년 7월에 발생하여 괌, 류큐 열도, 대만, 중국 동남부에 영향을 미친 태풍이다. 7월 4일 괌 남동쪽 해상에서 열대폭풍으로 발생하여 서~서북서진하며 급격히 발달, 7월 8일 괌 북서쪽 해상에서 맹렬한 세력의 태풍으로 최성기를 맞았다. 이후 중국 푸젠성에 상륙하여 소멸했으며, 괌에서는 항공기 피해, 류큐 열도에서는 농작물 피해, 대만에서는 폭우와 강풍, 중국 동남부에서는 폭우, 강풍, 정전 등의 피해를 발생시켰다.

더 읽어볼만한 페이지

  • 2018년 태풍 - 태풍 손띤 (2018년)
    2018년 태풍 손띤은 필리핀 북서쪽 해상에서 발생하여 남중국해, 하이난섬을 거쳐 통킹만에서 최성기를 맞이했으나, 베트남 상륙 후 열대저압부로 소멸한 열대 태풍이다.
  • 2018년 태풍 - 태풍 제비 (2018년)
    2018년 태풍 제비는 1993년 태풍 얀시 이후 일본에 상륙한 가장 강력한 태풍으로, 간사이 지방을 중심으로 사회 기반 시설 마비와 인명 및 경제적 손실을 초래하며 대한민국에도 간접적인 영향을 미쳤다.
  • 2018년 7월 - 2018년 FIFA 월드컵 결승전
    2018년 FIFA 월드컵 결승전은 2018년 7월 15일 모스크바 루즈니키 스타디움에서 프랑스와 크로아티아 간에 열려 프랑스가 4-2로 승리, 20년 만에 두 번째 월드컵 우승을 차지했으며 앙투안 그리즈만이 경기 최우수 선수로 선정되었다.
  • 2018년 7월 - 2018년 방글라데시 도로 안전 시위
    2018년 방글라데시 도로 안전 시위는 다카에서 발생한 교통사고로 학생 2명이 사망한 사건을 계기로 시작되어 열악한 도로 안전과 정부의 미흡한 대처에 항의하는 전국적인 학생 시위로, 사회적 불평등과 부조리에 대한 저항으로 확산되어 도로 교통법 개정 등 방글라데시 사회에 큰 영향을 미쳤다.
  • 대만의 태풍 - 태풍 하이옌 (2013년)
    태풍 하이옌 (2013년)은 2013년 11월 필리핀 등지에 막대한 피해를 입힌 강력한 태풍으로, 6,300명 이상의 사망자를 발생시키고 이름이 삭제되었다.
  • 대만의 태풍 - 태풍 사올라 (2012년)
    2012년 7월 말 필리핀 동쪽 해상에서 발생한 태풍 사올라는 타이완과 중국을 거쳐 소멸하면서 필리핀, 타이완, 중국에 막대한 피해를 일으켰고, 대한민국에도 간접적인 영향을 주었다.
태풍 마리아 (2018년)
기본 정보
2018년 7월 8일의 태풍 마리아의 모습
태풍 마리아, 2018년 7월 8일
명칭태풍 마리아 (Gardo)
발생2018년 7월 3일
소멸2018년 7월 12일
영향 지역마리아나 제도
류큐 제도
타이완
중국
시즌2018년 태평양 태풍 시즌
한국 기상청 (KMA) 10분 최대 풍속105 kt ()
일본 기상청 (JMA) 정보
최대 풍속105 노트
최저 기압915 hPa
합동태풍경보센터 (JTWC) 정보
해역서태평양
최대 풍속145 노트
최저 기압910 hPa
피해
사망자2명
피해액6억 3700만 달러

