사이클론 팸
"오늘의AI위키"의 AI를 통해 더욱 풍부하고 폭넓은 지식 경험을 누리세요.
1. 개요
사이클론 팸은 2015년 3월 초에 발생하여 바누아투를 강타하여 큰 피해를 입혔다. 이 사이클론은 2014–16년 엘니뇨 현상과 서풍 급증의 영향으로 발달했으며, 호주 열대 저기압 등급에서 최고 카테고리 5에 도달했다. 바누아투, 투발루, 솔로몬 제도, 피지, 뉴칼레도니아, 뉴질랜드 등 여러 태평양 섬나라에 영향을 미쳤으며, 특히 바누아투에 막대한 피해를 입혀 15명에서 16명의 사망자를 냈다. 국제 사회는 FRANZ 협정을 통해 호주, 뉴질랜드, 프랑스의 지원을 받았으며, 대한민국을 포함한 여러 국가와 국제기구가 구호 활동에 참여했다. 사이클론 팸은 열대 저기압 이름 목록에서 삭제되었으며, 피해 규모와 구호 활동의 어려움은 재난 대응의 중요성을 보여주는 교훈으로 남았다.
더 읽어볼만한 페이지
2. 발생 및 경로
사이클론 팸은 2015년 3월 초, 서풍 급증과 2014–16년 엘니뇨 현상으로 인해 발생한 두 개의 열대 저기압 중 하나였다.[3] 다른 하나는 열대 폭풍 바비였다. 3월 6일 솔로몬 제도 호니아라에서 북동쪽으로 750km 떨어진 곳에서 피지 기상청(FMS)에 의해 열대 저기압 11F로 처음 확인되었으며,[4] 3월 8일 열대 저기압 강도에 도달했다.[6] 3월 9일, FMS는 이 폭풍을 호주 열대 저기압 등급의 카테고리 1 열대 저기압으로 상향 조정하고 ''팸''으로 명명했다.[8]
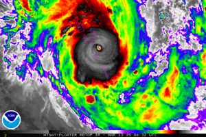
이후 팸은 바누아투를 향해 남쪽으로 이동하며 급격히 발달했다. 3월 10일 카테고리 3, 3월 12일에는 호주와 사피어-심슨 허리케인 규모 모두에서 카테고리 5 등급에 도달했다.[18][19] 3월 13일, 합동태풍경보센터(JTWC)는 팸의 1분 최대 지속 풍속이 270km/h에 도달했다고 발표했으며, 사후 분석에서 280km/h로 상향 조정되었다.[20] 피지 기상청(FMS)은 팸의 10분 최대 지속 풍속을 250km/h로 추정했다.[22] 3월 14일, 팸의 중심 기압은 896 헥토파스칼(hPa)까지 떨어져 남태평양에서 사이클론 조이에 이어 두 번째로 강력한 사이클론이 되었다.[23][24]
이후 팸은 남동쪽으로 이동하며 약화되기 시작했고, 3월 15일 온대 저기압으로 변질되었다. 3월 20일, 팸은 남태평양에서 완전히 소멸했다.
2. 1. 초기 발생
2015년 3월 초, 대규모의 서풍 급증이 발생했고, 이는 2014–16년 엘니뇨 현상의 발달과 적도 양쪽의 키리바시 근처에서 두 개의 열대 저기압 발달에 기여했다.[3] 그 중 하나는 3월 6일 솔로몬 제도의 호니아라에서 북동쪽으로 750km 떨어진 곳에서 피지 기상청(FMS)에 의해 열대 저기압 11F로 처음 확인되었다.[4] 이 시스템은 상층 고기압 능선 아래에 위치해 있었고, 수직 풍속의 약한 경향이 있어 추가 발달에 유리한 지역에 있었다.[4][5] 결과적으로, 기상 예측 모델은 앞으로 며칠 동안 상당한 열대 저기압이 발달할 것으로 예측했다.[5]처음에는 이 기압골이 솔로몬 제도 동쪽에서 약화되었고 천천히 강해지면서,[6] 3월 8일에는 열대 저기압 강도에 도달했다. 다음 날까지 폭풍의 외관과 소나기의 면적 범위는 정체 상태를 유지했으며,[7] 시스템 중심부를 감싸는 강우대의 형성은 FMS가 이 폭풍을 호주 열대 저기압 등급의 카테고리 1 열대 저기압으로 상향 조정하고 ''팸''으로 명명하게 했다.[8] 당시 대기 상태는 폭풍이 북쪽의 고기압의 남쪽 주변을 따라 천천히 이동하면서 지속적인 발달에 약간 유리했다.[9]
2. 2. 발달 과정
피지 기상청(FMS)은 2015년 3월 6일, 솔로몬 제도 호니아라 북동쪽 지점에서 열대 저기압 11F를 처음 확인했다.[4] 이 저기압은 상층 고기압 능선 아래, 수직 풍속의 약한 경향이 있는 곳에 위치하여 발달에 유리했다.[4][5] 3월 8일, 이 저기압은 열대 저기압 강도에 도달했다.[6] 3월 9일, FMS는 이 폭풍을 호주 열대 저기압 등급의 카테고리 1 열대 저기압으로 상향 조정하고 ''팸''으로 명명했다.[8]
이후 팸은 남쪽으로 이동하며 급격히 발달하기 시작했다. 3월 10일, FMS는 팸을 카테고리 3, 즉 심각한 열대 저기압으로 상향 조정했다.[13] 3월 11일, 팸은 산타 크루즈 제도 동쪽에서 일시 정체했다가 다시 남서쪽으로 이동했다.[16][17] 3월 12일 12:00 UTC에 FMS는 팸이 호주 사이클론 등급에서 카테고리 5 강도에 도달했다고 평가했다.[18] 6시간 후, 합동태풍경보센터(JTWC)는 팸이 사피어-심슨 허리케인 풍력 척도에서 카테고리 5 상당의 강도에 도달했다고 추정했다.[19]
