맨위로가기

허리케인 마리아

"오늘의AI위키"는 AI 기술로 일관성 있고 체계적인 최신 지식을 제공하는 혁신 플랫폼입니다.
"오늘의AI위키"의 AI를 통해 더욱 풍부하고 폭넓은 지식 경험을 누리세요.

1. 개요

허리케인 마리아는 2017년 9월 아프리카 해안에서 발생하여 카리브해를 강타한 강력한 허리케인이다. 열대 저기압에서 불과 24시간 만에 카테고리 5 허리케인으로 급격히 발달했으며, 도미니카에 상륙하여 섬의 기반 시설과 주택을 파괴했다. 이후 푸에르토리코를 강타하여 막대한 피해를 입혔으며, 2,975명의 사망자를 기록했다. 미국 본토에도 영향을 미쳐 여러 해안 지역에 폭풍 해일과 이안류를 발생시켰다. 허리케인 마리아로 인한 경제적 손실은 900억 달러에 달했으며, '마리아'라는 이름은 세계 기상 기구에 의해 제명되었다.

더 읽어볼만한 페이지

허리케인 마리아
기본 정보
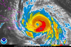
2017년 9월 19일 늦게 미국 버진 아일랜드 남동쪽에서 최대 강도에 가까워진 마리아
2017년 9월 19일 늦게 미국령 버진아일랜드 남동쪽에서 최대 강도에 가까워진 마리아
형성2017년 9월 16일
소멸2017년 10월 2일
온대 저기압화2017년 9월 30일
최대 풍속150 mph (240 km/h)
최저 기압908 hPa
피해
연도2017년
사망자 수총 3,059명
피해액916억 600만 달러 (역대 5번째 규모의 피해, 도미니카 연방 역사상, 푸에르토리코 역사상 가장 큰 피해)
영향 지역소앤틸리스 제도 (특히 도미니카 연방미국령 버진아일랜드), 푸에르토리코, 도미니카 공화국, 아이티, 터크스 케이커스 제도, 바하마, 미국 남동부, 미드애틀랜틱 주
허리케인 시즌
시즌2017년 대서양 허리케인
경로
허리케인 마리아의 경로
허리케인 마리아의 경로
관련
National Hurricane Center 정보
최대 풍속150 mph (240 km/h)
최저 기압908 hPa

2. 발생 과정

허리케인 마리아는 2017년 9월 12일 아프리카 서부 해안을 떠난 열대 파동에서 시작되었다.[7] 북쪽에 위치한 중간 고도 능선의 영향으로 서쪽으로 열대 대서양을 횡단하면서 점진적으로 조직화되었다.[8][9]

이후 과정은 #급격한 발달, #도미니카 강타, #푸에르토리코 상륙, #소멸 문단을 참고하라.

2. 1. 급격한 발달

마리아는 9월 16일 12시경(UTC) 바베이도스 동쪽 약 약 1070.21km 지점에서 열대 저기압 15호로 발달했다.[7] 29°C의 따뜻한 해수면 온도, 낮은 풍속 절단, 풍부한 수분 등 유리한 조건 속에서 6시간 만에 열대폭풍 마리아로 발달했다.[7][10]

9월 17일 늦게 중심부에서 대류 폭발이 발생하여 허리케인으로 발달했다.[11] 얼마 지나지 않아 폭발적인 강화가 발생하여 마리아는 불과 24시간 만에 풍속이 (카테고리 1)에서 (카테고리 5)로 거의 두 배로 증가했다. 9월 18일 늦게 도미니카 동남동쪽 약 24.14km에 위치해 있었다.[7][12]

2. 2. 도미니카 강타

9월 19일, 허리케인 마리아는 열대 저기압에서 카테고리 5 허리케인으로 급격히 발달하여 도미니카에 상륙했다. 이로 인해 도미니카는 국민 총생산의 224%에 달하는 13억달러의 막대한 피해를 입었다.[291]

2. 3. 푸에르토리코 상륙

허리케인 마리아는 2017년 9월 20일 동부 표준시(UTC) 10시 15분(현지 시간 오전 6시 15분), 시속 155mph의 강풍을 동반한 강력한 카테고리 4등급 허리케인으로 푸에르토리코 야부코아 시 근처에 상륙했다.[93] 이는 1928년 산 펠리페 세군도 허리케인 이후 푸에르토리코에 상륙한 가장 강력한 허리케인이었다. 상륙 직전, 산후안에서는 최대 시속 64mph의 지속적인 풍속과 최대 시속 113mph의 돌풍이 보고되었다.[91] 상륙 후 야부코아 항에서는 시속 109mph의 돌풍이, 캠프 산티아고에서는 시속 118mph의 돌풍이 보고되었다.[91] 야부코아에서는 최저 기압 926.6mbar가 기록되었다.[7]

허리케인 마리아의 강수량


카구아스에서 약 96.27cm로 최고치를 기록하는 등 영토 전역에 걸쳐 폭우가 쏟아졌다.[92] 마리아가 카테고리 4등급으로 약화되도록 한 눈벽 교체 주기는 상륙 전에 눈의 크기가 세 배로 커지면서 직경이 9nmi에서 28nmi로 확장되었다. 이로 인해 섬에서 강한 바람의 영향을 받는 지역이 훨씬 더 넓어졌다.[7]

광범위한 홍수가 산후안을 덮쳐 어떤 지역에서는 허리까지 물이 찼으며, 수많은 건물들이 지붕을 잃었다.[93] 산후안의 해안가 라 펠라 지역은 거의 파괴되었다.[94] 카타뇨는 광범위한 피해를 입었으며, 후아나 마토스 지역은 80%가 파괴된 것으로 추정된다.[95] 산후안의 주요 공항인 루이스 무뇨스 마린 국제공항은 9월 22일에 재개항할 예정이었다.[96]

수천 채의 가옥이 다양한 정도의 피해를 입었으며, 허리케인의 강력한 바람에 의해 광범위한 초목이 찢겨 나갔다.


폭풍 해일과 급격한 홍수—라 플라타 호수 댐의 홍수 방지문 방류에서 비롯됨—가 토아 바하 마을로 쏟아져 들어가 수천 명의 주민들이 갇혔다. 생존자들은 홍수가 30분 만에 최소 약 1.83m까지 상승했으며, 일부 지역에서는 수심이 약 4.57m에 달했다고 한다. 군의 구호대가 폭풍 후 24시간 만에 마을에 도착한 후 2,000명 이상이 구조되었다. 최소 8명이 홍수로 사망했으며, 많은 사람들이 실종되었다.[98]

푸에르토리코의 산사태 지도 - 2017년 허리케인 마리아


허리케인 마리아는 섬 전역에 산사태를 일으켰으며, 일부 지방 자치 단체에서는 1제곱마일당 25건 이상의 산사태가 발생했다.[105][106]

마리아에 의해 파괴된 푸에르토리코의 미국 NWS NEXRAD 레이더


푸에르토리코의 NEXRAD 도플러 기상 레이더가 파괴되었다. 레이더 안테나를 덮고 시속 130mph 이상의 바람을 견디도록 설계된 레이돔이 파괴되었고, 직경 30피트의 안테나는 받침대에서 날아갔지만 받침대는 손상되지 않았다. 레이더는 해발 약 0.61m 높이에 있으며, 현장의 풍속계는 통신이 끊기기 전에 약 145mph의 풍속을 측정했는데, 이는 해당 높이의 풍속이 해수면에서 관측된 것보다 20% 더 높았을 가능성이 있음을 의미한다. 레이더는 9개월 후에 재건되어 다시 가동되었다.[107][108]

2. 4. 소멸

마리아는 푸에르토리코를 통과하면서 심하게 약화되었지만, 그날 늦게 대서양으로 나오면서 주요 허리케인으로 다시 강화되었고, 결국 9월 22일 히스파니올라 북쪽에서 125mph의 풍속으로 2차 강도 최고조에 달했다.[16]

그 후 마리아는 눈이 주기적으로 나타나고 사라지면서 다음 며칠 동안 강도가 변동하기 시작했고, 서남서풍이 점차 허리케인을 약화시키면서 미국 동부 해안에 서서히 접근했다.[7] 9월 25일까지 허리케인 호세가 일주일 전에 남긴 더 차가운 해수면 온도를 통과하면서 내부 핵이 붕괴되고 폭풍의 구조가 크게 바뀌었다.[17] 9월 28일, 미국 북동부에서 나타나기 시작한 저기압이 마리아를 동쪽으로 바다로 쓸어내면서 열대 폭풍으로 약화되었다.[7] 중심 부근에서 주기적으로 발생하는 대류 폭발로 인해 북대서양을 동북동쪽으로 가속하면서 마리아의 강도를 유지할 수 있었지만, 침범하는 전선대와의 상호 작용으로 결국 9월 30일 폭풍이 온대 저기압이 되었고,[18] 이는 동북동쪽으로 계속 진행되다가 10월 2일에 소멸되었다.[7]

3. 피해

(2017 USD)도미니카 연방65013.7억달러도미니카 공화국516300만달러과들루프 (프랑스)401.2억달러아이티30마르티니크 (프랑스)004200만달러세인트키츠 네비스001280만달러푸에르토리코2,97560900억달러미국령 버진아일랜드34미국40총계:3,05965916.08억달러



허리케인 마리아는 열대 저기압에서 카테고리 5등급 허리케인으로 빠르게 발달하여 2017년 9월 19일 도미니카 연방에 상륙, 국민 총생산(GDP)의 224%에 달하는 13.7억달러의 막대한 피해를 입혔다.

푸에르토리코에도 상륙하여 1928년 이래 가장 파괴적인 허리케인으로 기록되었으며, 영국 방송 협회(BBC) 보도에 따르면 하버드 대학교는 4,600명 이상의 사망자가 발생한 것으로 추산했다. 이는 푸에르토리코 정부 발표 사망자 수 64명의 70배가 넘는 수치이다. 사망 원인의 3분의 1은 정전 및 교통망 파괴로 인한 의료 중단이었다.[291]

미국 해양 대기청(NOAA)에 따르면, 허리케인 마리아로 인한 경제적 손실은 총 900억달러(약 99조 원)에 달했다. 이는 2005년 허리케인 카트리나, 2017년 허리케인 하비에 이어 미국 역사상 세 번째로 큰 피해를 입힌 허리케인이다.

이러한 피해로 인해, 허리케인 이름 Maria는 2017년을 마지막으로 은퇴하고, Margot으로 대체되었다.

3. 1. 윈드워드 제도

허리케인 마리아의 외곽 강우대는 윈드워드 제도 남부에 폭우와 강풍을 동반했다.[43] 세인트루시아의 휴아노라와 조지 F. L. 찰스에서는 각각 약 11.00cm과 약 7.87cm의 강수량을 기록했지만, 섬의 다른 지역에서는 이보다 더 많은 강수량이 기록되었다.[44] 산발적인 산사태, 암석 낙하, 나무 뿌리 뽑힘으로 인해 경미한 피해가 발생했으며 일부 도로가 차단되었다.[45] 여러 지역에서 전선이 파손되거나 손상되어 지역적인 정전이 발생했다.[46] 특히 바나나 산업을 포함한 농업 부문이 강풍 피해를 입었다.[45]

바베이도스에서는 약 7.62cm에서 약 12.70cm의 폭우로 인해 산발적인 홍수가 발생했다.[47] 크라이스트 처치에서는 홍수로 인해 굿랜드 주민들이 집에 갇히고 세인트 로렌스 갭의 상업 거리가 침수되었다.[48][49] 마리아는 거친 해상을 만들어 브리지타운의 해안 보도를 침수시켰고, 운영자들이 선박을 확보하는 데 어려움을 겪으면서 보트가 손상되었다.[50] 강풍으로 섬 전체에 정전이 발생했고, 세인트 조셉의 한 주택에 코코넛 나무가 쓰러졌다.[51][52]

마르티니크 북쪽 해안에서 약 48.28km 떨어진 곳을 지나면서 마리아는 폭우와 강풍을 몰고 왔지만, 당시 눈 주위 약 40.23km까지 확장되었던 허리케인급 강풍은 피했다.[53][54] 르 마리고에서는 24시간 동안 약 17.02cm의 강수량을 기록했다.[55] 9월 19일까지 마리아로 인해 약 7만 가구(인구의 약 40%)가 정전되었다.[57] 특히 르 모른-루즈와 그로-모른에서는 5만 명의 고객에게 단수가 발생했다.[53][56] 암석 낙하, 쓰러진 나무, 쓰러진 전신주로 인해 많은 도로와 거리가, 특히 북쪽 해안을 따라 접근 불가능했다.[56][57] 포르 드 프랑스의 거리가 침수되었다.[53] 해변 코뮌인 르 카르베에서는 거친 바다가 큰 바위를 해안으로 쓸어내고 일부 해안 구조물을 파괴했으며,[53][58] 숄셰의 만을 따라 일부 보트가 전복되었다.[59] 마르티니크 농업 부문은 상당한 피해를 입었다. 바나나 작물의 약 70%가 강풍 피해를 입었고, 북쪽 해안을 따라 거의 모든 나무가 쓰러졌다.[83] 섬에서는 사망자가 발생하지 않았지만, 4명이 허리케인으로 인해 부상을 입었다(2명 중상, 2명 경상).[56] 농업 피해는 3500만유로 (4200만달러)로 추산되었다.[36]

3. 2. 도미니카

허리케인 마리아는 도미니카에 막대한 피해를 입혔다. 1995년 허리케인 루이스 이후 처음으로, 19일 밤(현지시각) 최대 지속 풍속 165mph의 카테고리 5 허리케인으로 상륙하여 섬에 영향을 미친 가장 극심한 바람이었다.[13][61]

거의 모든 건물의 지붕이 파손되었고,[62] 주택의 절반은 뼈대까지 파괴되었다.[68] 통신, 전기, 수도 등 기반 시설이 완전히 마비되어 외부 세계와 단절되었다.[64][63] 로버트 스케리트 총리는 피해 상황을 "정신을 잃을 정도"라고 표현했다.[64]

로조의 일부를 항공에서 본 모습, 지붕의 광범위한 피해를 보여준다. 홍수로 인해 도로가 잔해와 진흙으로 막혔다.


로조 지역의 도로가 구조적 잔해, 손상된 식물, 쓰러진 전신주와 전선으로 어지럽혀져 있다.


산사태, 홍수, 강풍으로 인해 도로, 교량, 공공 건물 등이 파괴되었으며,[67] 특히 동부 해안과 시골 지역의 피해가 심각했다.[68] 푸앵트 미셸 마을은 건물 약 80%가 파괴되고, 이 나라에서 대부분의 사망자가 발생했다.[71][72] Canefield 및 Douglas Charles 공항은 관제탑과 터미널 건물이 심각한 피해를 입었지만, 활주로는 비교적 손상되지 않아 비상 착륙이 가능했다.[68] 주요 병원을 포함하여 섬의 53개 의료 시설 전체에 피해가 발생했다.[66][69]

농업 부문은 완전히 파괴되었으며,[68] 인구의 상당수가 식수 부족에 시달렸다.[67] 섬 가옥의 85% 이상이 피해를 입었고, 그 중 25% 이상이 완전히 파괴되어 섬 주민 73,000명 중 50,000명 이상이 이재민이 되었다.[122]

총 65명의 사망자가 확인되었으며,[34] 피해액은 13.7억달러로 추산된다.[33] 이는 2016년 GDP의 226%에 해당한다.[33]

도미니카의 피해 현황
항목피해 내용
인명 피해65명 사망, 34명 실종 (사망 추정)[34]
재산 피해13.7억달러 (2016년 GDP의 226%)[33]
건물 피해섬 건물 98% 지붕 파손,[68] 주택 절반 뼈대 파괴[68]
기반 시설통신, 전기, 수도 완전 마비[64][63], 도로, 교량, 공공건물 파괴[67]
농업농작물 100% 손실, 가축 및 농업 장비 막대한 손실[68]


3. 3. 과들루프

Guadeloupe프랑스어는 허리케인 강풍과 폭우로 광범위한 구조적 피해와 홍수를 겪었다. 인구의 40%가 정전을 겪었으며, 유선 전화 사용자의 25%가 서비스를 이용할 수 없게 되었다. 특히 바스테르 지역의 바나나 작물은 거의 100% 피해를 입었다. 4명이 사망하고, 2명이 실종(사망 추정)되었으며, 피해액은 최소 1.2억달러 (1달러)로 추산된다.[84]

3. 4. 미국령 버진아일랜드

허리케인 어마로 피해를 입은 지 2주 만에 다시 허리케인 마리아가 강타하여 세인트크로이를 중심으로 심각한 피해가 발생했다. 3명이 사망하고, 건물 90%가 피해를 입거나 파괴되었으며, 그중 13,000채는 지붕이 유실되었다.[40][41] 후안 F. 루이스 병원도 지붕 피해와 침수 피해를 입었다.

