태풍 우딥 (2019년)
"오늘의AI위키"의 AI를 통해 더욱 풍부하고 폭넓은 지식 경험을 누리세요.
1. 개요
태풍 우딥 (2019년)은 2019년 2월에 발생하여 괌을 포함한 미크로네시아 연방에 피해를 입힌 태풍이다. 2월에 발생한 태풍 중 가장 강력한 태풍으로 기록되었으며, 2019년 최초의 카테고리 5등급 슈퍼태풍이었다. 괌, 미크로네시아 연방 등에 열대 폭풍 경보가 발령되었고, 괌과 미크로네시아 연방에서 가옥 파손, 정전 등의 피해가 발생했다.
더 읽어볼만한 페이지
- 2019년 괌 - 태풍 하기비스 (2019년)
2019년 10월 초 괌 동쪽 해상에서 발생하여 일본 열도를 강타하고 막대한 피해를 야기한 태풍 하기비스는 당시 가장 강력한 태풍 중 하나였으며, 일본 기상청에 의해 '레이와 원년 동일본 태풍'으로 명명되고 이름이 제명되었다. - 2019년 북마리아나 제도 - 태풍 하기비스 (2019년)
2019년 10월 초 괌 동쪽 해상에서 발생하여 일본 열도를 강타하고 막대한 피해를 야기한 태풍 하기비스는 당시 가장 강력한 태풍 중 하나였으며, 일본 기상청에 의해 '레이와 원년 동일본 태풍'으로 명명되고 이름이 제명되었다.
| 태풍 우딥 (2019년) | |
|---|---|
| 기본 정보 | |
| 이름 | 태풍 우팁 (Betty) |
| 태풍 번호 | 제2호 |
| 국제 번호 | 1902 |
| JTWC 지정 | 03W |
| 카테고리 | 슈퍼 태풍 (cat5) |
| 태풍의 생애 | |
| 발생 | 2019년 2월 18일 |
| 소멸 | 2019년 3월 2일 |
| 활동 기간 | 8일 12시간 (2019년 2월 20일 03:00 ~ 2월 28일 15:00 JST) |
| 세력 | |
| 최저 기압 | 920 hPa |
| 최대 풍속 (JMA) | 105 kt (55m/s) |
| 최대 풍속 (JTWC) | 145 kt |
| 이동 | |
| 이동 속도 | 14.0 km/시 (335 km/일) |
| 이동 거리 | 2855 km |
| 영향 | |
| 영향 지역 | 괌 미크로네시아 연방 북마리아나 제도 캐롤라인 제도 마리아나 제도 |
| 피해 금액 | 330만 달러 이상 |
| 인명 피해 | 보고된 인명 피해 없음 |
| 관련 정보 | |
| 태풍 시즌 | 2019년 태평양 태풍 시즌 |
| 디지털 태풍 | 태풍 201902 (WUTIP) |
| 이미지 | |
![]() | |
![]() | |
2. 발생 및 진로
2019년 2월 중순, 마셜 제도 부근에서 여러 적란운 덩어리가 모여 발생하기 시작했다.[1] 처음에는 혼란스러웠지만, 느리게 움직이는 덩어리가 더 응집된 시스템으로 통합되었다.[1] 2월 16일, 일본 기상청(JMA)은 그 시스템을 서쪽으로 이동하는 저기압(low-pressure area)으로 감지했다.[2] 코스라에 남동쪽에서 무역풍의 강력한 수렴대가 열대 기압골(tropical disturbance) 북쪽에서 산발적인 대기 대류, 즉 뇌우를 발생시켰다.[3] 대류는 시스템의 크고 약한 순환 위로 넓어졌으며, 기압골은 낮은 수직 풍속 시어와 28-29°C의 따뜻한 해수면 온도 영역에 위치했는데, 이는 열대 저기압 형성에 유리한 조건이었다.[4]
2월 18일, 일본 기상청(JMA)은 시스템을 열대 저기압으로 식별했고,[14] 2월 18일 21시에는 코스라에섬 남서쪽 해상에서 열대 저기압 발생.[14] 얼마 지나지 않아 합동 태풍 경보 센터(JTWC)는 2월 19일에 폭풍이 정의된 순환 주위의 강우대를 개선했을 때, 숫자 식별자 ''02W''를 할당했다.[6]
폭풍이 높은 해양 열 함량(OHC)과 유출로부터 발달하면서,[7] 2월 20일, 일본 기상청(JMA)과 합동 태풍 경보 센터(JTWC)는 동시에 새로 발생한 사이클론을 열대폭풍으로 분류하고, '우딥'으로 명명했다.[14][16] 우딥은 10분간 지속되는 풍속 50 km/h을 기록한 후 강력한 열대 폭풍으로 발전했다.[14] 중심 밀집 덮개가 나타나기 시작하면서, JMA는 2월 20일 18:00 UTC에 우딥을 태풍으로 격상했다.[14][8] 2월 20일 3시 - 폰페이섬 남서쪽 해상의 북위 4도 5분, 동경 155도 5분에서 태풍으로 발달.
2월 21일, JMA는 우딥을 강한 열대폭풍으로 격상했고,[14] 이후 태풍으로 세력을 더 강화했다.[14][8] 2월 21일 3시 - 웨노섬 남남서쪽 해상의 북위 5도 7분, 동경 151도 6분에서 강한 세력으로 발달. 북쪽에 있는 아열대 고기압 능선을 따라 서북서쪽으로 이동하면서, 마이크로파 영상에서 눈의 형성이 감지되면서 조직 개선이 분명해졌다. 이러한 점을 근거로, JTWC는 2월 21일 초에 우딥을 태풍으로 격상시켰다.[9]
폭풍은 따뜻한 해수 위에서 계속해서 강하게 강도를 높였고, 강우대는 깊어진 중심부를 향해 조여졌다. 또한 움직임은 풍속 시어의 영향을 완화시켰고,[10] 또한, 고르지 못한 눈이 위성 영상에 나타났다.[11] 매우 콤팩트한 시스템은 2월 22일 내내 눈이 가끔 나타나면서 일반적으로 북서쪽 방향으로 향했다.[12] 해수면 온도가 감소했음에도 불구하고, 낮은 풍속 시어와 우수한 극쪽 유출 채널이 2월 23일에 급격한 강도 증가 기간을 시작했다.