2. 발생 및 경로



7월 4일 오후 9시에 중심기압 1002hPa, 최대풍속 18m/s, 강풍 반경 220km(북동쪽 반경), 크기 '소형'의 열대폭풍으로 미국 남동쪽 약 190km 부근 해상에서 발생하였다.[2] 발생 이후 서~서북서진하면서 급발달해서, 7월 8일 오후 3시에 미국 북서쪽 약 1,020km 부근 해상에서 중심기압 915hPa, 최대풍속 54m/s, 강풍 반경 390km(북동쪽 반경)의 세력 '맹렬한', 크기 '중형'(일본 기상청 태풍정보 속보치 기준)의 태풍으로 최성기를 맞이하였다. 최성기 이후에는 북서~서북서진하면서 일본 오키나와 이시가키섬과 미야코섬 부근 해상을 7월 10일 오후 3시에 중심기압 940hPa, 최대풍속 49m/s의 세력(일본 기상청 태풍정보 속보치 기준)으로 통과하였고, 7월 11일 오전 9시 10분에 중심기압 955hPa, 최대풍속 44m/s의 세력(일본 기상청 태풍정보 속보치 기준)으로 중국 푸젠성 롄장 현황치 반도/黄岐半岛중국어 해안에 상륙하였다.[39] 중국 푸젠성 상륙 이후 계속 서~북서진하며 급약화되어서 7월 12일 오전 3시에 중국 푸저우 서북서쪽 약 470km 부근 육상에서 중심기압 998hPa의 열대저압부로 소멸하였다.[2]

7월 10일 중국 동부에 접근하는 태풍 마리아


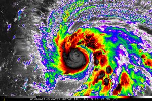
7월 5일 13:30 UTC부터 20:30 UTC까지 급격하게 발달하는 태풍 마리아.

2. 1. 발생 초기



7월 4일 오후 9시에 중심기압 1002hPa, 최대풍속 18m/s, 강풍 반경 220km(북동쪽 반경)의 세력 '소형'의 열대폭풍으로 미국 남동쪽 약 190km 부근 해상에서 발생하였다.[2] 발생 이후 서~서북서진하면서 급격하게 발달하기 시작했다.[7] 7월 3일, 일본 기상청(JMA)은 열대 저기압이 동남쪽 약 500 km 지점에서 00:00 UTC에 형성되었다고 발표했다.[2] 이 시스템은 북쪽에 고기압 지역을 따라 북서쪽으로 이동하며 통합되기 시작했고,[4] 미국에 본부를 둔 합동 태풍 경보 센터(JTWC)는 해당 시스템이 12:00 UTC에 열대 저기압으로 변했다고 판단했다.[5] 30–31 °C의 높은 해수면 온도, 낮거나 보통 수준의 풍속 시어를 포함한 꽤 유리한 환경 조건과 대류권 상층의 풍계가 뇌우 활동의 발달을 도왔고,[6] 이 시스템은 약간 강해졌고 JTWC는 7월 4일 00:00 UTC에 열대 폭풍으로 평가했다.[5] 12시간 후, JMA는 저기압이 열대 폭풍으로 변했고 이 시스템에 ''마리아''라는 이름을 부여했다고 밝혔다.[2]

2. 2. 급격한 발달

7월 4일 오후 9시에 중심기압 1002hPa, 최대풍속 18m/s, 강풍 반경 220km(북동쪽 반경), 크기 '소형'의 열대폭풍으로 미국 남동쪽 약 190km 부근 해상에서 발생하였다.[2] 발생 이후 서~서북서진하면서 급발달해서, 7월 8일 오후 3시에 미국 북서쪽 약 1,020km 부근 해상에서 중심기압 915hPa, 최대풍속 54m/s, 강풍 반경 390km(북동쪽 반경)의 세력 '맹렬한', 크기 '중형'(일본 기상청 태풍정보 속보치 기준)의 태풍으로 최성기를 맞이하였다.[2]

7월 5일, 마리아는 급격한 발달을 시작하여 눈 특징을 발달시켰다.[7] 위성 이미지는 다음 24시간 동안 급격히 개선되어 눈의 직경이 20km로 수축했다. 합동 태풍 경보 센터(JTWC)는 7월 6일 00:00 UTC에 마리아가 최대 지속 풍속 250km/h의 슈퍼 태풍이 되었다고 평가했다.[9][5] 즉시 마리아는 눈벽 교체 주기를 겪기 시작했으며, 마이크로파 위성 이미지는 새로운 눈벽이 발달하여 원래 눈벽을 둘러싸고 있음을 보여주었다.[11] 그러나 일본 기상청(JMA)은 마리아가 12:00 UTC에 풍속 195km/h와 중심 기압 925 hPa(mbar; 27.32 inHg)로 초기 최대 강도에 도달하기 위해 계속해서 강화되었다고 평가했다.[2]

