사이클론 엄펀
"오늘의AI위키"의 AI를 통해 더욱 풍부하고 폭넓은 지식 경험을 누리세요.
1. 개요
사이클론 엄펀은 2020년 5월 13일 벵골만에서 발생하여 5월 20일 서벵골에 상륙한 강력한 사이클론이다. 이 사이클론은 32~34°C의 따뜻한 해수면 온도와 낮은 풍속 시어 등 발달에 유리한 환경에서 급격히 발달하여, 사피어-심슨 허리케인 등급 4등급에 해당하는 풍속 215km/h로 강화되었다. 엄펀은 인도와 방글라데시에 큰 피해를 입혔으며, 인도에서 98명, 방글라데시에서 26명, 스리랑카에서 4명이 사망했다. 각국은 대피 및 구호 활동을 펼쳤으며, 국제 사회에서도 지원이 이루어졌다.
더 읽어볼만한 페이지
- 2020년 스리랑카 - 스리랑카의 코로나19 범유행
스리랑카의 코로나19 범유행은 2020년 1월 중국인 여성의 첫 확진 이후 시작되어 해외 유입과 지역 사회 감염을 거쳐 확산되었으며, 정부는 봉쇄 조치와 백신 접종 프로그램을 시행했으나 2021년 7월 기준 누적 확진자와 사망자 수가 크게 증가했다. - 2020년 방글라데시 - 방글라데시의 코로나19 범유행
방글라데시의 코로나19 범유행은 높은 인구 밀도, 로힝야 난민 캠프 등의 요인으로 대응에 어려움을 겪었으며, 봉쇄 조치와 경제 부양책 시행에도 불구하고 백신 부족과 델타 변이 확산, 사회 전반의 광범위한 피해를 야기했다. - 2020년 자연재해 - 2020~2021년 남태평양 사이클론
2020~2021년 남태평양 사이클론 시즌은 라니냐 현상으로 평년보다 활발했으며, 우에시, 해럴드, 야사, 아나 등 강력한 사이클론이 발생하여 남태평양 일대에 큰 피해를 입혔고, 특히 사이클론 야사와 아나의 피해가 커 이름이 퇴출되었다. - 2020년 자연재해 - 2020~2021년 오스트레일리아 근해 사이클론
2020년 11월부터 2021년 5월까지 오스트레일리아 근해에서는 라니냐 현상과 코로나19 팬데믹의 영향 속에 8개의 사이클론과 여러 열대 저기압이 발생하여 동티모르, 인도네시아, 호주 북부 지역에 영향을 미쳤다.
2. 발생 및 진행

사이클론 엄펀은 2020년 5월 13일 인도 안드라프라데시 주 비사카파트남 남동쪽 해상에서 발생한 저기압대로부터 시작되었다.[7][8] 이 저기압대는 발달에 유리한 환경 속에서 점차 세력을 키워나갔다.[8][9][10] 5월 16일, 인도 기상청(IMD)은 이를 열대 저기압 BOB 01로 지정했으며,[11] 몇 시간 후 사이클론으로 발달하면서 '엄펀'이라는 이름이 붙여졌다.[12]
5월 17일부터 엄펀은 급격한 강화 단계에 접어들며 매우 강력한 사이클론으로 발달했다.[13] 인도 기상청(IMD) 역시 엄펀을 '극심한 사이클론'(Extremely Severe Cyclonic Storm)으로 등급을 상향 조정했다.[14]
5월 18일 오전, 인도 기상청은 엄펀을 3분 평균 풍속 240km/h, 최저 중심 기압 920 hPa의 슈퍼 사이클론으로 최종 격상시켰다. 이는 엄펀의 최성기 세력이었다. 이후 세력이 다소 약화되어 5월 20일 오후 5시 30분(인도 표준시)경, 풍속 155km/h의 매우 강력한 사이클론 상태로 인도 서벵골 주 바칼리 인근에 상륙했다.[18]
육지에 상륙한 엄펀은 급격히 약화되었으며,[19] 5월 21일 저기압대로 약화되어 소멸했다.
2. 1. 발생 초기

2020년 5월 13일, 인도 안드라프라데시 주 비사카파트남 동남쪽 약 1020km 해역에서 저기압대가 발생했다.[7][8] 이 저기압대는 발달에 유리한 환경, 즉 적도 방향으로 양호한 유출, 32~34 °C 사이의 매우 따뜻한 해수면 온도, 낮은 수직 풍속 시어 등의 조건을 갖추고 있었다.[8] 이후 며칠 동안 이 시스템은 점차 발달하며 통합되었고, 깊은 대기 대류 띠가 시스템의 저층 순환 중심부로 감겨 들어가는 모습이 관측되었다.[9][10]
5월 16일, 인도 기상청(IMD)은 이 저기압대가 열대 저기압으로 발달했다고 판단하고, 인도 오디샤 주 파라딥 남쪽 약 1100km 해역에서 BOB 01로 공식 지정했다.[11] 북쪽으로 이동하면서 이 열대 저기압은 지속적으로 조직화되었고, 몇 시간 후 사이클론으로 발달하여 '엄펀'이라는 이름을 얻게 되었다. 그러나 중간 정도의 동풍 시어가 시스템의 구름 패턴을 교란시키면서 일시적으로 발달이 주춤하기도 했다.[12]
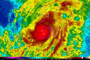
5월 17일, 상층 대기 흐름이 개선되면서 급격한 발달을 위한 조건이 더욱 유리해졌다. 그 결과, 엄펀은 급격한 강화 단계를 거치며 매우 강력한 사이클론으로 발달했다. 미국 합동태풍경보센터(JTWC)는 12:00 UTC 기준으로, 불과 6시간 만에 풍속이 140 km/h에서 사피어-심슨 허리케인 등급(SSHWS)의 4등급 허리케인에 해당하는 215 km/h로 급증했다고 평가했다.[13] 같은 시기, 인도 기상청(IMD) 역시 엄펀을 자체 사이클론 등급 분류에서 '극심한 사이클론'(Extremely Severe Cyclonic Storm)으로 격상시켰다.[14] 이 시기 엄펀은 직경 1110km 이상 뻗어 나가는 광범위한 구름 덮개와 뚜렷하게 발달한 10 해리(18.52km) 폭의 눈을 특징으로 보였다.[15]
5월 18일 초, 마이크로파 위성 영상 분석 결과, 매우 강한 사이클론에서 전형적으로 나타나는 눈벽 교체 주기의 명확한 징후인 두 개의 뚜렷한 동심원 형태의 눈벽이 관측되었다.[16] 그러나 같은 날 후반, 풍속 시어 증가와 건조한 공기의 유입으로 인해 내부 핵심 구조의 변화가 방해받으면서 눈벽이 점차 약화되는 모습을 보였다.[17]
2. 2. 급격한 발달
2020년 5월 13일, 인도 안드라프라데시 주 비사카파트남 동남쪽 1020km 해역에서 저기압대가 발생했다.[7][8] 이 저기압대는 발달에 유리한 환경, 즉 적도 방향으로 잘 빠져나가는 유출, 32°C에서 34°C 사이의 매우 따뜻한 해수면 온도, 낮은 수직 풍속 시어를 가지고 있었다.[8] 그 후 며칠 동안, 이 시스템은 점차 뚜렷해지면서 통합되었고, 깊은 대기 대류 띠가 시스템의 저층 중심부로 감겨 들어갔다.[9][10] 5월 16일, 인도 기상청(IMD)은 이 저기압대가 열대 저기압으로 발달하여 인도 오디샤 주 파라딥 남쪽 1100km 해역에서 BOB 01로 지정했다고 발표했다.[11]
북쪽으로 이동하면서, 이 열대 저기압은 계속 조직화되었고 몇 시간 후 사이클론으로 발달하여 '엄펀'이라는 이름을 얻었다. 중간 정도의 동풍 시어가 시스템의 구름 패턴을 방해하면서 일시적으로 세력이 약화되기도 했다.[12] 5월 17일, 상층 기류가 개선되면서 급격한 강화를 위한 조건이 더욱 유리해졌다. 그 결과, 엄펀은 급격한 강화를 거쳐 매우 강력한 사이클론으로 발달했다. JTWC는 12:00 UTC에 엄펀의 풍속이 불과 6시간 만에 140km/h에서 사피어-심슨 허리케인 등급(SSHWS)의 4등급 허리케인에 해당하는 215km/h로 급증했다고 평가했다.[13] 같은 날, IMD 역시 엄펀을 자체 사이클론 강도 척도에서 '극심한 사이클론'(Extremely Severe Cyclonic Storm)으로 격상시켰다.[14] 이 광범위한 폭풍은 1110km 이상 뻗어 있는 구름 덮개와 뚜렷하게 윤곽이 잡힌 10 해리(약 18.5km) 폭의 눈을 가지게 되었다.[15]
5월 18일 초, 마이크로파 영상 분석 결과, 매우 강한 사이클론에서 나타나는 눈벽 교체 주기의 확실한 징후인 두 개의 뚜렷한 동심원 눈벽이 관측되었다.[16] 그러나 그날 동안 풍속 시어와 건조한 공기의 유입으로 인해 이 내부 구조 변화가 방해받았고, 5월 18일 후반에는 눈벽이 약화되기 시작했다.[17]
2. 3. 인도 상륙 및 소멸
5월 18일 초, 마이크로파 영상은 매우 강한 사이클론에 전형적인 눈벽 교체 주기의 확실한 징후인 두 개의 뚜렷한 동심원 눈벽을 나타냈다.[16] 그날 동안, 풍속 시어와 건조 공기의 영향으로 이 내부 핵심 변화가 방해받았고, 5월 18일 후반에 눈벽이 침식되었다.[17]
2020년 5월 20일 오후 5시 30분 인도 표준시 (12:00 UTC)경, 엄펀은 서벵골 주 바칼리 인근에 풍속 155 km/h의 매우 강력한 사이클론으로 상륙했다.[18]
엄펀은 내륙으로 더 이동하면서 급격하게 약화되었다. 상륙 6시간 만에 JTWC는 이 폭풍을 1등급 상당의 사이클론으로 강등시키고, 조직이 와해됨에 따라 이 시스템에 대한 최종 경고를 발령했다.[19] 5월 21일, 엄펀은 뚜렷한 저기압대로 쇠퇴했다.