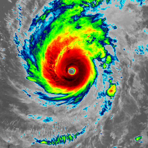
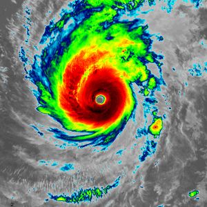
2월 23일, 괌 남서쪽 해상에서 우딥은 콤팩트한 눈벽을 나타냈고,[13] 12:00 UTC에 초기 최대 강도에 도달했다. JMA는 당시 10분간 지속되는 풍속 195 km/h과 최저 기압 920 hPa을 추정했다.[14] JTWC는 운영상 250 km/h의 1분간 지속되는 풍속을 추정하여, 우딥을 슈퍼 태풍으로 재분류했다.[15] 2월 23일 9시 - 매우 강한 세력으로 발달. 2월 23일 21시 - 괌에 접근하면서 중심 기압 920hPa, 최대 풍속 55m/s의 맹렬한 세력으로 발달. 최성기를 맞이함.
2월 25일 06:00 UTC에 우딥은 다시 5등급 상당의 슈퍼 태풍이 되었고, JMA가 평가한 10분간 풍속 185 km/h과 기압 935 hPa, 그리고 JTWC가 평가한 260 km/h의 1분간 풍속으로 이차 최대 강도에 도달했다.[14][16] 2월 25일 9시 - 940hPa까지 약해졌던 태풍이 935hPa, 50m/s로 재발달. 2월 25일 15시 - 1분간 평균 풍속으로 카테고리 5 상당의 세력이 됨. 깊은 대류 고리를 유지했지만, 우딥은 이 강도를 오래 유지하지 못했고,[21] 다음 날에는 슈퍼 태풍 강도 아래로 약화되었다. 구름 상단은 눈이 구름으로 채워지면서 따뜻해졌다.[22]
수직 풍속 시어가 현저하게 증가한 후, 우딥의 구조는 급격히 악화되기 시작했고, 더 이상 눈을 나타내지 않았다.[23] 폭풍은 중립점에서 속도를 줄였고, 편서풍의 남쪽 가장자리에 진입하면서, 더 높은 수준의 불리한 풍속 시어에 직면했다.[24] 폭풍 서쪽에 위치한 상층 기압골 또한 풍속 시어를 강화하여, 강력한 유출에도 불구하고 대류를 더욱 방해했다.[25] 2월 27일 12시경, 우딥은 다시 강한 열대 폭풍으로 약화되었다.[14] 대류는 나중에 현저하게 감소했고, JTWC는 우딥을 열대 폭풍 상태로 강등시켰다.[26] 우딥이 서북서쪽으로 방향을 틀면서, 깊은 대류가 폭풍에서 분리되어 소멸되었고, 추가적인 발달을 막았다.[27] 2월 28일까지, 풍속 시어는 잘 조직된 순환을 완전히 노출시켰다.[28]
2월 28일 15시, 괌 서북서쪽 해상에서 열대저압부로 약화되어 소멸했다.[14][16] 소멸 직후 필리핀 책임 구역의 135°E 경계를 넘어 필리핀 기상청(PAGASA)으로부터 현지 이름 '베티(Betty)'를 부여받았다.[29] 합동 태풍 경보 센터(JTWC)는 우딥에 대한 경보를 중단했고,[30] 일본 기상청(JMA)는 3월 2일 필리핀 동쪽 부근에서 소멸될 때까지 저기압을 계속 감시했다.[14] 3월 2일 21시 - 열대 저기압 소멸.
2. 1. 발생 초기
2019년 2월 중순, 마셜 제도 부근에서 여러 적란운 덩어리가 모여 발생하기 시작했다.[1] 처음에는 혼란스러웠지만, 느리게 움직이는 덩어리가 더 응집된 시스템으로 통합되었다.[1] 2월 16일, 일본 기상청(JMA)은 그 시스템을 서쪽으로 이동하는 저기압(low-pressure area)으로 감지했다.[2] 코스라에 남동쪽에서 무역풍의 강력한 수렴대가 열대 기압골(tropical disturbance) 북쪽에서 산발적인 대기 대류, 즉 뇌우를 발생시켰다.[3] 대류는 시스템의 크고 약한 순환 위로 넓어졌으며, 기압골은 낮은 수직 풍속 시어와 28-29°C의 따뜻한 해수면 온도 영역에 위치했는데, 이는 열대 저기압 형성에 유리한 조건이었다.[4]2월 18일, 일본 기상청(JMA)은 시스템을 열대 저기압으로 식별했고,[14] 2월 18일 21시에는 코스라에섬 남서쪽 해상에서 열대 저기압 발생.[14] 얼마 지나지 않아 합동 태풍 경보 센터(JTWC)는 2월 19일에 폭풍이 정의된 순환 주위의 강우대를 개선했을 때, 숫자 식별자 ''02W''를 할당했다.[6]
2. 2. 세력 강화
2월 20일, 일본 기상청(JMA)과 합동 태풍 경보 센터(JTWC)는 동시에 새로 발생한 사이클론을 열대폭풍으로 분류하고, '우딥'으로 명명했다.[14][16] 우딥은 10분간 지속되는 풍속 을 기록한 후 강력한 열대 폭풍으로 발전했다.[14] 중심 밀집 덮개가 나타나기 시작하면서, JMA는 2월 20일 18:00 UTC에 우딥을 태풍으로 격상했다.[14][8]2월 21일, JMA는 우딥을 강한 열대폭풍으로 격상했고,[14] 이후 태풍으로 세력을 더 강화했다.[14][8] 북쪽에 있는 아열대 고기압 능선을 따라 서북서쪽으로 이동하면서, 마이크로파 영상에서 눈의 형성이 감지되면서 조직 개선이 분명해졌다. 이러한 점을 근거로, JTWC는 2월 21일 초에 우딥을 태풍으로 격상시켰다.[9]