7월 7일, 마리아가 눈벽 교체 주기를 겪으면서 약화되었고, JTWC는 마리아가 슈퍼 태풍 강도 아래로 떨어졌다고 평가했다.[5] 7월 8일, 마리아가 다시 북서쪽으로 가속화하기 시작하고 이 시스템이 00:00 UTC에 슈퍼 태풍 강도를 되찾으면서 더 큰 재강화가 발생했다.[14] JTWC는 7월 8일 12:00 UTC에 마리아가 270km/h의 풍속으로 최대 강도에 도달했으며, 이는 사피어-심슨 등급에서 5등급에 해당한다고 판단했다.[5] 37km 폭의 잘 정의된 눈을 보여주는 이 시스템은 7월 9일까지 인상적인 위성 이미지를 유지했으며,[15] JMA는 마리아가 풍속 195km/h와 최저 기압 915 hPa (mbar; 27.02 inHg)로 최대 강도에 도달했다고 추정했다.[2]

2. 3. 최성기

7월 4일 오후 9시에 미국 남동쪽 약 190km 부근 해상에서 발생한 태풍 마리아는 서~서북서진하면서 급발달했다.[2] 7월 8일 오후 3시에 미국 북서쪽 약 1,020km 부근 해상에서 중심기압 915hPa, 최대풍속 54m/s로 최성기를 맞이하였다.[2] 이는 일본 기상청 태풍정보 속보치 기준으로 세력 '맹렬한', 크기 '중형'에 해당한다. 7월 8일, 마리아가 다시 북서쪽으로 가속화하기 시작하고 이 시스템이 00:00 UTC에 슈퍼 태풍 강도를 되찾았다.[14] JTWC는 7월 8일 12:00 UTC에 마리아가 270 km/h의 풍속으로 최대 강도에 도달했으며, 이는 사피어-심슨 등급에서 5등급에 해당한다고 판단했다.[5] 37 km 폭의 잘 정의된 눈을 보여주는 이 시스템은 7월 9일까지 인상적인 위성 이미지를 유지했으며, JMA는 마리아가 풍속 195 km/h와 최저 기압 915 hPa (mbar; 27.02 inHg)로 최대 강도에 도달했다고 추정했다.[2]

2. 4. 중국 상륙 및 소멸

태풍 마리아는 7월 11일 오전 9시 10분(현지시간)에 중심기압 955hPa, 최대풍속 44m/s의 세력(일본 기상청 태풍정보 속보치 기준)으로 중국 푸젠성 롄장 현 황치 반도 해안에 상륙하였다.[39] 중국 푸젠성 상륙 이후 계속 서~북서진하며 급격히 약화되어, 7월 12일 오전 3시에 중국 푸저우 서북서쪽 약 470km 부근 육상에서 중심기압 998hPa의 열대저압부로 소멸하였다.[5][2]

3. 피해

3. 1. 괌

마리아는 7월 5일 열대 폭풍으로 근처를 지나면서 앤더슨 공군 기지의 다수의 KC-135 항공기에 피해를 입혔다.[19] 공군 기지는 중규모 대류 와류와 이에 포함된 고온 타워의 통과와 관련하여 154 km/h의 비정상적으로 강한 돌풍을 기록했는데, 이들은 열대 저기압의 급격한 강화를 지원하는 특징이다.[20] 섬을 오가는 몇몇 항공편이 취소되었다.[21] 돌풍으로 인해 전선이 끊어지면서 7월 5일 섬 전체에 정전이 발생했고, 현지 기상 레이더가 고장 났다. 섬의 피해는 15만 미국 달러로 추산되었다.[22]

3. 2. 류큐 열도 (일본)

태풍 마리아는 7월 10일에 미야코지마, 오키나와현에 직격했다.[23] 그날 미야코지마의 학교는 휴교했고,[24] 미야코 공항신이시가키 공항을 오가는 항공편은 결항되었다. 미야코지마와 이시가키섬을 주변 섬들과 연결하는 페리 운항은 10일 동안 중단되었다.[25] 사탕수수 작물은 심각한 바람 피해를 입었고, 미야코지마의 일부 농지에서는 작물의 70%까지 피해를 입었다고 보고했다.[26] 오키나와현의 총 피해액은 약 8억 5,370만 엔(미화 약 771만 달러)으로, 이 중 90%가 사탕수수 작물에서 발생했다. 피해를 입은 다른 작물로는 파인애플, 망고, 조, 오크라 등이 있었다. 사회 기반 시설 피해는 제한적으로, 쿠메지마에서 675만 엔(미화 약 6만 1천 달러)에 달했다.[27]