3. 각국의 대비
미국 태평양 재해 센터는 사이클론 엄펀의 예상 경로가 인도와 방글라데시의 약 3,890만 명을 강풍 위험에 노출시킬 수 있다고 분석했다.[20] 이에 인도 기상청(IMD)은 5월 15일부터 벵골만 연안 지역에 사이클론 경보를 발령하고 어부들에게 해당 기간 동안 위험 지역으로의 항해를 자제할 것을 권고했다.[21] 스리랑카 정부 역시 자국 어부들에게 귀국하거나 안전한 곳에 머물 것을 권고했으며,[22] 싱가포르 등 다른 국가에서 온 선박들에도 엄펀의 경로를 피하도록 권고했다.[24]
사이클론 접근에 대비하여 벵골만 연안의 항구들은 폐쇄되고 운영이 중단되었으며,[25][26][27] 첸나이의 해상 구조 조정 센터는 벵골만에 국제 안전망을 활성화했다.[24] COVID-19 팬데믹 상황 속에서 사회적 거리두기 지침을 준수하며 대규모 주민 대피가 이루어져, 인도에서 약 200만 명, 방글라데시에서 약 220만 명 등 총 420만 명 이상이 안전한 곳으로 이동했다.[77][78] 각국의 구체적인 대비 및 대피 상황은 하위 문단에서 자세히 다룬다.
3. 1. 인도


사이클론 엄펀의 예상 경로는 인도와 방글라데시의 약 3,890만 명에게 영향을 미칠 것으로 예측되었다.[20] 이에 인도 기상청(IMD)은 5월 15일부터 벵골만 연안 지역에 사이클론 경보를 발령하고 어부들에게 해당 기간 동안 위험 지역으로의 항해를 자제할 것을 권고했다.[21] 인도 해안 경비대는 오디샤 및 서벵골 주 정부와 협력하여 어선들이 안전한 항구로 이동하도록 지시했으며,[23] 첸나이의 해상 구조 조정 센터는 벵골만에서 국제 안전망을 활성화했다.[24] 벵골만 연안의 주요 항구들은 폐쇄되고 운영이 중단되었다.[25][26]
나렌드라 모디 총리는 5월 18일 아미트 샤 내무부 장관, 관련 주 총리 등 고위 관계자들과 회의를 열어 사이클론 대비 태세와 주민 대피 계획을 점검했다.[40][41] 국가 재난 대응군(NDRF)과 오디샤 재해 신속 대응군(ODRAF) 팀들이 5월 17일부터 오디샤와 서벵골의 여러 지역에 미리 배치되어 구조 및 구호 활동을 준비했으며, 추가 부대와 인도 공군 수송기도 지원을 위해 대기했다.[42][43][44][45][46] 당시 코로나19 팬데믹 상황을 고려하여, 국가 재난 관리청은 구조 인력에게 개인 보호 장비(PPE)와 N95 마스크 착용을 권고했다.[67] 인도 해군 또한 잠수부 팀을 콜카타에 파견하고 구호 작전을 위한 선박을 대기시키는 등 지원 태세를 갖추었다.[47][48] 인도 철도는 오디샤와 서벵골을 지나는 열차 운행을 중단하거나 우회시켰으며, 이주 노동자 수송을 위한 'Shramik' 특별 열차 운행도 일시 중단되었다.[31][32][33][34][35]
코로나19 팬데믹으로 인한 사회적 거리두기 지침 속에서 대규모 주민 대피가 이루어졌다. 대피소는 평소 수용 인원의 3분의 1 수준으로 운영되었으며,[67][92] 학교, 지역사회 센터 등 공공 건물이 임시 대피소로 활용되었다.[69][70][71] 인도 전역에서 약 200만 명이 안전한 곳으로 대피했으며, 이 중 상당수는 서벵골 주에서 이루어졌다.[77][78] NDRF는 오디샤와 서벵골에서 총 50만 명 이상이 대피했다고 보고했다.[87] 내륙 지역인 자르칸드 주의 단바드와 보카로 스틸 시티에서도 취약 주택 거주민들에 대한 대피 지시가 내려졌다.[88]
한편, 인도 기상청은 5월 18일 남부 케랄라 주의 14개 구 중 13개 구에 옐로우 경보를 발령하기도 했다.[58]
3. 1. 1. 서벵골 주
사이클론 엄펀의 예상 경로는 서벵골 주를 포함한 인도와 방글라데시의 약 3,890만 명에게 영향을 미칠 것으로 예측되었다.[20] 이에 인도 기상청(IMD)은 벵골만 연안 지역에 사이클론 경보를 발령하고, 어부들에게 위험 지역 항해 자제를 권고했다.[21] 인도 해안 경비대는 서벵골 주 정부 및 어업 부서와 협력하여 어선들의 안전한 항구 이동을 지시했다.[23]사이클론 접근에 따라 서벵골 주의 철도 및 차량 교통이 중단되거나 우회되었으며,[31] 이주 노동자를 위한 'Shramik' 특별 열차 운행도 최대 4일간 중단되었다.[32][33][34][35] 콜카타의 네타지 수바스 찬드라 보스 국제공항은 5월 21일까지 폐쇄되었고, 항공기들은 안전한 곳으로 이동하거나 단단히 고정되었다. 공항 터미널 지붕 또한 피해를 최소화하기 위해 보강 작업이 이루어졌다.[38][39]
나렌드라 모디 총리는 5월 18일, 마마타 바네르지 서벵골 주 총리 등 관계자들과 회의를 열어 사이클론 대비 및 대피 계획을 점검했다.[40][41] 마마타 바네르지 주 총리는 주민 안전을 위해 사이클론 통과 예상 지역의 전력 공급을 병원, 소방서 등 필수 시설을 제외하고 일시적으로 중단할 것이라고 발표했다.[41]
오디샤 재해 신속 대응군과 국가 재난 대응군(NDRF) 팀이 5월 17일부터 서벵골 주의 여러 지역에 사전 배치되어 구조 및 구호 활동을 준비했다.[42][43][44] 추가 부대 역시 대기 상태에 있었으며,[45] 필요시 인도 공군 수송기를 통해 신속하게 투입될 수 있도록 준비되었다.[46] 당시 코로나19 팬데믹 상황을 고려하여, 국가 재난 관리청은 구조 인력에게 개인 보호 장비(PPE)와 N95 마스크 착용을 권고했다.[67] 인도 해군 또한 잠수부 팀을 콜카타에 파견하고 구호 작전을 위한 선박을 대기시키는 등 지원 태세를 갖추었다.[47][48]
인도 기상청은 서벵골 주에 오렌지 경보를 발령하며 6개 지역에서 광범위한 피해가 발생할 수 있음을 경고했다.[59]
3. 1. 2. 오디샤 주
