토리노의 수의
"오늘의AI위키"의 AI를 통해 더욱 풍부하고 폭넓은 지식 경험을 누리세요.
1. 개요
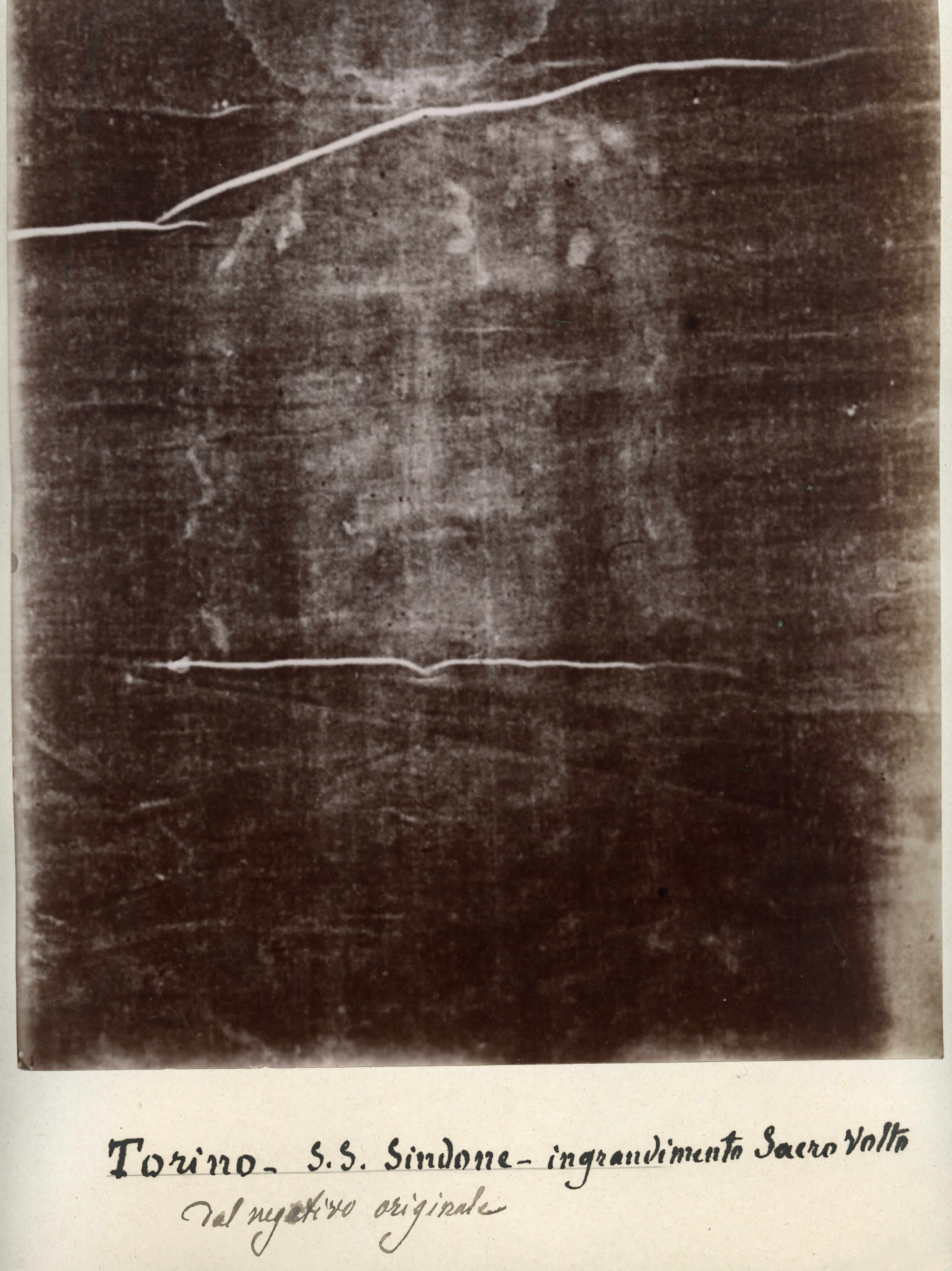
토리노의 수의는 14세기부터 토리노 대성당에 보관되어 온 아마포 천으로, 예수의 시신을 감쌌다는 전승이 있어 종교적으로 중요한 의미를 지닌다. 수의는 4.41m x 1.13m 크기의 능직 아마포로, 남성의 전신상이 네거티브 형태로 나타나 있으며, 1898년 세콘도 피아에 의해 처음 촬영되었다. 과학적 분석 결과, 수의의 제작 시기는 1260년에서 1390년 사이로 추정되었으며, 혈흔은 실제 혈액이 아닌 안료로 밝혀지는 등 위조 논란이 끊이지 않고 있다. 가톨릭 교회는 수의의 진위 여부에 대한 공식적인 입장을 밝히지 않고 있으며, 교황은 수의를 존경하도록 권고하지만, 한국 개신교는 우상 숭배를 경계하며 회의적인 시각을 보인다.