3. 3. 대만

태풍 마리아가 타이완 북쪽을 지나면서 폭우와 강풍이 섬에 영향을 미쳤다.[28][29] 7월 10일에는 직장과 학교가 휴교 및 휴업했으며, 7월 11일에 정상 운영되었다.[28][29] 악천후로 인해 타이완 고속철도의 운행이 중단되었다.[28][29] 임업국은 7월 10일부터 12일까지 14곳의 국립 삼림 휴양림을 폐쇄했다.[30] 신베이시에서 한 남성이 자택을 점검하던 중 균형을 잃고 머리를 다쳐 사망했다.[31] 북부 타이완에서 7명의 남성과 1명의 여성이 떨어진 나뭇가지에 맞아 부상을 입었다.[31][32] 강풍으로 인해 59,485가구가 정전되었지만, 7월 11일까지 대부분 해결되었다.[32] 타이완의 농업 피해는 130만 타이완 달러(미화 42,000 달러)로 평가되었다.[32] 화핑 섬의 일부가 침식되어 섬의 형태가 이전에는 단봉낙타와 같았으나, 현재는 쌍봉낙타처럼 변했다.[33]

3. 4. 중국 동남부

태풍 마리아는 푸젠성에 상륙한 7월 태풍 중 가장 강력한 태풍으로 기록되었으며,[39] 푸젠성, 저장성, 장시성, 후난성에 폭우와 강풍을 동반하여 142만 4천 명에게 영향을 미쳤고, 41억 6천만 중국 위안(미화 약 4억 9800만 달러)의 직접적인 경제적 손실을 초래했다.[38]

7월 11일 푸저우의 민강을 휩쓴 폭풍우


푸저우 대학의 쓰러진 나무들


태풍 접근에 따라 푸젠성저장성 해안 지역에 대피령이 내려졌다. 푸젠성에서는 최소 226,600명,[40] 저장성에서는 약 390,000명이 대피했으며, 이 중 원저우시에서만 270,000명이 대피했다. 두 성에서 어선들은 항구로 복귀했고, 샤먼항에는 851척, 저장성에는 25,000척의 배가 대피했다. 푸젠성의 해상 양식장은 폐쇄되었고, 27,600명 이상의 작업자가 해안으로 돌아왔다. 샤먼과 진먼 간의 페리 운항이 중단되었고, 푸젠성을 오가는 200편 이상의 기차 운행, 저장성을 오가는 206편의 항공편이 취소되었다.[34][35][36] 푸젠성 전역 7,865개 학교가 휴교하고 4,439개 건설 현장 작업이 중단되었다. 푸저우에서는 모든 학교와 공장이 문을 닫았다.[34][35][36] 장시성 당국은 1,100명 이상을 대피시키고 21개 관광 명소를 폐쇄했으며, 푸젠성과 저장성으로 가는 여객 운송 서비스를 중단했다.[37]

