시소모나스속
"오늘의AI위키"의 AI를 통해 더욱 풍부하고 폭넓은 지식 경험을 누리세요.
1. 개요
시소모나스속은 다양한 생활 형태를 보이는 단세포 원생생물로, 편모 세포, 아메바 세포, 낭종 등 여러 형태로 존재하며, 여러 세포가 뭉쳐 임시적인 덩어리를 형성하기도 한다. 베트남 담수에서 발견되었으며, 다른 소형 진핵생물을 섭취하는 종속영양 생물이다. 시소모나스속은 동물과 밀접한 관련이 있는 홀로조아 계통에 속하며, 코랄로키트리움속과 함께 플루리포르메아를 구성한다.
더 읽어볼만한 페이지
- 2017년 기재된 분류군 - 동부난쟁이갈라고속
동부난쟁이갈라고속은 2017년에 분류된 갈라고의 한 속으로, 아프리카 동부와 남동부에 서식하는 5종으로 구성되어 있으며, 서식지 파괴로 일부 종은 멸종 위기에 처해 있다. - 2017년 기재된 분류군 - 마블가재
마블가재는 암컷만으로 번식하는 단성생식 특징을 가진 가재로, 높은 번식력으로 인해 생태계에 위협을 가하며, 한국을 포함한 여러 대륙의 자연 생태계에서 발견된다. - 원생생물 - 유공충
유공충은 단단한 껍질을 가진 원생생물로, 껍질 형태와 구성에 따라 분류되며, 해양 환경에서 생물 층서 및 고기후 연구, 석유 탐사 등 다양한 분야에 활용된다. - 원생생물 - 코아노조아
코아노조아는 칼라 구조를 특징으로 하는 깃편모충류와 동물을 포함하는 계통 분류군으로, 동물의 기원과 밀접한 관련이 있으며, 동물 진화 연구에 중요한 연결고리를 제공한다.
| 시소모나스속 - [생물]에 관한 문서 | |
|---|---|
| 기본 정보 | |
![]() | |
| 학명 | Syssomonas |
| 명명자 | Tikhonenkov et al. 2017 |
| 상위 명명자 | Cavalier-Smith 2021 |
| 모식종 | Syssomonas multiformis |
| 모식종 명명자 | Tikhonenkov et al. 2017 |
| 종 | S. multiformis |
| 기준 균주 | Colp-12 |
| 기준 균주 보관 | MI-PR205Marine Invertebrate Collection, Beaty Biodiversity Museum, University of British Columbia |
| 분류 | |
| 역 | 진핵생물 |
| 미분류 | 단편모생물 |
| 미분류 | 후편모생물 |
| 미분류 | 플루리포르메아 |
2. 생활사
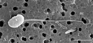
''시소모나스 멀티포르미스''영어는 복잡한 생활환 동안 다양한 생활 형태를 보이는, 껍질이나 비늘이 없는 단세포 원생생물 종이다. 여기에는 하나의 후방 편모를 가진 둥근 편모 세포(직경 7–14 μm), 편모와 가짜발을 모두 가진 아메보편모세포, 편모가 없는 아메바 세포, 구형 낭종 등이 포함되며, 여러 세포의 집단을 형성할 수도 있다.
2. 1. 단세포 단계: 편모형, 아메바형, 낭종
''시소모나스 멀티포르미스''는 껍질이나 비늘이 없는 단세포 원생생물로, 복잡한 생활환 동안 다양한 생활 형태를 보인다. 가장 흔한 형태는 하나의 후방 편모를 가진 둥근 편모 세포(직경 7~14μm)이며, 이는 동물 정자 또는 유주균 유주자를 연상시킨다.
편모 운동 단계에서 세포는 세포의 중간 측면에서 나오는 매끄러운 편모가 하나 있으며, 뒤로 향한다. 헤엄치는 동안 편모의 빠른 박동은 두 개의 편모가 있는 것처럼 보이게 한다. 운동 세포는 회전하며 갑자기 멈추고 운동 방향을 바꿀 수 있다. 고립된 세포는 세포체의 앞쪽 부분을 통해 기질에 일시적으로 부착될 수 있으며, 빠른 편모 박동으로 물의 흐름을 생성하여 여름세포충류 또는 여름세포를 연상시킨다.