2017년 9월 25일, 미국 해안 경비대는 세인트토머스의 크라운 베이, 이스트 그레거리 채널, 웨스트 그레거리 채널, 레드훅 베이 항구, 세인트크로이의 크라우세 라군, 라임트리 베이, 프레데릭스테드 항구, 그리고 세인트존의 크루즈 베이 항구가 제한적으로 운영된다고 보고했다.[154] 같은 날, 식사 20만 개, 144000L의 물, 방수포를 실은 항공기 11편이 도착했다.[154] 버지니아 주 방위군,[248] 웨스트버지니아 주 방위군,[249] 미주리 주 방위군,[250] 및 테네시 육군 방위군의 UH-60 블랙 호크 헬리콥터에서 병력이 소집되어 미국령 버진아일랜드에 배치되었다.

허리케인 발생 한 달이 채 안 되어 세인트토머스의 16%, 세인트크로이의 1.6%에만 전기가 복구되었다.[251] 마리아 발생 3개월 후에도 미국 영토 전체의 약 절반이 여전히 정전 상태였고, 미국 영토의 25%는 통신 서비스가 불가능했다.[252]

3. 5. 푸에르토리코



1928년 이래 푸에르토리코 역사상 최악의 허리케인이었던, 허리케인 마리아는 2017년 9월 20일 수요일, 야부코아 시 근처에서 동부 표준시(UTC) 10시 15분(현지 시간 오전 6시 15분)에 시속 155mph의 강풍을 동반한 강력한 카테고리 4등급 허리케인으로 푸에르토리코에 상륙했다.[93] 허리케인이 섬에 상륙하기 직전, 산후안에서 최대 시속 64mph의 지속적인 풍속과 최대 시속 113mph의 돌풍이 보고되었다. 상륙 후 야부코아 항에서는 시속 109mph의 돌풍이, 캠프 산티아고에서는 시속 118mph의 돌풍이 보고되었다.[91] 야부코아에서는 최저 기압 926.6mbar가 기록되었다.[7] 또한, 영토 전역에 걸쳐 폭우가 쏟아졌으며, 카구아스에서 약 96.27cm로 최고치를 기록했다.[92] 마리아가 카테고리 4등급으로 약화되도록 한 눈벽 교체 주기는 상륙 전에 눈의 크기가 세 배로 커지면서 직경이 9nmi에서 28nmi로 확장되었다. 이러한 크기 변화로 인해 섬에서 강한 바람의 영향을 받는 지역이 훨씬 더 넓어졌다.[7] 광범위한 홍수가 산후안을 덮쳐 어떤 지역에서는 허리까지 물이 찼으며, 수많은 건물들이 지붕을 잃었다.[93] 산후안의 해안가 라 펠라 지역은 거의 파괴되었다.[94] 카타뇨는 광범위한 피해를 입었으며, 후아나 마토스 지역은 80%가 파괴된 것으로 추정된다.[95] 산후안의 주요 공항인 루이스 무뇨스 마린 국제공항은 9월 22일에 재개항할 예정이었다.[96]

강한 바람, 폭우, 폭풍 해일, 파도 작용 및 산사태로 인해 푸에르토리코 전역의 수십만 채의 건물에 광범위한 피해가 발생했다. 리카르도 로셀로는 30만 채 이상의 가옥이 파괴되고 훨씬 더 많은 가옥이 연방정부 전체에서 피해를 입었다고 추정했다. 다른 추정치에는 166,000채의 주거용 건물이 손상되거나 파괴되었으며, 472,000채의 주택이 심각한 피해를 입거나 파괴되었다는 내용이 포함되었다.[97]

폭풍 해일과 급격한 홍수—라 플라타 호수 댐의 홍수 방지문 방류에서 비롯됨—가 토아 바하 마을로 쏟아져 들어가 수천 명의 주민들이 갇혔다. 생존자들은 홍수가 30분 만에 최소 약 1.83m까지 상승했으며, 일부 지역에서는 수심이 약 4.57m에 달했다고 한다. 군의 구호대가 폭풍 후 24시간 만에 마을에 도착한 후 2,000명 이상이 구조되었다. 최소 8명이 홍수로 사망했으며, 많은 사람들이 실종되었다.[98]

9월 24일, 푸에르토리코 주지사 리카르도 로셀로는 허리케인 마리아로 인한 푸에르토리코의 피해가 허리케인 조지스로 인한 80억 달러 이상의 피해액을 넘어설 것이라고 추정했다.[99] 영토의 약 80%의 농업이 허리케인으로 인해 손실되었으며, 농업 손실은 7.8억달러로 추산되었다.[100]

허리케인은 섬의 전력망을 완전히 파괴하여 340만 명의 모든 주민들이 전기를 사용하지 못하게 했다.[95][143][101] 로셀로 주지사는 일부 지역에서 전력을 복구하는 데 몇 달이 걸릴 수 있다고 밝혔으며,[102] 산후안 시장 카르멘 율린 크루스는 일부 지역이 4~6개월 동안 전력 없이 지낼 것이라고 추정했다.[103] 통신망은 섬 전체에서 마비되었다. 셀 네트워크의 95%가 다운되었고, 섬의 78개 군 중 48개의 네트워크가 완전히 작동하지 않았다.[143] 지상 전화 및 인터넷 케이블의 85%가 파손되었다.[104] 폭풍이 몰아치는 동안 WAPA 680 AM, WPAB 550 AM 및 WISO 1260 AM (폰세), WKJB 710 AM, WPRA 990 AM 및 WTIL 1300 AM (마야구에스), WMIA 1070 AM (아레시보), WVOZ 1580 AM (모로비스), WXRF 1590 AM (과야마), WALO 1240 AM (우마카오) 및 WOIZ 1130 AM (과야니야) 등 12개의 라디오 방송국만 방송을 유지했다.[143]

허리케인 마리아는 섬 전역에 산사태를 일으켰으며, 일부 지방 자치 단체에서는 1제곱마일당 25건 이상의 산사태가 발생했다.[105][106]

푸에르토리코의 NEXRAD 도플러 기상 레이더가 날아갔다. 레이더 안테나를 덮고 시속 130mph 이상의 바람을 견디도록 설계된 레이돔이 파괴되었고, 직경 30피트의 안테나는 받침대에서 날아갔지만 받침대는 손상되지 않았다. 레이더는 해발 약 853.44m 높이에 있으며, 현장의 풍속계는 통신이 끊기기 전에 약 145mph의 풍속을 측정했는데, 이는 해당 높이의 풍속이 해수면에서 관측된 것보다 20% 더 높았을 가능성이 있음을 의미한다. 레이더는 9개월 후에 재건되어 마침내 다시 가동되었다.[107][108]

인근 섬인 비에케스도 비슷한 광범위한 피해를 입었다. 통신이 섬 전체에서 거의 끊겼다. 광범위한 재산 피해가 발생하여 많은 구조물이 평평해졌다.[109] 쿨레브라 섬에 남아 있는 구조물은 허리케인 어마로 인해 최근 심각한 피해를 입은 후 마리아의 강력한 바람에 매우 취약해져 많은 나무 집들이 완전히 파괴되고 지붕이 날아가고 보트가 침몰했다.[7]

산후안 해안 경비대 구역의 허리케인 마리아


가족 4명을 태운 전 조사선 ''Ferrel''은 9월 20일 약 6.10m의 파도와 시속 115mph의 바람과 싸우는 동안 조난 신호를 보냈다.[111] 9월 20일 비에케스 근처에서 선박과의 통신이 끊어졌다. 미국 해안 경비대, 미국 해군 및 영국 해군은 HC-130 항공기, 고속 대응 절단기, USS Kearsarge, RFA Mounts Bay 및 해군 헬리콥터를 사용하여 수색 및 구조 작전을 수행했다.[110] 9월 21일, 어머니와 두 자녀는 구조되었지만 아버지는 전복된 선박 안에서 익사했다.[111]

마리아의 카테고리 4등급 강풍으로 인해 아레시보 천문대의 약 29.26m 라인 피드 안테나가 부러져 약 152.40m 아래로 떨어져 접시를 관통하여 수리가 완료될 때까지 기능이 크게 저하되었다.[112][113]

허리케인 마리아는 푸에르토리코의 농업에 큰 영향을 미쳤다. 커피는 가장 큰 피해를 입은 작물로, 1,800만 그루의 커피 나무가 파괴되었으며, 섬의 커피 생산량의 최소 15%를 회복하는 데 약 5~10년이 소요될 것이다.[114]

휘트니 미술관은 2022년 11월 23일부터 2023년 4월 23일까지 열린 전시회 "no existe un mundo poshuracán: Puerto Rican Art in the Wake of Hurricane Maria"에서 푸에르토리코의 허리케인 마리아 경험과 그 여파를 기록했다.[115]

"미국 관리들, 푸에르토리코의 손상된 인프라가 구호물품 분배를 늦춘다고 말하다" 비디오, VOA


아구아스 부에나스에서 깨진 창문들


허리케인은 전력망을 사실상 파괴하여 수백만 명의 사람들이 전기 없이 지내게 했다.[129] 리카르도 로셀로 주지사는 마리아로 인한 피해가 최소 900억달러에 달한다고 추산했으며,[130][131] 2018년 미국 국립 허리케인 센터는 가장 피해가 큰 허리케인 목록을 업데이트하여 이 수치를 포함시켰다.[132]

2017년 9월 26일, 섬의 95%가 정전되었고, 인구의 절반도 안 되는 사람들이 수돗물을 사용했으며, 섬의 95%가 휴대폰 서비스를 이용할 수 없었다.[133] 허리케인 발생 2주가 조금 넘은 10월 6일에도 89%가 여전히 정전 상태였고, 44%는 급수 서비스를 받지 못했으며, 58%는 통신 서비스를 이용할 수 없었다.[134]

허리케인 발생 2주 후, 국제 구호 단체 옥스팜(Oxfam)은 2005년 허리케인 카트리나 이후 처음으로 미국 본토에 개입하기로 결정했다.[192]

허리케인 발생 1개월 후, 섬의 88%가 정전 상태(약 300만 명)였고, 29%가 수돗물 부족(약 100만 명) 상태였으며, 40%가 휴대폰 서비스를 이용할 수 없었다. 대부분의 병원은 문을 열었지만,[135] 대부분 제한적인 전력을 제공하는 비상 발전기를 사용했다. 2017년 11월까지, Angelique Sina의 비영리 단체인 푸에르토리코의 친구들(Friends of Puerto Rico)은 두 도시의 병원에 발전기를 공급했다.[136] 섬의 하수 처리장의 약 절반이 여전히 작동하지 않았다. FEMA는 6만 가구가 지붕 수리를 필요로 하며 3만 8천 개의 지붕 방수포를 배포했다고 보고했다.[137] 섬의 고속도로와 다리는 거의 한 달이 지난 후에도 심하게 손상된 상태였다. 푸에르토리코 약 8164.18km의 도로 중 약 630.86km만 개방되었다. 일부 마을은 여전히 고립되었고 식량과 물을 포함한 구호 물품의 배송이 방해를 받았으며 헬리콥터만이 유일한 대안이었다.[138]

2017년 10월 1일, 연료 부족과 배급 문제가 계속되었으며 1,100개의 주유소 중 720개가 문을 열었다.[139] 11월, ''뉴욕 타임스''는 폭풍 이후 주민들이 전기 없이 생활하면서 자살률이 급증했다고 보도했다. 자살률은 마리아 이전보다 두 배로 증가했다.[140]

과야타카 댐이 구조적으로 손상되었고, 9월 22일 국립 기상청은 이 지역 일부에 대해 돌발 홍수 비상사태를 발령했다.[141] 수만 명의 사람들이 이 지역에서 대피하라는 명령을 받았으며, 약 7만 명이 위험에 처한 것으로 추정되었다.[142]

허리케인 직후 푸에르토리코 전체가 연방 재해 지역으로 선포되었다.[147] 연방 재난 관리청(FEMA)은 9월 22일부터 매일 섬에 필수 물품을 실어 나르는 3~4대의 항공기로 공중 교량을 개설할 계획을 세웠다.[143] 구호 활동과 관련된 항공편 외에도 제한적인 상업 교통이 9월 22일 루이스 무뇨스 마린 국제공항에서 원시적인 조건에서 재개되었다. 2017년 9월 26일 현재, 매일 12편의 상업 항공편이 운항되었다.[144] 10월 3일까지 푸에르토리코의 모든 공항에서 매일 39편의 상업 항공편이 운항되었으며, 이는 정상 운항 횟수의 약 1/4 수준이었다.[145] 다음날, 공항이 정상 운영 능력으로 운영되는 것으로 보고되었다.[146] 푸에르토리코 정부는 56개의 소규모 회사와 계약을 맺고 전력 복구를 지원하도록 했다.[147] 8개의 FEMA 도시 수색 및 구조(US&R) 팀이 구조 활동을 지원하기 위해 배치되었다.[154]

잔해로 막힌 도로는 구조 및 구호대의 물류 문제를 악화시켰다.


9월 24일, 상륙돌격함 USS Kearsarge와 도크 상륙함 USS Oak Hill이 제프리 W. 휴즈 소장의 지휘 하에 제26 해병 원정대의 해병 2,400명과 함께 구호 활동을 지원하기 위해 도착했다.[148][149][150][151] 9월 24일까지, 13척의 미국 해안 경비대 선박이 푸에르토리코 주변에 배치되어 구호 및 복구 활동을 지원했다. 국가 안보 절단기 USCGC James; 중간 지구력 절단기 USCGC Diligence, USCGC Forward, USCGC Venturous, 및 USCGC Valiant; 고속 대응 절단기 USCGC Donald Horsley, USCGC Heriberto Hernandez, USCGC Joseph Napier, USCGC Richard Dixon, 및 USCGC Winslow W. Griesser; 해안 경비정 USCGC ''Yellowfin''; 및 항해용 부이 텐더 USCGC Cypress 및 USCGC Elm.[152] 9월 25일 주요 항구가 재개장되면서 연방 지원이 도착했다. 130L의 물, 23,000개의 침대, 수십 개의 발전기를 운반하는 11척의 화물선이 도착했다.[153] 과야니야, 살리나스, 탈라보아 항구에서 9월 25일 완전한 운영이 재개되었고, 산후안, 파하르도, 쿨레브라, 과야마, 비에케스 항구에서는 제한적인 운영이 이루어졌다.[154] 미국 공군 공중 기동 사령부는 구호 물품을 전달하기 위해 8대의 C-17 글로브마스터 항공기를 투입했다.[154] 공군은 연방 항공국과 협력하여 항공 교통 관제 수리를 지원하여 처리 능력을 향상시켰다.[154] 물류 지원선 ''SS Wright (T-AVB-3)''는 9월 22일 동원되어 와 100L의 깨끗한 물을 배달하는 구호 작전을 지원했다.[155][156]

미국 운송 사령부는 켄터키주 포트 캠벨에서 추가 인력과 8대의 미 육군 UH-60 블랙 호크 헬리콥터를 루이스 무뇨스 마린 국제공항으로 이동하여 배포 능력을 향상시켰다.[154] 미국 공병대는 전력망을 평가하고 복구하는 데 참여한 670명의 인력을 배치했으며, 9월 25일까지 83개의 발전기가 설치되었고 186개의 발전기가 추가로 이동 중이었다.[154] 2017년 9월 26일까지, 미국 정부 기관은 400만 개의 식사, 600L의 물, 7만 개의 방수포 및 1만 5천 롤의 지붕 시트를 배포했다.[157] 주 방위군 병력이 소집되어 코네티컷, 조지아, 아이오와, 일리노이, 켄터키, 미주리, 뉴욕, 로드아일랜드, 위스콘신에서 푸에르토리코로 파견되었다.[158]