더 읽어볼만한 페이지
- 표시 이름과 문서 제목이 같은 위키공용분류 - 라우토카
라우토카는 피지 비치레부섬 서부에 위치한 피지에서 두 번째로 큰 도시이자 서부 지방의 행정 중심지로, 사탕수수 산업이 발달하여 "설탕 도시"로 알려져 있으며, 인도에서 온 계약 노동자들의 거주와 미 해군 기지 건설의 역사를 가지고 있고, 피지 산업 생산의 상당 부분을 담당하는 주요 기관들이 위치해 있다. - 표시 이름과 문서 제목이 같은 위키공용분류 - 코코넛
코코넛은 코코넛 야자나무의 열매로 식용 및 유지로 사용되며, 조리되지 않은 과육은 100g당 354kcal의 열량을 내는 다양한 영양 성분으로 구성되어 있고, 코코넛 파우더의 식이섬유는 대부분 불용성 식이섬유인 셀룰로오스이며, 태국 일부 지역에서는 코코넛 수확에 훈련된 원숭이를 이용하는 동물 학대 문제가 있다. - 한국어 위키백과의 링크가 위키데이터와 같은 위키공용분류 - 라우토카
라우토카는 피지 비치레부섬 서부에 위치한 피지에서 두 번째로 큰 도시이자 서부 지방의 행정 중심지로, 사탕수수 산업이 발달하여 "설탕 도시"로 알려져 있으며, 인도에서 온 계약 노동자들의 거주와 미 해군 기지 건설의 역사를 가지고 있고, 피지 산업 생산의 상당 부분을 담당하는 주요 기관들이 위치해 있다. - 한국어 위키백과의 링크가 위키데이터와 같은 위키공용분류 - 코코넛
코코넛은 코코넛 야자나무의 열매로 식용 및 유지로 사용되며, 조리되지 않은 과육은 100g당 354kcal의 열량을 내는 다양한 영양 성분으로 구성되어 있고, 코코넛 파우더의 식이섬유는 대부분 불용성 식이섬유인 셀룰로오스이며, 태국 일부 지역에서는 코코넛 수확에 훈련된 원숭이를 이용하는 동물 학대 문제가 있다.
2. 역사
14세기 이전 토리노 대성당에 있는 현재의 수의에 대한 확실한 역사적 기록은 없다. 일부 역사가들은 수의라고 주장하는 매장포가 비잔티움 제국의 소유였지만 1204년 콘스탄티노플 함락 당시 사라졌다고 한다.[3][4][112] 14세기 이전에 예수의 수의 또는 그의 얼굴 이미지에 대한 여러 보고가 있지만, 그 기원은 알 수 없으며, 이것들이 현재 토리노에 있는 수의를 가리킨다는 역사적 증거는 없다.[75]
1353년 프랑스 리옹의 샤르니 가문에서 발견되었으나, 그 경위는 불명확하다. 현지 주교로부터 위조품이라는 비판을 받기도 했지만, 여러 소유주와 보관 장소를 거쳐 1453년 사보이아 가문으로 소유권이 넘어갔고, 1578년 토리노로 옮겨졌다. 교황 클레멘스 7세는 이것을 천에 그린 그림이라고 선언하고, 성물로 여겨지지 않도록 전시에 촛불을 켜지 않고 향을 피우지 않는 조건을 붙였다.