2월 23일, 괌 남서쪽 해상에서 우딥은 콤팩트한 눈벽을 나타냈고,[13] 12:00 UTC에 초기 최대 강도에 도달했다. JMA는 당시 10분간 지속되는 풍속 과 최저 기압 을 추정했다.[14] JTWC는 운영상 의 1분간 지속되는 풍속을 추정하여, 우딥을 슈퍼 태풍으로 재분류했다.[15]
해자—눈벽 바깥의 맑은 고리—는 내심을 깊은 밴딩 기능과 분리하여, 눈벽 교체 주기의 시작을 나타냈다.[13] 이 과정에서, 서쪽 부분은 잘 정의되었지만 따뜻해지는 눈벽에서 침식되었고, 눈이 식으면서 약화 추세를 보였다.[17]
2월 25일 06:00 UTC에 우딥은 다시 5등급 상당의 슈퍼 태풍이 되었고, JMA가 평가한 10분간 풍속 과 기압 , 그리고 JTWC가 평가한 의 1분간 풍속으로 이차 최대 강도에 도달했다.[14][16]
2. 3. 약화 및 소멸
태풍 우딥은 2월 25일부터 약화되기 시작했다.[21][22] 2월 26일에는 수직 풍속 시어가 현저하게 증가하여 구조가 급격히 악화되었고 더 이상 눈이 나타나지 않았다.[23]폭풍은 중립점에서 속도가 줄었고, 편서풍의 남쪽 가장자리에 진입하면서 더 높은 수준의 불리한 풍속 시어에 직면했다.[24] 폭풍 서쪽에 위치한 상층 기압골 또한 풍속 시어를 강화하여, 강력한 유출에도 불구하고 대류를 더욱 방해했다.[25] 2월 27일 12시경, 우딥은 다시 강한 열대 폭풍으로 약화되었다.[14]
2월 28일, 괌 서북서쪽 해상에서 열대저압부로 약화되어 소멸했다.[14][16] 소멸 직후 필리핀 책임 구역의 135°E 경계를 넘어 필리핀 기상청(PAGASA)으로부터 현지 이름 '베티(Betty)'를 부여받았다.[29] 합동 태풍 경보 센터(JTWC)는 우딥에 대한 경보를 중단했고,[30] 일본 기상청(JMA)는 3월 2일 필리핀 동쪽 부근에서 소멸될 때까지 저기압을 계속 감시했다.[14]
3. 세력 변화의 원인
태풍이 맹렬한 세력으로 발달한 원인은 태풍이 위치한 해수면 온도가 높았고, 태풍 주변의 바람이 태풍 발달에 적합했기 때문으로 여겨진다. 일반적으로 태풍이 발달하는 해수면 수온은 27도 이상이며, 그 이하의 해역에 도달하면 쇠약해지는 경향이 있다. 또한 연직 시어 (상층과 하층의 풍속, 풍향 등의 벡터 차이)가 큰 경우에도 하층의 소용돌이와 상층의 적란운이 분리되기 쉬워 태풍의 발달이 저해되는 경향이 있다. 태풍이 발달한 해역의 해수면 온도는 28도 정도로 평년에 비해 특별히 높은 것은 아니지만, 이 정도의 수온으로도 태풍이 발달하기에는 충분한 온도였으며, 태풍이 급격히 쇠약해지기 시작하는 26일경까지 연직 시어가 작은 해역을 지나갔기 때문에 발달이 저해되지 않았기 때문으로 여겨진다[76][78]。 또한, 2월이나 3월은 태풍을 서진시키는 편동풍이 적도 부근에서 마리아나 제도 부근이나 필리핀 동해상에서 북상하는 경우는 있어도 서진하는 경우는 없었다. 이 편동풍은 예년보다 빨리 북상하면서 서진한 것으로 보인다[80]。
3. 1. 유리한 환경 조건
태풍 우딥이 맹렬한 세력으로 발달한 원인은 태풍이 위치한 해수면 온도가 높았고, 태풍 주변의 바람이 태풍 발달에 적합했기 때문이다. 일반적으로 태풍이 발달하는 해수면 수온은 27도 이상이며, 그 이하의 해역에 도달하면 쇠약해지는 경향이 있다. 태풍이 발달한 해역의 해수면 온도는 28도 정도로 평년에 비해 특별히 높은 것은 아니지만, 이 정도의 수온으로도 태풍이 발달하기에는 충분한 온도였다.[76][78] 연직 시어 (상층과 하층의 풍속, 풍향 등의 벡터 차이)가 큰 경우에도 하층의 소용돌이와 상층의 적란운이 분리되기 쉬워 태풍의 발달이 저해되는 경향이 있다. 태풍 우딥은 26일경까지 연직 시어가 작은 해역을 지나갔기 때문에 발달이 저해되지 않았다.[76][78] 2월이나 3월은 태풍을 서진시키는 편동풍이 적도 부근에서 마리아나 제도 부근이나 필리핀 동해상에서 북상하는 경우는 있어도 서진하는 경우는 없었다. 이 편동풍은 예년보다 빨리 북상하면서 서진한 것으로 보인다.[80]3. 2. 불리한 환경 조건
태풍이 위치한 해수면 온도가 높고, 태풍 주변의 바람이 태풍 발달에 적합했기 때문에 태풍이 맹렬한 세력으로 발달했다.[76][78] 일반적으로 태풍이 발달하는 해수면 수온은 27도 이상이며, 그 이하의 해역에 도달하면 쇠약해지는 경향이 있다. 또한 연직 시어가 큰 경우에도 하층의 소용돌이와 상층의 적란운이 분리되기 쉬워 태풍의 발달이 저해되는 경향이 있다. 태풍이 발달한 해역의 해수면 온도는 28도 정도로 평년에 비해 특별히 높은 것은 아니지만, 이 정도의 수온으로도 태풍이 발달하기에는 충분한 온도였으며, 태풍이 급격히 쇠약해지기 시작하는 26일경까지 연직 시어가 작은 해역을 지나갔기 때문에 발달이 저해되지 않았던 것으로 보인다.[76][78] 2월이나 3월은 태풍을 서진시키는 편동풍이 적도 부근에서 마리아나 제도 부근이나 필리핀 동해상에서 북상하는 경우는 있어도 서진하는 경우는 없었다. 이 편동풍은 예년보다 빨리 북상하면서 서진한 것으로 보인다.[80]4. 피해