2. 3. 최성기 및 소멸
3월 13일 초, 합동태풍경보센터(JTWC)는 팸이 바누아투에 접근하면서 1분 최대 지속 풍속 270km/h에 도달했다고 판단했다.[20] 이는 사후 분석에서 280km/h로 증가했다. 몇 시간 후, 사이클론은 남동쪽으로 굽기 시작하여 팸이 에파테 바로 동쪽을 지나가게 했다.[21] 그 당시, 피지 기상청(FMS)는 팸이 기록적인 250km/h 10분 지속 풍속을 가지고 있다고 추정했다.[22] 폭풍의 바람은 그 후 팸이 타페아 서쪽으로 이동하면서 점차 약해졌다. 그러나 FMS는 팸의 기압이 3월 14일에 최저 896 헥토파스칼(hPa; )로 더 떨어졌다고 밝혔으며,[23] 이는 팸을 2002–03년 남태평양 사이클론 시즌의 사이클론 조이 이후 남태평양 유역에서 두 번째로 강력한 열대 사이클론으로 만들었다.[24] 그러나 이 강도는 팸의 중심 기압이 폭풍이 동남쪽으로 가속화되면서 곧 상승하기 시작했기 때문에 오래 지속되지 않았다.[25]그날 12:00 UTC 이후, 팸은 FMS의 관할 구역을 떠나 뉴질랜드 MetService의 모니터링 지역으로 들어갔으며, MetService는 팸이 36시간 동안 카테고리 5 강도를 유지한 후 3월 15일에 카테고리 4 강도로 약화되었다고 추정했다.[26] 얼마 후, 폭풍의 눈이 사라지고 팸의 저고도 순환이 관련된 뇌우에서 벗어나 급격한 약화 단계를 나타냈다.[27] 3월 15일 늦게, 팸이 뉴질랜드 북동부에 영향을 미치면서 온대 저기압 전환 단계를 거치자 두 기관 모두 권고를 중단했다. 이 시스템은 동쪽으로 이동하여 결국 3월 20일에 남태평양 해상에서 소멸되었다.
3. 피해
사이클론 팸은 태평양 여러 지역에 영향을 미쳐 24명의 사망자를 냈으며, 이후 열대 저기압 이름의 남태평양 목록에서 퇴출되었다. 이 사이클론은 태평양 무역풍에 영향을 미쳤고, 열대 폭풍 바비와 함께 기록상 가장 강력한 무역풍 반전을 일으켰다.[28]
구체적인 피해 상황은 다음과 같다.
- 바누아투: 11명에서 16명 사이의 사망자가 발생했다. 수도 포트빌라를 포함한 전국 대부분의 건물과 기반 시설이 파괴되거나 심각한 손상을 입었다.[34][35][37] 에로망고와 탄나 섬은 통신 두절과 식수 부족 등 심각한 상황에 직면했다.[41] 총 피해액은 6억달러에 달했다.[42]
- 투발루: 3m에서 5m의 파도가 저지대 섬들을 휩쓸어 농업과 기반 시설에 심각한 피해를 입혔다.[46][47][49] 국가 인구의 약 45%가 이재민이 되었으며,[51] 총 피해액은 9200만달러에 달했다.[52]
- 솔로몬 제도: 폭우와 강풍으로 나무와 농작물이 쓰러지고 주민들이 학교와 동굴로 피신해야 했다.[53][54] 아누타와 티코피아 섬에서는 약 1,500채의 가옥이 손상되거나 파괴되었고, 5,000명의 주민이 직접적인 피해를 보았다.[57]
- 피지: 직접적인 피해는 크지 않았지만, 저지대 거주자들에게 침수 가능성이 경고되었다.[28]
- 뉴칼레도니아: 로열티 제도와 팡 섬에 사이클론 경보가 발령되었으나, 물질적 피해는 비교적 경미했다.[53][67]
- 뉴질랜드: 북섬 북동부 해안 지역에 강풍과 폭우로 인한 피해가 발생했다.[70][72][73] 채텀 제도에서는 최대 140km/h의 강풍이 불어 민방위 비상 사태가 선포되었다.[76]
3. 1. 바누아투
사이클론 팸은 바누아투에 막대한 피해를 입혔다. 사망자 수는 11명에서 16명 사이로 보고되었으며, 수도 포트빌라를 포함한 전국 대부분의 건물과 기반 시설이 파괴되거나 심각한 손상을 입었다.[34][35][37] 특히 에로망고와 탄나 섬은 통신 두절과 식수 부족 등 심각한 상황에 직면했다.[41]유니세프에 따르면, 최소 132,000명이 피해를 입었고, 그 중 54,000명이 어린이였다.[34] 통신망은 마비되었고, 전력망도 큰 피해를 입어 복구에 몇 주가 걸릴 것으로 예상되었다.[35] 섬들 중 거의 60개 섬은 외부와 연락이 끊겼다.[36]


피해 상황은 매우 심각하여, 한 저널리스트는 "마치 폭탄이 터진 것 같다"고 묘사하기도 했다.[37] 유엔 인도주의 업무 조정국(OCHA)은 팜이 바누아투에 최악의 시나리오였다고 평가했다.[37]
에로망고와 탄나 섬은 모든 기반 시설이 마비되고 구조물이 심각하게 손상되거나 파괴되는 등 막대한 피해를 입었다.[41] 통고아에서는 주택의 약 95%가 파괴되었다.[36] 마타소 섬은 폭풍 이후 두 채의 집만 남았다.[39]