카구아스에서 청소 작업을 지원하는 사우스 캐롤라이나 주 방위군


9월 29일, 병원선 USNS Comfort가 허리케인 어마와 마리아의 피해자를 돕기 위해 버지니아주 노퍽 항구를 출발하여 10월 3일 산후안에 도착했다. 며칠 후, ''Comfort''는 섬 주변을 순회하며 지원하기 위해 출발하여 해안에서 약 19.31km 떨어진 곳에 머물렀다.[159] 환자들은 푸에르토리코 보건부의 의뢰를 받아 헬리콥터 또는 보트 텐더로 배로 이송되었다. 그러나 과도하게 몰린 섬 클리닉과 병원에도 불구하고 250개 병상의 최첨단 부유 병원은 의뢰가 거의 없어 사용되지 않았다.[160][161] 로셀로 주지사는 10월 17일경 "단절 또는 명백한 단절은 통신 흐름에 있었고" "그것을 완전히 수정해 달라고 요청했으며 이제 더 많은 환자를 그곳으로 보낼 수 있도록 할 수 있습니다"라고 설명했다.[161] 3주 동안 해안에 머무른 후, ''Comfort''는 10월 27일 산후안에 정박했으며, 해군 보급선에서 바다에서 재보급하기 위해 잠시 출발했다.[159] 2017년 11월 8일까지, ''Comfort''의 직원은 1,476명의 환자를 치료했으며, 여기에는 147건의 수술과 2건의 출산이 포함되었다.[162]

9월 27일, 펜타곤은 푸에르토리코의 두 개의 주요 비행장을 재개장하고 구호 활동을 지원하기 위해 항공기, 특수 부대 및 병원선을 보내기 시작했다. 미국 육군 북부 사령부 부사령관인 리처드 C. 김 준장은 군, FEMA 및 기타 정부 기관, 민간 부문 간의 작전을 조정하는 책임을 맡았다.[163] 엄청난 양의 물, 식량 및 연료가 푸에르토리코 항구로 배달되었거나 상품을 내륙으로 운송할 트럭 운전사가 부족하여 미국 본토의 항구에 묶여 있었다. 통신망의 부족은 노력에 지장을 주었으며 운전자 중 20%만이 출근했다고 보고했다.[164] 9월 28일까지, 산후안 항구는 받은 배송의 4%만 발송할 수 있었고 추가 배송을 수락할 여유 공간이 거의 없었다.[165] 9월 28일까지, 인구의 44%가 식수를 사용하지 못했고 미군은 "단기적, 해상 기반 대응에서 견고하고 장기적인 지원을 제공하도록 설계된 주로 육상 기반 노력"으로 전환했으며 연료 배달이 최우선 과제였다.[166] 육군 주 방위군과 해병 원정대(MEU) 합동 팀은 이전 루즈벨트 로드 해군 기지에 설치 기지를 설립했다. 그들은 헬리콥터를 통해 푸에르토리코 전역의 병원에 보건복지부 평가 팀을 수송하여 의료 요구 사항을 결정했다.[166] 9월 29일, 상륙돌격함 USS Wasp는 도미니카 섬에 구호 활동을 제공한 후 푸에르토리코로 전환되었다.[167] 9월 30일까지, FEMA 관리 알레한드로 데 라 캄파는 섬의 5%의 전력, 33%의 통신 인프라, 50%의 급수 서비스가 복구되었다고 말했다.[168]



2017년 9월 28일, 제프리 S. 뷰캐넌 중장은 푸에르토리코에 파견되어 모든 군사 허리케인 구호 활동을 지휘하고 군대가 회복 노력을 보다 효과적으로 수행할 수 있는 방법을 모색했다. 특히 "관료주의, 운전자 부족, 심각한 정전"으로 인해 항구에 갇힌 수천 개의 물품 컨테이너를 처리하는 데 주력했다.[170][171] 9월 29일 그는 충분한 병력과 장비가 배치되지 않았지만 더 많은 병력과 장비가 곧 도착할 것이라고 말했다.

중앙 집중식 화석 연료 기반 발전소와 전력망 인프라가 몇 주에서 몇 달 동안 작동하지 않을 것으로 예상됨에 따라 일부 재생 에너지 프로젝트가 진행되었으며, 여기에는 수백 개의 테슬라 파워월 배터리 시스템이 태양광 PV 시스템과 통합되어 배송되었고 Sonnen 태양광 마이크로그리드 프로젝트가 15개의 비상 커뮤니티 센터에 설치되었다. 첫 번째 프로젝트는 10월에 완료될 것으로 예상되었다. 또한 Sunnova 및 New Start Solar를 포함한 다른 태양광 회사도 도움을 주기 위해 나섰다. Light Up Puerto Rico라는 자선 단체는 10월 19일에 태양광 패널을 포함한 태양광 제품을 구매하고 배달하기 위해 자금을 모금했다. 아이디어는 기존 전력망을 태양광 및 풍력 발전소의 전력으로 보완하는 것이었다. 화석 연료 인프라를 완전히 교체하는 것은 태양광 및 풍력 발전이 너무 간헐적이고 또 다른 허리케인에 취약하기 때문에 불가능하다.[176][177] 푸에르토리코의 5개의 대형 태양광 발전소 중 4개가 손상되었고 많은 풍력 터빈이 블레이드 손상을 입었다.[178][179]

많은 TV 및 영화 스타들이 허비와 마리아의 피해자를 돕기 위해 허리케인 구호 단체에 돈을 기부했다. 특히 제니퍼 애니스톤은 100만달러를 약속했으며, 이 금액을 적십자와 푸에르토리코를 위한 리키 마틴 재단에 동일하게 분배했다. 마틴 재단은 2017년 10월 13일까지 300만달러 이상을 모금했다.[180]

2017년 10월 9일, 미국 우편 서비스는 128개의 사무소 중 99개가 거주자에게 소포와 우편물을 배달하고 있다고 밝혔다. 비록 일부는 텐트에서 일하고 있었지만[181] 그들의 사무실은 허리케인 이후 1주일 동안 정전되었다. 케어 패키지는 푸에르토리코 전역에서 들어오고 있었고 USPS는 임시 직원을 고용하고 주 7일 소포를 배달하는 직원을 배치하여 큰 타격을 입었다.[182]

2017년 10월 10일, 카니발 크루즈 라인은 2017년 10월 15일에 산후안에서 크루즈 출발을 재개할 것이라고 발표했다.[183] 10월 13일, CNN과 가디언은 푸에르토리코 사람들이 EPA 수퍼펀드 부지에서 우물에서 펌핑된 물을 마시고 있다고 보도했다.[184][275] 그 물은 나중에 마셔도 안전한 것으로 판명되었다.[185]



10월 13일, 트럼프 행정부는 푸에르토리코가 기본적인 기능과 인프라 요구 사항을 해결하는 데 사용할 수 있는 대출 프로그램을 지원하기 위해 49억달러를 요청했다.[187] 10월 20일, 섬의 18.5%만이 전기를 사용하고, 49.1%의 통신 타워가 작동하며, 69.5%의 고객이 수돗물을 사용하고 있으며, 복구가 북쪽에서 가장 느리게 진행되었다.[188] 항구 및 상업 항공편은 정상 운영으로 복귀했지만 USPS 지점의 7.6%, 슈퍼마켓의 11.5%, 주유소의 21.4%는 여전히 폐쇄되었다.[188] 4,246명이 여전히 비상 대피소에서 생활하고 있으며, 관광은 절반으로 감소했다.[188] 11월 5일, 10만 명 이상의 사람들이 푸에르토리코를 떠나 본토로 갔다.[189] 12월 17일 보고서에 따르면 600명이 대피소에 남아 있는 반면 13만 명이 섬을 떠나 본토로 갔다.[190]

허리케인 발생 3개월 후, 푸에르토리코인의 45%가 여전히 전기를 사용하지 못했고, 150만 명 이상의 사람들이 혜택을 받지 못했다.[191] 푸에르토리코의 14%는 수돗물이 없었고, 통신 서비스는 복귀하여 90% 이상의 서비스가 복구되었고 통신 타워의 86%가 작동했다.[192]

당시 국토안보부 장관 대행인 엘레인 듀크는 몇 년 후, 트럼프 대통령이 허리케인 이후 푸에르토리코를 "판매"할 것을 제안했다고 회상했다. "우리가 전기를 아웃소싱할 수 있을까요? 섬을 팔 수 있을까요? 아시잖아요, 아니면 그 자산을 매각할 수 있을까요?"라고 그녀는 그가 말하는 것을 기억했다.

3. 6. 히스파니올라

마리아가 푸에르토리코를 떠난 후 9월 21일 도미니카 공화국 동쪽을 통과하는 적외선 위성 루프.


마리아가 도미니카 공화국 북동쪽으로 이동하면서 폭우와 강풍이 불었다. 9월 22일 평가에 따르면 110채의 집이 파괴되고 570채가 손상되었으며 3,723명이 홍수의 영향을 받았다. 약 6만 명의 사람들이 국가 북부 지역에서 정전을 겪었다. 홍수와 산사태로 인해 많은 도로가 통행 불가능해져 38개 지역사회가 고립되었다.[116] 도미니카 공화국에서는 5명이 사망했는데, 모두 남성이었으며, 그 중 4명은 홍수에 휩쓸려 사망한 아이티 출신이었고, 나머지 한 명은 산사태로 사망한 도미니카 남성이었다.[117] 기반 시설 피해는 6300만달러에 달했다.[35]

허리케인 마리아의 중심부는 아이티 북부 해안에서 250km 떨어져 지나갔지만, 아이티에 많은 양의 비와 일부 홍수를 유발했다. 3명의 사망자가 보고되었는데, 45세 남성은 홍수를 건너려다 노르드 부서의 림베 지역에서 사망했다. 다른 두 명(여성과 남성)은 수도 포르토프랭스에서 40km 동쪽에 있는 작은 마을인 코르니용에서 사망했다고 당국은 밝혔다.[118]

3. 7. 미국 본토

허리케인 마리아는 9월 26일 노스캐롤라이나의 아우터뱅크스를 스쳐 지나가면서 열대 폭풍의 영향을 주었다. 폭풍 해일, 큰 파도, 해안 이안류가 발생했고, 듀크 에너지 프로그레스 고객 800명의 전력이 하벨록 지역에서 끊어졌다.[31] 도미니언 노스캐롤라이나 파워와 케이프 해터러스 전기 협동조합은 산발적인 정전을 겪었다. 9월 27일 만테오의 데어 카운티 지역 공항에서는 풍속 23mph 및 최대 순간 풍속 41mph가 보고되었으며, 덕에서는 풍속 40mph가 보고되었다.[32] 마리아는 오크라코크 섬 북쪽 끝에 있는 페리 터미널에서 해안 침식을 일으켜 차량이 페리에 탑승하기 위해 대기하는 포장 차선의 일부를 쓸어냈다. 9월 26일 아침까지 해안을 따라 노스캐롤라이나 고속도로 12번이 침수되었다.[31]

마리아로 인한 이안류로 인해 9월 23일–24일 주말 동안 뉴저지 해안에서 세 명의 수영 선수가 익사하고 여러 명이 구조되었다.[119] 네 번째 익사 사고는 플로리다주 페르난디나 비치에서 발생했다.[120]

4. 복구 및 지원

허리케인 마리아로 인해 마르티니크, 과들루프, 세인트루시아, 바베이도스, 도미니카, 세인트빈센트 그레나딘, 앤티가 바부다, 세인트 키츠, 네비스, 몬트세랫 등 카리브해 여러 섬나라에 열대성 폭풍 및 허리케인 경보가 발령되었다.[19][20][21][22] 도미니카 공화국은 인도주의적 위성 지원을 위해 국제 우주 및 주요 재해 헌장을 발동했다.[23]

허리케인 마리아를 앞두고 미 해군이 미령 버진 아일랜드에서 군 병력을 대피시키는 모습


허리케인 마리아 이후 세인트 토머스에서 인양된 선박 중 하나


SH-60 시호크 헬리콥터가 인도주의적 지원을 위해 도미니카 상공을 비행하고 있다. 섬의 산악 지형은 더 외딴 지역에서의 구호 작전에 심각한 어려움을 준다.


허리케인 발생 한 달이 채 안 되어 미국령 버진아일랜드의 세인트토머스의 16%, 세인트크로이의 1.6%에만 전기가 복구되었다.[251] 마리아 발생 3개월 후에도 미국 영토 전체의 약 절반이 여전히 정전 상태였고, 미국 영토의 25%는 통신 서비스가 불가능했다.[252]

허리케인 발생 이후, 도미니카 섬 가옥의 85% 이상이 피해를 입었고, 그 중 25% 이상이 완전히 파괴되어 섬 주민 73,000명 중 50,000명 이상이 이재민이 되었다.[122]

4. 1. 도미니카

허리케인 마리아로 인해 도미니카 섬 가옥의 85% 이상이 피해를 입었고, 그 중 25% 이상은 완전히 파괴되었다. 이로 인해 섬 주민 73,000명 중 50,000명 이상이 이재민이 되었다.[122] 수천 채의 가옥, 대부분의 슈퍼마켓, 상수도 시스템이 파괴되면서 도미니카 주민 대다수는 며칠 동안 식량, 물, 쉘터가 절실히 필요했다.[67] 전기와 수돗물을 사용할 수 없고 하수도 시스템까지 파괴되어 설사 및 이질에 대한 우려가 커졌다. 섬의 주요 수입원이었던 농업은 대부분의 나무가 쓰러지면서 황폐화되었다. 관광 산업 역시 마리아 이후 몇 달 동안 침체가 예상되었다. 로버트 스케리트 총리는 허리케인 어마와 마리아가 가져온 피해를 기후 변화와 그로 인한 국가 생존 위협의 징후로 묘사하며, "기후 변화를 부정하는 것은... 우리가 방금 겪은 진실을 부정하는 것과 같습니다"라고 말했다.[122]

카리브 재난 위험 보험 시설을 통해 도미니카는 약 19200000USD의 긴급 자금을 지원받았다.[123] 허리케인 어마 이후 구호 활동을 위해 생마르탱에 배치되었던 미 해군의 은 9월 22일 도미니카에 도착했다. 이 군함에는 접근이 어려운 지역에 구호 물품을 전달하기 위한 두 대의 시콜스키 SH-60 시호크 헬리콥터가 탑재되어 있었다.[124] 9월 23일 유엔 총회에서 로버트 스케리트 총리는 도미니카의 상황을 "국제적 인도주의적 비상 사태"라고 언급했다.[125] 로버트 스케리트 총리의 요청에 따라 로열 캐나다 해군의 가 도미니카에 파견되었다.[126][127]

주택과 건물을 재건하려는 노력은 꾸준히 진행되었지만, 자금 부족으로 인해 복구 작업은 더디게 진행되었다. 허리케인 발생 후 거의 2년이 지났음에도 많은 주택에는 여전히 지붕이 없어 쉘터가 계속 운영되었다.[128]

4. 2. 푸에르토리코

이 폭풍은 9월 20일 수요일, 야부코아 시 근처에서 동부 표준시(UTC) 10시 15분(현지 시간 오전 6시 15분)에 시속 의 강풍을 동반한 강력한 카테고리 4등급 허리케인으로 푸에르토리코에 상륙했다.[93] 허리케인이 섬에 상륙하기 직전, 산후안에서 최대 시속 의 지속적인 풍속과 최대 시속 의 돌풍이 보고되었다. 상륙 후 야부코아 항에서는 시속 의 돌풍이, 캠프 산티아고에서는 시속 의 돌풍이 보고되었다.[91] 야부코아에서는 최저 기압 가 기록되었다.[7] 또한, 영토 전역에 걸쳐 폭우가 쏟아졌으며, 카구아스에서 로 최고치를 기록했다.[92] 마리아가 카테고리 4등급으로 약화되도록 한 눈벽 교체 주기는 상륙 전에 눈의 크기가 세 배로 커지면서 직경이 9nmi에서 28nmi로 확장되었다. 이러한 크기 변화로 인해 섬에서 강한 바람의 영향을 받는 지역이 훨씬 더 넓어졌다.[7] 광범위한 홍수가 산후안을 덮쳐 어떤 지역에서는 허리까지 물이 찼으며, 수많은 건물들이 지붕을 잃었다.[93] 산후안의 해안가 라 펠라 지역은 거의 파괴되었다.[94] 카타뇨는 광범위한 피해를 입었으며, 후아나 마토스 지역은 80%가 파괴된 것으로 추정된다.[95] 산후안의 주요 공항인 루이스 무뇨스 마린 국제공항은 9월 22일에 재개항할 예정이었다.[96]