1506년 교황 율리우스 2세는 수의를 예수의 진정한 유물로 공경하는 것을 허락했다.[20]
17세기 후반부터 수의는 건축가 구아리노 구아리니가 설계한 예배당에 전시되어 토리노 대성당과 토리노 왕궁에 모두 연결되어 있다.[74] 1694년 세바스티안 발프레가 수의를 수리했고, 1868년 사보이 공주 마리아 클로틸데가 추가로 수리했다.
1898년 수의의 첫 사진이 촬영된 후, 1983년 사보이아 가문은 수의를 교황청에 기증했다. 일반인에게 항상 공개되는 것은 아니지만, 성의 박물관에서 복제품을 볼 수 있다. 2000년에 일반 공개되었고, 2002년에 수리 작업이 실시되었다. 2010년과 2015년에도 일반 공개되었다.[154]
2004년 수의 뒷면에서 희미한 부분 이미지가 발견되었다. 2013년 성 토요일(3월 30일) 수의 이미지가 40년 만에 처음으로 여러 웹사이트와 텔레비전으로 스트리밍되었다.[110][69] 프란치스코 교황은 신자들에게 경외심으로 수의를 묵상하도록 촉구하는 성명을 발표했지만, "진위 여부를 단호히 주장하지 않았다".[107][106]
2015년 4월 19일부터 6월 24일까지 토리노 대성당에서 수의가 다시 전시되었으며, 예약이 필요했다.[68]
2. 1. 중세 시대
1353년 프랑스 리레이에서 제프루아 드 샤르니가 수의를 처음 공개했다.[20] 1390년 트루아의 주교 피에르 다르시는 수의가 위조품이며 이전 트루아의 주교 앙리 드 푸아티에가 제작자를 밝혔다고 주장했다.[112][111] 1453년 사보이 공작 루이에게 양도되었다.[20] 1532년 샹베리 성 예배당 화재로 수의가 손상되었는데, 성유물함의 녹은 은이 접힌 천을 통과하여 펼친 수의에 대칭적인 구멍 자국을 남겼지만 이미지 부분은 크게 손상되지 않았다.[73] 1578년 사보이 공작 에마뉘엘 필리베르는 수의를 새로운 사보이 수도 토리노로 옮겼고, 그 이후로 토리노에 남아 있다.[73]2. 2. 근대
1898년 이탈리아의 변호사이자 아마추어 사진가인 세콘도 피아가 처음으로 수의 사진을 촬영했다.[153] 1983년 사보이아 가문은 수의를 교황청에 기증했으며, 이후 토리노 대주교가 관리하고 있다.[153]1997년 4월 11일 방화로 추정되는 화재로 수의가 위협받았다.[71] 2002년 교황청은 수의를 복원하면서 천 뒷면과 30개의 패치를 제거하여, 가려져 있던 천 뒷면을 사진 촬영하고 스캔할 수 있게 되었다.[70]
3. 특징
수의는 세로 4.41m, 가로 1.13m의 능직물 아마포(린넨)이다. 생성에 가까운 상아색 천 위에 마른 남성의 전신상이 네거티브처럼 전사된 것처럼 보인다. 천 위에 남은 전신상의 흔적을 통해 머리를 중심으로 세로로 두 겹으로 접어 시신을 쌌다고 추정되며, 머리, 손목, 발, 옆구리 부분에는 혈흔이 남아 있다.[151]