저장성 리수이시에서는 313mm의 최고 강수량이 기록되었고, 푸젠성 샤푸현 산샤에서는 59.3m/s의 최대 순간풍속이 관측되었다. 폭풍 해일은 천문학적 고조와 겹쳐 경고 수준을 0.93m 초과하는 조수를 만들었다. 푸젠성 푸딩시 사청 조위 관측소에서는 평균 해수면보다 4.4m 높은 최고 조위가 기록되었다.[38] 푸젠성과 저장성에서 약 37,300 헥타르의 경작지가 피해를 보았고, 이 중 2,500 헥타르가 완전히 파괴되었다. 저장성에서는 약 800명이 구조되었고, 200채의 가옥이 피해를 보았다. 푸젠성에서는 8,800채의 가옥이 피해를 보았고, 300채가 파괴되었다.[39] 광범위한 정전으로 롄장현에서 86,000명 이상, 푸저우에서 240,000명의 고객이 정전을 겪었다. 푸저우 일부 주거 지역은 무릎 높이까지 침수되었고, 경찰 1,623명이 홍수 통제에 투입되었다. 푸젠성의 수자원 인프라는 7,600만 중국 위안(미화 약 1100만 달러)의 피해를 보았다.[40] 2,901개의 기지국이 중단되고 315km의 네트워킹 케이블이 손상되는 등 통신 두절이 발생하여, 당국은 11,000명의 인력을 투입했다.[41] 닝더시에서는 9억 5,900만 중국 위안(미화 약 1억 4300만 달러)의 직접적인 경제적 손실이 발생했다. 최소 40채의 가옥이 붕괴하고 184개 사업체가 문을 닫았으며,[42][40] 약 2,000그루의 나무가 피해를 보았다.[43] 장시성 지안시에서는 24,200명 이상이 피해를 보았고, 1,703 헥타르의 경작지가 손상되었으며, 1,361만 중국 위안(미화 약 203만 달러)의 손실이 발생했다. 지안현에서는 강풍에 쓰러진 나무에 맞아 1명이 사망했다.[44]

4. 대한민국에 미친 영향 (간접 영향)