4. 1. 미크로네시아 연방

미크로네시아 연방의 추크, 폰페이, 야프에 2월 19일 열대 폭풍 주의보 및 경보가 발령되었다.[35] 이는 티안, 괌에 위치한 국립 기상청(NWS)에서 발령되었다. 야프의 파라우렙에 대한 열대 폭풍 경보는 나중에 취소되었다.[36] 2월 20일 열대 저기압이 열대 폭풍 우딥으로 강화된 후 태풍 주의보 및 경보로 격상되었으며, 예보에 따르면 우딥은 곧 태풍으로 강화될 것이라고 발표했다.[37] 학교, 커뮤니티 회관, 체육관 등이 대피소로 사용되었지만, 일부 대피소에서는 음식과 물, 적절한 화장실 시설을 제공하지 않았다.[38]
우딥은 2월 19일부터 22일까지 160 km/h 이상의 바람( Category 2등급의 허리케인에 해당)을 동반하며 추크, 폰페이, 야프 주를 통과했고, 추크와 야프에서 약 160채의 가옥을 파손 또는 파괴하고 165명의 이재민을 발생시켰다.[39] 폰페이 주에서는 주요 전력선이 손상되었고,[38] 폰페이 본섬은 전력 공급이 완전히 중단되었다가 복구되었다.[40] 파티우에서는 54채의 가옥이 파괴되었고 최소 69채의 가옥이 손상되었다.[40]
모틀록 제도는 작물의 90% 이상이 피해를 입었고, 폰페이 주의 누쿠오로도 마찬가지였다. 주요 작물인 토란은 썩어 먹을 수 없게 되었지만, 일부는 건져냈다. 후크, 풀루와트, 타마탐, 풀라프의 외딴 섬과 모틀록 제도의 물 공급원은 홍수로 인한 해수 침투로 인해 식수로 사용할 수 없게 되었다.[38] 오네오프의 토란 농장은 침수되고 빵나무와 바나나 나무는 바람으로 쓰러졌다. 그곳의 구조물은 지붕이 날아가고 한 구조물은 붕괴되었다.[43] 야프 주 전역에서 진료소를 포함한 기반 시설과 작물이 피해를 입었다.[38] 인명 피해는 없었지만, 우딥은 바닷물 홍수로 인해 많은 작물을 파괴했고, 물 공급원이 오염되면서 피해 지역에서 질병 발생 가능성이 높아졌다. 전반적으로 우딥은 인프라와 농업에 심각한 초기 피해를 입혔으며, 피해액은 최소 2백만 달러에 달했다.[44]
4. 2. 괌

우딥은 1953년 태풍 이르마 이후 2월에 괌에 영향을 미친 첫 번째 태풍이었다.[1] 미국 국립 기상청(NWS)은 2월 21일 괌에 열대 폭풍 경보를 발표했고,[45] 2월 22일에는 열대 폭풍 주의보로 격상했다.[49] 괌은 전년도 태풍 망쿳으로 인해 여전히 어려움을 겪고 있었으며, 430명 이상의 어린이와 성인이 5개의 다른 비상 대피소에서 피난처를 찾았다.[46] 우딥에 대비하여 공립학교가 휴교했고,[47] 괌 주변에서 열리는 연례 군사 훈련인 코프 노스는 "위험하고 잠재적으로 피해를 줄 수 있는 바람"으로 인해 예방 조치로 중단되었다.[48] 연방 재난 관리청(FEMA)에서 온 18명의 팀이 괌의 비상 상황을 지원했다.[50] 부지사 조시 테네리오는 괌과 군 기지를 대비 태세 (COR) 2단계로 격상시키고,[52] 이후 COR 1단계로 격상시켰다.[53] 괌을 오가는 약 25편의 항공편이 취소되어 4,993석의 좌석이 손실되었다.[54]
우딥의 강우대가 섬에 영향을 미치면서, 강한 외부 강우대가 몇 시간 동안 남부 지역에 주로 자리를 잡고 있었고, 트레이닝 기상 현상을 보였다.[1] 2월 23일, 안토니오 B. 원 팻 국제공항은 106.9mm의 강우량을 기록하여 홍수 주의보가 발령되었고, 또한 그 날짜의 기록을 세웠다.[31] 괌 전력청은 괌 전역에서 고립된 정전이 발생했다고 보고했다.[55] 우딥은 24일에 가장 가까이 접근했는데, 섬에서 약 265km 떨어진 남서쪽에 위치했다. 우딥은 이나라한에 431.8mm의 비를, 단단에 304.8mm의 비를, 섬의 다른 지역에 152.4~203.2mm의 비를 뿌렸다. 65~70km/h의 최대 지속 풍속과 110km/h의 돌풍이 밤새도록 2월 25일 초까지 지속되었고, 바다는 여전히 위험했다.[58] 산타 리타에서는 맨홀이 범람했다. 메리조 또한 침수를 겪었지만, 시장실에서는 "그다지 심각하지 않았다"고 언급했다. 이나라한은 더 심각한 피해를 입어 도로가 막히고 많은 나무와 전선이 쓰러졌으며 대규모 홍수가 발생했다.[56] 우딥으로 인한 기반 시설의 예비 피해액은 130만 달러 이상이었다.[57] 부상자나 심각한 피해는 보고되지 않았고, COR 1단계는 부지사와 준장 젠트리 보스웰에 의해 취소되었으며, 괌은 정상적인 대비 태세인 COR 4단계로 전환되었다. 괌 교육부는 나중에 41개 학교를 모두 다시 열었다.[58]
4. 3. 북마리아나 제도
