후편모생물
"오늘의AI위키"의 AI를 통해 더욱 풍부하고 폭넓은 지식 경험을 누리세요.
1. 개요
후편모생물은 동물의 정자와 키트리드 균류의 유주자와 같이, 후편모라고 불리는 단일 편모를 사용하여 움직이는 특징을 가진 진핵생물 분류군이다. 이 분류군은 동물, 균류, 그리고 이들과 밀접한 관계를 가진 여러 원생생물을 포함하며, 외골격, 키틴 합성, 삼투 영양, 세포외 소화 등의 특징을 공유한다. 후편모생물은 홀로미코타(균류와 유사)와 홀로조아(동물과 유사)로 나뉘며, 아메보조아와 함께 아몰페아로 분류된다.
더 읽어볼만한 페이지
- 생물 계통도에 관한 - 눈표범
눈표범은 고양이과 동물로 중앙아시아와 남아시아의 고산 지대에 서식하며, 길고 두꺼운 털, 큰 발, 긴 꼬리가 특징이며, 유전자 분석 결과 호랑이와 가장 가까운 종으로 밝혀졌으며, 밀렵과 서식지 파괴로 인해 개체 수가 감소하여 여러 국가에서 보호 노력이 진행 중이다. - 생물 계통도에 관한 - 벵골호랑이
벵골호랑이는 인도아대륙에서 서식하는 호랑이 아종으로, 노란색~주황색 털과 검은 줄무늬를 가지며, 멧돼지, 사슴 등 우제류를 먹이로 하며, 서식지 파괴와 밀렵으로 인해 제한적인 지역에서 서식한다. - 생물 분류에 관한 - 다람쥐
다람쥐는 등 쪽에 줄무늬가 있는 다람쥐속 설치류로, 홀로 생활하며 겨울잠을 자고 씨앗, 견과류, 곤충 등을 먹으며 맹금류 등의 먹이가 되고, 특히 한반도 서식 다람쥐는 새로운 종으로 분류될 가능성이 있으며, 유럽에서는 침입 외래종으로 지정되기도 하고 라임병을 옮길 수 있어 주의가 필요한 동물이다. - 생물 분류에 관한 - 황금랑구르
황금랑구르는 인도 아삼 주와 부탄에 분포하며 크림색에서 황금색 털을 가진 멸종위기종 영장류로, 서식지 파괴로 개체수가 감소하여 보호받고 있다.
2. 편모와 기타 특징
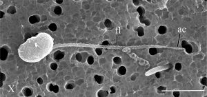
후편모생물의 공통적인 특징은 대부분의 동물의 정자와 키트리드 진균류의 유주자와 같은 편모세포가 단 하나의 후편모(posterior flagellum)를 이용하여 이동한다는 점이다. 이 특징 때문에 이 분류군의 이름이 붙여졌다. 반대로 다른 진핵생물 분류군의 편모세포는 하나 이상의 전편모(anterior flagella)를 이용하여 이동한다. 그러나 후편모생물의 일부 분류군, 특히 대부분의 진균류에서는 편모세포가 이차적으로 소실되었다.[6]
동물과 균류 사이의 밀접한 관계는 1987년 토마스 캐벌리어-스미스가 처음 제안했다.[12] 그는 비공식적으로 '후편모생물'(Opisthokonta)이라는 명칭을 사용했는데, 이 이름은 1956년 허버트 코플랜드가 키트리드류를 분류하며 공식적으로 사용했던 명칭이다. 캐벌리어-스미스의 주장은 이후 유전자 연구들을 통해 뒷받침되었다.[13]
후편모생물은 크게 두 개의 주요 분기군, 즉 균계 및 관련 생물을 포함하는 홀로미코타(Holomycota)와 동물계 및 관련 생물을 포함하는 홀로조아(Holozoa)로 나뉜다.[15] 이 두 그룹의 분기보다 더 이전에 갈라져 나온, 즉 더 기저적인 후편모생물은 아직 확인되지 않았다. 후편모생물의 분류는 Torriella 등의 연구를 통해 상당 부분 정립되었다.[15]
후편모생물의 다른 특징으로는 외골격, 낭포/포자벽, 또는 균사의 세포벽에서 세포 밖으로 키틴을 합성하는 능력, 삼투 영양 흡수를 통해 주변 환경의 물질을 세포 밖에서 소화하여 흡수하는 방식, 그리고 기타 세포 생합성 및 대사 경로 등이 있다. 각 분지의 기저에 있는 속들은 아메바 형태이며 포식 영양성(phagotrophic)이다.[11]
후편모생물은 아메보조아와 가까운 관계이다. 두 분류군은 과거 편모가 하나라는 점에서 유니콘타로 불렸으나, 여러 개의 편모를 가진 분류군도 포함하는 것이 확실해지면서[24] 아몰페아라는 이름으로 변경되었다.[25]