총 피해액은 6억달러에 달했다.[42] 유네스코는 국가의 완전한 복구 및 재건을 위해 총 2억 6,840만 달러가 필요하다고 밝혔다.[43]
3. 2. 투발루
3월 10일부터 11일 사이, 사이클론과 관련된 파도가 3m에서 5m로 추정되며 투발루의 저지대 섬들을 휩쓸었다. 나누메아, 나누망가, 니우타오, 누이, 누쿠페타우, 누쿨라엘라에, 바이투푸 환초가 가장 큰 피해를 입었다.[46][47] 농업과 기반 시설에 심각한 피해가 발생했으며,[49] 가장 외딴 섬들이 가장 큰 피해를 입어 섬 하나가 완전히 침수되었다.[48] 3월 14일에 비상사태가 선포되었고,[49][50] 누이의 물 공급은 해수에 오염되어 마실 수 없게 되었다.[46] 에넬레 소포아가 총리에 따르면, 약 10,000명에 달하는 국가 인구의 약 45%가 이재민이 되었다.[51] 국가 전체의 피해액은 9200만달러에 달했다.[52]3월 22일 현재, 누이 인구의 40%인 71가구가 여전히 집을 잃고 3개의 대피소나 다른 가족들과 함께 살고 있으며, 누쿠페타우에서는 인구의 13%인 76명이 2개의 대피소에서 살고 있다.[96] 3월 30일에 발표된 상황 보고서에 따르면 누쿠페타우의 모든 이재민이 집으로 돌아갔다.[97] 누이는 세 개의 중앙 섬(누이, 누쿠페타우, 바이투푸) 중 가장 큰 피해를 입었으며, 누이와 누쿠페타우 모두 작물의 90%를 잃었다.[97] 세 개의 북부 섬(나나망가, 니우타오, 나누메아) 중 나나망가가 가장 큰 피해를 입어 60~100채의 가옥이 침수되었고, 보건 시설이 손상되었다. 나나망가에서 보고된 인플루엔자 사례 수는 안정되었다.[97]
3. 3. 솔로몬 제도
사이클론 팸은 말라 이타, 마키라울라와, 테모투 등 솔로몬 제도 지역에 폭우와 강풍을 동반하여 피해를 일으켰다.[53] 이로 인해 나무와 농작물이 쓰러졌고, 주민들은 집이 파괴되어 학교와 동굴로 피신해야 했다.[54] 특히 산타크루즈 제도에서는 24시간 동안 495mm의 기록적인 강수량이 관측되었다.[55] 서 과달카날에서는 지속적인 폭우로 인해 500명의 학생들이 대피하는 상황이 발생했다.[56]3월 12일에는 아누타와 티코피아 섬을 강타하여 광범위한 피해를 입혔다.[58] 이 지역에서는 약 1,500채의 가옥이 손상되거나 파괴되었고, 5,000명의 주민이 직접적인 피해를 입었다.[57] 강풍으로 인해 수많은 나무가 쓰러졌으며, 부상자도 발생했지만 정확한 수는 알려지지 않았다. 티코피아에서는 식량 작물과 과일 나무의 약 90%를 잃었고, 수원 또한 오염되었다. 아누타는 모든 전화선이 고장나 연락이 두절되었으며,[58] 사이클론 팸이 지나간 후 최소 일주일 동안 고립되었다.[59]
3. 4. 피지
직접적인 피해는 크지 않았지만, 저지대 거주자들에게 침수 가능성이 경고되었다. 북부 지역에서는 비상 운영 센터가 가동되고 예방 조치가 시행되었다.[28]3. 5. 뉴칼레도니아
누벨칼레도니에는 예방 차원에서 사이클론 경보가 발령되었다.[53] 2015년 3월 13일 정오, 로열티 제도와 팡 섬에 사이클론 경보 1단계가 발령되었다.[67] 3월 14일 오전 3시에는 마레 섬과 리푸 섬에 최고 단계인 사이클론 경보 2단계가 발령되었으나,[68] 같은 날 오후 5시와 8시에 해제되었다. 3월 15일 오전 8시에는 모든 경보 단계가 해제되었다.전반적인 물질적 피해는 비교적 경미했다. 나무 몇 그루가 쓰러지고 지붕 몇 채가 날아갔으며, 긴급 주거 지원이 필요한 사람은 26명(마레 섬 18명, 리푸 섬 8명)에 불과했다. 폭풍이 최고조에 달했을 때 최대 6,000명의 주민이 정전 피해를 겪었지만, 대부분 지역에서 전력은 곧 복구되었다. 로열티 제도 주민들이 체감한 가장 큰 피해는 얌 수확량 감소였다. 이는 다가오는 계절의 생계 수단이자 결혼식 등 의식에 사용되는 문화적 도구로서, 마레 섬과 리푸 섬의 많은 지역 사회에 영향을 미칠 것이다.[69]
3. 6. 뉴질랜드
뉴질랜드 민방위 관계자들은 사이클론 팸의 잔해가 북섬 북동부 해안 지역 대부분에 전례 없는 피해를 가져올 수 있다는 심각한 기상 경보를 발령했다. 1988년 사이클론 볼라가 뉴질랜드 북섬을 강타했을 때보다 더 큰 피해를 줄 수 있는 6m~8m의 파도가 예보되었다.[70]3월 15일, 강풍이 북섬 북부 지역에 영향을 미치기 시작하여 다음 날까지 이어졌으며,[72] Kaeo에서는 최대 148km/h의 돌풍이 불었다.[71] Hicks Bay에서는 144km/h의 돌풍이 관측되었다.[71] 기즈번 지역에서 자발적인 대피가 이루어졌다.[72] Whangarei 지역에서 정전이 발생했다.[74] 폭우가 쏟아져 Hicks Bay와 기즈번 사이 지역에는 200mm 이상의 강수량을 기록했다.[73] 해안가를 따라서는 Tutukaka에서 4.5m의 파도가, Tolaga Bay 부근에서 5m~6m의 파도가 관측되었다.[74][75] 사이클론은 북섬 대부분과 남섬 북부 지역에 기온을 떨어뜨렸다.[73]