1532년 프랑스 샹베리의 예배당 화재로 수의가 손상되었다. 접힌 상태였던 수의는 녹은 은과 접촉하면서 불에 타 여러 곳에 구멍이 나거나 그을렸으며, 양쪽으로 타버린 자국이 남아 있다.[78] 이후 클라라 수녀회 수녀들이 14개의 큰 삼각형 모양의 천 조각과 8개의 작은 조각을 꿰매어 손상된 부분을 수리했다.[78]
1898년 5월 28일, 이탈리아 사진작가 세콘도 피아가 최초로 수의 사진을 촬영했다. 1931년에는 주세페 엔리에가 수의를 촬영하여 피아와 유사한 결과를 얻었다.[79] 1978년에는 수의의 자외선 사진이 촬영되었다.[114][113]
3. 1. 형상
수의는 대략 4.4x 크기의 직사각형 천으로, 아마 섬유로 만든 삼자직(三子織) 능직 평직으로 짜여 있다. 가장 두드러진 특징은 흐릿한 갈색의 남성 전신상이 앞뒤로 새겨져 있다는 것이다. 이 남성은 수염과 콧수염을 길렀고, 어깨까지 내려오는 중앙 가르마 머리를 하고 있다. 그는 근육질이며, 여러 전문가들은 그의 키를 로 측정했다.[80]천에는 붉은 갈색 얼룩이 있는데, 이는 예수의 십자가 처형에 대한 성경 묘사와 일치하는 상처로 여겨진다.[115] 앞면과 뒷면의 이미지는 신체 중앙면을 따라 정렬되어 있으며, 반대 방향을 향하고 있다. 머리 부분의 앞면과 뒷면 이미지는 천의 중앙에서 거의 만난다.[81]
1978년 과학 조사에서는 혈흔이 사람의 것이며 혈액형이 AB형임이 증명되었다.[159] 성혈포 뒷면에는 인물 모습은 보이지 않고 혈흔이 스며든 자국만 보였다.
성경에 묘사된 예수의 수난과 관련된 상처는 다음과 같다.
3. 2. 재료
수의는 대략 4.4x 크기의 직사각형 천이다. 이 천은 삼자직(三子織) 능직 평직으로 짜여 있으며, 아마 섬유로 구성되어 있다.[81] 본체는 세로 4.41m, 가로 1.13m의 능직물 아마포(린넨)이다.[151]3. 3. 손상 및 복원
토리노의 수의는 여러 차례 복원 작업을 거쳤다. 1532년 프랑스 샹베리의 교회에 보관되어 있던 중 화재로 일부가 손상되었다.[152] 1534년 성 클라라 수녀회의 수녀 4명이 손상된 부분에 덧붙임을 하고, 뒷면에 덧천을 꿰매는 수리를 하였다.[152] 1978년 과학 조사에서 혈흔이 사람의 것이며 혈액형이 AB형임이 증명되었다. 2002년에는 덧붙임과 덧천을 제거하는 작업이 이루어졌다.4. 과학적 분석
토리노 수의에 대한 과학적 분석은 크게 재료 분석, 생물학 및 법의학, 영상 분석의 세 가지로 나뉜다. 수의학(sindonology)은 수의에 대한 공식적인 연구 분야이다.
- 재료 분석: 화학적, 역사적 분석을 포함한다.
- 생물학 및 법의학: 혈흔, 꽃가루 등을 분석한다.
- 영상 분석: 광학 영상 분석 기술 등을 사용한다.
토리노 수의는 위조품이라는 주장과 진품이라는 주장이 대립하며, 이에 따라 다양한 과학적 조사가 진행되었다.
위조품 주장 근거:
- 성서에 "시신을 쌌던 천에 형상이 비친다"는 기적적인 사건이 언급되지 않았다.
- 머리와 몸통을 다른 천으로 쌌다는 성서 시대 유대인의 매장 관습과 다르다.