부유 세포는 넓은 가족 위족과 얇고 짧은 사상위족을 생성하고 편모 박동을 늦춤으로써 아메보편모충으로 변환한다. 아메보편모충은 앞쪽 위족을 통해 기질을 따라 기어갈 수 있다.
''Syssomonas''의 아메보편모충 단계는 세 가지 다른 방식으로 편모를 잃을 수 있다. 갑자기 버리거나, 뻗어 있을 때 세포 안으로 후퇴시키거나, 세포 아래로 감고 나선형으로 세포 안으로 후퇴시키는 것이다. 그 결과 얇고 짧은 사상위족을 생성하고 때로는 두 개의 수축포를 갖는 아메바 단계가 된다. 아메바와 아메보편모충 모두 다시 편모충으로 변할 수 있다.
아메바 단계는 사상위족을 후퇴시키고 둥근 낭이 될 수 있으며, 여기서 palintomic 세포 분열 (즉, 세포질 성장 없이 빠르게 세포 분열이 일어나는 현상, 이는 동물 난할의 특징이다.)[1]이 발생하여 낭 내부에서 2, 4, 8 또는 16개의 편모 세포가 생성되어 방출될 수 있다.
2. 2. 집합 다세포 단계
''시소모나스''의 세포는 부분적으로 융합되어 약 3~10개의 세포로 이루어진 임시 덩어리를 형성할 수 있으며, 일반적으로 형태가 없고 수주의 바닥 근처에서 관찰된다. 또한 편모 세포만 서로 결합하여 편모가 바깥쪽으로 향하게 하여 털깃편모충의 로제트 모양의 군체와 유사한 방식으로 뭉칠 수도 있다. 두 덩어리 모두 쉽게 분해되며, 세포막은 융합되지 않는다.고체 미생물 배양에서 단일 세포는 때때로 페트리 접시 바닥에서 융합체와 유사하거나 가성 점균 구조로 완전히 융합될 수 있으며, 여기서 핵은 융합되지 않는다. 이러한 융합체로부터 딸세포의 출아가 일어난다. 여러 세포의 집합으로 다핵 세포가 형성되는 현상은 다른 원생생물 계통 (균류동물의 점균류, Tubulinea의 ''Copromyxa'', Excavata의 아크라시아강, Alveolata의 ''Sorogena'', Stramenopiles의 ''Sorodiplophrys'', Rhizaria의 ''Guttulinopsis'', 그리고 후생동물 내의 ''Fonticula alba'')에서 알려져 있지만, 이러한 융합체로부터 출아하는 현상은 다른 진핵생물에서는 관찰되지 않았다. 아메바 형태의 사상족 단계에서 집합 단계로의 전환은 또 다른 홀로조아인 ''Capsaspora owczarzaki''에서도 관찰된다. 융합체의 형성은 동물에서도 발생한다. 유리 해면의 세포질, 편형동물의 피복 및 포유류의 골격근과 태반은 모두 융합체 구조이다.
''시소모나스''에서 세포의 융합은, 아마도 화학적 신호에 의해, 근처의 다른 세포를 끌어들여 활발하게 헤엄치고 덩어리에 부착하도록 유도한다. 이것은 세포 분열과는 달리 덩어리가 성장하는 유일한 방법인 것으로 보인다.
3. 생태
베트남의 담수 웅덩이에서 분리된 ''시소모나스 멀티포르미스''는 5°C~36°C의 온도에서 생존할 수 있다. 이 생물은 다른 유사한 크기의 진핵생물 세포질 내용을 섭취하는데, 이는 단세포 홀로조안에서 특이한 특징이다. 특히, 종속영양 황금편모조류와 보도조류(예: ''파라보도 카우다투스''와 ''스푸멜라'' 종)의 포식자이다. 콜라르편모충류와 유사한 방식으로 세균과 작은 부스러기를 삼킬 수도 있다.