오디샤 주 정부는 사이클론 엄펀의 접근에 대비하여 여러 조치를 취했다. 공공 사업 부서에 기반 시설의 복원력을 확보하도록 지시했으며,[42] 정전 및 통신 두절에 대비해 복구 인력과 예비 시스템을 배치했다.[29] 또한 비상 상황 발생 시 주민들이 연락할 수 있는 헬프라인을 개설했다.[30]인도 해안 경비대는 오디샤 주 정부 및 어업 부서와 협력하여 어선들이 신속히 항구로 복귀하도록 안내했다.[23] 파라디프 항구를 포함한 일부 항구는 운영을 중단하거나, 정박 중인 선박에게 피해를 피하기 위해 항구를 떠나도록 명령했다.[28] 주 내 철도 및 도로 교통은 운행이 중단되거나 경로가 변경되었다.[31] 특히, 다른 지역에서 오디샤 주로 이동하는 이주 노동자들에게는 사이클론이 지나갈 때까지 이동을 자제해 달라고 요청했다.[36] 뉴델리와 부바네스와르를 잇는 AC 익스프레스 특별 열차는 사이클론의 영향을 피하기 위해 우회 운행되었다.[37]
나렌드라 모디 총리는 5월 18일 나빈 파트나익 오디샤 주 총리 등 관계자들과 화상 회의를 열고, 사이클론 대비 태세와 주민 대피 계획 등을 점검했다.[40][41] 오디샤 재해 신속 대응군(ODRAF)과 국가 재난 대응군(NDRF) 소속 팀들이 5월 17일부터 오디샤 주 여러 지역에 미리 배치되어 구조 및 구호 활동을 준비했다.[42][43][44] 추가 병력도 대기 상태에 들어갔으며,[45] 필요한 경우 인도 공군 수송기를 이용해 신속하게 피해 지역으로 이동할 수 있도록 준비했다.[46]
3. 2. 방글라데시
미국 태평양 재해 센터는 엄펀의 예상 경로가 방글라데시와 인도의 약 3,890만 명을 강풍 위험에 노출시킬 수 있다고 분석했다.[20] 이에 따라 방글라데시 내륙 수운 공사는 주요 노선의 페리 운항을 중단했고,[25][26] 방글라데시의 여러 항구는 선박의 상품 적재 및 하역 작업을 중단했다.[27] 특히 치타공 항구에서는 소형 선박들을 카르나풀리 강 상류의 안전한 곳으로 이동시켰다.[54]5월 18일, 방글라데시 사이클론 대비 프로그램과 국가 재난 대응 조정 그룹은 회의를 열어 엄펀 대비책을 논의했다.[49] 여러 비정부 기구(NGO)들은 사이클론 대비 프로그램과 협력하여 콕스바자르의 쿠투팔롱 난민 캠프에 있는 로힝야족 난민들을 지원하기로 했다.[50] 공중 보건 공학부는 위생 용품을 배포하고 15개의 정수 시설을 설치했으며,[51] 콕스바자르의 32개 로힝야족 캠프 전체에 구호 자원봉사자들이 배치되었다.[52] 방글라데시 보건 서비스는 전국적으로 1,933개의 의료 팀을 배치하여 의료 지원을 강화했다.[53] 치타공 주변 지역에는 15,000명의 자원봉사자와 284개의 의료 팀이 구호 활동을 준비했다.[54]
방글라데시 공보국에 따르면, 방글라데시 군대는 특수 장비를 갖춘 145개의 재해 관리 팀을 대기시켰다. 방글라데시 육군은 71개의 의료 팀을 배치하고 18,400개의 구호 물품을 준비했으며, 방글라데시 해군은 방글라데시 공군의 항공 지원을 받으며 비상 상황, 구조 및 구호 작전을 위해 25척의 선박을 파견했다.[55] 농림부는 해안 지역 농부들에게 예상되는 작물 수확량 12% 손실을 줄이기 위해 이미 익은 논의 벼를 모두 수확할 것을 권고했다.[56] 어업 및 축산부의 지시에 따라 약 7,000마리의 가축도 안전한 대피소로 옮겨졌다.[57]
5월 20일, 방글라데시 기상청은 몽글라 항과 파이라 항에 사이클론 위험 신호 10단계(가장 높은 경고 단계)를 발령했다. 이는 엄펀으로 인해 시속 89km/h를 넘는 강풍이 예상되어 "큰 위험"이 임박했음을 의미했다. 이 경보는 갠지스 삼각주 내 해안 섬들과 11개 해안 지구에도 동일하게 적용되었다.[60]
COVID-19 팬데믹 상황 속에서 사회적 거리두기 지침을 준수하기 위해, 19개 해안 구역의 부지사들은 교육 기관과 모스크를 임시 대피소로 지정했다.[72][73] 방글라데시 전역에는 총 12,000개 이상의 대피소가 마련되었으며, 이는 519만 명의 인원을 수용할 수 있는 규모였다. 재난 관리 및 구호부는 이들 대피소에 식량과 긴급 자금을 공급했다.[74][75] 이는 2019년 11월 사이클론 불불 당시보다 5,767개 더 많은 대피소로, 사회적 거리두기 필요성이 반영된 결과였다.[76]
방글라데시에서는 약 220만 명이 안전한 곳으로 대피했다.[77][78] 5월 19일 기준으로 저지대에 거주하는 200만 명의 주민들이 대피할 것으로 예상되었으며,[89] 에나무르 라만 재난 관리 및 구호부 장관은 이번 엄펀 대피 규모가 전례 없는 수준이라고 언급했다.[90] 갠지스 삼각주의 퇴적 섬에 사는 수천 명의 주민들은 트롤선을 이용해 방글라데시 본토로 대피했다.[91] 순다르반스의 섬들에서도 약 5만 명이 대피했다.[92]
3. 3. 기타 국가
스리랑카 정부는 자국 어부들에게 귀국하거나 안전한 곳에 머물 것을 권고했다.[22] 5월 19일, 스리랑카 재해 관리 센터는 홍수 및 산사태 경고를 발령했으며, 스리랑카 공군과 스리랑카 해군은 비상 대응 강화를 위해 섬 전체에 보트, 헬리콥터, 인력을 배치했다.[135] 싱가포르를 포함한 다른 국가에서 온 해상 교통 역시 사이클론 엄펀의 경로를 피하도록 권고받았다.[24]태국 기상청은 5월 19일 안다만해 연안의 태국 지방에 폭우 가능성을 경고했다.[61] 태국 재해 예방 및 완화 부서는 방콕을 포함한 62개 주에 폭풍 경보를 발령했으며,[62] 특히 태국 남부 14개 주에는 홍수, 높은 파도, 산사태에 대한 경고가 내려졌다.[63]
부탄의 국립 수문 기상 센터는 국내에서 갑작스러운 홍수와 산사태가 발생할 수 있다고 경고했다.[64] 또한 부탄 재해 관리 부서는 특히 부탄 남부 지역의 여행 자제를 권고했다.[65]
4. 피해 상황
사이클론 엄펀은 인도, 방글라데시, 스리랑카 등 남아시아 지역에 큰 피해를 남겼다. 특히 인명 피해가 상당했으며, 국가별 사망자 수는 다음과 같다.
각국의 자세한 피해 상황 및 재산 피해 내역은 아래 문단에서 상세히 설명한다.