후편모생물 중 동물과 균류를 제외한 일부 원생생물은 과거 깃편모충류나 메소미세토조아로 묶이기도 했지만,[28] 이들이 단계통성을 이루지 않는다는 것이 밝혀지면서 현재는 잘 사용되지 않는다.[29][25]
3. 역사
초기 계통 발생 연구에서는 균류를 식물이나 납작한 크리스타를 가진 미토콘드리아를 지닌 다른 그룹과 가깝게 분류하기도 했지만, 이러한 특징은 생물군에 따라 다양하게 나타난다. 최근 연구에 따르면, 후편모생물(동물 포함)과 홀로미코타(균류 포함)는 식물보다 서로 훨씬 더 가까운 관계에 있는 것으로 밝혀졌다. 이는 특정 유전자 융합의 차이로 설명될 수 있다. 예를 들어, 후편모생물은 식물에는 없는 카르바모일인산 합성효소, 디히드로오로타아제, 아스파르트 카르바모일트랜스퍼라아제의 삼중 융합 유전자를 가지고 있는 반면, 식물은 후편모생물에는 없는 티미딜레이트 합성효소와 디히드로폴레이트 환원효소의 융합 유전자를 가지고 있다. 또한 동물과 균류는 식물과 달리 스스로 양분을 만들지 못하는 종속영양생물이며, 균류는 식물처럼 한 곳에 정착해 살아가는 고착성 생활을 하지만 일부 고착성 동물도 존재한다.
후편모생물 개념의 역사는 19세기 후반으로 거슬러 올라간다. 헨리 제임스-클라크와 윌리엄 새빌-켄트는 깃편모충과 해면동물의 깃세포(choanocyte)가 유사하다는 점을 지적했다. 하지만 당시에는 해면동물을 군체 생활을 하는 편모충의 일종으로 여겼으며, 깃편모충이 후생동물의 직접적인 조상이라고는 생각하지 않았다.[38]
20세기 중반, 식물학자 빌헬름 피셔(빌헬름 피셔)는 세포 뒤쪽에 달린 하나의 편모로 움직이는 미생물군을 가리켜 '오피스토콘태'(Opistokontae)라는 잠정적인 명칭을 제안했다.[39] 곧이어 헬무트 가움스는 후생동물의 정자 역시 비슷한 특징을 가진다고 지적했지만,[40] 당시 그의 아이디어는 널리 받아들여지지 않았다.[38] 앞서 언급된 허버트 코플랜드는 1956년에 키트리드류(난균류)에 대해 '오피스토콘타 문'(phylum Opisthokonta)이라는 분류군을 설정하면서도, 가움스의 가설에 대해서는 "흥미롭지만 현재로서는 억지라고 생각해야 한다"고 평가했다.[42][38]
전자 현미경 기술의 발달로 세포의 미세 구조를 자세히 관찰할 수 있게 되면서, 난균류, 깃편모충류, 후생동물 정자 사이에는 편모 운동 방식뿐만 아니라 미토콘드리아의 크리스테 형태에서도 공통점이 있다는 사실이 밝혀졌다. 이를 바탕으로 캐벌리어-스미스는 1987년, 동물과 균류가 키틴을 사용하고, 저장 다당류로 글리코겐을 가지며, 엽록체가 없고, 미토콘드리아의 유전암호에서 UGA 코돈이 트립토판을 지정하는 등 여러 공통점을 공유한다고 지적했다. 그는 동물, 깃편모충, 균류가 이러한 특징들을 가진 공통 조상으로부터 갈라져 나온 하나의 분기군(클레이드)을 형성한다고 주장하며 '오피스토콘타'라는 이름을 다시 사용했다.[21] 이 주장은 이후 SSU 리보솜 RNA 염기서열을 이용한 분자 계통 분석 연구들을 통해 강력한 지지를 받게 되었다.[43]
캐벌리어-스미스와 스테치만 등은 후편모생물과 아메바류처럼 편모가 하나인 진핵생물(단편모류)이, 편모가 두 개인 다른 진핵생물(이편모류, 또는 바이콘타)로부터 진화 초기에 갈라져 나왔다고 주장했다.[14][44] 그러나 최근 연구들은 여러 편모를 가진 그룹들이 단편모류 내에 포함된다는 것을 보여주면서, 이편모류(바이콘타)가 하나의 단계통군이라는 주장은 부정되고 있다.[45][24] 현재 후편모생물은 아메보조아와 가까운 관계에 있는 것으로 여겨지며, 이 두 그룹을 합쳐 아몰페아라고 부른다.[25] 과거에는 후편모생물 중 동물과 균류를 제외한 일부 원생생물을 깃편모충류(Choanozoa)나 메소미세토조아(Mesomycetozoa)로 묶기도 했으나,[28] 이들이 단계통군이 아니라는 것이 밝혀지면서 현재는 잘 사용되지 않는다.[29][25]
4. 분류
4. 1. 하위 분류