사이판, 티니안, 로타에 열대폭풍 주의보가 발효되었다.[36] 작년 태풍 유투의 영향으로 텐트에서 거주하던 가족들은 긴급 대피소로 피난하도록 권고받았고, 총 83명이 대피했다.[36][59] 아시아 축구 연맹 회장 살만 빈 이브라힘 알 칼리파는 사이판 방문을 연기했다.[60] 로타에는 열대폭풍 주의보가 태풍 경보로 격상되었지만, 우딥의 진로가 변경되면서 2월 24일 북마리아나 제도 부지사 아놀드 팔라시오스에 의해 해제되었다.[61]송송 마을에는 56~72 km/h의 바람과 72~89 km/h의 돌풍이 불었고, 4.9~6.1 m, 최고 7.6 m의 파도가 동쪽과 남쪽 암초를 덮쳐 해안 침수가 발생했다.[61] 다행히 부상자는 없었고, 공공 도로에 잔해도 없었다.[59] 2월 25일, 마리아나 제도 전역의 학교가 다시 문을 열었다.[62] 팔라시오스 부지사는 기후 변화가 현실이며, 태풍 계절이 한 달 뒤에나 시작된다고 말했다.[62]
5. 복구 및 지원
미크로네시아 연방의 추크 주지사 존슨 엘리모와 야프 주지사 헨리 팔란은 2월 22일, 미크로네시아 연방 대통령 피터 M. 크리스찬의 선언에 더하여 비상사태를 선포했다.[38] 3월 11일, 크리스찬 대통령은 재난 선포를 발표하고 국제적 지원을 요청하며, 국가 비상 자금에서 10만 달러를 방출했다.[63]
피해 평가는 3월 18일부터 4월 4일까지 국제 이주 기구(IOM)의 지원을 받아 진행되었다. 30개의 섬에서 농업 생산이 피해를 입어 11,575명이 식량 불안에 직면했음을 발견했다.[64] 미국 국제 개발처(USAID)의 해외 재난 지원국, 뉴질랜드 외교 통상부 대사관, 호주 원조에서 약 45만 달러가 동원되어 식량 지원에 사용되었다.[64] 3월 31일, USNS ''브런스윅''에 탑승한 다국적 팀이 퍼시픽 파트너십 2019의 일환으로 복구 노력을 지원하기 위해 로어 모틀록 제도에 도착했다.[65]
국가 정부 간의 자유 연합 협약에 따라, 미국 대통령 도널드 트럼프는 5월 7일에 우딥을 재난으로 선포하여 비상 구호 및 재건 지원에 대한 자금을 사용할 수 있게 했다.[66] USAID의 구호 및 재건 자금은 총 2,230만 달러 이상이었다.[63]
괌 주지사 루 레온 게레로는 3월 25일에 2월 23일부터 25일까지 마리아나 제도에 우딥이 미친 영향으로 인해 주요 재난 선포를 요청했다. 5월 7일, 도널드 트럼프는 재난 선포를 승인하고 괌에 대한 공적 지원을 공개했다.[67] 트럼프는 괌 전역의 복구 작전을 위한 연방 조정관으로 트레이시 A. 헤인스를 임명했다.[68] FEMA는 공공 지원으로 722,298.51달러를, 위험 완화를 위해 146,376.80달러를 지원했다.[69]
5. 1. 국제기구 및 각국 정부의 지원
미크로네시아 연방의 추크 주지사 존슨 엘리모와 야프 주지사 헨리 팔란은 2월 22일, 미크로네시아 연방 대통령 피터 M. 크리스찬의 선언에 더하여 비상사태를 선포했다.[38] 3월 11일, FSM 대통령 크리스찬은 재난 선포를 발표하고 국제적 지원을 요청하며, 국가 비상 자금에서 10만 달러를 방출했다.[63]피해 평가는 3월 18일부터 4월 4일까지 국제 이주 기구(IOM)의 지원을 받아 진행되었다. 30개의 섬에서 농업 생산이 피해를 입어 11,575명이 식량 불안에 직면했음을 발견했다.[64] 미국 국제 개발처(USAID)의 해외 재난 지원국, 뉴질랜드 외교 통상부 대사관, 호주 원조에서 약 45만 달러가 동원되어 식량 지원에 사용되었다.[64] 3월 31일, USNS ''브런스윅''에 탑승한 다국적 팀이 퍼시픽 파트너십 2019의 일환으로 복구 노력을 지원하기 위해 로어 모틀록 제도에 도착했다.[65]
국가 정부 간의 자유 연합 협약에 따라, 미국 대통령 도널드 트럼프는 5월 7일에 우딥을 재난으로 선포하여 비상 구호 및 재건 지원에 대한 자금을 사용할 수 있게 했다.[66] USAID의 구호 및 재건 자금은 총 2,230만 달러 이상이었다.[63]
괌 주지사 루 레온 게레로는 3월 25일에 2월 23일부터 25일까지 마리아나 제도에 우딥이 미친 영향으로 인해 주요 재난 선포를 요청했다. 5월 7일, 도널드 트럼프는 재난 선포를 승인하고 괌에 대한 공적 지원을 공개했다.[67] 트럼프는 괌 전역의 복구 작전을 위한 연방 조정관으로 트레이시 A. 헤인스를 임명했다.[68] FEMA는 공공 지원으로 722,298.51달러를, 위험 완화를 위해 146,376.80달러를 지원했다.[69]
5. 2. 대한민국 관련
6. 기록
2월 20일 발생한 2019년 제2호 태풍 우딥은 2월에 발생한 태풍 중 가장 강력한 태풍으로 기록되었다.[31][32] 2월 25일 15시, 미국 괌 서쪽 약 500 km 부근 해상에서 중심기압 915 hPa, 최대풍속 54 m/s를 기록하며 2차 최성기를 맞이했다.[83][84] 이는 2002년 태풍 미탁(MITAG)과 2015년 태풍 히고스(HIGOS)의 최성기 세력을 넘어서는 기록이다.