강한 바람, 폭우, 폭풍 해일, 파도 작용 및 산사태로 인해 푸에르토리코 전역의 수십만 채의 건물에 광범위한 피해가 발생했다. 리카르도 로셀로는 30만 채 이상의 가옥이 파괴되고 훨씬 더 많은 가옥이 연방정부 전체에서 피해를 입었다고 추정했다. 다른 추정치에는 166,000채의 주거용 건물이 손상되거나 파괴되었으며, 472,000채의 주택이 심각한 피해를 입거나 파괴되었다는 내용이 포함되었다.[97]

폭풍 해일과 급격한 홍수—라 플라타 호수 댐의 홍수 방지문 방류에서 비롯됨—가 토아 바하 마을로 쏟아져 들어가 수천 명의 주민들이 갇혔다. 생존자들은 홍수가 30분 만에 최소 약 1.83m까지 상승했으며, 일부 지역에서는 수심이 약 4.57m에 달했다고 한다. 군의 구호대가 폭풍 후 24시간 만에 마을에 도착한 후 2,000명 이상이 구조되었다. 최소 8명이 홍수로 사망했으며, 많은 사람들이 실종되었다.[98]

9월 24일, 푸에르토리코 주지사 리카르도 로셀로는 허리케인 마리아로 인한 푸에르토리코의 피해가 허리케인 조지스로 인한 80억 달러 이상의 피해액을 넘어설 것이라고 추정했다.[99] 영토의 약 80%의 농업이 허리케인으로 인해 손실되었으며, 농업 손실은 7.8억달러로 추산되었다.[100]

허리케인은 섬의 전력망을 완전히 파괴하여 340만 명의 모든 주민들이 전기를 사용하지 못하게 했다.[95][143][101] 로셀로 주지사는 일부 지역에서 전력을 복구하는 데 몇 달이 걸릴 수 있다고 밝혔으며,[102] 산후안 시장 카르멘 율린 크루스는 일부 지역이 4~6개월 동안 전력 없이 지낼 것이라고 추정했다.[103] 통신망은 섬 전체에서 마비되었다. 셀 네트워크의 95%가 다운되었고, 섬의 78개 군 중 48개의 네트워크가 완전히 작동하지 않았다.[143] 지상 전화 및 인터넷 케이블의 85%가 파손되었다.[104] 폭풍이 몰아치는 동안 WAPA 680 AM, WPAB 550 AM 및 WISO 1260 AM (폰세), WKJB 710 AM, WPRA 990 AM 및 WTIL 1300 AM (마야구에스), WMIA 1070 AM (아레시보), WVOZ 1580 AM (모로비스), WXRF 1590 AM (과야마), WALO 1240 AM (우마카오) 및 WOIZ 1130 AM (과야니야) 등 12개의 라디오 방송국만 방송을 유지했다.[143]

허리케인 마리아는 섬 전역에 산사태를 일으켰으며, 일부 지방 자치 단체에서는 1제곱마일당 25건 이상의 산사태가 발생했다.[105][106]

푸에르토리코의 NEXRAD 도플러 기상 레이더가 날아갔다. 레이더 안테나를 덮고 시속 이상의 바람을 견디도록 설계된 레이돔이 파괴되었고, 직경 30피트의 안테나는 받침대에서 날아갔지만 받침대는 손상되지 않았다. 레이더는 해발 약 853.44m 높이에 있으며, 현장의 풍속계는 통신이 끊기기 전에 약 145mph의 풍속을 측정했는데, 이는 해당 높이의 풍속이 해수면에서 관측된 것보다 20% 더 높았을 가능성이 있음을 의미한다. 레이더는 9개월 후에 재건되어 마침내 다시 가동되었다.[107][108]

인근 섬인 비에케스도 비슷한 광범위한 피해를 입었다. 통신이 섬 전체에서 거의 끊겼다. 광범위한 재산 피해가 발생하여 많은 구조물이 평평해졌다.[109] 쿨레브라 섬에 남아 있는 구조물은 허리케인 어마로 인해 최근 심각한 피해를 입은 후 마리아의 강력한 바람에 매우 취약해져 많은 나무 집들이 완전히 파괴되고 지붕이 날아가고 보트가 침몰했다.[7]

가족 4명을 태운 전 조사선 ''Ferrel''은 9월 20일 의 파도와 시속 115mph의 바람과 싸우는 동안 조난 신호를 보냈다.[111] 9월 20일 비에케스 근처에서 선박과의 통신이 끊어졌다. 미국 해안 경비대, 미국 해군 및 영국 해군은 HC-130 항공기, 고속 대응 절단기, USS Kearsarge (LHD-3), RFA Mounts Bay (L3008) 및 해군 헬리콥터를 사용하여 수색 및 구조 작전을 수행했다.[110] 9월 21일, 어머니와 두 자녀는 구조되었지만 아버지는 전복된 선박 안에서 익사했다.[111]

마리아의 카테고리 4등급 강풍으로 인해 아레시보 천문대의 라인 피드 안테나가 부러져 아래로 떨어져 접시를 관통하여 수리가 완료될 때까지 기능이 크게 저하되었다.[112][113]

허리케인 마리아는 푸에르토리코의 농업에 큰 영향을 미쳤다. 커피는 가장 큰 피해를 입은 작물로, 1,800만 그루의 커피 나무가 파괴되었으며, 섬의 커피 생산량의 최소 15%를 회복하는 데 약 5~10년이 소요될 것이다.[114]

휘트니 미술관은 2022년 11월 23일부터 2023년 4월 23일까지 열린 "no existe un mundo poshuracán: Puerto Rican Art in the Wake of Hurricane Maria" 전시회에서 푸에르토리코의 허리케인 마리아 경험과 그 여파를 기록했다.[115]

허리케인은 전력망을 사실상 파괴하여 수백만 명의 사람들이 전기 없이 지내게 했다.[129] 리카르도 로셀로 주지사는 마리아로 인한 피해가 최소 900억달러에 달한다고 추산했으며[130][131] 2018년 미국 국립 허리케인 센터는 가장 피해가 큰 허리케인 목록을 업데이트하여 이 수치를 포함시켰다.[132]

2017년 9월 26일, 섬의 95%가 정전되었고, 인구의 절반도 안 되는 사람들이 수돗물을 사용했으며, 섬의 95%가 휴대폰 서비스를 이용할 수 없었다.[133] 허리케인 발생 2주가 조금 넘은 10월 6일에도 89%가 여전히 정전 상태였고, 44%는 급수 서비스를 받지 못했으며, 58%는 통신 서비스를 이용할 수 없었다.[134]

허리케인 발생 2주 후, 국제 구호 단체 옥스팜(Oxfam)은 2005년 허리케인 카트리나 이후 처음으로 미국 본토에 개입하기로 결정했다.[192]

허리케인 발생 1개월 후, 섬의 88%가 정전 상태(약 300만 명)였고, 29%가 수돗물 부족(약 100만 명)을 겪었으며, 40%가 휴대폰 서비스를 이용할 수 없었다. 대부분의 병원은 문을 열었지만,[135] 대부분 제한적인 전력을 제공하는 비상 발전기를 사용했다. 2017년 11월까지, Angelique Sina의 비영리 단체인 푸에르토리코의 친구들(Friends of Puerto Rico)은 두 도시의 병원에 발전기를 공급했다.[136] 섬의 하수 처리장의 약 절반이 여전히 작동하지 않았다. FEMA는 6만 가구가 지붕 수리를 필요로 하며 3만 8천 개의 지붕 방수포를 배포했다고 보고했다.[137] 섬의 고속도로와 다리는 거의 한 달이 지난 후에도 심하게 손상된 상태였다. 푸에르토리코 5,073마일의 도로 중 392마일만 개방되었다. 일부 마을은 여전히 고립되었고 식량과 물을 포함한 구호 물품의 배송이 방해를 받았으며 헬리콥터만이 유일한 대안이었다.[138]

2017년 10월 1일, 연료 부족과 배급 문제가 계속되었으며 1,100개의 주유소 중 720개가 문을 열었다.[139] 11월, ''뉴욕 타임스''는 폭풍 이후 주민들이 전기 없이 생활하면서 자살률이 급증했다고 보도했다. 자살률은 마리아 이전보다 두 배로 증가했다.[140]

과야타카 댐이 구조적으로 손상되었고, 9월 22일 국립 기상청은 이 지역 일부에 대해 돌발 홍수 비상사태를 발령했다.[141] 수만 명의 사람들이 이 지역에서 대피하라는 명령을 받았으며, 약 7만 명이 위험에 처한 것으로 추정되었다.[142]

허리케인 직후 푸에르토리코 전체가 연방 재해 지역으로 선포되었다.[147] 연방 재난 관리청(FEMA)은 9월 22일부터 매일 섬에 필수 물품을 실어 나르는 3~4대의 항공기로 공중 교량을 개설할 계획을 세웠다.[143] 구호 활동과 관련된 항공편 외에도 제한적인 상업 교통이 9월 22일 루이스 무뇨스 마린 국제공항에서 원시적인 조건에서 재개되었다. 2017년 9월 26일 현재, 매일 12편의 상업 항공편이 운항되었다.[144] 10월 3일까지 푸에르토리코의 모든 공항에서 매일 39편의 상업 항공편이 운항되었으며, 이는 정상 운항 횟수의 약 1/4 수준이었다.[145] 다음날, 공항이 정상 운영 능력으로 운영되는 것으로 보고되었다.[146] 푸에르토리코 정부는 56개의 소규모 회사와 계약을 맺고 전력 복구를 지원하도록 했다.[147] 8개의 FEMA 도시 수색 및 구조(US&R) 팀이 구조 활동을 지원하기 위해 배치되었다.[154]

9월 24일, USS Kearsarge (LHD-3)와 USS Oak Hill (LSD-51)가 제프리 W. 휴즈 소장의 지휘 하에 제26 해병 원정대의 해병 2,400명과 함께 구호 활동을 지원하기 위해 도착했다.[148][149][150][151] 9월 24일까지, 13척의 미국 해안 경비대 선박이 푸에르토리코 주변에 배치되어 구호 및 복구 활동을 지원했다. 국가 안보 절단기 USCGC James (WMSL-754); 중간 지구력 절단기 USCGC Diligence (WMEC-616), USCGC Forward (WMEC-911), USCGC Venturous (WMEC-625), 및 USCGC Valiant (WMEC-621); 고속 대응 절단기 USCGC Donald Horsley, USCGC Heriberto Hernandez (WPC-1114), USCGC Joseph Napier (WPC-1115), USCGC Richard Dixon (WPC-1113), 및 USCGC Winslow W. Griesser; 해안 경비정 USCGC ''Yellowfin''; 및 항해용 부이 텐더 USCGC Cypress (WLB-210) 및 USCGC Elm (WLB-204).[152] 9월 25일 주요 항구가 재개장되면서 연방 지원이 도착했다. 1.3ML의 물, 23,000개의 침대, 수십 개의 발전기를 운반하는 11척의 화물선이 도착했다.[153] 과야니야, 살리나스, 탈라보아 항구에서 9월 25일 완전한 운영이 재개되었고, 산후안, 파하르도, 쿨레브라, 과야마, 비에케스 항구에서는 제한적인 운영이 이루어졌다.[154] 미국 공군 공중 기동 사령부는 구호 물품을 전달하기 위해 8대의 C-17 글로브마스터 항공기를 투입했다.[154] 공군은 연방 항공국과 협력하여 항공 교통 관제 수리를 지원하여 처리 능력을 향상시켰다.[154] 물류 지원선 ''SS Wright (T-AVB-3)''는 9월 22일 동원되어 130만개의 MRE와 1ML의 깨끗한 물을 배달하는 구호 작전을 지원했다.[155][156]

미국 운송 사령부는 켄터키주 포트 캠벨에서 추가 인력과 8대의 미 육군 UH-60 블랙 호크 헬리콥터를 루이스 무뇨스 마린 국제공항으로 이동하여 배포 능력을 향상시켰다.[154] 미국 공병대는 전력망을 평가하고 복구하는 데 참여한 670명의 인력을 배치했으며, 9월 25일까지 83개의 발전기가 설치되었고 186개의 발전기가 추가로 이동 중이었다.[154] 2017년 9월 26일까지, 미국 정부 기관은 400만 개의 식사, 6ML의 물, 7만 개의 방수포 및 1만 5천 롤의 지붕 시트를 배포했다.[157] 주 방위군 병력이 소집되어 코네티컷, 조지아, 아이오와, 일리노이, 켄터키, 미주리, 뉴욕, 로드아일랜드, 위스콘신에서 푸에르토리코로 파견되었다.[158]

9월 29일, 병원선 USNS Comfort (T-AH-20)가 허리케인 어마와 마리아의 피해자를 돕기 위해 버지니아주 노퍽 항구를 출발하여 10월 3일 산후안에 도착했다. 며칠 후, ''Comfort''는 섬 주변을 순회하며 지원하기 위해 출발하여 해안에서 12마일 떨어진 곳에 머물렀다.[159] 환자들은 푸에르토리코 보건부의 의뢰를 받아 헬리콥터 또는 보트 텐더로 배로 이송되었다. 그러나 과도하게 몰린 섬 클리닉과 병원에도 불구하고 250개 병상의 최첨단 부유 병원은 의뢰가 거의 없어 사용되지 않았다.[160][161] 로셀로 주지사는 10월 17일경 "단절 또는 명백한 단절은 통신 흐름에 있었고" "그것을 완전히 수정해 달라고 요청했으며 이제 더 많은 환자를 그곳으로 보낼 수 있습니다"라고 설명했다.[161] 3주 동안 해안에 머무른 후, ''Comfort''는 10월 27일 산후안에 정박했으며, 해군 보급선에서 바다에서 재보급하기 위해 잠시 출발했다.[159] 2017년 11월 8일까지, ''Comfort''의 직원은 1,476명의 환자를 치료했으며, 여기에는 147건의 수술과 2건의 출산이 포함되었다.[162]

9월 27일, 펜타곤은 푸에르토리코의 두 개의 주요 비행장을 재개장하고 구호 활동을 지원하기 위해 항공기, 특수 부대 및 병원선을 보내기 시작했다. 미국 육군 북부 사령부 부사령관인 리처드 C. 김 준장은 군, FEMA 및 기타 정부 기관, 민간 부문 간의 작전을 조정하는 책임을 맡았다.[163] 엄청난 양의 물, 식량 및 연료가 푸에르토리코 항구로 배달되었거나 상품을 내륙으로 운송할 트럭 운전사가 부족하여 미국 본토의 항구에 묶여 있었다. 통신망의 부족은 노력에 지장을 주었으며 운전자 중 20%만이 출근했다고 보고했다.[164] 9월 28일까지, 산후안 항구는 받은 배송의 4%만 발송할 수 있었고 추가 배송을 수락할 여유 공간이 거의 없었다.[165] 9월 28일까지, 인구의 44%가 식수를 사용하지 못했고 미군은 "단기적, 해상 기반 대응에서 견고하고 장기적인 지원을 제공하도록 설계된 주로 육상 기반 노력"으로 전환했으며 연료 배달이 최우선 과제였다.[166] 육군 주 방위군과 해병 원정대(MEU) 합동 팀은 이전 루즈벨트 로드 해군 기지에 설치 기지를 설립했다. 그들은 헬리콥터를 통해 푸에르토리코 전역의 병원에 보건복지부 평가 팀을 수송하여 의료 요구 사항을 결정했다.[166] 9월 29일, USS Wasp (LHD-1)는 도미니카 섬에 구호 활동을 제공한 후 푸에르토리코로 전환되었다.[167] 9월 30일까지, FEMA 관리 알레한드로 데 라 캄파는 섬의 5%의 전력, 33%의 통신 인프라, 50%의 급수 서비스가 복구되었다고 말했다.[168]

2017년 9월 28일, 제프리 S. 뷰캐넌 중장은 푸에르토리코에 파견되어 모든 군사 허리케인 구호 활동을 지휘하고 군대가 회복 노력을 보다 효과적으로 수행할 수 있는 방법을 모색했다. 특히 "관료주의, 운전자 부족, 심각한 정전"으로 인해 항구에 갇힌 수천 개의 물품 컨테이너를 처리하는 데 주력했다.[170][171] 9월 29일 그는 충분한 병력과 장비가 배치되지 않았지만 더 많은 병력과 장비가 곧 도착할 것이라고 말했다.