다른 많은 진핵생물 원생생물과 달리 ''시소모나스'' 세포는 사냥을 위한 어떠한 돌출 세포소기관도 가지고 있지 않다. 대신, 먹이 세포에 부착하여 세포막을 삼키지 않고 세포질을 빨아들인다. 이들은 비활성 상태이거나, 느리거나, 죽은 세포 또는 낭포를 더 잘 먹는다. 하나의 세포가 먹이에 부착된 후, 아마도 화학 신호에 의해, 다른 많은 ''시소모나스'' 세포가 동일한 먹이 세포로 유인되어 부착하려 한다. 여러 세포가 공동으로 동일한 먹이 세포의 세포질을 빨아들일 수 있다.
짧은 가족을 사용하여 세균 덩어리를 섭취한다. 그 후, 후방 세포 말단에 큰 식포를 형성한다. 그러나 세균만으로는 ''시소모나스''에게 충분한 영양 공급이 되지 않는다. 어떤 진핵생물 먹이도 없이, 세포는 죽거나 휴면 낭포를 형성한다.
4. 계통 분류
시소모나스속은 홀로조아(Holozoa)에 속하는 분류군이다. 동물, 깃편모충류와 함께 필로조아(Filozoa) 계통군을 형성하거나, 혹은 이크티오스포레아(Ichthyosporea)와 함께 테레토스포레아(Teretosporea)를 형성한다는 가설이 있다. 계통유전체학 분석에 따르면, 시소모나스속은 코랄로키트리움속(Corallochytrium)과 자매군을 이루어 플루리포르메아(Pluriformea)를 형성한다.[3][4][5][6]
4. 1. 후편모생물 계통 분류 내 위치 (최신 연구 반영)
다음은 후편모생물의 계통 분류이다.[3][4][5][6]Holozoa 계통인 "시소모나스속"은 동물과 밀접한 관련이 있는 여러 원생생물 그룹 중 하나이므로, 동물의 다세포성 기원을 찾는 연구 대상이 된다. ''Syssomonas''를 포함한 최초의 계통유전체학 분석에서는 이 속을 ''Corallochytrium''의 자매 분류군으로 분류했다. 이들은 함께 Pluriformea라는 분류군을 구성하며, 이는 Filozoa의 자매 분류군으로 밝혀졌다. 또 다른 가설에서는 Pluriformea를 Ichthyosporea의 자매 그룹으로, Teretosporea라고 알려진 분류군으로 분류한다. 다음 그림은 첫 번째 가설에 따른 후생동물 내 ''Syssomonas''의 위치를 보여준다.








참조
[1]
논문
Cell differentiation and germ–soma separation in Ediacaran animal embryo-like fossils
2014-09
[2]
간행물
Occurrence of the thraustochytrid, Corallochytrium limacisporum gen. et sp. nov. in the coral reef lagoons of the Lakshadweep Islands in the Arabian Sea
http://md1.csa.com/p[...]
2020-03-14
[3]
저널
The Ediacaran emergence of bilaterians: congruence between the genetic and the geological fossil records
http://rstb.royalsoc[...]
2008-04-27
[4]
저널
Estimating the timing of early eukaryotic diversification with multigene molecular clocks
2011-08-16
[5]
저널
Novel Predators Reshape Holozoan Phylogeny and Reveal the Presence of a Two-Component Signaling System in the Ancestor of Animals
[6]
저널
High-level classification of the Fungi and a tool for evolutionary ecological analyses
2018-02-22
[7]
문서
BCG1 = basal clone group 1, BCG2 = basal clone group 2
본 사이트는 AI가 위키백과와 뉴스 기사,정부 간행물,학술 논문등을 바탕으로 정보를 가공하여 제공하는 백과사전형 서비스입니다.
모든 문서는 AI에 의해 자동 생성되며, CC BY-SA 4.0 라이선스에 따라 이용할 수 있습니다.
하지만, 위키백과나 뉴스 기사 자체에 오류, 부정확한 정보, 또는 가짜 뉴스가 포함될 수 있으며, AI는 이러한 내용을 완벽하게 걸러내지 못할 수 있습니다.
따라서 제공되는 정보에 일부 오류나 편향이 있을 수 있으므로, 중요한 정보는 반드시 다른 출처를 통해 교차 검증하시기 바랍니다.
문의하기 : help@durumis.com