후편모생물은 크게 두 그룹, 즉 홀로미코타(Holomycota)와 홀로조아(Holozoa)로 나뉜다. 홀로미코타는 균계 및 균계와 더 가까운 생물들을 포함하며, 홀로조아는 동물계 및 동물계와 더 가까운 생물들을 포함한다. 이 두 그룹의 분기보다 더 이전에 갈라져 나온 후편모생물은 아직 확인되지 않았다. 후편모생물의 분류는 Torriella 등의 연구를 통해 상당 부분 해결되었다.[15]
과거에는 후편모생물 중 동물과 균류를 제외한 일부 원생생물을 코아노조아(Choanozoa) 또는 메소미케토조아(Mesomycetozoa)로 묶기도 했으나,[28] 이들이 단계통군(하나의 공통 조상에서 유래한 모든 후손을 포함하는 그룹)이 아니라는 사실이 밝혀지면서 현재는 잘 사용되지 않는다.[29][25] 코아노조아라는 이름은 현재 동물과 깃편모충으로 구성된 분류군을 가리키는 경우도 있다.[26][27]
후편모생물은 아메바류(Amoebozoa)와 가까운 관계이며, 이 둘을 합쳐 아몰페아(Amorphea)라고 부른다.[25] 과거에는 편모가 하나인 특징 때문에 유니콘타(Unikonta)라고 불렸으나, 여러 개의 편모를 가진 생물이 포함되는 것이 밝혀지면서[24] 아몰페아라는 이름으로 변경되었다.
국제원생생물학회(ISOP)의 2019년 분류 체계는 후편모생물을 다음과 같이 분류한다.[30]
이 분류 체계에 따른 계통 관계는 여러 분자생물학적 연구를 통해 뒷받침되고 있다.[31][32][33][34][35][36]
4. 2. 계통 분류
식물계통학회 명명규약에 따르면, 인간, 붉은빵곰팡이, ''Monosiga ovata''(깃편모충류) 세 종을 모두 포함하고, 노란빵곰팡이와 애기장대를 포함하지 않는 가장 작은 분지군으로 정의된다.[22][23] 후편모생물이라는 이름처럼, 이동 세포(예: 정자, 포자)가 있다면 일반적으로 세포 뒤쪽에서 뻗어 나오는 하나의 편모를 가지고 있다.
후편모생물은 아메보조아와 가까운 관계이며, 이 두 그룹은 과거 편모가 하나라는 특징 때문에 유니콘타로 불렸으나, 여러 개의 편모를 가진 분류군도 포함하는 것이 확실해지면서[24] 아모르페아라는 이름으로 변경되었다.[25] 아모르페아 내에서 후편모생물은 아푸소모나스류(''Apusomonadida'') 및 브레비아테아류(''Breviatea'')와 함께 오바조아(''Obazoa'')라는 더 큰 그룹을 형성할 수 있다.[31][32][33][34][35][36]
후편모생물은 크게 균류를 포함하는 홀로미코타(''Holomycota'')와 동물을 포함하는 홀로조아(''Holozoa'')로 나뉜다. 과거 동물과 균류를 제외한 일부 후편모생물 원생생물을 코아노조아(깃편모충류, ''Choanozoa'')[26][27] 또는 메소미세토조아(''Mesomycetozoa'')[28] 등으로 묶기도 했으나, 이들이 단계통군(하나의 공통 조상에서 유래한 모든 후손을 포함하는 그룹)이 아니라는 연구 결과가 나오면서 현재는 잘 사용되지 않는다.[29][25]
최근의 계통 발생 연구들은 후편모생물 및 다른 진핵생물 그룹 간의 관계에 대해 다양한 견해를 제시하고 있다. 예를 들어, 2021년 연구에서는 피코조아가 홍조식물의 가까운 친척일 가능성을 제기했으며,[50] 2022년에는 새로운 미생물 포식자 그룹인 프로보라가 발견되기도 했다.[51] 메타모나다의 정확한 위치는 아직 불분명하여 디스코바나 말라이모나스문의 자매 그룹일 가능성이 제기되고 있다.[52][53][54]
국제원생생물학회(ISOP)의 2019년 분류 체계에서는 후편모생물을 다음과 같이 분류한다.[30][31][32][33][34][35][36]
''Sanchytriaceae''
: 누클레아리아, ''Fonticula'' 등을 포함 
: 로젤라, 미포자충, ''Aphelida'' 등을 포함하는 넓은 의미의 균류. (이 분류에는 난균류, 사카게카비, 점균류는 포함되지 않는다.) 