태풍 우딥은 2월에 발생한 태풍 중 유일하게 카테고리 5등급에 도달한 태풍이다.[32] 1940년대 후반 이후 1월과 2월에 카테고리 4 또는 카테고리 5 등급에 해당하는 태풍은 7개뿐이며,[33] 2월에 카테고리 4의 세력을 보인 다른 3개의 태풍도 포함된다.[34]
| 순위 | 태풍번호 | 태풍이름 | 최대풍속 (1분 평균) |
|---|---|---|---|
| 9위 | 1902 | WUTIP | 145 kt |
태풍 우딥은 2002년 태풍 미탁(MITAG)과 2015년 태풍 히고스(HIGOS)의 최성기 세력을 넘어서는 2월 역대 최강 태풍이며, 2019년 최초의 카테고리 5등급 슈퍼태풍이었다.[83][84] 우딥은 기록상 2월에 가장 강력한 태풍이었으며, 태풍 히고스를 넘어섰을 뿐만 아니라 해당 달에 가장 오래 지속된 태풍이기도 했다.[31] 게다가 우딥은 북반구에서 2월에 발생한 유일한 열대 저기압으로, 카테고리 5 등급에 해당하는 강풍을 동반했다.[32]
6. 1. 2월 최강 태풍
2월 20일 발생한 2019년 제2호 태풍 우딥은 2월에 발생한 태풍 중 가장 강력한 태풍으로 기록되었다.[31][32] 2월 25일 15시, 미국 괌 서쪽 약 500 km 부근 해상에서 중심기압 915 hPa, 최대풍속 54 m/s를 기록하며 2차 최성기를 맞이했다.[83][84] 이는 2002년 태풍 미탁(MITAG)과 2015년 태풍 히고스(HIGOS)의 최성기 세력을 넘어서는 기록이다.
태풍 우딥은 2월에 발생한 태풍 중 유일하게 카테고리 5등급에 도달한 태풍이다.[32] 1940년대 후반 이후 1월과 2월에 카테고리 4 또는 카테고리 5 등급에 해당하는 태풍은 7개뿐이며,[33] 2월에 카테고리 4의 세력을 보인 다른 3개의 태풍도 포함된다.[34]
| 순위 | 태풍번호 | 태풍이름 | 최대풍속 (1분 평균) |
|---|---|---|---|
| 9위 | 1902 | WUTIP | 145 kt |
6. 2. 기타 기록
태풍 우딥은 2002년 태풍 미탁(MITAG)과 2015년 태풍 히고스(HIGOS)의 최성기 세력을 넘어서는 2월 역대 최강 태풍이며, 2019년 최초의 카테고리 5등급 슈퍼태풍이었다.[83][84] 우딥은 기록상 2월에 가장 강력한 태풍이었으며, 태풍 히고스를 넘어섰을 뿐만 아니라 해당 달에 가장 오래 지속된 태풍이기도 했다.[31] 게다가 우딥은 북반구에서 2월에 발생한 유일한 열대 저기압으로, 카테고리 5 등급에 해당하는 강풍을 동반했다.[32] 1940년대 후반 이후 1월과 2월에 카테고리 4 또는 카테고리 5 등급에 해당하는 태풍은 7개뿐이었으며,[33] 2월에 카테고리 4의 세력을 보인 다른 3개의 태풍도 포함된다.[34]| 순위 | 태풍번호 | 태풍이름 | 최대풍속 (1분 평균) |
|---|---|---|---|
| 1위 | 6118 | NANCY | 185 kt |
| 2위 | 6124 | VIOLET | 180 kt |
| 3위 | 5822 | IDA | 175 kt |
| 4위 | 1330 1614 2019 | HAIYAN MERANTI GONI | 170 kt |
| 5위 | 1923 7920 2102 | HALONG TIP SURIGAE | 165 kt |
| 6위 | 1919 1013 | HAGIBIS MEGI | 160 kt |
| 7위 | 1821 | JEBI | 155 kt |
| 8위 | 1826 | WUTU | 150 kt |
| 9위 | 1902 | WUTIP | 145 kt |
| 10위 | 1626 | NOCK-TEN | 140 kt |
7. 같이 보기
참조
[1]
간행물
1st Quarter, 2019
https://www.weather.[...]
United States National Oceanic and Atmospheric Administration's National Weather Service
2019-03-20
[2]
보고서
Warning and Summary 161200
https://mtarchive.ge[...]
Japan Meteorological Agency
2019-02-16
[3]
보고서
"...Tropical Disturbance Southeast of Kosrae..."
https://mesonet.agro[...]
National Weather Service
2019-02-17
[4]
보고서
Tropical Cyclone Formation Alert (190300 February 2019)
https://mtarchive.ge[...]
Joint Typhoon Warning Center
2019-02-19
[5]
웹사이트
Joint Typhoon Warning Center Mission Statement
https://metocph.nmci[...]
Joint Typhoon Warning Center
2014-01-01
[6]
보고서
Prognostic Reasoning for Tropical Depression 02W (Two) Warning No. 1
https://mtarchive.ge[...]
Joint Typhoon Warning Center
2019-02-19
[7]
보고서
Prognostic Reasoning for Tropical Storm 02W (Wutip) Warning No. 3
https://mtarchive.ge[...]
Joint Typhoon Warning Center
2019-02-19
[8]
보고서
Reasoning No. 10 for TY 1902 Wutip (1902)
https://mtarchive.ge[...]
Japan Meteorological Agency
2019-02-21
[9]
보고서
Prognostic Reasoning for Typhoon 02W (Wutip) Warning No. 8
https://mtarchive.ge[...]
Joint Typhoon Warning Center
2019-02-21
[10]
보고서
Prognostic Reasoning for Typhoon 02W (Wutip) Warning No. 9
https://mtarchive.ge[...]
Joint Typhoon Warning Center
2019-02-21
[11]
보고서
Prognostic Reasoning for Typhoon 02W (Wutip) Warning No. 10
https://mtarchive.ge[...]
Joint Typhoon Warning Center
2019-02-21
[12]
보고서
Prognostic Reasoning for Typhoon 02W (Wutip) Warning No. 15
https://mtarchive.ge[...]
Joint Typhoon Warning Center
2019-02-22
[13]
보고서
Prognostic Reasoning for Super Typhoon 02W (Wutip) Warning No. 18
https://mtarchive.ge[...]
Joint Typhoon Warning Center
2019-02-23
[14]
보고서
Annual Report on Activities of the RSMC Tokyo – Typhoon Center 2019
https://www.jma.go.j[...]