중앙 집중식 화석 연료 기반 발전소와 전력망 인프라가 몇 주에서 몇 달 동안 작동하지 않을 것으로 예상됨에 따라 일부 재생 에너지 프로젝트가 진행되었으며, 여기에는 수백 개의 테슬라 파워월 배터리 시스템이 태양광 PV 시스템과 통합되어 배송되었고 Sonnen 태양광 마이크로그리드 프로젝트가 15개의 비상 커뮤니티 센터에 설치되었다. 첫 번째 프로젝트는 10월에 완료될 것으로 예상되었다. 또한 Sunnova 및 New Start Solar를 포함한 다른 태양광 회사도 도움을 주기 위해 나섰다. Light Up Puerto Rico라는 자선 단체는 10월 19일에 태양광 패널을 포함한 태양광 제품을 구매하고 배달하기 위해 자금을 모금했다. 아이디어는 기존 전력망을 태양광 및 풍력 발전소의 전력으로 보완하는 것이었다. 화석 연료 인프라를 완전히 교체하는 것은 태양광 및 풍력 발전이 너무 간헐적이고 또 다른 허리케인에 취약하기 때문에 불가능하다.[176][177] 푸에르토리코의 5개의 대형 태양광 발전소 중 4개가 손상되었고 많은 풍력 터빈이 블레이드 손상을 입었다.[178][179]

많은 TV 및 영화 스타들이 허비와 마리아의 피해자를 돕기 위해 허리케인 구호 단체에 돈을 기부했다. 특히 제니퍼 애니스톤은 100만달러를 약속했으며, 이 금액을 적십자와 푸에르토리코를 위한 리키 마틴 재단에 동일하게 분배했다. 마틴 재단은 2017년 10월 13일까지 300만달러 이상을 모금했다.[180]

2017년 10월 9일, 미국 우편 서비스는 128개의 사무소 중 99개가 거주자에게 소포와 우편물을 배달하고 있다고 밝혔다. 비록 일부는 텐트에서 일하고 있었지만[181] 그들의 사무실은 허리케인 이후 1주일 동안 정전되었다. 케어 패키지는 푸에르토리코 전역에서 들어오고 있었고 USPS는 임시 직원을 고용하고 주 7일 소포를 배달하는 직원을 배치하여 큰 타격을 입었다.[182]

2017년 10월 10일, 카니발 크루즈 라인은 2017년 10월 15일에 산후안에서 크루즈 출발을 재개할 것이라고 발표했다.[183] 10월 13일, CNN가디언은 푸에르토리코 사람들이 EPA 수퍼펀드 부지에서 우물에서 펌핑된 물을 마시고 있다고 보도했다.[184][275] 그 물은 나중에 마셔도 안전한 것으로 판명되었다.[185]

10월 13일, 트럼프 행정부는 푸에르토리코가 기본적인 기능과 인프라 요구 사항을 해결하는 데 사용할 수 있는 대출 프로그램을 지원하기 위해 49억달러를 요청했다.[187] 10월 20일, 섬의 18.5%만이 전기를 사용하고, 49.1%의 통신 타워가 작동하며, 69.5%의 고객이 수돗물을 사용하고 있으며, 복구가 북쪽에서 가장 느리게 진행되었다.[188] 항구 및 상업 항공편은 정상 운영으로 복귀했지만 USPS 지점의 7.6%, 슈퍼마켓의 11.5%, 주유소의 21.4%는 여전히 폐쇄되었다.[188] 4,246명이 여전히 비상 대피소에서 생활하고 있으며, 관광은 절반으로 감소했다.[188] 11월 5일, 10만 명 이상의 사람들이 푸에르토리코를 떠나 본토로 갔다.[189] 12월 17일 보고서에 따르면 600명이 대피소에 남아 있는 반면 13만 명이 섬을 떠나 본토로 갔다.[190]

허리케인 발생 3개월 후, 푸에르토리코인의 45%가 여전히 전기를 사용하지 못했고, 150만 명 이상의 사람들이 혜택을 받지 못했다.[191] 푸에르토리코의 14%는 수돗물이 없었고, 통신 서비스는 복귀하여 90% 이상의 서비스가 복구되었고 통신 타워의 86%가 작동했다.[192]

당시 국토안보부 장관 대행인 엘레인 듀크는 몇 년 후, 트럼프 대통령이 허리케인 이후 푸에르토리코를 "판매"할 것을 제안했다고 회상했다. "우리가 전기를 아웃소싱할 수 있을까요? 섬을 팔 수 있을까요? 아시잖아요, 아니면 그 자산을 매각할 수 있을까요?"라고 그녀는 그가 말하는 것을 기억했다. 그녀는 그 주제가 그 언급 외에는 다시 언급된 적이 없다고 말했다.[193] 전 DHS 비서실장 마일스 테일러는 트럼프가 푸에르토리코를 그린란드와 교환할 수 있는지 물었다고 말했는데, 그 이유는 ""푸에르토리코는 더럽고 사람들은 가난했기 때문이다."[194]

5. 사망자 수 논란

푸에르토리코 정부는 허리케인 마리아로 인한 직접적인 사망자 수를 64명으로 처음 발표했다.[230] 그러나 언론, 정치인, 탐사 보도 기자들은 이 수치에 의문을 제기했다. 허리케인 이후 몇 달 동안 기반 시설과 통신 마비로 인해 정확한 사망자 수를 파악하기 어려웠다.

허리케인 이후의 조사에서 다양한 사망자 수가 제시되었다. 2017년 10월 11일, ''복스''는 허리케인과 직간접적으로 관련된 사망자가 81명이고, 조사를 기다리는 사망자가 450명이라고 보도했다. 또한 69명이 실종되었다고 밝혔다.[231] 2017년 11월 CNN은 섬의 약 절반인 112개의 장례식장을 2주 동안 조사한 결과, 9월 20일부터 10월 19일 사이에 허리케인 관련 사망자가 499명으로 나타났다고 보도했다.[234]

2018년 8월, 조지 워싱턴 대학교 연구진은 허리케인 이후 6개월 동안 2,658~3,290명의 초과 사망자가 발생했다고 추정했으며,[244] 공식 사망자 수는 2,975명으로 수정되었다.[230][245] 도널드 트럼프 대통령은 수정된 사망자 수에 이의를 제기하며, 민주당이 정치적인 목적으로 사망자 수를 부풀렸다고 주장했다.[246] 이러한 반응은 즉각적인 비판을 받았다.[247]

BBC 보도에 따르면 푸에르토리코 정부 발표 사망자 수는 기존 64명이었지만, 하버드 대학교는 정부 발표의 70배에 달하는 4,600명 이상으로 추산했다.[291]

6. 미국 정부 대응 비판

미국 정부의 허리케인 마리아 대응은 부적절하고 늦었다는 비판을 받았다.[255] 미국 국토안보부(DHS)는 푸에르토리코에 대해 즉시 존스법을 유예하지 않아, 연방 자치령이 미국 깃발이 없는 선박으로부터 원조와 물품을 받지 못하게 했다(미국 외 항구에서 출항하는 선적은 영향을 받지 않음).[256] DHS 보안 대변인은 푸에르토리코에 충분한 미국 선적이 있을 것이며 제한 요인은 항구 수용 능력과 현지 운송 능력이라고 말했다.[257][258][259] 존스법은 결국 푸에르토리코 주지사 로셀로의 공식 요청에 따라 9월 28일부터 10일 동안 유예되었다.[260]

산후안 시장 카르멘 율린 크루즈는 이 재앙을 "끔찍한 인도주의적 위기"라고 부르며 9월 26일 구호 노력을 가속화해 달라고 호소했다.[261] 백악관은 행정부가 효과적으로 대응하지 않았다는 주장에 이의를 제기했다.[262] 미국 방위군 사령관 조셉 L. 렝겔 장군은 트럼프 행정부의 대응을 옹호하며, 구호 노력은 푸에르토리코가 본토가 아닌 섬이라는 점에 의해 방해를 받았다고 반복했다.[263] 도널드 트럼프 대통령은 자신이 푸에르토리코에 관심이 없다는 비난에 대해 "푸에르토리코는 나에게 매우 중요하며, 푸에르토리코는 환상적인 사람들입니다. 저는 뉴욕에서 자랐고, 그래서 푸에르토리코 출신 사람들을 많이 알고 있습니다. 저는 많은 푸에르토리코 사람들을 알고 있습니다. 그리고 이들은 훌륭한 사람들이고, 우리는 그들을 도와야 합니다. 섬은 황폐화되었습니다."라고 답했다.[264]

9월 29일 기자 회견에서 크루즈 시장은 연방 정부의 대응을 비판하며 "우리는 죽어가고 있고 당신들은 비효율성으로 우리를 죽이고 있습니다."라고 말했다.[277] 트럼프는 그녀를 "형편없는 리더십"으로 비난하며, 크루즈 시장과 "푸에르토리코의 다른 사람들... 그들을 위해 모든 것이 이루어지기를 바란다"고 트윗했다.[277]

옥스팜은 연방 정부의 "느리고 부적절한 대응"에 좌절하여 10월 2일 인도주의적 지원 노력에 참여, "표적적이고 효과적인 대응을 평가"하고 현장에서 현지 파트너를 지원하기 위해 팀을 파견할 계획이라고 발표했다.[265] 옥스팜은 성명에서 "미국 정부가 구호 노력에 참여하고 있지만 가장 시급한 요구 사항을 해결하지 못했습니다. 옥스팜은 푸에르토리코의 대응을 면밀히 감시해 왔으며, 미국 정부가 펼친 느리고 부적절한 대응에 분노하고 있습니다."라고 밝혔다. 옥스팜 아메리카 회장 애비 맥스만은 "옥스팜은 미국 및 기타 부유한 국가에서 인도주의적 비상 사태에 거의 대응하지 않지만, 푸에르토리코의 상황이 악화되고 연방 정부의 대응이 계속 흔들리면서, 우리는 개입하기로 결정했습니다. 미국은 비상 대응을 동원할 충분한 자원을 가지고 있지만, 신속하고 강력하게 그렇게 하는 데 실패했습니다."라고 말했다.[266] 10월 19일 업데이트에서 옥스팜은 푸에르토리코의 상황을 "용납할 수 없는" 것으로 칭하며 "미국 정부의 더 강력하고 효율적인 대응"을 촉구했다.[267]

10월 3일 캘리포니아 롱비치에서 허리케인 피해자와 푸에르토리코의 지위를 위한 집회


2017년 10월 3일, 트럼프 대통령은 푸에르토리코를 방문하여 허리케인 마리아의 피해를 허리케인 카트리나와 비교하며 "모든 죽음은 공포이지만, 카트리나와 같은 실제 재앙을 보고, 수백, 수백, 수백 명의 엄청난 사람들이 죽은 것을 보고, 정말 압도적인 폭풍으로 일어난 일을 보면, 아무도 이런 것을 본 적이 없습니다... 오늘 아침 현재 사망자 수는 17명입니까?"라고 말했다.[268] 그의 발언은 허리케인 마리아가 "진정한 재앙"이 아니라는 점을 암시한다는 비판을 받았다.[269][270] 트럼프는 구호 대피소에 모인 군중에게 통조림 식품과 종이 타월을 나눠주었고, "푸에르토리코, 미안하지만, 당신들은 우리의 예산을 약간 엉망으로 만들었습니다. 왜냐하면 우리는 푸에르토리코에 많은 돈을 썼고, 괜찮습니다. 우리는 많은 생명을 구했습니다."라고 말했다.[272]

10월 12일, 트럼프는 "우리는 푸에르토리코에서 놀라운(가장 어려운 상황에서) FEMA, 군대 및 최초 대응자를 영원히 유지할 수 없습니다!"라고 트윗하여[273] 양당 입법자들로부터 비판을 받았다.[274] 크루즈 시장은 "당신은 공감 능력이 없고, 솔직히 말해서 일을 할 수 없습니다."라고 답했다.[275] 존 F. 켈리는 로셀로 주지사로부터 트윗에 대한 설명을 요청받자, 자원은 회수되지 않고 있으며 "우리나라는 일이 끝날 때까지 푸에르토리코의 미국 시민들과 함께할 것입니다."라고 답했다.[276]

허리케인 발생 약 2개월 후 푸에르토리코를 방문한 난민 국제는 연방 당국의 느린 대응을 비판하고, 열악한 조정 및 물류를 지적했으며, 섬이 여전히 비상 모드에 있으며 더 많은 도움이 필요하다고 보고했다.[190] ''정치인(Politico)''은 푸에르토리코에서 허리케인 마리아에 대한 연방 정부의 대응을 한 달 전 텍사스 주 휴스턴 광역 지역을 강타했던 허리케인 하비에 대한 대응과 비교했는데, 마리아가 파괴적인 피해를 입혔지만, 대응은 양적 측면에서 더 느렸다.[277]

2018년 3월 하버드 인도주의 이니셔티브의 군대 배치 분석에 따르면, 허리케인 이후 푸에르토리코의 군사 임무는 비판가들이 말하는 것보다 더 나았지만 결함이 있었다. 미국 군대 자체가 국제 구호 임무에서와 마찬가지로 푸에르토리코에서도 잘 수행했으며, 카트리나 이후 조정이 크게 개선되었지만 재해 계획에 실제적인 단점이 존재한다고 결론지었다.[278][279]

공식 사망자 수가 2018년 8월 28일 추정 2,975명으로 업데이트된 후, 도널드 트럼프 대통령은 여전히 연방 정부가 허리케인 대응에서 "환상적인 일"을 했다고 말했다.[280] 한 달도 안 되어 트럼프는 허리케인 마리아에 대한 연방 정부의 대응을 "놀랍고 숨겨진 성공... 우리가 했던 최고의 일은 푸에르토리코 [텍사스와 플로리다의 허리케인과 비교하여] 였지만 아무도 그것을 이해하지 못할 것입니다."라고 묘사했다. 이러한 발언은 카르멘 율린 크루즈와 다른 인물들로부터 비난을 받았는데, 거의 3,000명의 사망자가 성공을 보여주지 않는다고 언급했기 때문이다.[3]

2021년 감찰관 조사는 트럼프 행정부가 푸에르토리코에 대한 약 200억 달러의 허리케인 구호 자금을 지연시킨 관료적 장애물을 세웠다는 것을 발견했다. 워싱턴 포스트도널드 트럼프 대통령이 푸에르토리코 정부가 부패했다고 믿었기 때문에 푸에르토리코의 재해 구호를 면밀히 감시하도록 관리들에게 지시했다고 보도했다. 그들은 또한 그가 참모들에게 구호 자금 단 한 푼도 푸에르토리코로 가는 것을 원하지 않고 대신 그 돈이 플로리다와 텍사스로 가도록 압력을 가했다고 말했다.[281] 트럼프 행정부는 이후 미국 주택도시개발부 감찰관의 연방 지원 지연 조사를 방해했다.[281]

2017년 10월 3일, 도널드 트럼프 대통령은 푸에르토리코의 피해 지역을 방문했다. 방재 담당자 앞에서, 규모에 비해 사망자 수가 적었던 것, 구조가 적절하게 이루어진 것에 대해 "자랑스러워해도 좋다"고 격려하고 칭찬했다. 그러나 대통령의 발언은 비판자들을 침묵시키기 위한 것으로 받아들여졌으며[293], 필수품이 배급되던 예배당에서 종이 타월을 던지는 포즈를 취한 것에 대해 비판을 받았다.[294]

6. 1. 화이트피쉬 에너지 계약 논란

허리케인 마리아 전후 푸에르토리코 야간 조명 비교


허리케인이 강타한 직후, 정규직 직원이 단 두 명뿐인 몬태나 기반의 소규모 회사인 화이트피쉬 에너지는 PREPA(푸에르토리코의 국영 전력 회사)로부터 푸에르토리코의 전력망을 복구하기 위한 3억달러 규모의 계약을 체결했는데, 이는 여러 면에서 매우 이례적인 조치로 여겨졌다.[283] PREPA는 화이트피쉬가 동원 비용으로 370만달러라는 비교적 적은 초기 비용을 제시한 것을 대규모 회사보다 이 회사를 계약한 주요 이유 중 하나로 언급했다. PREPA의 전무 이사 리카르도 라모스는 "화이트피쉬는 푸에르토리코로 동원될 수 있는 유일한 회사였으며, 가장 먼저 동원될 수 있는 회사였다. 그들은 우리에게 조기 지불이나 지불 보증을 요구하지 않았다."라고 말했다.[282]