''코랄로키트리움'' (''Corallochytrium'') 
''Syssomonas'' 


필라스테레아 (''Filasterea'') 
코아노조아 (''Choanozoa'')
* 깃편모충 (''Choanoflagellata'') 
* 후생동물 (''Metazoa'') 
참조
[1]
서적
The Classification of Lower Organisms
https://archive.org/[...]
Pacific Books
1956
[2]
학술지
The new higher level classification of eukaryotes with emphasis on the taxonomy of protists
2005-09-01
[3]
학술지
Early fungi from the Proterozoic era in Arctic Canada
2019-06-01
[4]
학술지
Multigene phylogeny of choanozoa and the origin of animals
2008-05-01
[5]
웹사이트
Fungi/Metazoa group
https://www.uniprot.[...]
2009-03-08
[6]
학술지
The protistan origins of animals and fungi
2006-01-01
[7]
학술지
The presence of a haloarchaeal type tyrosyl-tRNA synthetase marks the opisthokonts as monophyletic
2005-11-01
[8]
학술지
Evaluating support for the current classification of eukaryotic diversity
2006-12-01
[9]
학술지
Phylogenetic relationships within the Opisthokonta based on phylogenomic analyses of conserved single-copy protein domains
2012-02-01
[10]
학술지
On the age of eukaryotes: evaluating evidence from fossils and molecular clocks
2014-08-01
[11]
학술지
Revisions to the Classification, Nomenclature, and Diversity of Eukaryotes
2019-01-01
[12]
서적
Evolutionary biology of Fungi
Cambridge University Press
[13]
학술지
Monophyletic origins of the metazoa: an evolutionary link with fungi
https://fire.biol.ww[...]
1993-04-01
[14]
학술지
Rooting the eukaryote tree by using a derived gene fusion
2002-07-01
[15]
학술지
Phylogenomics Reveals Convergent Evolution of Lifestyles in Close Relatives of Animals and Fungi
2015-09-01
[16]
학술지
Phylogeny of the "forgotten" cellular slime mold, Fonticula alba, reveals a key evolutionary branch within Opisthokonta
2009-12-01
[17]
학술지
High-level classification of the Fungi and a tool for evolutionary ecological analyses
2018-01-01
[18]
학술지
Phylogenomics Supports the Monophyly of Aphelids and Fungi and Identifies New Molecular Synapomorphies
https://academic.oup[...]
2023-06-01
[19]
학술지
New Lineage of Microbial Predators Adds Complexity to Reconstructing the Evolutionary Origin of Animals
2020-11-01
[20]
학술지
Early fungi from the Proterozoic era in Arctic Canada
2019-06-01
[21]
서적
Evolutionary biology of Fungi
Cambridge Univ. Press
[22]
서적
Phylonyms: a companion to the PhyloCode
CRC Press
[23]
웹사이트
Opisthokonta
https://www.phyloreg[...]
RegNum
2021-06-15
[24]
학술지
Evolution: Revisiting the Root of the Eukaryote Tree
https://linkinghub.e[...]
2009-02-01
[25]
학술지
The Revised Classification of Eukaryotes
http://doi.wiley.com[...]
2012-09-01
[26]
학술지
The Origin of Animal Multicellularity and Cell Differentiation
https://linkinghub.e[...]
2017-10-01
[27]
학술지
Pluripotency and the origin of animal multicellularity
http://www.nature.co[...]
2019-06-01
[28]
학술지
The New Higher Level Classification of Eukaryotes with Emphasis on the Taxonomy of Protists
http://doi.wiley.com[...]
2005-10-01
[29]
학술지
The protistan origins of animals and fungi
http://mbe.oxfordjou[...]
2006-01-01
[30]
학술지
Revisions to the Classification, Nomenclature, and Diversity of Eukaryotes
https://onlinelibrar[...]
2018-09-26
[31]
학술지
High-level classification of the Fungi and a tool for evolutionary ecological analyses
2018-01-01
[32]
학술지
Novel Predators Reshape Holozoan Phylogeny and Reveal the Presence of a Two-Component Signaling System in the Ancestor of Animals
https://linkinghub.e[...]