Japan Meteorological Agency
null
[15]
보고서
Super Typhoon 02W (Wutip) Warning No. 18
https://www.nrlmry.n[...]
Joint Typhoon Warning Center
2019-02-23
[16]
웹사이트
Western North Pacific Ocean Best Track Data
https://www.metoc.na[...]
Joint Typhoon Warning Center
2023-11-26
[17]
보고서
Prognostic Reasoning for Super Typhoon 02W (Wutip) Warning No. 19
https://mtarchive.ge[...]
Joint Typhoon Warning Center
2019-02-23
[18]
보고서
Prognostic Reasoning for Super Typhoon 02W (Wutip) Warning No. 20
https://mtarchive.ge[...]
Joint Typhoon Warning Center
2019-02-24
[19]
보고서
Prognostic Reasoning for Super Typhoon 02W (Wutip) Warning No. 23
https://mtarchive.ge[...]
Joint Typhoon Warning Center
2019-02-24
[20]
보고서
Prognostic Reasoning for Super Typhoon 02W (Wutip) Warning No. 25
https://mtarchive.ge[...]
Joint Typhoon Warning Center
2019-02-25
[21]
보고서
Prognostic Reasoning for Typhoon 02W (Wutip) Warning No. 27
https://mtarchive.ge[...]
Joint Typhoon Warning Center
2019-02-25
[22]
보고서
Prognostic Reasoning for Typhoon 02W (Wutip) Warning No. 28
https://mtarchive.ge[...]
Joint Typhoon Warning Center
2019-02-26
[23]
보고서
Prognostic Reasoning for Typhoon 02W (Wutip) Warning No. 30
https://mtarchive.ge[...]
Joint Typhoon Warning Center
2019-02-26
[24]
보고서
Prognostic Reasoning for Typhoon 02W (Wutip) Warning No. 31
https://mtarchive.ge[...]
Joint Typhoon Warning Center
2019-02-26
[25]
보고서
Prognostic Reasoning for Tropical Storm 02W (Wutip) Warning No. 33
https://mtarchive.ge[...]
Joint Typhoon Warning Center
2019-02-27
[26]
보고서
Prognostic Reasoning for Tropical Storm 02W (Wutip) Warning No. 34
https://mtarchive.ge[...]
Joint Typhoon Warning Center
2019-02-27
[27]
보고서
Prognostic Reasoning for Tropical Storm 02W (Wutip) Warning No. 35
https://mtarchive.ge[...]
Joint Typhoon Warning Center
2019-02-27
[28]
보고서
Prognostic Reasoning for Tropical Storm 02W (Wutip) Warning No. 36
https://mtarchive.ge[...]
Joint Typhoon Warning Center
2019-02-28
[29]
보고서
DOST-PAGASA Annual Report on Philippine Tropical Cyclones 2019
https://pubfiles.pag[...]
Government of the Republic of the Philippines Department of Science and Technology: Philippine Atmospheric, Geophysical, and Astronomical Services Administration
2021-09-01
[30]
보고서
Tropical Depression 02W (Wutip) Warning No. 39
https://mtarchive.ge[...]
Joint Typhoon Warning Center
2019-02-28
[31]
뉴스
The strongest February typhoon on record packs 180 mph gusts, sideswiping Guam
https://www.washingt[...]
2019-02-25
[32]
웹사이트
Wutip Hits 160 mph: First Category 5 Typhoon Ever Recorded in February
https://www.wundergr[...]
Weather Underground
2019-02-25
[33]
웹사이트
Super Typhoon "Wutip" becomes the strongest February typhoon in West Pacific Ocean
https://watchers.new[...]
The Watchers
2022-03-25
[34]
웹사이트
Typhoon Wutip churns through the Pacific
https://www.nesdis.n[...]
National Oceanic and Atmospheric Administration
2019-02-25
[35]
웹사이트
Feb. 19, 2019 – A NASA Infrared Look at Tropical Depression 02W, Warnings Posted
https://blogs.nasa.g[...]
2019-02-19
[36]
웹사이트
Northern Marianas, Guam prepare for Typhoon Wutip
https://www.rnz.co.n[...]
Radio New Zealand
2022-11-01
[37]
웹사이트
Feb. 20, 2019 – NASA Finds Tropical Cyclone Wutip Organizing
https://blogs.nasa.g[...]
NASA
2022-12-01
[38]
간행물
Situation Report: Typhoon WUTIP
https://fsm-data.spr[...]
Government of the Federated States of Micronesia Department of Environment, Climate Change and Emergency Management
2023-10-30
[39]
뉴스
Micronesia, Federated States of
https://2017-2020.us[...]
United States Agency for International Development
2023-03-30
[40]
간행물
Highlights for Hawaii and the U.S. Affiliated Pacific Islands
https://www.drought.[...]
National Oceanic and Atmospheric Administration
2023-10-31
[41]
간행물
Pre/Post imageries of affected atolls in the north-west of Chuuk State
https://fsm-data.spr[...]
Federated States of Micronesia Environment, Climate Change and Disaster Risk Management Data Portal
2024-02-20
[42]
뉴스
Houk, an outer island in Chuuk, still reeling after Typhoon Wutip
https://www.guampdn.[...]
USA Today
2023-10-30
[43]
뉴스
Downed trees, flooding due to Wutip reported in Oneop island in Chuuk
https://www.guampdn.[...]
USA Today
2023-10-30
[44]
웹사이트
Post-Wutip damages to FSM cost at least $2M
https://www.pncguam.[...]
Pacific News Center
2022-11-26
[45]
웹사이트
Feb. 21, 2019 – NASA Infrared Image Shows Powerful Center of Typhoon Wutip
https://blogs.nasa.g[...]
2023-10-30
[46]
뉴스
Wutip sends hundreds to typhoon shelters, knocks down trees
https://www.guampdn.[...]
USA Today
2023-03-30
[47]
뉴스
GovGuam, schools to close early
https://www.postguam[...]
2023-03-29
[48]
뉴스
Typhoon Wutip interrupts three-nation Cope North military drills on Guam
https://www.stripes.[...]