4. 1. 인도
사이클론 엄펀은 인도에 상륙하여 심각한 피해를 남겼다. 인도 전역에서 최소 98명의 사망자가 발생했다.[95][107][108] 특히 서벵골 주가 가장 큰 피해를 입었으며, 남부의 케랄라 주, 타밀나두 주, 안드라프라데시 주 등 다른 여러 주에서도 피해가 보고되었다. 각 지역별 상세한 피해 상황은 하위 문단에서 설명한다.4. 1. 1. 서벵골 주


엄펀은 강풍과 폭우를 동반하며 IST 기준 5월 20일 오후 2시 30분 웨스트 벵골의 바칼리 근처에 상륙했다.[18] 사망자 수는 초기에 우려했던 것보다는 적었으나, 사이클론의 영향은 광범위하고 치명적이었다.[94] 사이클론 상륙의 중심지였던 웨스트 벵골은 엄펀으로 인해 가장 큰 피해를 입었으며, 이 폭풍은 10년 이상 이 지역을 강타한 가장 강력한 폭풍으로 평가되었다.[3] 웨스트 벵골에서 최소 86명이 사망했으며,[95] 사망 원인은 대부분 감전이나 주택 붕괴였다.[96] 주 정부는 폭풍으로 인해 최소 1조인도 루피(135억달러)의 피해가 발생했으며, 주 인구의 70%가 직접적인 영향을 받았다고 추산했다.[5][95][97] 주 수석 장관 마마타 바네르지는 이 지역의 폭풍 피해가 COVID-19보다 심각하다고 언급했다.[48]
약 5m에 달하는 것으로 추정되는 폭풍 해일로 인해 광범위한 해안 지역 사회가 침수되었고 통신이 두절되었다.[123] 가장 큰 침수는 순다르반스에서 예상되었으며, 홍수가 15km 내륙까지 확장될 가능성이 있었다.[123] 이 지역의 제방이 해일에 의해 무너지면서 순다르반스의 섬들이 침수되었고,[146] 섬과 인도 본토를 연결하는 다리가 유실되었다.[98]
사이클론은 콜카타 알리포어 관측소에서 기록된 112 km/h의 지속적인 풍속과 최대 190 km/h의 돌풍을 동반하여 주택을 파괴하고 나무와 전신주를 쓰러뜨렸다.[48] 해안 지역의 풍속은 최대 150~160 km/h로 측정되었다.[99] 사우스 24 파르가나스의 캐닝에서는 최대 185 km/h의 돌풍을 동반한 157 km/h의 풍속이 기록되었으며, 인근 님피트와 사가르 섬에서는 각각 155 km/h와 111 km/h의 풍속이 관측되었다.[99] 네타지 수바스 찬드라 보스 국제공항에서는 최대 133 km/h의 풍속이 기록되었다.[100] 콜카타 시내와 주변 지역에서도 5월 20일 저녁 시간대에 110~130 km/h의 강한 바람이 불었으며, 이날 220~240 mm의 많은 비가 내렸다.[100] 이로 인해 차량이 전복되고 약 10,000그루의 나무가 부러졌다.[99][123][101][104] 콜카타 시립 공사는 엄펀으로 인해 4,000개 이상의 전신주가 쓰러져 도시의 많은 지역이 14시간 이상 정전되었다고 밝혔다.[102][103] 콜카타에서 최소 19명이 사망했으며,[104] 폭풍은 도시 주변에 광범위한 홍수를 유발했다. 콜카타에는 236 mm의 비가 기록되었다.[104]
쓰러진 전선은 웨스트 벵골 전역에 정전을 일으켰고, 마마타 바네르지 주 수석 장관은 예방 조치로 24 파르가나스의 두 지역에서 전력 공급을 중단하라고 명령했다.[48] 노스 24 파르가나스에서는 2명이 사망하고 최대 5,500채의 가옥이 파손되었다.[48] 인근 후글리 구에서는 수천 채의 진흙집이 파손되었다.[123] 사우스 24 파르가나스에서는 100만 채 이상의 가옥이 파손되었고 제방이 무너지면서 마을과 경작지가 침수되었다.[95][96] 고사바에서는 약 26,000채의 가옥이 파괴되었다.[104] 19km 길이의 인근 제방이 파손되어 해수 침수가 주변 지역에 영향을 미쳤다.[104] 약 150 km 떨어진 나디아 구에서도 폭풍으로 심각한 피해가 발생했다.[104] 웨스트 벵골 전역에서 88000ha의 벼 논과 200000ha의 채소 및 참깨 작물이 피해를 입었다.[96]
4. 1. 2. 기타 지역
"사이클론 엄펀"으로 인한 폭우와 강풍은 5월 16일부터 케랄라 주의 여러 지역에도 영향을 미쳤다.[109] 티루바난타푸람의 발리야투라 교외 지역에서는 엄펀과 관련된 뇌우로 인해 심각한 해안 침식이 발생하여 도로가 파괴되고 가옥이 손상되었으며, 100가구 이상이 이주 위협에 놓였다.[110] 코타얌 구, 특히 바이콤 탈루크에서는 강풍으로 가옥과 사찰이 피해를 입고 나무와 전신주가 쓰러지는 등 심각한 피해가 발생했다.[112] 바이콤 마하데바 사원의 기와 지붕도 강풍으로 손상되었다.[112] 케랄라 주 전체적으로 16채의 가옥이 파괴되고 313채가 부분적으로 손상되어 총 14.7억인도 루피 (1,930만 달러)의 피해가 발생했다.[111] 노숙자 쉼터로 사용되던 한 고등학교 건물이 붕괴되어 경미한 부상자가 발생하기도 했다.[112]타밀나두 주 역시 사이클론의 영향을 받았다. 라마나타푸람 구에서는 강풍으로 인해 정박 중이던 보트 최소 100척이 손상되었다.[113] 엄펀으로 인한 거친 파도는 빌루푸람 구의 봄마야르팔라얌에서 해안 침식을 일으켜 가옥 세 채를 붕괴시켰다.[114] 간다르바코타이와 아란탄기 주변에서는 약 14ha의 바나나 농장이 파괴되었다.[115] 또한, 주 북부 지역은 엄펀이 해당 지역의 습기를 모두 끌어가는 바람에 일주일 동안 열파와 유사한 상태를 겪었다.[116]
안드라프라데시 주에서는 카키나다 근처 수라다페타에서 거친 파도로 인해 35채의 가옥이 파괴되고 여러 채가 추가로 손상되었다.[117]
4. 2. 방글라데시

관계자들은 사이클론 엄펀이 2007년 약 3,500명의 사망자를 낸 사이클론 시드르 이후 방글라데시에서 가장 치명적인 폭풍이 될 것을 우려했다. 인도 기상청(IMD)은 3m 에서 5m 높이의 폭풍 해일을 예측했다.[118] 쿨나와 바리살 지역의 9개 지역에서 백만 명 이상이 엄펀의 영향을 받았으며, 사이클론으로 인해 약 110억방글라데시 타카 (1.3억달러)의 피해가 발생했다.[119] 방글라데시 정부는 총 피해액이 15억달러에 달할 수 있다고 예측했다.[118] 폭풍 관련 사고로 최소 26명이 사망했으며,[120] 이 중에는 보트 전복으로 익사한 단크할리 지역의 사이클론 준비 프로그램 리더 샤 알람도 포함되었다.[120][121]
해안 수위가 상승하면서 엄펀의 상륙 전에 이미 방글라데시에서 피해가 발생하기 시작했다.[123] 제방이 붕괴되면서 갈라치파, 칼라파라, 랑가발리에 걸쳐 17개 마을이 침수되었다.[120] 해안 지역 주민들을 대피시키던 선박이 침몰하여 1명이 사망하기도 했다.[122] 폭풍 해일로 인해 노아칼리 구 내 섬에서는 최소 500채의 가옥이 파괴되었다.[123]
사트키라에서는 바람이 시속 151km에 달했다.[90] 유엔 인도주의 업무 조정국(OCHA)에 따르면 거의 220,000채의 가옥이 피해를 입었고, 그 중 55,667채가 완전히 파괴되어 약 500,000명의 사람들이 집을 잃었다.[119][124] 2.7m 높이의 폭풍 해일로 인해 150km 길이의 제방이 붕괴되어 약 100개 마을이 침수되었다.[119][90] 푸르바 두르가바티에서는 4m 높이의 홍수로 제방 일부가 유실되어 600채의 가옥이 물에 잠겼다.[125] 바리샬의 저지대는 0.9m 에서 1.2m의 물에 잠겼으며, 홍수 강물은 파투아칼리 지구의 랑가발리와 갈라치파 우파질라, 그리고 쿨나 지구의 일부 지역에 영향을 미쳤다.[90] 콕스 바자르에 있는 300개의 대피소가 홍수와 산사태로 피해를 입었다.[126] 순다르반 국립공원의 65개 모든 담수 연못이 바닷물에 잠기고 수많은 케우라 나무가 뿌리째 뽑혔으나,[119] 맹그로브 숲 자체의 피해는 처음 우려했던 것보다는 적었다.[127] 26개 지역에서 약 1100km의 도로와 200개 이상의 다리가 피해를 입었다.[128]