이 폭풍은 이후 채텀 제도(인구: 650명)에 최대 140km/h의 강풍을 몰고 와 민방위 비상 사태가 선포되었다. 쓰러진 나무로 인해 섬 일부 지역에서 정전이 발생했지만, 큰 피해는 보고되지 않았다. 12명이 공공 대피소로 피신했다.[76] 섬 북쪽에 있는 부두가 거친 파도에 의해 손상되었다.[77]
4. 국제 사회의 지원

사이클론 팸으로 인해 바누아투가 큰 피해를 입자, 국제사회는 재난 대비 및 구호 활동 지원에 나섰다. 짐 용 김 세계은행 총재는 바누아투 정부에 자연재해 대응 보험 제도 마련을 촉구했고, 반기문 유엔 사무총장은 기후 변화가 자연재해 위험을 증가시킨다고 강조했다.[79][80]
일본 센다이에서 열린 세계 재해 위험 경감 회의에 참석한 발드윈 론스데일 바누아투 대통령은 국제적 지원을 요청했다.[81] 이에 여러 국가와 국제기구들이 구호 자금 및 물품을 지원했다. 호주 3.8억호주 달러, 영국 2.9억파운드, 뉴질랜드 1.8억뉴질랜드 달러, 유럽 연합 1.05억유로, 인도 25만달러 등이 초기 지원에 참여했고, 추가 지원도 약속했다.[84] 누벨칼레도니와 프랑스령 폴리네시아는 31.8만달러의 긴급 구호 자금을 지원했다.[82][83]
하지만 피해 지역 대부분에 구호 물품이 전달되기까지는 상당한 시간이 걸렸다. 활주로와 심해 항만 부족은 구호 활동을 더디게 했다.[36] 세이브 더 칠드런 바누아투 지부장 톰 스키로는 사이클론 팸으로 인한 물류적 어려움이 2013년 태풍 하이옌보다 심각하다고 말했다.[29] 모소 섬 주민들은 바닷물을 마실 수밖에 없었고, 3월 17일까지 지원을 받지 못했다.[36] 팸이 강타한 지 2주 후인 3월 27일에야 모든 피해 섬에 지원이 도달했다.[88]
4. 1. 주변국 지원
호주, 프랑스, 뉴질랜드는 FRANZ 협정에 따라 피해 평가 및 인도적 지원을 제공했다. 호주는 호주 공군(RAAF)의 보잉 C-17 글로브마스터 III 항공기 두 대를 통해 최대 5,000명에게 필요한 물품을 보냈고, 록히드 C-130 허큘리스 항공기를 통해 긴급 평가 인력 및 외교부 관계자를 파견했다.[85] 뉴질랜드는 투발루에 대한 지원을 시작했다.[84]프랑스는 프리깃 ''방데미에르''를 누메아(Nouméa)에서 출항시켜 섬 영토에서 항공기와 함께 조사를 실시하도록 했다.[84] 또한 뉴칼레도니아 군대(New Caledonian Armed Forces) 공군 기지에서 에어텍 CN-235 수송기를 파견하여 급수 시설을 수리하고, 적십자 기술자와 예비 부품을 운송했다.[86] 프랑스령 폴리네시아에서도 에어텍 CN-235 수송기를 파견하여 재건을 위한 도구, 위성 통신, 텐트 및 10일 동안의 물류 물품을 운송했다.[87]
4. 2. 대한민국(한국)의 지원
대한민국은 국제 사회의 일원으로서 인도주의적 차원에서 바누아투에 대한 긴급 구호 활동에 참여했다. 3월 16일, 대한민국 정부는 국제협력기구(JICA)를 통해 2,000만 엔 상당의 긴급 원조 물자를 제공하기로 결정했다.[108][109] 외교부, JICA, 의료진 등으로 구성된 국제 긴급 원조대 조사팀을 현지에 파견하여 피해 상황을 파악하고 필요한 지원을 제공했다.[110]4. 3. 기타 국가 및 국제기구 지원
일본은 유엔 재해 평가 조정팀(UNDAC)에 인력을 파견하고, 국제협력기구(JICA)를 통해 2000만엔 상당의 긴급 원조 물자를 제공했다.[107][108][109] 또한, 국제 긴급 원조대 조사팀과 의료팀을 파견하여 현지 피해 상황 파악 및 의료 활동을 지원했다.[110][111][112]이스라엘은 셰퍼드 제도(Shepherds Islands)의 통고아에 배를 이용하여 40톤 이상의 쌀, 밀가루, 물을 지원했다.[89][90]
어드벤티스트 개발 구호 기관(ADRA), 세이브 더 칠드런(Save the Children) 등 여러 국제 구호 단체들이 쉘터 키트, 정수 키트, 식량 패키지 등을 배포하고 대피소를 설치하는 등 구호 활동을 펼쳤다.[91] 특히, ADRA는 3개 섬에서 2,586가구, 10,000명 이상을 지원했다.