Stars and Stripes
2023-03-29
[49]
웹사이트
Feb. 22, 2019 – NASA-NOAA Satellite Analyzes Typhoon Wutip
https://blogs.nasa.g[...]
2023-10-30
[50]
웹사이트
FEMA teams arrive to help Guam with emergency response to Typhoon Wutip
https://www.usatoday[...]
USA Today
2019-09-20
[51]
뉴스
Wutip Upgraded to Super Typhoon, Lashes Guam With High Winds
https://www.voanews.[...]
Voice of America
2023-03-29
[52]
뉴스
Friday Typhoon Wutip updates: Guam now in COR 2
https://www.guampdn.[...]
USA Today
2023-03-29
[53]
뉴스
What Wutip's super typhoon status means for Guam residents
https://www.usatoday[...]
USA Today
2023-03-29
[54]
간행물
February 2019 Arrivals
https://www.guamvisi[...]
Guam Visitors Bureau
2023-03-30
[55]
뉴스
Typhoon Wutip: Isolated power outages as storm brings rain and wind
https://www.guampdn.[...]
USA Today
2023-03-29
[56]
뉴스
Super Typhoon Wutip spares Guam
https://www.guampdn.[...]
USA Today
2023-03-29
[57]
뉴스
Preliminary cost estimate of Wutip: More than $1.3 million
https://www.guampdn.[...]
USA Today
2019-05-21
[58]
뉴스
Guam spared brunt of Wutip
https://www.postguam[...]
2023-03-29
[59]
뉴스
Wutip spares the Marianas
https://www.saipantr[...]
2023-04-01
[60]
뉴스
Sheikh Salman's Saipan visit postponed
https://www.saipantr[...]
2023-03-31
[61]
뉴스
BREAKING NEWS: Wutip to make closest approach today
https://www.saipantr[...]
2023-04-15
[62]
웹사이트
Schools to reopen across Micronesia after Typhoon Wutip
https://www.rnz.co.n[...]
Radio New Zealand
2022-11-01
[63]
간행물
Federated States of Micronesia and Republic of the Marshall Islands
https://2017-2020.us[...]
United States Agency for International Development
2022-12-16
[64]
웹사이트
IOM Micronesia Newsletter, July 2018 - April 2019 - Typhoon Wutip Destruction - Micronesia (Federated States of)
https://www.iom.int/[...]
International Organization for Migration
2023-10-30
[65]
웹사이트
Pacific Partnership multinational team arrives in Micronesia
https://www.cpf.navy[...]
United States Pacific Fleet
2024-02-08
[66]
웹사이트
U.S. President Donald J. Trump Approves a Disaster Declaration for the Federated States of Micronesia
https://trumpwhiteho[...]
NARA
2019-09-20
[67]
간행물
Guam – Typhoon Wutip FEMA-4433-DR
https://www.fema.gov[...]
Federal Emergency Management Agency
2023-11-03
[68]
웹사이트
President Trump Approves Disaster Declaration for Guam for Typhoon Wutip - Governor of Guam
https://governor.gua[...]
2022-11-03
[69]
웹사이트
Guam Typhoon Wutip – DR-433-GU
https://www.fema.gov[...]
Federal Emergency Management Agency
2024-09-17
[70]
서적
2019年台風第2号 WUTIP 1902 位置表
https://www.data.jma[...]
気象庁
2019-04-03
[71]
웹사이트
平成31年 台風第2号に関する情報
http://www.jma.go.jp[...]
気象庁
2019-02-20
[72]
웹사이트
台風2号「ウーティップ」発生
https://tenki.jp/for[...]
日本気象協会
2019-02-20
[73]
웹사이트
台風2号 2月では珍しい発達予想
https://tenki.jp/for[...]
tenki.jp
2019-02-21
[74]
웹사이트
台風2号 2月としては中心気圧が最も低く
https://tenki.jp/for[...]
日本気象協会
2019-02-23
[75]
웹사이트
台風2号 2月では初めて猛烈な勢力に
https://tenki.jp/for[...]
日本気象協会
2019-02-25
[76]
웹사이트
台風2号猛烈な勢力に 2月中に猛烈な勢力は初
https://weathernews.[...]
ウェザーニュース
2019-02-25
[77]
웹사이트
台風2号 熱帯低気圧に変わりました
https://tenki.jp/for[...]
日本気象協会
2019-02-28
[78]
웹사이트
台風2号 急速に衰え熱帯低気圧に
https://weathernews.[...]
ウェザーニュース
2019-02-28
[79]
웹사이트
デジタル台風 1951年以降2月に発生した台風を最低気圧昇順に並べたもの。
http://agora.ex.nii.[...]
[80]
웹사이트
台風2号の動きはまるで4月の台風
https://news.yahoo.c[...]
Yahoo!ニュース
2019-02-26
[81]
Digital Typhoon
WUTIP
201902
[82]
웹인용
Typhoon 201902 (WUTIP)
http://agora.ex.nii.[...]
2021-08-22
[83]
문서
2월 25일 15시 일본 기상청 기준 태풍 우딥 강풍 반경은 북쪽 반경 500 km, 남쪽 반경은 220 km. 직경 720 km로 대형에 미치지 못했다.
[84]
문서
한국 기상청 기준으로는 50 m/s의 세력 '매우 강'의 강도로 최성기를 맞이하였다.
본 사이트는 AI가 위키백과와 뉴스 기사,정부 간행물,학술 논문등을 바탕으로 정보를 가공하여 제공하는 백과사전형 서비스입니다.
모든 문서는 AI에 의해 자동 생성되며, CC BY-SA 4.0 라이선스에 따라 이용할 수 있습니다.
하지만, 위키백과나 뉴스 기사 자체에 오류, 부정확한 정보, 또는 가짜 뉴스가 포함될 수 있으며, AI는 이러한 내용을 완벽하게 걸러내지 못할 수 있습니다.
따라서 제공되는 정보에 일부 오류나 편향이 있을 수 있으므로, 중요한 정보는 반드시 다른 출처를 통해 교차 검증하시기 바랍니다.
문의하기 : help@durumis.com