방글라데시 어업부는 농장의 침수로 인해 주로 40,800명의 어업 종사자들이 게, 어류, 새우에서 21.7억방글라데시 타카 (2560만달러)의 손실을 입었다고 추산했다. 이러한 손실은 쿨나와 바리살 지역에서 가장 심각했다.[130] 홍수로 약 3,000개의 새우와 게 양식장이 심각하게 피해를 입거나 파괴되었다.[125] 농업부에 따르면 약 176000ha의 농지가 엄펀의 영향을 받았으며, 사트키라의 망고 농부들이 가장 큰 농업 피해를 입었다.[130] 농업 기술부는 엄펀으로 인해 방글라데시 연간 망고 생산량의 16%가 손실되었으며,[129] 사트키라 지역 망고의 최대 70%가 피해를 입었다고 추산했다.[130] 보로 쌀 논, 콩, 빈랑 또한 엄펀으로 인해 상당한 손실을 입었다.[130] 엄펀은 2,200만 명의 전력 고객에게 정전을 유발했으며, 방글라데시 이동통신 사업자 협회가 운영하는 약 2,500개의 전화 통신탑이 사이클론으로 인해 작동 불능 상태가 되었다.[131]
4. 3. 스리랑카
사이클론은 섬 동쪽에서 세력을 키우면서 스리랑카에 많은 비와 강한 바람을 몰고 왔다. 이로 인해 약 2,000명의 주민이 영향을 받았으며, 곳곳에서 홍수와 산사태가 발생했다.[132][136] 칼루 강가 강둑을 따라서는 소규모 홍수가 일어나기도 했다.[133]폭우로 인해 라트나푸라 구에서는 2명이 사망했는데, 한 명은 산사태로, 다른 한 명은 쓰러진 나무에 의해 목숨을 잃었다. 같은 지역에서 산사태로 인한 부상자도 발생하여 병원으로 옮겨졌다.[135] 케갈레에서도 2명이 사망했으며, 이곳에는 24시간 동안 214mm의 많은 비가 내렸다.[134] 코탐피티야와 펠마둘라에서는 갑작스러운 홍수로 인해 산사태 위험이 있는 주택에서 60명이 긴급 대피했다.[135] 500채 이상의 주택이 엄펀에 의해 피해를 입었으며,[136] 이 중 145채가 폴론나루와에 있었다.[137]
4. 4. 부탄

사이클론 엄펀의 잔해는 부탄 전역에 걸쳐 며칠 동안 불안정한 날씨를 초래했다. 특히 치랑 구에서는 3일 동안 폭우가 쏟아졌다. 전국 곳곳에서 산사태와 낙석으로 도로가 막히고 가옥이 파손되는 피해가 발생했다. 트레나 지역에서는 갑작스러운 홍수로 농작물이 피해를 입어 5가구가 대피했다. 린지, 나로, 소 게워그에서는 야크와 말 17마리가 목숨을 잃었다.[138]
또한, 인도 콜카타의 광섬유 케이블 손상으로 인해 부탄 텔레콤은 5월 20일부터 21일까지 17시간 동안 통신 서비스가 완전히 중단되었으며, 타시셀 역시 60%의 서비스 중단을 겪었다.[139] 드레퐁, 공두, 주르메이, 켄카르, 실람비 게워그에서는 정전이 발생했다.
한편, 내린 비는 망데추 수력 발전소의 발전에 긍정적인 영향을 미쳤다. 발전소는 설계 용량인 720 MW를 넘어선 791.39 MW의 전력을 생산했다.[140]
5. 이후 대처
사이클론 엄펀으로 큰 피해를 입은 인도와 방글라데시에서는 정부 차원의 복구 및 구호 활동이 시작되었다. 인도 중앙정부와 주 정부는 피해 지역 시찰과 함께 구제 자금 지원을 발표하고[141][142][143], 재난 대응팀과 군 병력을 투입하여 복구 작업을 진행했다.[144][146][147] 방글라데시 정부도 피해 시설 복구를 위한 예산을 편성하고 구호 물품을 배분하는 등[148] 신속한 대응에 나섰다. 유럽 연합을 비롯한 국제사회와 국제 개발 기구들도 피해 복구를 위한 지원을 제공하거나 약속했다.[146][149]
5. 1. 인도
인도 해안 경비대는 수색 및 구조 작전을 시작하기 위해 20개의 재해 구호팀을 파견했다.[144]5. 1. 1. 마마타 바네르지 주 총리 비판


5월 22일, 나렌드라 모디 총리는 웨스트 벵갈 주 총리 마마타 바네르지와 함께 콜카타 상공을 공중에서 시찰했다.[141] 모디 총리는 즉각적인 구제 자금으로 웨스트 벵갈에 100억인도 루피(1.32억달러), 오디샤에 50억인도 루피(6620만달러) 지원을 발표했다.[142][143] 또한 사망자 유족에게는 20만인도 루피(2650USD), 부상자에게는 5만인도 루피(660USD)를 지급하기로 했다.[142] 반면, 마마타 바네르지 주 총리는 피해 규모를 파악하는 데 3~4일이 걸릴 것이라고 밝혔다.[144]
이후 웨스트 벵갈에서는 복구 작업이 지연되면서 주민들의 불만이 커졌다. 약 1,000개의 지상팀이 인프라 및 서비스 복구를 위해 투입되었지만, 코로나19 팬데믹으로 인해 실제 가용 인력은 평소의 25~30% 수준에 그쳤다.[95] 특히 전력 복구가 늦어지면서 전력 회사인 CESC를 대상으로 한 항의 시위가 웨스트 벵갈 전역에서 발생했다.[147] 이러한 시위는 일부 복구 작업을 방해하기도 했다.[145]
상황이 악화되자 웨스트 벵갈 내무부는 철도 및 항만 당국에 추가 인력을 요청했으며, 인도 육군 5개 여단이 콜카타와 24 파르가나스 지구(24 Parganas district)의 복구 작업을 지원하기 위해 배치되었다.[146][147] 또한 자르칸드와 오디샤 주에도 지원을 요청했다.[95] 이에 오디샤 정부는 재해 신속 대응 부대와 소방대원 500명을 웨스트 벵갈에 파견했다.[146] 오디샤 주 총리 나빈 파트나이크는 자신의 주 피해 지역을 공중 시찰하기도 했다.[36]
유럽 연합은 초기 구호 자금으로 50만유로(54.5만달러)를 지원하겠다고 밝혔다.[146]
한편, 방글라데시 재난 관리 및 구호부는 파손된 제방 복구를 위해 25억~30억방글라데시 타카(2,900만~3500만달러) 예산을 승인했다. 피해가 심각한 각 지역에는 15억방글라데시 타카(1800만달러)와 500개의 골판지 틴 시트 묶음이 추가로 배분되었다.[148] 국제 개발 기구인 BRAC는 10개의 우파질라(upazila) 저소득층 가정에 총 3000만방글라데시 타카(35만달러)를 지원했으며, 각 가정에는 5000BDT(60USD)가 지급되었다. 또한 바게르하트, 쿨나, 사트키라 지역에 방역 물품을 배포했다.[149]
5. 2. 방글라데시
방글라데시의 재난 관리 및 구호부는 사이클론 엄펀으로 손상된 제방을 수리하기 위해 25억방글라데시 타카에서 30억방글라데시 타카(미화 약 2900만달러~3500만달러) 규모의 예산을 승인했다. 또한, 피해가 심각한 각 지역에는 15억방글라데시 타카(미화 약 1800만달러)의 자금과 500개의 골판지 양철판 묶음이 추가로 배분되었다.[148] 국제 개발 기구인 BRAC는 10개 우파질라(upazila)의 저소득층 가구를 대상으로 3000만방글라데시 타카(미화 약 35만달러)를 지원했으며, 각 가구에는 5000BDT(미화 약 60USD)가 지급되었다. 이 기구는 또한 바게르하트, 쿨나, 사트키라 지역에 장갑, 마스크, 소독제 등 위생용품을 배포했다.[149]5. 3. 국제사회의 지원
유럽 연합은 인도의 폭풍 피해자들에게 초기에 50만유로(54.5만달러)를 제공할 것이라고 밝혔다.[146]방글라데시에서는 국제 개발 기관인 BRAC가 10개의 upazila에 거주하는 저소득층 가족에게 3000만방글라데시 타카(35만달러)를 분배했으며, 각 가족에게는 5000BDT(60USD)가 지급되었다. 이 기관은 또한 바게르하트, 쿨나, 사트키라 지역에 장갑, 마스크, 소독제를 배포했다.[149]
참조
[1]
웹사이트
Naming of Tropical Cyclones over the North Indian Ocean
https://rsmcnewdelhi[...]