5. 영향 및 교훈
사이클론 팸은 태평양 여러 지역에 영향을 미쳐 24명의 사망자를 냈으며, 이후 이 이름은 남태평양 열대 저기압 이름 목록에서 퇴출되었다.[28] 또한, 이 사이클론은 태평양 무역풍에 영향을 미쳤으며, 열대 폭풍 바비와 함께 기록상 가장 강력한 무역풍 반전을 일으켰다.[28]
참조
[1]
간행물
First Category 5 Tropical Cyclone of 2020, Harold, Pounds Vanuatu
https://blogs.scient[...]
Scientific American
2020-04-06
[2]
웹사이트
Cyclone Pam: Vanuatu awaits first wave of relief and news from worst-hit islands
https://www.theguard[...]
2015-03-15
[3]
논문
Current Conditions
http://www.weather.g[...]
United States Pacific El Niño-Southern Oscillation (ENSO) Applications Climate Center
2015-05-29
[4]
웹사이트
Tropical Disturbance Summary March 6, 2015 09z
http://www.met.gov.f[...]
Fiji Meteorological Service
2015-03-06
[5]
웹사이트
Significant Tropical Weather Advisory for the Western and Southern Pacific Oceans 062100
http://www.usno.navy[...]
United States Naval Meteorology and Oceanography Command
2015-03-06
[6]
웹사이트
Tropical Disturbance Summary For area Equator to 25S, 160E to 120W
http://weather.noaa.[...]
Fiji Meteorological Service
2015-03-07
[7]
웹사이트
Tropical Disturbance Advisory Number A7
http://weather.noaa.[...]
Fiji Meteorological Service
2015-03-08
[8]
웹사이트
Tropical Disturbance Advisory Number A9
http://weather.noaa.[...]
Fiji Meteorological Service
2015-03-09
[9]
웹사이트
Tropical Cyclone 17P (Pam) Warning NR 001
http://weather.noaa.[...]
United States Naval Meteorology and Oceanography Command
2015-03-09
[10]
웹사이트
Tropical Cyclone 17P (Pam) Warning NR 002
http://weather.noaa.[...]
United States Naval Meteorology and Oceanography Command
2015-03-09
[11]
웹사이트
Tropical Disturbance Advisory Number A13
http://gwydir.demon.[...]
Fiji Meteorological Service
2015-03-10
[12]
웹사이트
Tropical Cyclone 17P (Pam) Warning NR 003
http://weather.noaa.[...]
United States Naval Meteorology and Oceanography Command
2015-03-10
[13]
웹사이트
Hurricane Warning 020
http://weather.noaa.[...]
Fiji Meteorological Service
2015-03-10
[14]
웹사이트
Tropical Cyclone 17P (Pam) Warning NR 005
http://weather.noaa.[...]
United States Naval Meteorology and Oceanography Command
2015-03-10
[15]
웹사이트
Tropical Disturbance Advisory Number A16
http://weather.noaa.[...]
Fiji Meteorological Service
2015-03-11
[16]
웹사이트
Tropical Cyclone 17P (Pam) Warning NR 007
http://weather.noaa.[...]
United States Naval Meteorology and Oceanography Command
2015-03-11
[17]
웹사이트
Tropical Cyclone 17P (Pam) Warning NR 009
http://weather.noaa.[...]
United States Naval Meteorology and Oceanography Command
2015-03-11
[18]
웹사이트
Tropical Disturbance Advisory Number A22
http://weather.noaa.[...]
Fiji Meteorological Service
2015-03-12
[19]
웹사이트
Tropical Cyclone 17P (Pam) Warning NR 013
http://weather.noaa.[...]
United States Naval Meteorology and Oceanography Command
2015-03-12
[20]
웹사이트
Tropical Cyclone 17P (Pam) Warning NR 015
http://weather.noaa.[...]
United States Naval Meteorology and Oceanography Command
2015-03-13
[21]
웹사이트
Tropical Cyclone 17P (Pam) Warning NR 016
http://weather.noaa.[...]
United States Naval Meteorology and Oceanography Command
2015-03-13
[22]
웹사이트
Tropical Disturbance Advisory Number A25
http://weather.noaa.[...]