이러한 작은 회사를 고용한 결정은 많은 사람들에게 매우 이례적인 것으로 여겨졌는데, 전 에너지부 관계자 수잔 티어니는 "이 분야에서 경험이 많고 서로 돕는 엄청난 기록을 가진 유틸리티가 이렇게 많은데, [유틸리티가] 화이트피쉬를 선택한 이유가 적어도 이상하다"라고 말했다.[283] 여러 민주당 및 공화당 의원들도 다른 회사 대신 화이트피쉬를 계약한 선택에 대해 우려를 표명했다.[282] 이 회사가 미국 내무 장관 라이언 징키의 고향인 몬태나 주 화이트피쉬에 기반을 두고 있었고, 징키의 아들 중 한 명이 화이트피쉬에서 여름 인턴십을 한 적이 있으며, 징키는 화이트피쉬의 CEO를 개인적으로 알고 있었다는 사실은 사유화와 연줄주의라는 비난으로 이어졌지만, 징키는 이러한 주장을 일축하고 계약 체결에 관여하지 않았다고 말했다.[283]

10월 27일 보도 자료에서 FEMA는 PREPA와 화이트피쉬 간의 계약을 승인하지 않았으며 "심각한 우려"를 표명했다.[284] 로셀로 주지사는 이후 계약 예산에 대한 감사를 지시했다. DHS 감사관 존 로스가 FEMA 감사를 주도하는 동안 로셀로 주지사는 푸에르토리코의 관리 예산실에 두 번째 검토를 요청했다.[285] 이후 주지사는 계약 취소를 요구했고, 이는 10월 29일에 실행되었다.[286]

2018년 4월 18일, AP 통신은 섬 전체가 정전 사태를 겪었다고 보도했다. 2018년 4월 19일, 푸에르토리코의 전력 회사는 굴착기가 송전선을 쳐서 발생한 섬 전체의 정전으로 인해 영향을 받은 모든 고객에게 전기를 복구했다고 밝혔지만, 허리케인 마리아와 이르마 이후 7개월이 지난 지금도 수만 가구가 정상적인 서비스를 받지 못하고 있었다.[287]

산후안 시장 카르멘 율린 크루스는 정전 사태 일주일 전 몬태나 계약 회사 화이트피쉬 에너지가 수리한 전선이 고장나면서 푸에르토리코의 미국인 약 70만 명이 전기를 공급받지 못하고 있다고 말했다. 푸에르토리코의 전력망은 허리케인 마리아가 섬을 강타한 이후 몇 달 동안 어려움을 겪었다. 푸에르토리코는 2018년 초 "부족한 서비스"를 이유로 전력 시스템을 민영화할 것이라고 발표했다.[288]

7. 영향 및 교훈

(2017 USD)도미니카 연방6501370000000USD도미니카 공화국5163000000USD과들루프 (프랑스)40120000000USD아이티30마르티니크 (프랑스)0042000000USD세인트키츠 네비스0012800000USD푸에르토리코2,9756090000000000USD미국령 버진아일랜드34미국40총계:3,0596591608000000USD



도미니카에서는 섬 건물 98%의 지붕이 파손되었고,[68] 집의 절반은 뼈대가 파괴되었다.[68] 농업 부문은 완전히 파괴되었으며, 막대한 양의 가축과 농업 장비도 손실되었다.[68] 평가 역량 프로젝트는 허리케인이 섬 전체에서 1370000000USD의 손실을 초래했으며, 이는 2016년 GDP의 226%에 해당한다고 추정했다.[33]

푸에르토리코에서는 리카르도 로셀로 주지사가 30만 채 이상의 가옥이 파괴되거나 피해를 입었다고 추정했다.[97] 섬의 전력망은 완전히 파괴되어 340만 명의 모든 주민들이 전기를 사용하지 못하게 되었다.[95][143][101] 통신망도 섬 전체에서 마비되었다.[143] 미국 해양 대기청(NOAA)에 따르면, 허리케인 마리아로 인한 경제적 손실은 총 900억달러에 달했다.[291]

허리케인 마리아는 열대 저기압에서 카테고리 5등급 허리케인으로 빠르게 발달하여 도미니카에 상륙, 국민 총생산의 224%에 달하는 피해를 입혔다. 푸에르토리코에서는 1928년 이래 가장 파괴적인 허리케인으로 평가받았다. BBC 보도에 따르면, 푸에르토리코 정부 발표 사망자 수는 64명이었지만, 하버드 대학교는 4,600명 이상으로 추산했다.[291]

이러한 피해로 인해, "Maria"라는 이름은 2017년을 마지막으로 은퇴하고, "Margot"으로 변경되었다.[292]

8. 명칭 제명

허리케인 마리아가 도미니카, 세인트크로이섬, 푸에르토리코 등지에 막대한 피해와 인명 피해를 입힘에 따라, 세계 기상 기구는 2018년 4월 '마리아'라는 이름을 순환 이름 목록에서 은퇴시켰다. 따라서 이 이름은 다시는 대서양 열대성 저기압의 이름으로 사용되지 않을 것이며, 2023년 시즌부터 '마고'로 대체되었다.[290][292]