Regional Specialized Meteorological Centre
2023-12-06
[2]
논문
Influence of Super Cyclone “Amphan” in the Indian Subcontinent amid COVID-19 Pandemic
https://doi.org/10.1[...]
2021-06-12
[3]
뉴스
Amphan: Cyclone wreaks deadly havoc in India and Bangladesh
https://www.bbc.com/[...]
2020-05-20
[4]
뉴스
Super Cyclonic Storm #Amphan is the 1st SUCS in the Bay of Bengal since the 1999 Odisha Super Cyclone
https://www.hindusta[...]
2020-05-18
[4]
뉴스
Cyclone 'Amphan' LIVE updates: Second super cyclone after 1999, moving with wind speed of 200-240 kmph, says IMD
https://www.dnaindia[...]
DNA India
2020-05-19
[5]
뉴스
Cyclone Amphan caused an estimated $13.2 billion in damage in India's West Bengal: government source
https://edition.cnn.[...]
CNN
2020-05-22
[6]
뉴스
Cyclone devastates Kolkata and leaves scores dead
https://www.bbc.com/[...]
BBC News
2020-05-21
[7]
간행물
Tropical Weather Outlook for the North Indian Ocean May 13, 2020 06z
https://www.wis-jma.[...]
India Meteorological Department
2020-05-13
[8]
간행물
Significant Tropical Weather Advisory for the Indian Ocean May 13, 2020 18z
https://www.metoc.na[...]
United States Joint Typhoon Warning Center
2020-05-13
[9]
간행물
Tropical Weather Outlook for the North Indian Ocean May 14, 2020 06z
https://www.wis-jma.[...]
India Meteorological Department
2020-05-14
[10]
간행물
Tropical Cyclone Formation Alert May 15, 2020 10z
https://www.metoc.na[...]
United States Joint Typhoon Warning Center
2020-05-15
[11]
간행물
Tropical Weather Outlook for the North Indian Ocean May 16, 2020 04:05z
https://www.wis-jma.[...]
India Meteorological Department
2020-05-14
[12]
웹사이트
RSMC TROPICAL CYCLONE ADVISORY BULLETIN
http://www.rsmcnewde[...]
Regional Specialised Metrological Center
[13]
웹사이트
Indias Super Cyclone – Amphan
https://www.severe-w[...]
2020-05-19
[14]
웹사이트
BULLETIN NO.: 19 (BAY OF BENGAL 01/2020)
http://www.rsmcnewde[...]
2020-05-18
[15]
웹사이트
Tropical cyclone Amphan threatens India and Bangladesh
https://web.archive.[...]
2020-05-18
[16]
뉴스
Life threatening storm surge – Cyclone Amphan
https://www.washingt[...]
[17]
웹사이트
Amphan continues to weaken as it bears down on the Bengal coast
https://www.reddit.c[...]
[18]
뉴스
In pictures: Cyclone Amphan hits India and Bangladesh
https://edition.cnn.[...]
CNN
2020-05-20
[19]
웹사이트
Tropical cyclone 01B (Amphan) Warning Nr 018
https://www.metoc.na[...]
2020-05-20
[20]
뉴스
India and Bangladesh brace for the strongest storm ever recorded in the Bay of Bengal
https://www.cnn.com/[...]
CNN
2020-05-19
[21]
뉴스
Cyclone Amphan: Low pressure over Bay of Bengal, likely to intensify into cyclonic storm by May 16
https://indianexpres[...]
The Indian Express Ltd.
2020-05-14
[22]
뉴스
Sri Lanka fishermen asked to stay ashore as cyclone Amphan intensifies
https://economynext.[...]
2020-05-17
[23]
뉴스
Cyclone Amphan likely to bring heavy rain in coastal Bengal districts from May 19
https://www.hindusta[...]
2020-05-17
[24]
뉴스
Alert sounded, preparations underway to safeguard districts in West Bengal from cyclone Amphan
https://www.indiatod[...]
Living Media India
2020-05-19
[25]
뉴스
'Extremely severe' cyclonic storm Amphan forces evacuations in India, Bangladesh
https://www.smh.com.[...]
2020-05-19
[26]
뉴스
Cyclone Amphan: Ferry services shut on major routes across Bangladesh
https://newsroompost[...]
Headlong Newsroom Post India
2020-05-19
[27]
뉴스
Bangladesh, India evacuating millions as super cyclone bears down on coast
https://bdnews24.com[...]
2020-05-20
[28]
뉴스
Super cyclone Amphan hurtling towards Bangladesh
https://bdnews24.com[...]
2020-05-18
[29]
뉴스
Odisha deploys NDRF, ODRAF teams as cyclonic storm Amphan intensifies into very severe cyclonic storm
http://www.uniindia.[...]
2020-05-17
[30]
뉴스
Cyclone Amphan: Govt releases helpline numbers, sets up round-the-clock control rooms
https://www.timesnow[...]
Bennett Coleman & Company
2020-05-19
[31]
뉴스
'Cyclone In The Time Of COVID-19': Amphan Bears Down On Bangladesh And India
https://www.npr.org/[...]
NPR
2020-05-19
[32]
뉴스
Odisha suspends 'Shramik Specials' in view of cyclone Amphan
https://www.newindia[...]
2020-05-17
[33]
뉴스
Bhubaneswar-New Delhi AC special train to run on diverted route
https://updateodisha[...]
2020-05-17
[34]
뉴스
Cyclone Amphan: 3 lakh people evacuated, moved to relief shelters, says West Bengal CM Mamata Banerjee
https://www.hindusta[...]
2019-05-19
[35]
뉴스
Cyclone Amphan alters Shramik Special roster, 2 trains cancel
https://timesofindia[...]
Bennett, Coleman & Company
2020-05-20
[36]
뉴스
Cyclone Amphan LIVE Updates: Cyclone begins landfall, process to last for four hours
https://www.thehansi[...]
Hyderabad Media Hous
2020-05-19
[37]
뉴스
Cyclone 'Amphan' intensifies into severe cyclonic storm
https://timesofindia[...]
Bennett, Coleman & Company
2020-05-18
[38]
뉴스
Airport, Markets Shut, People To Stay Inside As Kolkata Preps For Amphan
https://www.ndtv.com[...]
NDTV
2020-05-20
[39]
뉴스
Kolkata: Planes flown out, terminal roof bolstered ahead of Cyclone Amphan strike
https://timesofindia[...]
Bennett, Coleman & Company
2020-05-20
[40]
뉴스
Bengal and Odisha brace for super cyclone Amphan, PM Modi takes stock
https://www.hindusta[...]
2020-05-19
[41]
뉴스
Amit Shah speaks to Mamata Banerjee and Naveen Patnaik, assures all help for super cyclone 'Amphan'
https://www.deccanhe[...]
The Printers
2020-05-19
[42]
뉴스
CM Naveen Patnaik sets 'zero casualty' target for cyclone Amphan
https://www.newindia[...]
2020-05-17
[43]
뉴스
Cyclone 'Amphan': NDRF deploys 17 teams in Odisha, West Bengal
https://www.tribunei[...]
The Tribune Trust
2020-05-17
[44]
뉴스
NDRF deploys 17 member team in Paradip to prepare for Cyclone Amphan
https://timesofindia[...]