Fiji Meteorological Service
2015-03-13
[23]
웹사이트
Tropical Disturbance Advisory Number A27
http://weather.noaa.[...]
Fiji Meteorological Service
2015-03-14
[24]
웹사이트
Tropical Disturbance Advisory Number A11
http://www.rambocam.[...]
Fiji Meteorological Service
2002-12-28
[25]
웹사이트
Tropical Disturbance Advisory Number A28
http://weather.noaa.[...]
National Oceanic and Atmospheric Administration
2015-03-14
[26]
웹사이트
Hurricane Warning 243
http://weather.gmdss[...]
Meteorological Service of New Zealand Limited
2015-03-14
[27]
웹사이트
Tropical Cyclone 17P (Pam) Warning NR 021
http://weather.noaa.[...]
United States Naval Meteorology and Oceanography Command
2015-03-15
[28]
간행물
ENSO Wrap-Up: Tropical cyclone activity may lead to further ocean warming
http://www.bom.gov.a[...]
Australian Bureau of Meteorology
null
[29]
웹사이트
Vanuatu president begs world to help rebuild, blames climate change, after Cyclone Pam
http://www.canberrat[...]
2015-03-17
[30]
웹사이트
Cyclone Pam: Vanuatu activates emergency plans as category five system predicted
http://www.abc.net.a[...]
Australian Broadcasting Corporation
2015-03-12
[31]
뉴스
Cyclone 'devastates' South Pacific islands of Vanuatu
http://bbc.com/news/[...]
BBC News
null
[32]
뉴스
Dozens feared dead in Vanuatu after cyclone Pam leaves trail of destruction
https://www.theguard[...]
2015-03-14
[33]
뉴스
Cyclone Pam: Dozens feared dead in Vanuatu in 'one of worst storms in Pacific history'
https://www.telegrap[...]
2015-03-14
[34]
웹사이트
Vanuatu – Cyclone Pam Emergency Appeal
https://www.unicef.o[...]
null
[35]
웹사이트
Emergency – Cyclone Pam, Vanuatu
http://reliefweb.int[...]
ReliefWeb
2015-03-14
[36]
웹사이트
Cyclone Pam: Vanuatu islanders forced to drink saltwater
https://www.bbc.com/[...]
British Broadcasting Company
2015-03-17
[37]
웹사이트
Aid workers scramble to help Cyclone Pam victims in Vanuatu
http://www.cnn.com/2[...]
CNN
2015-03-15
[38]
웹사이트
Vanuatu govt still say Cyclone Pam death toll at 11
http://www.radionz.c[...]
Radio New Zealand International
2015-03-22
[39]
웹사이트
63 Mataso locals evacuated to Efate
http://reliefweb.int[...]
ReliefWeb
2015-03-31
[40]
뉴스
Tropical Cyclone Pam: Vanuatu death toll rises to 16 as relief effort continues
http://www.abc.net.a[...]
Australian Broadcasting Corporation
2015-03-22
[41]
웹사이트
Cyclone Pam: more deaths and water shortages to follow storm
https://www.theguard[...]
2015-03-15
[42]
웹사이트
Supporting cyclone recovery and reconstruction in Vanuatu
https://dfat.gov.au/[...]
Department of Foreign Affairs and Trade
2018-12-11
[43]
웹사이트
UNESCO supports recovery of Vanuatu's culture sector following Tropical Cyclone Pam
http://www.preventio[...]
Prevention Web
2015-05-15
[44]
뉴스
Peak tide affects Tuvaluan communities living in coastal and low-lying areas
http://www.islandsbu[...]
Island Business (FENUI NEWS/PACNEWS)
2015-03-23
[45]
웹사이트
Tuvalu surveys road damage after king tides
http://www.radionz.c[...]
Radio New Zealand
2015-02-24
[46]
간행물
Emergency Plan of Action (EPoA) Tuvalu: Tropical Cyclone Pam
http://reliefweb.int[...]
ReliefWeb
2015-03-16
[47]
웹사이트
One Tuvalu island evacuated after flooding from Pam
http://www.radionz.c[...]
2015-03-18
[48]
웹사이트
Emergency supplies being mobilised for Tuvalu
http://www.fijitimes[...]
2015-03-16
[49]
웹사이트
State of emergency in Tuvalu
http://www.radionz.c[...]
Radio New Zealand International
2015-03-14
[50]
웹사이트
Press Release issued by the Office of the Prime Minister
https://www.un.int/t[...]
Fenui News
2018-11-17
[51]
뉴스
45 percent of Tuvalu population displaced – PM
http://www.radionz.c[...]
2015-03-15
[52]
웹사이트
Tuvalu hit with US$90m cyclone damage bill
http://www.radionz.c[...]
Radio New Zealand
2015-06-25
[53]
웹사이트
Vanuatu prepares for worst as Cyclone Pam approaches
http://www.radionz.c[...]
Radio New Zealand
2015-03-12
[54]
뉴스
Cyclone damage in Solomon Islands
http://reliefweb.int[...]
ReliefWeb
2015-03-13
[55]
웹사이트
Tropical Cyclone Pam batters South Pacific islands
http://www.aljazeera[...]
Al Jazeera
2015-03-11
[56]
웹사이트
Storm forces mass evacuation of Solomons school
http://www.radionz.c[...]