참조

[1] 웹사이트 Hurricane Maria caused an estimated 2,975 deaths in Puerto Rico, new study finds https://www.cbsnews.[...] CBS News 2018-08-28
[2] 보고서 Tropical Cyclone Report: Hurricane Maria https://www.nhc.noaa[...] National Hurricane Center 2018-04-05
[3] 웹사이트 Puerto Rico issues new data on Hurricane Maria deaths https://www.nbcnews.[...] 2018-06-13
[4] 웹사이트 Hurricane Maria caused an estimated 2,975 deaths in Puerto Rico, new study finds https://www.cbsnews.[...] CBS News 2018-08-28
[5] 서적 The Greatest and Deadliest Hurricanes of the Caribbean and the Americas: The Stories Behind the Great Storms of the North Atlantic https://books.google[...] iUniverse 2016-12-19
[6] 웹사이트 Puerto Rican Government Admits Hurricane Maria Death Toll Was at Least 1,400 https://weather.com/[...] The Weather Company 2018-08-09
[7] 보고서 Tropical Cyclone Report: Hurricane Maria https://www.nhc.noaa[...] National Hurricane Center 2018-04-05
[8] 웹사이트 Graphical Tropical Weather Outlook http://www.nhc.noaa.[...] 2017-09-14
[9] 웹사이트 Graphical Tropical Weather Outlook http://www.nhc.noaa.[...] 2017-09-15
[10] 보고서 Tropical Storm Maria Discussion Number 2 http://www.nhc.noaa.[...] 2017-09-16
[11] 보고서 Hurricane Maria Discussion Number 6 http://www.nhc.noaa.[...] 2017-09-17
[12] 보고서 Hurricane Maria Tropical Cyclone Update http://www.nhc.noaa.[...] National Hurricane Center 2017-09-18
[13] 보고서 Hurricane Maria Tropical Cyclone Update http://www.nhc.noaa.[...] National Hurricane Center 2017-09-18
[14] 뉴스 As Hurricane Maria slowly pulls away from Puerto Rico, the U.S. East Coast awaits its next move https://www.washingt[...] 2017-09-20
[15] 보고서 Hurricane Maria Discussion Number 18 http://www.nhc.noaa.[...] National Hurricane Center 2017-09-20
[16] 보고서 Hurricane Maria Discussion Number 24 http://www.nhc.noaa.[...] National Hurricane Center 2017-09-22
[17] 보고서 Hurricane Maria Discussion Number 37 http://www.nhc.noaa.[...] National Hurricane Center 2017-09-25
[18] 보고서 Post-Tropical Cyclone Maria Discussion Number 59 http://www.nhc.noaa.[...] NHC 2017-09-30
[19] 웹사이트 Potential Tropical Cyclone Fifteen Advisory Number 1 http://www.nhc.noaa.[...] National Oceanic and Atmospheric Administration and National Weather Service 2017-09-16
[20] 웹사이트 Tropical Depression Fifteen Intermediate Advisory Number 1A http://www.nhc.noaa.[...] National Oceanic and Atmospheric Administration and National Weather Service 2017-09-16
[21] 웹사이트 Tropical Storm Maria Advisory Number 2 http://www.nhc.noaa.[...] National Oceanic and Atmospheric Administration and National Weather Service 2017-09-16
[22] 뉴스 Hurricane Jose lurks off the East Coast, Tropical Storm Maria threatens the Caribbean https://www.washingt[...] WP Company LLC 2017-09-16
[23] 웹사이트 Hurricane Maria in the Dominican Republic https://disasterscha[...] 2017-09-24
[24] 뉴스 Puerto Rico's electric company was already $9 billion in debt before hurricanes hit https://www.thestar.[...] 2017-09-21
[25] 뉴스 Puerto Rico's water woes raise fears of health crisis six weeks after Hurricane Maria https://www.usatoday[...] 2017-11-02
[26] 뉴스 Maria Latest Threat to Puerto Rico After $1 Billion Irma Hit https://www.bloomber[...] Bloomberg 2017-09-20
[27] 웹사이트 2017 Hurricane Season FEMA After-Action Report https://www.fema.gov[...] Federal Emergency Management Agency 2018-08-08
[28] 뉴스 Hurricane Maria upgraded to 'extremely dangerous' Category 4, islands including Puerto Rico brace for impact https://abcnews.go.c[...] ABC News 2017-09-18
[29] 뉴스 Puerto Rico Braces for 'Potentially Catastrophic' Hit by Hurricane Maria https://www.nytimes.[...] 2017-09-19
[30] 웹사이트 Cellphone data reveals Hurricane Maria's impact on travel in Puerto Rico https://phys.org/new[...] 2017-11-14
[31] 뉴스 Downgraded but still dangerous: Maria brings wind, flooding to OBX; hundreds evacuated http://www.newsobser[...] 2017-09-26
[32] 뉴스 Maria climbs back to hurricane status, brings wind, flood threat to OBX http://www.newsobser[...] 2017-09-27
[33] 보고서 Post-Disaster Needs Assessment Hurricane Maria September 18, 2017 https://resilientcar[...] Resilient Caribbean Caricom 2017-11-15
[34] 웹사이트 Maria among 2017's retired storm names http://dominicanewso[...] Dominica News Online 2018-04-12
[35] 뉴스 República Dominicana estima reparar daños del huracán María costará US$63 millones https://acento.com.d[...] Acento 2017-09-28
[36] 뉴스 Ouragan Maria : l'Etat va indemniser les agriculteurs de Guadeloupe et de Martinique https://www.lejdd.fr[...] Le Journal du Dimanche 2017-11-05
[37] 보고서 Hurricane Maria: Situation Report #3 http://www.cdema.org[...] Caribbean Disaster Emergency Management Agency 2017-09-24
[38] 보고서 Billion-Dollar Weather and Climate Disasters: Table of Events https://www.ncdc.noa[...] National Oceanic and Atmospheric Administration 2018-01-08
[39] 뉴스 La cifra de personas desaparecidas tras María baja a 60 https://www.elnuevod[...] El Nuevo Día 2017-10-20
[40] 뉴스 Five hurricane-related deaths confirmed http://www.virginisl[...] 2017-10-03
[41] 뉴스 Federal disaster relief begins on St. Croix http://www.virginisl[...] 2017-09-22
[42] 웹사이트 3 Drown Off Jersey Shore, Dozens Rescued Despite 'No Swimming' Warning http://www.nbcnewyor[...] NBC New York 2017-09-25
[43] 뉴스 Flooding still possible, met office warns https://www.barbados[...] 2017-09-19
[44] 뉴스 Tropical Storm Warning discontinued for St Lucia; no "All Clear" given https://stluciatimes[...] 2017-09-19
[45] 뉴스 Acting PM concerned about hurricane 'fake news' https://stluciatimes[...] 2017-09-19
[46] 뉴스 LUCELEC: Hurricane Maria electricity system update #1 https://stluciatimes[...] 2017-09-19
[47] Bulletin The flood warning for Barbados has been extended until 6:00 A.M. tomorrow Tuesday 19th September, 2017 https://www.facebook[...] Barbados Meteorological Services via Facebook 2017-09-18
[48] 뉴스 Nowhere to go https://www.barbados[...] 2017-09-20
[49] 뉴스 Flooding in St Lawrence Gap https://www.barbados[...] 2017-09-18
[50] 뉴스 No safe harbour for boat owners https://www.barbados[...] 2017-09-18
[51] 뉴스 Coconut tree falls on St Joseph home https://www.barbados[...] 2017-09-18
[52] 뉴스 Black out https://www.barbados[...] 2017-09-18
[53] 뉴스 Ouragan Maria, en direct : Saint-Martin et Saint-Barthélemy en vigilance violette http://www.lemonde.f[...] 2017-09-19
[54] Bulletin Hurricane Maria Special Advisory Number 11 http://www.nhc.noaa.[...] National Hurricane Center 2017-09-18
[55] 뉴스 Ouragan Maria : à quoi correspondent les pluies déjà tombées http://www.leparisie[...] 2017-09-19
[56] 보도자료 Ouragan Maria : point de situation – 20 sept. 7h https://www.interieu[...] Minister of the Interior (France) 2017-09-20
[57] 뉴스 En direct – Ouragan Maria : un mort et deux disparus en Guadeloupe, un blessé grave en Martinique http://www.lci.fr/so[...] La Chaîne Info 2017-09-19
[58] 뉴스 Hurricane Maria Does 'Mind Boggling' Damage to Dominica, Leader Says https://www.nytimes.[...] 2017-09-19
[59] 뉴스 Maria : un voilier échoué à Fond Lahaye http://www.martiniqu[...] 2017-09-19
[60] 뉴스 Center of Hurricane Maria to move across Dominica tonight http://dominicanewso[...] 2017-09-18
[61] 뉴스 Hurricane Maria Damages Dominica's Main Hospital, Leaves 'War Zone' Conditions https://abcnews.go.c[...] 2017-09-22
[62] 웹사이트 Hurricane Maria, Now Category 5, Blows Away Roof Of Dominica PM's House http://www.ibtimes.c[...] 2017-09-19
[63] 뉴스 Concerns over Dominica communication blackout https://stluciatimes[...] 2017-09-19
[64] 뉴스 Hurricane Maria Does 'Mind Boggling' Damage to Dominica, Leader Says https://www.nytimes.[...] 2017-09-19
[65] 뉴스 Radio Amateur on St. Lucia relays reports of hurricane devastation on Dominica https://www.stlucian[...] 2017-09-19
[66] 뉴스 Hurricane Maria makes landfall on Puerto Rico – live updates https://www.theguard[...] 2017-09-20
[67] 뉴스 Hurricane Maria turns Dominica into 'giant debris field' http://www.aljazeera[...] 2017-09-25
[68] Information Bulletin Dominica: Hurricane Maria https://reliefweb.in[...] International Federation of Red Cross and Red Crescent Societies 2017-09-25
[69] 보고서 Hurricane Maria: Dominica – Situation Report No. 1 https://reliefweb.in[...] United Nations 2017-09-25
[70] 뉴스 A Walk Through Dominica, Hours After Hurricane Maria https://www.nytimes.[...] 2017-09-22
[71] 보고서 Tropical Cyclone Maria: Damage Assessment in Pointe Michel, Saint Luke Parish, Dominica https://unitar.org/u[...] United Nations Institute for Teaching and Learning 2017-09-25
[72] 뉴스 Death toll rises in Dominica https://antiguaobser[...] 2017-09-26
[73] 보고서 Tropical Cyclone Maria: Damage Assessment in Marigot, Saint Andrew Parish, Dominica https://unitar.org/u[...] United Nations Institute for Teaching and Learning 2017-09-26
[74] 보고서 Hurricane Maria: Situation Report #1 https://cdn.prezly.c[...] Caribbean Disaster Emergency Management Agency 2017-09-20
[75] 뉴스 Hurricane Maria: Dominica 'in daze' after storm leaves island cut off from world https://www.theguard[...] 2017-09-21
[76] 학술지 Post-hurricane relief facilitates invasion and establishment of two invasive alien vertebrate species in the Commonwealth of Dominica, West Indies 2019-10-14
[77] 뉴스 Ouragan Maria : "Une soufflerie permanente", selon un habitant de Guadeloupe http://www.rtl.fr/ac[...] RTL 2017-09-19
[78] 뉴스 Ouragan Maria : 1 er bilan sur les Antilles http://actualite.lac[...] La Chaîne Météo 2017-09-20
[79] 웹사이트 Maria se déchaîne sur l'archipel depuis plusieurs heures https://la1ere.franc[...] 2017-09-19
[80] 뉴스 Ouragan Maria : deux morts et deux disparus en Guadeloupe http://www.lemonde.f[...] 2017-09-19
[81] 뉴스 Maria : un mort et deux personnes disparues en Guadeloupe http://www.europe1.f[...] Europe1 2017-09-19
[82] 뉴스 Maria : les îles des Saintes en Guadeloupe fortement touchées http://la1ere.france[...] Martinique 1 2017-09-20
[83] 뉴스 Les bananiers de Guadeloupe et de Martinique mis à terre par l'ouragan Maria http://la1ere.france[...] La1ère 2017-09-23
[84] 뉴스 L'ouragan Maria a fait quatre morts en Guadeloupe, selon un dernier bilan https://www.europe1.[...] Europe1 2017-12-05
[85] 뉴스 Ouragan Maria : moins de 100 millions d'euros de dégâts en Guadeloupe selon Bruno Le Maire http://la1ere.france[...] La1ère 2017-09-22
[86] 뉴스 St. Croix barely escapes worst of Maria's wrath http://www.virginisl[...] 2017-09-21
[87] 웹사이트 Major Hurricane Maria http://www.weather.g[...] NOAA 2017-11-22
[88] 학술지 After Hurricanes, Public Housing May Never Get Rebuilt http://www.governing[...] 2017-10-06
[89] 뉴스 Maria leaves St. Croix with a working hospital http://www.virginisl[...] 2017-09-21
[90] 웹사이트 Image of the Week – Puerto Rico after Hurricane María https://www.usgs.gov[...] CSB 2018-09-29
[91] 웹사이트 Hurricane Maria Public Advisory http://www.nhc.noaa.[...] NOAA
[92] 뉴스 Hurricane Maria Live Updates: In Puerto Rico, the Storm 'Destroyed Us' https://www.nytimes.[...] 2017-09-21
[93] 뉴스 Maria Strikes, and Puerto Rico Goes Dark https://www.nytimes.[...] 2017-09-20
[94] 뉴스 'Despacito' made this neighborhood famous. Hurricane Maria left it in ruins http://wreg.com/2017[...] WREG 2017-09-22
[95] 뉴스 Hurricane Maria Live Updates: In Puerto Rico, the Storm 'Destroyed Us' https://www.nytimes.[...] 2017-09-21
[96] 뉴스 Maria kills 15 people in Dominica, leaves Puerto Rico in the dark for months http://www.cnn.com/2[...] Cable News Network 2017-09-21
[97] 웹사이트 Mitigation Assessment Team Report -Hurricanes Irma and Maria in Puerto Rico https://www.fema.gov[...] FEMA 2018-10
[98] 뉴스 In a Puerto Rican Town, 'Water Came Out of Nowhere' https://www.nytimes.[...] 2017-09-22
[99] 웹사이트 Puerto Rico Tallies up Devastation from Hurricane Maria https://www.wsj.com/[...] Wall Street Journal 2017-09-24
[100] 뉴스 Puerto Rico's Agriculture and Farmers Decimated by Maria https://www.nytimes.[...] 2017-09-24
[101] 뉴스 Whole of Puerto Rico without power https://www.bbc.com/[...] BBC 2017-09-20
[102] 웹사이트 Puerto Rico governor: Power could be out for months http://www.cnn.com/2[...] CNN 2017-09-21
[103] 뉴스 All Power Out as Hurricane Maria's Winds, Floods Crush Puerto Rico https://www.nbcnews.[...] NBC 2017-09-21
[104] 웹사이트 Thousands of Puerto Ricans evacuated as dam threatens to breach https://www.newscien[...] New Scientist Magazine 2017-09-26
[105] 웹사이트 Preliminary Locations of Landslide Impacts from Hurricane Maria, Puerto Rico https://landslides.u[...] USGS
[106] 웹사이트 Preliminary Locations of Landslide Impacts from Hurricane Maria, Puerto Rico https://landslides.u[...] USGS 2019-03-06
[107] 웹사이트 Puerto Rico Radar Obliterated After It Takes a Direct Hit from Hurricane Maria https://weather.com/[...] 2017-09-25
[108] 웹사이트 Puerto Rico's Radar Restored 9 Months after Hurricane Maria's Wrath https://weather.com/[...] 2018-06-18
[109] 뉴스 Vieques Devastated By Hurricane Maria, New Pictures And Videos Reveal Wreckage http://www.ibtimes.c[...] 2017-09-21
[110] 뉴스 The Latest: Boat missing off Puerto Rico with 4 aboard http://www.miamihera[...] 2017-09-21
[111] 뉴스 Woman, children rescued from capsized ship near Puerto Rico https://abcnews.go.c[...] ABC News 2017-09-21
[112] 웹사이트 Hurricane Damages Giant Radio Telescope—Why It Matters http://news.national[...] 2017-09-22
[113] 뉴스 Arecibo Observatory, Puerto Rico's famous telescope, is battered by Hurricane Maria https://www.washingt[...] 2017-09-22
[114] 웹사이트 Crean el Fondo de Ayuda Agrícola para levantar sector tras María http://www.primeraho[...] 2018-01-02
[115] 웹사이트 no existe un mundo poshuracán: Puerto Rican Art in the Wake of Hurricane Maria https://whitney.org/[...]
[116] 뉴스 Huracán María: 38 localidades quedan incomunicadas en República Dominicana http://elcomercio.pe[...] 2017-09-22
[117] 뉴스 Cinco muertos, el resultado del huracán María en RD https://www.listindi[...] Listin Diario 2017-09-27
[118] 웹사이트 Ouragan Maria, provisoirement 3 morts en Haïti http://www.europe1.f[...] 2017-09-22
[119] 웹사이트 3 Drown off Jersey Shore, Dozens Rescued Despite 'No Swimming' Warning http://www.nbcnewyor[...] WNBC-TV 2017-09-25
[120] 뉴스 Man, 49, drowns in rough surf in Fernandina Beach, police say https://www.news4jax[...] News4Jax 2017-09-24
[121] 뉴스 'It feels like Dominica is finished': life amid the ruins left by Hurricane Maria https://www.theguard[...] 2017-11-01
[122] 웹사이트 'It's all gone': Hurricane-ravaged Dominica, on the front line of climate change, fighting to survive https://abcnews.go.c[...] ABC News 2017-10-18
[123] 보고서 CCRIF to Make Payout to Dominica of US$19 million Following the Passage of Hurricane Maria https://reliefweb.in[...] ReliefWeb 2017-09-22
[124] 보고서 USS WASP arrives in Dominica to support U.S. disaster assistance mission https://reliefweb.in[...] ReliefWeb 2017-09-22
[125] 보고서 'To deny climate change is to deny a truth we have just lived' says Prime Minister of storm-hit Dominica https://reliefweb.in[...] ReliefWeb 2017-09-23
[126] 웹사이트 Canadian sailors find 'near total devastation' on hurricane-ravaged island https://web.archive.[...] 2017-09-26
[127] 웹사이트 Prime Minister Justin Trudeau speaks with Prime Minister Roosevelt Skerrit of Dominica http://www.pm.gc.ca/[...] Justin Trudeau, Prime Minister of Canada 2017-09-22
[128] 뉴스 Rebuilding Dominica, the 'forgotten orphan of the Caribbean' https://www.osvnews.[...] 2019-08-30
[129] 웹사이트 NOAA Satellites https://twitter.com/[...] 2017-09-25
[130] 웹사이트 Hurricane death toll in Puerto Rico more than doubles to 34, governor says https://www.theguard[...] 2017-10-04
[131] 웹사이트 Puerto Rico governor raises hurricane's official death toll to 34, damage tab to $90 billion https://www.japantim[...] Japan Times 2017-10-04
[132] 보고서 Costliest U.S. tropical cyclones tables update https://www.nhc.noaa[...] United States National Hurricane Center 2018-01-12
[133] 뉴스 Why Puerto Rico faces a monumental recovery effort https://www.usatoday[...] 2017-09-26
[134] 뉴스 FEMA buried updates on Puerto Rico. Here they are. https://www.washingt[...] 2017-10-06
[135] 웹사이트 20 photos show Puerto Rico's slow recovery 2 years after Hurricane Maria https://www.insider.[...]
[136] 웹사이트 Friends of Puerto Rico envía 300,000 libras de suministros https://www.primerah[...] 2017-11-05
[137] 웹사이트 1 Month Later in Puerto Rico, the Situation Is Still Horrifying http://www.esquire.c[...] 2017-10-19
[138] 뉴스 Inside Puerto Rico's Struggle to Recover a Month After Hurricane https://www.wsj.com/[...] 2017-10-20
[139] 뉴스 Puerto Rico Is Getting a Surge of Aid, Governor Says https://www.nytimes.[...] 2017-10-01
[140] 뉴스 After Hurricane, Signs of a Mental Health Crisis Haunt Puerto Rico https://www.nytimes.[...] 2017-11-13
[141] 뉴스 Hurricane Maria Live Updates: Structural Damage at Dam Prompts Evacuations in Puerto Rico https://www.nytimes.[...] 2017-09-22
[142] 뉴스 Post Nation 70,000 in Puerto Rico urged to evacuate immediately as dam is in 'imminent' danger of failure https://www.washingt[...] 2017-09-22
[143] 뉴스 'Helpless, Worried and Sick': Puerto Rico's Vast Outages Leave Relatives on Mainland Worried http://www.nbcnewyor[...] NBC New York 2017-09-22
[144] 뉴스 'It's like the end of the world' inside San Juan's steaming airport https://www.usatoday[...] 2017-09-25
[145] 뉴스 5 numbers that prove Puerto Rico is still in crisis https://money.cnn.co[...] 2017-10-03
[146] 웹사이트 status.pr http://status.pr/ 2017-10-04
[147] 뉴스 Puerto Rico faces weeks without electricity after Maria https://abcnews.go.c[...] ABC News 2017-09-22
[148] 웹사이트 Puerto Rico governor: 'We still need some more help' from Washington https://www.washingt[...] Washington Post 2017-09-24
[149] 웹사이트 Military conducting multiple operations to help Hurricane Maria-struck Puerto Rico, Virgin Islands https://www.stripes.[...] Stars & Stripes 2017-09-25
[150] 웹사이트 US Navy ship's response efforts in Puerto Rico http://www.cnn.com/v[...] CNN 2017-09-28
[151] 웹사이트 U.S. military beefs up its efforts in Puerto Rico as need for vital supplies grows https://www.cbsnews.[...] CBS News 2017-09-28
[152] 웹사이트 Coast Guard continues hurricane response in Puerto Rico and the U.S. Virgin Islands http://coastguardnew[...] Coast Guard News 2017-09-25
[153] 뉴스 Official: Hurricane Maria set Puerto Rico back decades http://kxan.com/2017[...] KXAN 2017-09-25