2020-05-17
[45]
뉴스
Cyclone Amphan Turns 'Very Severe', Disaster Response Teams Deployed In Odisha, WB
https://odishatv.in/[...]
Odisha Television
2020-05-17
[46]
뉴스
Cyclone 'Amphan': 53 teams deployed to save lives, property, says NDRF
https://www.newindia[...]
2020-05-19
[47]
뉴스
Live Updates: Cyclone Amphan weakens into 'extremely severe' category, rain lashes several parts of Odisha
https://economictime[...]
2020-05-19
[48]
뉴스
Cyclone Amphan [LIVE]: Wind velocity in Kolkata clocks 112 kmph as cyclone crosses WB; 2 people dead in state
https://www.timesnow[...]
Bennett, Coleman & Company
2020-05-20
[49]
뉴스
Danger signal 7 for coast as Cyclone Amphan intensifies
https://www.dhakatri[...]
2020-05-18
[50]
뉴스
Warning flag raised at Rohingya camps over cyclone 'Amphan'
https://thefinancial[...]
2020-05-18
[51]
뉴스
Cyclone Amphan: Local Government Division opens control room
https://unb.com.bd/c[...]
2020-05-20
[52]
뉴스
May 20 Cyclone Amphan news
https://www.cnn.com/[...]
CNN
2020-05-20
[53]
뉴스
1,933 medical teams ready: Media cell
https://unb.com.bd/c[...]
2020-05-21
[54]
뉴스
Cyclone Amphan triggers rain in Chittagong
https://www.dhakatri[...]
2020-05-19
[55]
뉴스
Bangladesh armed forces ready to tackle aftermath of super cyclone Amphan
https://bdnews24.com[...]
2020-05-19
[56]
뉴스
Harvest all paddy now
https://www.thedaily[...]
2020-05-18
[57]
뉴스
Fisheries Ministry opens control room over super cyclone 'Amphan'
https://unb.com.bd/c[...]
2020-05-19
[58]
뉴스
Cyclone Amphan: 13 Kerala districts under yellow alert, says IMD
https://www.timesnow[...]
Bennett Coleman & Company
2020-05-18
[59]
뉴스
Cyclone 'Amphan': West Bengal government mounts one of its biggest evacuation exercises
https://www.newindia[...]
2020-05-20
[60]
뉴스
Bangladesh raises cyclone warning to great danger signal 10 for Payra, Mongla
https://bdnews24.com[...]
2020-05-20
[61]
뉴스
Flood alarm sounds on Andaman coast
https://www.bangkokp[...]
Bangkok Post Public Company
2020-05-19
[62]
뉴스
Storms alert for most of Thailand
https://www.bangkokp[...]
Bangkok Post Public Company
2020-05-19
[63]
웹사이트
Thailand – Flash floods and landslides (DG ECHO, TMD, media) (ECHO Daily Flash of 19 May 2020)
https://reliefweb.in[...]
European Civil Protection and Humanitarian Aid Operations
2020-05-19
[64]
뉴스
NCHM issues weather warning over cyclonic storm AMPHAN
http://www.bbs.bt/ne[...]
Bhutan Broadcasting Service Corporation
2020-05-19
[65]
뉴스
Cyclone Amphan to affect parts of Bhutan for the next two days
https://kuenselonlin[...]
Kuensel Corporation
2020-05-20
[66]
뉴스
Odisha bracing for possible cyclone, 12 districts on alert
https://www.hindusta[...]
HT Media Limited
2020-05-15
[67]
뉴스
Cyclone Amphan likely to intensify, hit Bengal soon
https://www.hindusta[...]
2020-05-18
[68]
뉴스
India, Bangladesh Tell Millions to Evacuate as Tropical Cyclone Amphan Approaches
https://weather.com/[...]
TWC Product and Technology
2020-05-18
[69]
뉴스
Cyclone Amphan: With 7 Lakh Expected To Be Affected, Odisha Swings Into Action Mode
https://odishatv.in/[...]
Odisha Television
2020-05-16
[70]
뉴스
Cyclone Amphan set to hit West Bengal today
https://timesofindia[...]
Bennett, Coleman & Company
2020-05-20
[71]
뉴스
Over 1 lakh evacuated in Odisha as cyclone Amphan hurtles towards Bengal coast
https://www.freepres[...]
2020-05-20
[72]
뉴스
Bangladesh alerts maritime ports as Cyclone Amphan intensifies
https://www.newagebd[...]
Media New Age
2020-05-17
[73]
뉴스
Govt has necessary preparations to face cyclone 'Amphan': Enamur
http://www.unb.com.b[...]
2020-05-17
[74]
뉴스
India, Bangladesh Prepare to Evacuate 5 Million From Cyclone
https://www.bloomber[...]
Bloomberg
2020-05-18
[75]
뉴스
Amphan may be as bad as Sidr
https://www.thedaily[...]
2020-05-19
[76]
뉴스
Cyclone Amphan: Social distancing at shelters a big challenge
http://www.unb.com.b[...]
2020-05-19
[77]
뉴스
As cyclone Amphan nears, 4.2 million evacuated in coastal regions of India, Bangladesh
https://www.hindusta[...]
2020-05-20
[78]
뉴스
Super-cyclone Amphan hits coast of India and Bangladesh
https://www.theguard[...]
2020-05-20
[79]
뉴스
Cyclone Amphan: More than 1 million to be evacuated in India, Bangladesh
https://www.upi.com/[...]
2020-05-17
[80]
뉴스
'Amphan' weakens into extremely severe cyclonic storm; yellow alert in 9 Kerala districts
https://english.mano[...]
Manorama Online
2020-05-19
[81]
뉴스
'Amphan' keeps fishermen off sea
https://www.newindia[...]
2020-05-17
[82]
뉴스
Cyclone Amphan: Odisha govt. asks Collectors to evacuate people living in thatched, asbestos, tile houses
http://www.uniindia.[...]
2020-05-17
[83]
뉴스
Cyclone Amphan set to hit Bengal today
https://timesofindia[...]
Bennett, Coleman & Company
2020-05-20
[84]
뉴스
India and Bangladesh to evacuate 2 million people as Cyclone Amphan approaches
https://www.scmp.com[...]
2020-05-18
[85]
뉴스
Cyclone Amphan poses extreme storm surge danger for eastern India, Bangladesh
https://www.washingt[...]
2020-05-19
[86]
뉴스
West Bengal: Three lakh people evacuated to safety ahead of 'Amphan' landfall
https://bangaloremir[...]
Bennett, Coleman & Company
2020-05-19
[87]
뉴스
Cyclone Amphan To Hit Bengal Between 4 And 6 PM, Heavy Rain Along Coast: 10 Points
https://www.ndtv.com[...]
NDTV
2020-05-20
[88]
뉴스
Dhanbad and Bokaro districts brace for Amphan
https://www.telegrap[...]
2020-05-20
[89]
뉴스
India, Bangladesh evacuate millions ahead of Cyclone Amphan amid fears of 'severe damage'
https://www.sbs.com.[...]
Special Broadcasting Service
2020-05-19
[90]
뉴스
Coastal farmers take the brunt
https://www.thedaily[...]
2020-05-21
[91]
뉴스
Thousands rushed to safety in Bhola from storm shelter-less shoals with Amphan lurking
https://bdnews24.com[...]
2020-05-20
[92]
뉴스
Amphan: India and Bangladesh evacuate millions ahead of super cyclone
https://www.bbc.com/[...]
BBC News
2020-05-19
[93]
뉴스
HIGHLIGHTS {{pipe}} 6.5 lakh evacuated, at least 24 dead as Cyclone 'Amphan' batters Bengal, Odisha; to weaken into 'deep depression'
https://www.newindia[...]
2020-05-21
[94]
뉴스
500,000 Families May Be Homeless Due To Devastation From Cyclone Amphan
https://www.forbes.c[...]
2020-05-22
[95]
뉴스
Mamata pegs cyclone Amphan damage at ₹1 lakh crore, toll rises to 86
https://www.thehindu[...]
THG Publishing
2020-05-23
[96]
뉴스
72 killed in Amphan's march through Bengal, PM Modi to visit today
https://timesofindia[...]
Bennett, Coleman & Company
2020-05-22
[97]
뉴스
Bengal pegs cyclone Amphan damage at ₹1.02 lakh crore
https://www.thehindu[...]