Radio New Zealand
2015-03-12
[57]
웹사이트
World Vision to provide relief to Temotu
http://www.solomonst[...]
Solomon Star
2015-03-25
[58]
웹사이트
Cyclone damage in Solomon Islands
http://www.radionz.c[...]
Radio New Zealand International
2015-03-13
[59]
웹사이트
Aid to Solomons Tikopia and Anuta
http://www.radionz.c[...]
Radio New Zealand International
2015-03-20
[60]
뉴스
Cawaki warns of flooding
http://www.fijitimes[...]
2015-03-11
[61]
웹사이트
Northern Division activates Emergency Operations Centre
http://reliefweb.int[...]
ReliefWeb
2015-03-15
[62]
뉴스
On full alert
http://www.fijitimes[...]
2015-03-12
[63]
뉴스
Cyclone Pam moves through Pacific Ocean with potential of turning into category five system
http://www.abc.net.a[...]
ReliefWeb
2015-03-15
[64]
뉴스
Severe Tropical Cyclone Pam: Cruise operators cancel Yasawa trips
http://www.fijitimes[...]
2015-03-12
[65]
웹사이트
Volvo Ocean Race postpones start due to Tropical Cyclone Pam
http://www.sailingsc[...]
Scuttlebutt Sailing News
2015-03-11
[66]
웹사이트
Cyclone Pam: Pacific nations on alert as storm intensifies to category three system
http://www.abc.net.a[...]
ReliefWeb
2015-03-15
[67]
웹사이트
Communiqué de presse_DSCGR_du 13 mars 2015_alerte cyclonique n°1 (PAM) | Direction de la Sécurité Civile et de la Gestion des Risques
https://securite-civ[...]
Securite-civile.nc
2015-03-14
[68]
웹사이트
Communiqué de presse_DSCGR_du 13 mars 2015_alerte cyclonique n°2 (PAM) | Direction de la Sécurité Civile et de la Gestion des Risques
https://securite-civ[...]
Securite-civile.nc
2015-03-14
[69]
웹사이트
Légers Dégâts sur le Caillou
http://www.lnc.nc/ar[...]
Les Nouvelles Calédoniennes
2015-03-17
[70]
웹사이트
NZ braces for Cyclone Pam
http://www.radionz.c[...]
Radio New Zealand
2015-03-12
[71]
웹사이트
TC Pam Summary
http://blog.metservi[...]
MetService
2015-03-20
[72]
웹사이트
Cyclone Pam reaches New Zealand
http://www.3news.co.[...]
3News
2015-03-15
[73]
웹사이트
Cyclone Pam – Latest update 7:35 pm Monday 16th March
http://blog.metservi[...]
MetService
2015-03-16
[74]
웹사이트
Cyclone Pam weakening as it nears New Zealand video
http://www.stuff.co.[...]
stuff.co.nz
2015-03-15
[75]
뉴스
Cyclone Pam: 'Never seen anything like it'
http://www.nzherald.[...]
2015-03-16
[76]
뉴스
Pam causes power outage in Chatham Islands
http://www.stuff.co.[...]
2015-03-17
[77]
웹사이트
Cyclone Pam: Conditions expected to worsen in Chathams
http://www.nzherald.[...]
2015-03-17
[78]
웹사이트
Cyclone Pam: Why Japan is a leader in disaster relief
http://www.csmonitor[...]
2015-03-14
[79]
웹사이트
Vanuatu appeals for help after Cyclone Pam strikes
http://www.ft.com/cm[...]
2015-03-15
[80]
웹사이트
Ban highlights climate risks as Vanuatu counts dead from Cyclone Pam
http://www.dw.de/ban[...]
Deutsche Welle
2015-03-14
[81]
웹사이트
'Disaster' in Vanuatu After Cyclone Pam Tears Through Pacific Archipelago
https://www.nbcnews.[...]
2015-03-15
[82]
웹사이트
Notre soutien au Vanuatu après le cyclone Pam
https://www.province[...]
2015-03-17
[83]
웹사이트
La Polynésie débloque 10 millions de francs pour aider les sinistrés du Vanuatu
http://polynesie.la1[...]
[84]
웹사이트
Aid effort stepped up after monster Vanuatu cyclone
http://reliefweb.int[...]
ReliefWeb
2015-03-14
[85]
웹사이트
Cyclone Pam: Australia gives Vanuatu $5 million in aid
http://www.smh.com.a[...]
2015-03-15
[86]
웹사이트
L'assistance au Vanuatu, c'est parti
https://radiococotie[...]
[87]
웹사이트
Deux Casa et un Guardian engagés pour venir en aide à Vanuatu
http://fr.dfns.net/2[...]
[88]
웹사이트
Cyclone Pam: UN agency reports all 22 Vanuatu islands reached with relief supplies
https://www.un.org/a[...]
United Nations News Centre
2015-03-27
[89]
웹사이트
IsraAID brings aid to Vanuatu after Cyclone Pam
http://mfa.gov.il/MF[...]
[90]
웹사이트
After cyclone, Israeli mission provides relief in Vanuatu
http://www.timesofis[...]
[91]
웹사이트
Vital Needs Met in Vanuatu
https://adra.org/vit[...]
ADRA
2015-03-25
[92]
웹사이트
International assistance due today in Tuvalu
http://www.radionz.c[...]