[154] 웹사이트 Federal Agencies Continue Hurricane Maria Response and Relief Operations https://www.fema.gov[...] FEMA 2017-09-25
[155] 웹사이트 FEMA Continues Hurricane Maria Response and Relief Operations https://www.fema.gov[...] 2017-09-22
[156] 웹사이트 viconsortium.com http://viconsortium.[...]
[157] 웹사이트 Hospital ship Comfort heading to Puerto Rico http://www.militaryt[...] Military Times 2017-09-26
[158] 뉴스 How the Connecticut National Guard is helping hurricane victims in Puerto Rico http://www.ctpost.co[...] 2017-09-26
[158] 뉴스 CT National Guard sends troops to help Puerto Rico http://wtnh.com/2017[...] WTNH 2017-09-26
[158] 뉴스 First Irma, now Maria: Kentucky National Guard on rescue missions in Virgin Islands and Puerto Rico http://www.courier-j[...] 2017-09-21
[158] 뉴스 Kentucky Air National Guard establishes air hub for Hurricane Maria relief http://www.alamogord[...] 2017-09-26
[158] 뉴스 Wisconsin National Guard communications specialists deploy to Puerto Rico http://www.jsonline.[...] 2017-09-26
[158] 뉴스 Iowa Guard deploying to Puerto Rico http://www.kcrg.com/[...] KCRG 2017-09-26
[158] 뉴스 Illinois National Guardsmen Deploy To Kuwait, Puerto Rico http://www.wqlz.com/[...] WQLZ 2017-09-24
[158] 뉴스 Riding along with NY Air National Guard in Puerto Rico after Hurricane Maria http://abc7ny.com/we[...] ABC7 New York 2017-09-25
[158] 뉴스 How New York is helping Puerto Rico after Hurricane Maria http://auburnpub.com[...] Auburn Pub 2017-09-25
[158] 뉴스 National Guard Units Across the Country Join Puerto Rico Relief Effort https://www.nbcnews.[...] CBS News 2017-09-25
[158] 뉴스 Savannah Air National Guard providing Puerto Rico disaster relief http://www.wjcl.com/[...] WJCL 2017-09-26
[159] 웹사이트 Hospital Ship Helps More Puerto Ricans at the Pier than at Sea https://maritime-exe[...]
[160] 웹사이트 A U.S. Navy Hospital Ship Was Sent to Puerto Rico—It's Barely Been Used https://www.wsj.com/[...] 2017-10-19
[161] 뉴스 There's a hospital ship waiting for sick Puerto Ricans – but no one knows how to get on it http://www.cnn.com/2[...] 2017-10-17
[162] 웹사이트 USNS Comfort Restocks to Continue Post-Hurricane Care https://www.defense.[...]
[163] 뉴스 After pleas for more help, Pentagon sends one-star general to lead Puerto Rico recovery https://www.washingt[...] 2017-09-27
[164] 웹사이트 Vital aid stranded at Puerto Rico's main port http://www.cnn.com/2[...] CNN 2017-09-27
[165] 웹사이트 Puerto Rico's aid is trapped in thousands of shipping containers http://www.cnn.com/2[...] CNN 2017-09-28
[166] 웹사이트 Army, DOD officials provide update on hurricane relief efforts https://www.army.mil[...] U.S. Army 2017-09-28
[167] 웹사이트 Navy sending another combat ship to hurricane-ravaged Puerto Rico https://pilotonline.[...] The Virginian-Pilot 2017-09-29
[168] 웹사이트 Puerto Ricans fire back at Trump for critical tweets http://www.cnn.com/2[...] CNN 2017-09-30
[169] 웹사이트 Trump Blasts Mayor of Hurricane-Devastated San Juan, Puerto Rico https://www.voanews.[...] 2017-09-30
[170] 뉴스 U.S. military dispatches three-star general to Puerto Rico amid charges of supply snafus https://www.usatoday[...]
[171] 뉴스 Pentagon names 3-star general to lead Puerto Rico efforts http://www.cnn.com/2[...]
[176] 웹사이트 Repair or Renovate? Puerto Rico Faces Stark Power Grid Options – The island wants to upgrade its infrastructure, but must first wait for the lights to come back on https://www.scientif[...] Scientific American 2017-11-13
[177] 웹사이트 More solar panels mean more waste and there's no easy solution – It's going to be a major problem by 2050 https://www.theverge[...] The Verge 2018-10-25
[178] 웹사이트 Engineer Visits Recent Natural Disaster Sites for Insight on Infrastructure Improvements https://www.pittwire[...] University of Pittsburgh 2019-04-19
[179] Youtube Puerto Rico Wind – Solar – Cellular Structures Destroyed – Aerial https://www.youtube.[...] Live Storm Media 2017-09-22
[180] 뉴스 Jennifer Aniston has donated $1 million to Puerto Rico to help with Hurricane Maria relief https://www.independ[...] 2017-10-13
[181] 뉴스 U.S. mail carriers emerge as heroes in Puerto Rico recovery https://www.reuters.[...] 2019-12-27
[182] 웹사이트 Many U.S. Mail packages to Puerto Rico are too heavy | Miami Herald https://www.miamiher[...] 2019-12-25
[183] 뉴스 Carnival to resume sailings from San Juan, Puerto Rico on Sunday https://www.usatoday[...] USA Today 2017-10-10
[184] 뉴스 Desperate Puerto Ricans are drinking water from a hazardous-waste site http://www.cnn.com/2[...] 2017-10-14
[185] 뉴스 Expert: Water from a polluted Puerto Rico site 'safe to drink' http://www.cnn.com/2[...] 2017-10-20
[186] 서적 Siguiendo La Trayectoria Del Huracán María Sobre Puerto Rico CreateSpace Independent Publishing Platform 2018-08-20
[187] 뉴스 San Juan mayor slams Trump over tweets: He's a 'hater-in-chief' http://www.cnn.com/2[...] CNN 2017-10-13
[188] 웹사이트 statusPR http://status.pr/ 2017-10-20
[189] 웹사이트 Puerto Rico's storm of misery https://www.cbsnews.[...] 2017-11-06
[190] 뉴스 Report slams local, US hurricane response in Puerto Rico https://abcnews.go.c[...] ABC News 2017-12-17
[191] 뉴스 Three Months After Maria, Roughly Half of Puerto Ricans Still Without Power https://www.nytimes.[...] 2018-01-03
[192] 간행물 Here's What Life is Like in Puerto Rico 3 Months After Hurricane Maria http://www.esquire.c[...] 2018-01-03
[193] 뉴스 Leading Homeland Security Under a President Who Embraces 'Hate-Filled' Talk https://www.nytimes.[...] 2020-07-12
[194] 뉴스 Trump was serious about trading hurricane-stricken Puerto Rico for Greenland, ex-DHS official says https://www.nbcnews.[...] 2022-04-13
[195] 간행물 Securing the Future for Puerto Rico: Restoring the Island's robust Medical Product Manuring Sector https://www.fda.gov/[...] EPA 2017
[196] 뉴스 Hurricane Damage To Manufacturers In Puerto Rico Affects Mainland Hospitals, Too https://www.npr.org/[...] 2019-01-01
[197] 뉴스 U.S. Hospitals Wrestle With Shortages of Drug Supplies Made in Puerto Rico https://www.nytimes.[...] 2017-10-23
[198] 뉴스 Hospitals find other ways to deliver medicine amid IV bag shortage https://www.usatoday[...] 2018-01-14
[199] 뉴스 Explosion cuts power in Puerto Rico https://www.cnn.com/[...] CNN 2018-02-12
[200] 뉴스 Explosion At Substation Plunges Parts Of Puerto Rico Into Darkness Once Again https://www.npr.org/[...] NPR 2018-02-12
[201] 뉴스 Another major blackout hits Puerto Rico after 2 power plants shut down https://www.nbcnews.[...] NBC News 2018-03-02
[202] 뉴스 Puerto Rico capital hit by power blackout for second day in a row https://energy.econo[...] 2018-03-02
[203] 트윗 BREAKING: A massive power outage is being reported across Puerto Rico, from the southern part of the island to the north. PREPA says there's an "event" of the 50900 line which runs north to south Previous failures of this line have affected most of the 1,473,000 customers 2018-04-12
[204] 뉴스 Puerto Rico suffers island-wide power outage https://www.cnn.com/[...] CNN 2018-04-18
[205] 뉴스 Nearly a year after Maria, Puerto Rico officials claim power is totally restored https://www.mprnews.[...]
[206] 웹사이트 No Title, No Lease, No Assistance to Rebuild https://www.marketpl[...] 2018-04-26
[207] 웹사이트 Hurricane Maria Exposes a Common Problem for Puerto Rico Homeowners: No Insurance – Only about half of houses on the island are covered by policies that protect against wind damage https://www.wsj.com/[...] The Wall Street Journal 2017-09-20
[208] 웹사이트 Puerto Rico population to drop 14% after hurricane https://www.yahoo.co[...] Yahoo.com 2018-06-08
[209] 웹사이트 FEMA Emptied Its Puerto Rico Warehouse Just Before Maria Struck https://www.bloomber[...] 2018-09-16
[210] 웹사이트 How Is FEMA Preparing For Hurricane Season In Puerto Rico? https://www.npr.org/[...] 2018-10-01
[211] 웹사이트 Hurricane Maria Relief https://www.directre[...] 2018-02-15
[212] 뉴스 After Doomed Whitefish Deal, Puerto Rico Asks Congress for $94 Billion https://www.nytimes.[...]
[213] 뉴스 Can Trump Revoke $16 Billion Hurricane Maria Aid Promised To Puerto Rico? https://www.ibtimes.[...]
[214] 간행물 Hurricane Recovery Can Take Years—But For Puerto Rico, 5 Years Show Its Unique Challenges https://www.gao.gov/[...]
[215] 간행물 DR-4339 Hurricane Maria By The Numbers https://www.fema.gov[...]
[216] 간행물 2017 HURRICANES - Update on FEMA's Disaster Recovery Efforts in Puerto Rico and the U.S. Virgin Islands https://www.gao.gov/[...]
[217] 뉴스 Puerto Rico's Recovery From Hurricane Maria Was Years Behind Schedule. Then Fiona Hit. https://www.vanityfa[...]
[218] 웹사이트 FEMA Has Rejected 60 Percent of Assistance Requests in Puerto Rico. Why? https://slate.com/te[...] 2018-06-15
[219] 웹사이트 They lost homes in Hurricane Maria, but didn't have deeds. FEMA rejected their claims. https://www.miamiher[...] 2019-05-14
[220] 웹사이트 Trump White House stonewalls as Puerto Rico aid runs dry https://politi.co/2G[...] 2019-01-26
[221] 웹사이트 Puerto Rico's leaders slam Trump administration for opposing food assistance funding https://www.cbsnews.[...] 2019-01-17
[222] 뉴스 Trump delayed $20bn in aid to Puerto Rico after Hurricane Maria, report finds https://www.theguard[...]
[223] 간행물 Review of HUD's Disbursement of Grant Funds Appropriated for Disaster Recovery and Mitigation Activities in Puerto Rico https://www.hudoig.g[...]
[224] 뉴스 After butting heads with Trump administration, top HUD official departs agency https://www.washingt[...]
[225] 뉴스 Biden to Free Up Billions in Delayed Puerto Rico Storm Aid (Published 2021) https://www.nytimes.[...] The New York Times 2021-02-02
[226] 웹사이트 Political Unrest In Puerto Rico After Discovery Of Unused Hurricane Aid https://www.npr.org/[...]
[227] 뉴스 Hurricane-damaged roofs in Puerto Rico remain a problem. One group is offering a fix. https://www.npr.org/[...]
[228] NOAA Technical Memorandum NWS NHC-6 The deadliest, costliest and most intense United States tropical cyclones from 1851 to 2010 (and other frequently requested hurricane facts) http://www.nhc.noaa.[...] National Oceanic and Atmospheric Administration 2011-08-10
[229] 논문 Ascertainment of the Estimated Excess Mortality from Hurricane María in Puerto Rico http://prstudy.publi[...] 2018-08-28
[230] 뉴스 Puerto Rico governor raises Hurricane Maria death toll from 64 to 2,975 https://www.foxnews.[...] Fox News 2018-08-28
[231] 웹사이트 Everything that's been reported about deaths in Puerto Rico is at odds with the official count https://www.vox.com/[...] 2017-10-13
[232] 뉴스 Puerto Rico reports increase in overall deaths after storm https://apnews.com/a[...] Associated Press 2017-11-11
[233] 문서 Calculation from provided monthly statistics.
[234] 웹사이트 We surveyed 112 Puerto Rican funeral homes to check the accuracy of the hurricane death toll. This is what we found. http://edition.cnn.c[...] CNN 2017-11-20
[235] 웹사이트 New data shows hurricane deaths in Puerto Rico could be 20 times higher than the government claims https://www.vox.com/[...] Vox 2017-11-29
[236] 뉴스 Official Toll in Puerto Rico: 64. Actual Deaths May Be 1,052 https://www.nytimes.[...] 2017-12-09
[237] 뉴스 New Study Estimates Hurricane Maria Death Toll in Puerto Rico Could Exceed 4,000 https://www.nytimes.[...] The New York Times 2018-05-29
[238] 논문 Mortality in Puerto Rico after Hurricane Maria http://nrs.harvard.e[...] 2018-05-29
[239] 뉴스 Did exactly 4,645 people die in Hurricane Maria? Nope. https://www.washingt[...] 2018-06-01
[240] 뉴스 Puerto Rico governor orders recount of hurricane death toll https://www.washingt[...] 2017-12-18
[241] 웹사이트 Hurricane Maria GW's Bicentennial Celebration The George Washington University https://bicentennial[...] 2021-04-07
[242] 뉴스 Puerto Rico Releases Data On Hundreds Of Deaths Following Hurricane Maria https://www.npr.org/[...] NPR 2018-06-13
[243] 뉴스 Lawsuits reveal data showing higher death count in Puerto Rico after Hurricane Maria https://www.nbcnews.[...] NBC News 2018-06-13
[244] 웹사이트 Ascertainment of the Estimated Excess Mortality from Hurricane Maria in Puerto Rico https://publichealth[...] The George Washington University 2018-08-28
[245] 웹사이트 Issue Brief https://www.kff.org/[...] 2018-09-19
[246] 뉴스 Trump rejects Puerto Rico storm death toll https://www.bbc.com/[...] 2018-09-13
[247] 뉴스 Trump falsely claims Hurricane Maria death toll was made up by Democrats https://www.theguard[...] 2018-09-13
[248] 웹사이트 First group of Virginia National Guard soldiers departs for US Virgin Islands https://www.wsls.com[...] 2017-09-25
[249] 웹사이트 W.Va. Guard troops to ride out Maria in Virgin Islands http://wvmetronews.c[...] 2017-09-19
[250] 웹사이트 Missouri Army National Guard to support Virgin Islands relief effort https://www.army.mil[...] 2017-09-25
[251] 웹사이트 Why Hurricane Maria Was Such a Catastrophe in Puerto Rico https://weather.com/[...] 2017-10-20
[252] 뉴스 Recovering What Was Lost in the U.S. Virgin Islands, One Boat at a Time https://www.nytimes.[...] 2017-12-18
[253] 간행물 Review of HUD's Disbursement of Grant Funds Appropriated for Disaster Recovery and Mitigation Activities in Puerto Rico https://www.hudoig.g[...] 2021-04-20
[254] 뉴스 Trump delayed $20bn in aid to Puerto Rico after Hurricane Maria, report finds https://www.theguard[...] 2021-04-22
[255] 웹사이트 Donald Trump attacked for calling Hurricane Maria response an 'incredible success' https://www.theguard[...] 2018-09-12
[256] 웹사이트 Fact-Checking Inaccurate News About the Jones Act https://aflcio.org/2[...] 2017-09-29
[257] 웹사이트 America denies Puerto Rico request for waiver to bring vital fuel and supplies to island https://www.independ[...] 2017-09-27
[258] 뉴스 Trump finally responds to Puerto Rico crisis, saying island has 'massive debt' https://www.theguard[...] 2017-09-26
[259] 뉴스 The Law Strangling Puerto Rico https://www.nytimes.[...] 2017-09-25
[260] 뉴스 White House waives Jones Act in response to Puerto Rico devastation https://www.cbsnews.[...] CBS News 2017-09-28
[261] 뉴스 Mayor Issues 'S.O.S.' as Puerto Ricans Scramble to Help Most Vulnerable https://www.nbcnews.[...] NBC News 2017-09-27
[262] 웹사이트 Does Trump care about Puerto Rico's hurricane victims? https://www.bbc.com/[...] BBC 2017-09-26
[263] 뉴스 National Guard leaders says he's seen no delay in federal help to Puerto Rico https://thehill.com/[...] 2017-09-26
[264] 뉴스 Trump to visit hurricane-ravaged Puerto Rico, says he is 'very proud' of response https://abcnews.go.c[...] ABC News 2017-09-27
[265] 웹사이트 Donald Trump criticised by Oxfam for 'slow and inadequate' Puerto Rico response https://www.independ[...] 2017-10-04
[266] 웹사이트 Despite desperate shortages, US fails to mount robust response in Puerto Rico https://www.oxfamame[...]
[267] 웹사이트 One month on, millions of Puerto Ricans still caught in crisis https://www.oxfamame[...] Oxfam America 2017-10-19
[268] 뉴스 Trump compares Hurricane Maria, Katrina 'death counts' https://thehill.com/[...] 2017-10-03
[269] 뉴스 Donald Trump Boasts Puerto Rico Should Be 'Proud' More Haven't Died Like in 'a Real Catastrophe Like Katrina' http://people.com/po[...] 2017-10-03
[270] 뉴스 Trump Downplays Puerto Rico's Suffering, Says It's Not A 'Real Catastrophe Like Katrina' https://www.huffingt[...] 2017-10-03
[271] 뉴스 Trump Throws Paper Towels to Hurricane Victims in Puerto Rico https://www.nbcnews.[...] 2017-10-03
[272] 뉴스 Trump: Puerto Rico has 'thrown our budget a little out of whack' https://thehill.com/[...] 2017-10-03
[273] 웹사이트 Trump lashes out at Puerto Rico as House passes $36.5 billion aid package http://www.chicagotr[...] 2017-10-12
[274] 뉴스 Trump threat to abandon Puerto Rico recovery sparks a backlash https://www.washingt[...] 2017-10-12
[275] 웹사이트 Trump hints at ending aid as Puerto Ricans forced to drink polluted water https://www.theguard[...] 2017-10-12
[276] 뉴스 Trump Warns Storm-Ravaged Puerto Rico That Aid Won't Last 'Forever' https://www.nytimes.[...] 2017-10-12
[277] 웹사이트 How Trump favored Texas over Puerto Rico https://www.politico[...] 2018-03-27
[278] 웹사이트 Military mission in Puerto Rico after hurricane was better than critics say but suffered flaws http://theconversati[...] 2018-03-30
[279] 웹사이트 WTOP Military mission in Puerto Rico https://wtop.com/nat[...] AP
[280] 뉴스 Trump touts Puerto Rico response as 'fantastic' despite nearly 3,000 dead https://www.cnn.com/[...]
[281] 뉴스 Investigation suppressed by Trump administration reveals obstacles to hurricane aid for Puerto Rico https://www.washingt[...] 2021-04-22
[282] 뉴스 Lawmakers asking why small Montana business landed $300M Puerto Rico power restoration contract https://abcnews.go.c[...] ABC News 2017-10-24
[283] 뉴스 Small Montana firm lands Puerto Rico's biggest contract to get the power back on https://www.washingt[...] 2017-10-23
[284] 뉴스 FEMA cites concerns over repair contract in Puerto Rico https://www.reuters.[...] Reuters 2017-10-27
[285] 뉴스 Puerto Rico's Gov. Rosselló orders audit of Whitefish contract to fix power grid https://www.usatoday[...] 2017-10-27
[286] 웹사이트 Puerto Rico's Power Authority Cancels Controversial Whitefish Contract https://www.npr.org/[...] NPR 2017-10-29
[287] 웹사이트 Power restored to those hit by Puerto Rico blackout https://www.usnews.c[...] 2018-04-19
[288] 웹사이트 Puerto Rico hit with island-wide blackout https://www.msn.com/[...] 2018-04-18
[289] 웹사이트 Investigation: Cruise start-up French America Line took customer money, didn't deliver https://www.thenewss[...]
[290] 뉴스 Hurricane names Harvey, Irma, Maria and Nate being retired https://www.washingt[...] 2018-04-12
[291] 뉴스 「プエルトリコのハリケーン死者、実は4600人」と米大学調査 政府発表は64人 http://www.bbc.com/j[...] 2018-05-30
[292] 웹사이트 WMO Hurricane Committee reviews devastating 2017 season, retires names https://public.wmo.i[...] 2018-04-12
[293] 웹사이트 トランプ大統領、ハリケーン被災のプエルトリコ訪問 災害対応「誇っていい」 https://www.afpbb.co[...] AFP 2017-10-04
[294] 웹사이트 ハリス氏とトランプ氏の災害対応「大きな違い」とは?...ハリケーン直撃で注目 https://www.newsweek[...] ニューズウィーク 2024-10-09



본 사이트는 AI가 위키백과와 뉴스 기사,정부 간행물,학술 논문등을 바탕으로 정보를 가공하여 제공하는 백과사전형 서비스입니다.
모든 문서는 AI에 의해 자동 생성되며, CC BY-SA 4.0 라이선스에 따라 이용할 수 있습니다.
하지만, 위키백과나 뉴스 기사 자체에 오류, 부정확한 정보, 또는 가짜 뉴스가 포함될 수 있으며, AI는 이러한 내용을 완벽하게 걸러내지 못할 수 있습니다.
따라서 제공되는 정보에 일부 오류나 편향이 있을 수 있으므로, 중요한 정보는 반드시 다른 출처를 통해 교차 검증하시기 바랍니다.

문의하기 : help@durumis.com