5. 명칭 및 제명

참조

[1] 웹사이트 DEC alternative conversion factor (LCU per US$) https://data.worldba[...] World Bank 2022
[2] 웹사이트 RSMC Tropical Cyclone Best Track Name 1808 Maria (1808) http://tgftp.nws.noa[...] Japan Meteorological Agency 2018-08-29
[3] 웹사이트 Annual Report on Activities of the RSMC Tokyo – Typhoon Center 2000 http://www.jma.go.jp[...] Japan Meteorological Agency 2001-02
[4] 웹사이트 Prognostic Reasoning for Tropical Depression 10W (Ten) Warning Nr 02 http://tgftp.nws.noa[...] Joint Typhoon Warning Center 2018-07-03
[5] 웹사이트 Western North Pacific Ocean Best Track Data 2018 https://www.metoc.na[...] Joint Typhoon Warning Center 2019
[6] 웹사이트 Prognostic Reasoning for Tropical Depression 10W (Ten) Warning Nr 06 http://tgftp.nws.noa[...] Joint Typhoon Warning Center 2018-07-04
[7] 웹사이트 Prognostic Reasoning for Typhoon 10W (Maria) Warning Nr 11 http://tgftp.nws.noa[...] Joint Typhoon Warning Center 2018-07-05
[8] 웹사이트 Q: What are the description labels used with tropical cyclones by JTWC? https://www.metoc.na[...] Naval Meteorology and Oceanography Command 2015-08-14
[9] 웹사이트 Prognostic Reasoning for Super Typhoon 10W (Maria) Warning Nr 14 http://tgftp.nws.noa[...] Joint Typhoon Warning Center 2018-07-06
[10] 웹사이트 D4) What does "maximum sustained wind" mean ? How does it relate to gusts in tropical cyclones ? http://www.aoml.noaa[...] Atlantic Oceanographic and Meteorological Laboratory 2006-04-21
[11] 웹사이트 Prognostic Reasoning for Super Typhoon 10W (Maria) Warning Nr 15 http://tgftp.nws.noa[...] Joint Typhoon Warning Center 2018-07-06
[12] 웹사이트 Prognostic Reasoning for Typhoon 10W (Maria) Warning Nr 18 http://tgftp.nws.noa[...] Joint Typhoon Warning Center 2018-07-07
[13] 웹사이트 Prognostic Reasoning for Typhoon 10W (Maria) Warning Nr 21 http://tgftp.nws.noa[...] Joint Typhoon Warning Center 2018-07-07
[14] 웹사이트 Prognostic Reasoning for Super Typhoon 10W (Maria) Warning Nr 22 http://tgftp.nws.noa[...] Joint Typhoon Warning Center 2018-07-07
[15] 웹사이트 Prognostic Reasoning for Super Typhoon 10W (Maria) Warning Nr 25 http://tgftp.nws.noa[...] Joint Typhoon Warning Center 2018-07-08
[16] 웹사이트 Prognostic Reasoning for Typhoon 10W (Maria) Warning Nr 29 http://tgftp.nws.noa[...] Joint Typhoon Warning Center 2018-07-09
[17] 뉴스 'Gardo' seen to bring monsoon rains over MIMAROPA, Western Visayas https://www.philstar[...] 2018-07-10
[18] 웹사이트 Prognostic Reasoning for Typhoon 10W (Maria) Warning Nr 33 http://tgftp.nws.noa[...] Joint Typhoon Warning Center 2018-07-10
[19] 웹사이트 Typhoon in Guam damages several KC-135s https://www.defensen[...] Defense News 2018-07-06
[20] 웹사이트 Annual Tropical Cyclone Report 2018 https://www.metoc.na[...] Joint Typhoon Warning Center 2020-02-19
[21] 뉴스 Tropical Storm Maria topples trees, knocks out power https://www.guampdn.[...] 2018-07-05
[22] 웹사이트 Guam Event Reports: Tropical Storm Maria https://www.ncdc.noa[...] National Climatic Data Center 2018
[23] 뉴스 Category 3 Typhoon Maria Batters Miyakojima and Taiwan; China Next https://www.wundergr[...] 2018-07-10
[24] 뉴스 https://www.okinawat[...] 2018-07-10
[25] 뉴스 https://www.news24.j[...] 2018-07-10
[26] 뉴스 http://www.miyakomai[...] 2018-07-19
[27] 뉴스 https://ryukyushimpo[...] 2018-07-12
[28] 뉴스 Typhoon Maria halts work, classes in Taiwan http://www.xinhuanet[...] 2018-07-10
[29] 뉴스 Taiwan Spared Major Damage by Typhoon Maria https://internationa[...] 2018-07-11
[30] 뉴스 14 national forest recreational areas across Taiwan closed during Typhoon Maria reopened https://www.taiwanne[...] 2018-07-12
[31] 뉴스 Fatal fall in New Taipei first reported death from Typhoon Maria in Taiwan https://www.taiwanne[...] 2018-07-11
[32] 뉴스 1 dead, 8 injured from Typhoon Maria in Taiwan https://www.taiwanne[...] 2018-07-11
[33] 뉴스 https://news.ltn.com[...] 2018-08-04
[34] 뉴스 Typhoon Maria makes landfall in east China's Fujian http://www.xinhuanet[...] 2018-07-12
[35] 웹사이트 http://www.gov.cn/xi[...] Government of the People's Republic of China 2018-07-12
[36] 뉴스 http://www.xinhuanet[...] Xinhua 2018-07-11
[37] 뉴스 http://www.xinhuanet[...] Xinhua 2018-07-12
[38] 간행물 Member Report of China http://www.typhoonco[...] ESCAP/WMO Typhoon Committee 2018-11-05
[39] 웹사이트 http://www.ndrcc.org[...] National Disaster Reduction Center of China 2018-07-12
[40] 뉴스 Typhoon Maria inflicts US$82 million in damage on eastern China https://www.scmp.com[...] South China Morning Post 2018-07-12
[41] 웹사이트 http://www.gov.cn/xi[...] Government of the People's Republic of China 2018-07-13
[42] 뉴스 City suffers $143 million economic loss from Typhoon Maria http://www.ecns.cn/n[...] China News Service 2018-07-12
[43] 뉴스 Typhoon Maria wreaks havoc along China's east coast https://www.aljazeer[...] Al Jazeera 2018-07-11
[44] 뉴스 http://jxja.jxnews.c[...] jxja.jxnews.com.cn 2018-07-13
[45] 디지털 태풍 MARIA 2018-08



본 사이트는 AI가 위키백과와 뉴스 기사,정부 간행물,학술 논문등을 바탕으로 정보를 가공하여 제공하는 백과사전형 서비스입니다.
모든 문서는 AI에 의해 자동 생성되며, CC BY-SA 4.0 라이선스에 따라 이용할 수 있습니다.
하지만, 위키백과나 뉴스 기사 자체에 오류, 부정확한 정보, 또는 가짜 뉴스가 포함될 수 있으며, AI는 이러한 내용을 완벽하게 걸러내지 못할 수 있습니다.
따라서 제공되는 정보에 일부 오류나 편향이 있을 수 있으므로, 중요한 정보는 반드시 다른 출처를 통해 교차 검증하시기 바랍니다.

문의하기 : help@durumis.com