2015-03-17
[93]
웹사이트
Taiwan donates US$61,000 to cyclone-hit Tuvalu
http://focustaiwan.t[...]
Focus Taiwan
2015-03-17
[94]
웹사이트
UNICEF rushes emergency supplies for cyclone-affected Tuvalu
https://www.un.org/a[...]
2015-03-19
[95]
웹사이트
Aust sends cyclone aid to Tuvalu
https://au.news.yaho[...]
2015-03-19
[96]
웹사이트
Tuvalu: Tropical Cyclone Pam Situation Report No. 1 (as of 22 March 2015)
http://reliefweb.int[...]
Relief Web
2015-03-22
[97]
웹사이트
Tuvalu: Tropical Cyclone Pam Situation Report No. 2 (as of 30 March 2015)
http://reliefweb.int[...]
Relief Web
2015-03-30
[98]
뉴스
近年最強級のサイクロンがバヌアツ直撃、被害甚大か
https://www.cnn.co.j[...]
[99]
웹사이트
(速報)バヌアツ サイクロン「パム」救援
http://www.jrc.or.jp[...]
日本赤十字社
2015-03-16
[100]
웹사이트
バヌアツ:大型サイクロン・パムが直撃 緊急支援を待つ子どもたち、6万人
http://www.unicef.or[...]
日本ユニセフ協会
2015-03-15
[101]
뉴스
サイクロン被害のバヌアツ、「首都は9割倒壊」
https://web.archive.[...]
[102]
뉴스
バヌアツ、サイクロンの被害状況 徐々に判明 食料不足に懸念
https://www.afpbb.co[...]
[103]
웹사이트
ツバル全土に非常事態宣言
http://www.tuvalu-ov[...]
ツバル・オーバービュー
2015-03-13
[104]
웹사이트
サイクロン被害のバヌアツとツバル、非常事態を宣言
http://www.asahi.com[...]
朝日新聞
2015-03-15
[105]
웹사이트
バヌアツ 首都以外の被害状況 依然不明
http://www3.nhk.or.j[...]
日本放送協会
2015-03-15
[106]
뉴스
サイクロン直撃のバヌアツ、食料「あと1週間持たない」
https://www.afpbb.co[...]
[107]
간행물
バヌアツ共和国サイクロン被害への国際緊急援助(UNDAC派遣・物資供与・調査チーム派遣)について
http://www.jica.go.j[...]
[108]
간행물
バヌアツにおけるサイクロン被害に対する緊急援助:外務省
https://www.mofa.go.[...]
[109]
간행물
平成27年03月に発生しているバヌアツのサイクロン被害について
http://www.inmicsai.[...]
[110]
뉴스
サイクロン被害のバヌアツに政府が調査チーム派遣
http://www3.nhk.or.j[...]
[111]
뉴스
日本放送協会:バヌアツに日本の調査チームが到着
http://www3.nhk.or.j[...]
[112]
간행물
バヌアツにおけるサイクロン被害に対する国際緊急援助隊の派遣について(医療チームの出発)
http://www.jica.go.j[...]
[113]
뉴스
養護施設建設
神戸新聞
2015-03-19
[114]
뉴스
開所式
バヌアツ・デーリー・ポスト
2015-04-29
[115]
웹인용
Cyclone Pam: Vanuatu awaits first wave of relief and news from worst-hit islands
https://www.theguard[...]
2015-03-15
[116]
저널
Pacific ENSO Update: 2nd Quarter 2015
http://www.weather.g[...]
United States Pacific El Niño-Southern Oscillation (ENSO) Applications Climate Center
2015-05-29
[117]
웹인용
Tropical Disturbance Summary March 6, 2015 09z
http://www.met.gov.f[...]
Fiji Meteorological Service
2015-03-06
[118]
웹인용
Significant Tropical Weather Advisory for the Western and Southern Pacific Oceans 062100
http://www.usno.navy[...]
United States Naval Meteorology and Oceanography Command
2015-03-06
[119]
웹인용
Tropical Disturbance Summary For area Equator to 25S, 160E to 120W
http://weather.noaa.[...]
Fiji Meteorological Service
2015-03-07
[120]
웹인용
Tropical Disturbance Advisory Number A7
http://weather.noaa.[...]
Fiji Meteorological Service
2015-03-08
[121]
웹인용
Tropical Disturbance Advisory Number A9
http://weather.noaa.[...]
Fiji Meteorological Service
2015-03-09
[122]
웹인용
Tropical Cyclone 17P (Pam) Warning NR 001
http://weather.noaa.[...]
United States Naval Meteorology and Oceanography Command
2015-03-09
본 사이트는 AI가 위키백과와 뉴스 기사,정부 간행물,학술 논문등을 바탕으로 정보를 가공하여 제공하는 백과사전형 서비스입니다.
모든 문서는 AI에 의해 자동 생성되며, CC BY-SA 4.0 라이선스에 따라 이용할 수 있습니다.
하지만, 위키백과나 뉴스 기사 자체에 오류, 부정확한 정보, 또는 가짜 뉴스가 포함될 수 있으며, AI는 이러한 내용을 완벽하게 걸러내지 못할 수 있습니다.
따라서 제공되는 정보에 일부 오류나 편향이 있을 수 있으므로, 중요한 정보는 반드시 다른 출처를 통해 교차 검증하시기 바랍니다.
문의하기 : help@durumis.com