2020-06-07
[98]
뉴스
After Cyclone Hits India and Bangladesh, the Waiting Begins
https://www.nytimes.[...]
2020-05-21
[99]
뉴스
72 people dead in West Bengal, Mamata urges PM Modi to visit state
https://economictime[...]
2020-05-21
[100]
웹사이트
6 Hours Of Fear As Cyclone Amphan Ripped Through Kolkata: Videos
https://www.ndtv.com[...]
2021-06-01
[101]
뉴스
Kolkata loses 5,000 trees, experts want shift in plantation pattern
https://timesofindia[...]
2020-05-22
[102]
뉴스
Protests over lack of power & water in several parts of Calcutta
https://www.telegrap[...]
2020-05-23
[103]
뉴스
Cyclone Amphan: Survivors return to face destruction left by storm
https://www.bbc.com/[...]
BBC
2020-05-22
[104]
뉴스
Cyclone Amphan leaves thousands homeless in eastern India, Modi offers help
https://www.reuters.[...]
2020-05-22
[105]
뉴스
Amphan: Heavy rain, wind hit coastal districts of Odisha
https://www.thehindu[...]
2020-05-20
[106]
뉴스
Cyclone 'Amphan' aftermath: Power supply restored in affected districts
https://www.newindia[...]
2020-05-26
[107]
뉴스
3 dead as Cyclone Amphan crosses Odisha before making landfall in Bengal
https://www.hindusta[...]
2020-05-21
[108]
뉴스
Agony after cyclone Amphan in Odisha
https://www.newindia[...]
2020-05-22
[109]
뉴스
Cyclone Amphan intensifies, heavy rains in Kerala
https://www.deccanch[...]
2020-05-18
[110]
뉴스
Super Cyclone Amphan ravages coast
https://www.newindia[...]
2020-05-20
[111]
뉴스
Temples, houses suffer damage in storm in Kerala
https://www.deccanhe[...]
The Printers
2020-05-18
[112]
뉴스
Strong winds wreak havoc in Kottayam; Vaikom badly hit
https://www.newindia[...]
2020-05-19
[113]
뉴스
100 boats damaged in heavy winds
https://www.thehindu[...]
THG Publishing
2020-05-18
[114]
뉴스
Cyclone Amphan: Three houses collapse in TN due to coastal erosion
https://timesofindia[...]
2020-05-19
[115]
뉴스
Tamil Nadu reports widespread destruction of Banana crops after strong winds and rain hit coastal districts
http://www.newsonair[...]
2020-05-19
[116]
뉴스
Chennai braces for heatwave due to super cyclone Amphan, mercury breaches 40-degree mark
https://www.newindia[...]
null
[117]
뉴스
Fishermen hamlet reels under Amphan impact
https://www.thehindu[...]
2020-05-20
[118]
뉴스
Amphan: Kolkata devastated as cyclone kills scores in India and Bangladesh
https://www.bbc.com/[...]
BBC
2020-05-21
[119]
뉴스
Amphan inflicts massive damage
https://www.thedaily[...]
2020-05-22
[120]
뉴스
Cyclone Amphan weakens as death toll rises to 20
https://www.dhakatri[...]
2020-05-21
[121]
뉴스
Body of Cyclone Preparedness Programme leader recovered after boat capsize
https://www.thedaily[...]
2020-05-20
[122]
뉴스
Huge Cyclone Amphan slams into India's coast, and it's already a killer
https://www.cbsnews.[...]
2020-05-20
[123]
뉴스
Cyclone kills 14 in India, Bangladesh leaving trail of destruction
https://www.reuters.[...]
2020-05-20
[124]
뉴스
Cyclone Amphan caused an estimated $13.2 billion in damage in India's West Bengal: government source
https://www.cnn.com/[...]
CNN
2020-05-22
[125]
뉴스
'Everything is gone': Cyclone Amphan destroys Bangladesh villages
https://www.deccanhe[...]
2020-05-21
[126]
뉴스
Cyclone Amphan: West Bengal seeks Indian army's support
https://www.upi.com/[...]
2020-05-23
[127]
뉴스
Cyclone floods coastal districts of Bangladesh, damages thousands of homes
https://bdnews24.com[...]
2020-05-21
[128]
뉴스
Bangladesh incurs loss worth $129 million due to Cyclone Amphan
https://www.timesnow[...]
Bennett Coleman & Company
2020-05-23
[129]
뉴스
Mango growers hit hard by cyclone
https://www.thedaily[...]
2020-05-22
[130]
뉴스
Coastal farmers take the brunt
https://www.thedaily[...]
2020-05-22
[131]
뉴스
Cyclone Amphan disrupts telecoms connectivity amid power outages in Bangladesh
https://bdnews24.com[...]
2020-05-21
[132]
뉴스
Heavy rains in South-west Sri Lanka due to 'AMPHAN'
https://www.newsradi[...]
News Radio
2020-05-18
[133]
뉴스
Ratnapura affected the most by inclement weather; 2 deaths reported
http://www.adaderana[...]
Ada Derana
2020-05-19
[134]
뉴스
Adverse weather claims two lives
http://www.sundayobs[...]
The Associated Newspapers of Ceylon
2020-05-17
[135]
뉴스
Rains wreak havoc, claim two lives
http://www.ft.lk/new[...]
Wijeya Newspapers
2020-05-18
[136]
뉴스
2 killed, over 2,000 affected by heavy rains in Sri Lanka
http://www.xinhuanet[...]
2020-05-18
[137]
뉴스
Amphan 900km away from Sri Lanka, now Super Cyclonic Storm
https://economynext.[...]
2020-05-19
[138]
뉴스
Incessant rainfall cause damage in Tsirang
https://kuenselonlin[...]
2020-05-23
[139]
뉴스
Cyclone Amphan disrupts internet connectivity
https://kuenselonlin[...]
2020-05-22
[140]
뉴스
Amphan spares Bhutan
https://kuenselonlin[...]
2020-05-22
[141]
뉴스
In PM Modi's aerial survey of cyclone-hit Bengal, CM Mamata a co-traveller
https://www.hindusta[...]
Hindustan Times
2020-05-22
[142]
뉴스
PM Modi announces Rs 1,000 cr immediate relief for Cyclone Amphan-hit Bengal
https://www.hindusta[...]
Hindustan Times
2020-05-22
[143]
뉴스
PM Modi announces Rs 500 crore advance relief for cyclone-hit Odisha
https://www.hindusta[...]
Hindustan Times
2020-05-22
[144]
뉴스
Cyclone Amphan makes landfall in India and tracks for Kolkata
https://www.cnn.com/[...]
CNN
2020-05-20
[145]
뉴스
Agitated mob obstructs telecom restoration work in Amphan-hit areas of West Bengal
https://www.deccanhe[...]
The Printers
2020-05-25
[146]
뉴스
Cyclone Amphan: Protests erupt as Bengal reels under storm aftermath; Army deployed for restoration work
https://indianexpres[...]
The Indian Express
2020-05-23
[147]
뉴스
After devastation from cyclone Amphan, Army deployed in West Bengal
https://www.business[...]
Business Standard
2020-05-23
[148]
뉴스
Cyclone Amphan wipes Tk 11bn off Bangladesh, government says
https://bdnews24.com[...]
bdnews24.com
2020-05-21
[149]
뉴스
Brac allocates Tk3 crore for 6,000 households affected by cyclone Amphan
https://www.dhakatri[...]
Dhaka Tribune
2020-05-23
본 사이트는 AI가 위키백과와 뉴스 기사,정부 간행물,학술 논문등을 바탕으로 정보를 가공하여 제공하는 백과사전형 서비스입니다.
모든 문서는 AI에 의해 자동 생성되며, CC BY-SA 4.0 라이선스에 따라 이용할 수 있습니다.
하지만, 위키백과나 뉴스 기사 자체에 오류, 부정확한 정보, 또는 가짜 뉴스가 포함될 수 있으며, AI는 이러한 내용을 완벽하게 걸러내지 못할 수 있습니다.
따라서 제공되는 정보에 일부 오류나 편향이 있을 수 있으므로, 중요한 정보는 반드시 다른 출처를 통해 교차 검증하시기 바랍니다.
문의하기 : help@durumis.com