2017-07-01
[33]
학술지
Reconstruction of protein domain evolution using single-cell amplified genomes of uncultured choanoflagellates sheds light on the origin of animals
https://royalsociety[...]
2019-11-25
[34]
학술지
Global transcriptome analysis of the aphelid Paraphelidium tribonemae supports the phagotrophic origin of fungi
http://www.nature.co[...]
2018-12-01
[35]
학술지
Clarifying the Relationships between Microsporidia and Cryptomycota
http://doi.wiley.com[...]
2018-11-01
[36]
저널
Fungal evolution: diversity, taxonomy and phylogeny of the Fungi
https://onlinelibrar[...]
2019-12
[37]
저널
A higher level classification of all living organisms
[38]
서적
The Choanoflagellates
Cambridge University Press
[39]
저널
Über einen pilzähnlichen, autotrophen Mikroorganismus, Chlorochytridion, einige neue Protococcales und die systematische Bedeutung der Chloroplasten
[40]
저널
Die Protochlorinae als autotrophe Vorfahren von Pilzen und Tieren?
[41]
저널
Further observations on a pathogenic mould fermerly described as as protozoon (Coccidioides immitis, Coccidioides pyogenes)
[42]
서적
The Classification of Lower Organisms
Pacific Books
[43]
저널
Monophyletic origins of the metazoa: an evolutionary link with fungi
[44]
저널
Rooting the eukaryote tree by using a derived gene fusion
[45]
저널
The novel marine gliding zooflagellate genus ''Mantamonas'' (Mantamonadida ord. n.: Apusozoa)
[46]
서적
The Classification of Lower Organisms
https://archive.org/[...]
Pacific Books
[47]
서적
Evolutionary biology of Fungi
Cambridge Univ. Press
[48]
저널
The new higher level classification of eukaryotes with emphasis on the taxonomy of protists
http://www.ncbi.nlm.[...]
[49]
저널
Phylogenomics Places Orphan Protistan Lineages in a Novel Eukaryotic Super-Group
2018-01-19
[50]
저널
Picozoa are archaeplastids without plastid
http://urn.kb.se/res[...]
[51]
저널
Microbial predators form a new supergroup of eukaryotes
2022년 12월
[52]
저널
전 지구적인 계통발생학적 관점에서 본 진핵생물의 생명나무
2014년 5월
[53]
저널
Untangling the early diversification of eukaryotes: a phylogenomic study of the evolutionary origins of Centrohelida, Haptophyta and Cryptista
http://rspb.royalsoc[...]
2016-01-27
[54]
저널
A Eukaryote without a Mitochondrial Organelle
http://linkinghub.el[...]
[55]
저널
Phylogenomics Places Orphan Protistan Lineages in a Novel Eukaryotic Super-Group
2018-01-19
[56]
저널
Hemimastigophora is a novel supra-kingdom-level lineage of eukaryotes
2018-11-14
[57]
저널
Correction: A Higher Level Classification of All Living Organisms
2015-06-11
[58]
서적
The Flagellates: Unity, diversity and evolution
Taylor & Francis
2000
[59]
저널
The Ediacaran emergence of bilaterians: congruence between the genetic and the geological fossil records
http://rstb.royalsoc[...]
2008-04-27
[60]
저널
Estimating the timing of early eukaryotic diversification with multigene molecular clocks
2011-08-16
[61]
저널
Novel Predators Reshape Holozoan Phylogeny and Reveal the Presence of a Two-Component Signaling System in the Ancestor of Animals
[62]
저널
High-level classification of the Fungi and a tool for evolutionary ecological analyses
2018-02-22
[63]
문서
BCG1 = basal clone group 1, BCG2 = basal clone group 2
본 사이트는 AI가 위키백과와 뉴스 기사,정부 간행물,학술 논문등을 바탕으로 정보를 가공하여 제공하는 백과사전형 서비스입니다.
모든 문서는 AI에 의해 자동 생성되며, CC BY-SA 4.0 라이선스에 따라 이용할 수 있습니다.
하지만, 위키백과나 뉴스 기사 자체에 오류, 부정확한 정보, 또는 가짜 뉴스가 포함될 수 있으며, AI는 이러한 내용을 완벽하게 걸러내지 못할 수 있습니다.
따라서 제공되는 정보에 일부 오류나 편향이 있을 수 있으므로, 중요한 정보는 반드시 다른 출처를 통해 교차 검증하시기 바랍니다.
문의하기 : help@durumis.com