- 형상의 인물이 백인의 특징을 가지고 있어 성서 시대 팔레스타인 사람의 얼굴 생김새가 아니다.
- 법의학적 조사 결과, 시체를 그대로 쌌다고 하기에는 혈흔의 묻은 방식이 비현실적이다.[157]
진품설 주장 근거:
- 천에 비친 네거티브 형태 전신상의 특유의 색 농담, 붓자국 없음, 이미지의 표면성 등이 과학적으로 설명 및 재현이 불가능하다고 주장한다. (단, 중세 시대 재료로 여러 재현 실험이 행해져 비슷한 도상이 작성되기도 했다.)
과학적 연구 결과:
- 세콘도 피아가 1898년에 촬영한 수의 사진은 과학계가 수의 연구를 시작하는 계기가 되었다.
- 1978년 과학 조사 당시 발과 무릎, 코 주변에 예루살렘의 아라고나이트라는 흙이 부착되어 있었다.
- 미국 로스앨러모스 국립 연구소 조사에 따르면, 1988년에 조사된 천 부분에는 바닐린이 포함되어 있었고, 그 부분은 화재로 인해 수리된 부분이었다. 바닐린이 포함되지 않은 부분은 1300년에서 3000년 전의 천일 가능성이 제기되었다.
- 천은 능직의 아마포이며, 바느질 방법은 사해 연안 마사다 유적에서 발견된 천과 같은 독특한 방식이다.
4. 1. 방사성 탄소 연대 측정
1988년 옥스퍼드 대학교, 애리조나 대학교, 취리히 연방 공과대학교에서 독립적인 방사성 탄소 연대 측정 검사를 실시했다. 수의 모서리에서 채취한 조각을 검사한 결과, 95%의 신뢰 수준으로 1260년에서 1390년 사이의 것으로 결론지었다.[103] 이 연대는 수의가 교회 역사상 처음 등장한 시기와 일치한다.[102][46] 미술사가 W. S. A. 데일(W. S. A. Dale)은 예술적 근거를 바탕으로 수의가 예배 의식에 사용하기 위해 만들어진 11세기 성상이라고 추정했는데, 이보다 약간 더 최근 시기이다.[101]탄소연대 측정 결과 토리노 수의는 중세 시대의 유물이며 예수 시대의 것이 아니라는 사실이 밝혀졌다.[15]
1988년 조사에서는 옥스퍼드 대학교, 애리조나 대학교, 스위스 연방 공과대학교 3개 기관에서 고고학 등에서 자료 연대 추정에 사용되는 방사성 탄소 연대 측정법(탄소14법 연대 측정)을 실시했다. 그 결과, 이 천 자체의 직조 시기는 1260년부터 1390년 사이의 중세라고 추정되었다.
하지만, 이 3개 기관이 발표 전에 데이터를 교환하고, 원시 데이터 공개를 거부했기 때문에, 이 결과는 예수의 천이라고 믿는 무리들로부터 의문을 받고 있다. 바티칸은 1년 후에 탄소14법 연대 측정 결과를 무시한다고 발표했다.[159]
최근 몇 년 동안 수의 자체를 연구하는 것이 아니라 데이터를 연구하여 C14 연대 측정의 신뢰성에 대한 결론을 도출하려는 시도로 탄소연대 측정 데이터가 반복적으로 통계 분석되었다. 이 연구들은 모두 데이터에 균질성이 부족하다는 결론을 내렸는데, 이는 검사된 직물의 알려지지 않은 이상 현상 때문일 수도 있고, 서로 다른 실험실에서 사용한 사전 검사 세척 과정의 차이 때문일 수도 있다. 가장 최근의 분석(2020년)에서는 "그림에 표시된 대로 취리히와 투손의 데이터가 88 RCY만큼 위쪽으로 이동한다면 모든 결과가 관찰된 불확실성 내에서 일치할 것이다. 실제로, "조정"의 크기가 ~10 RCY만큼 작더라도, 데이터의 불확실성이 변하지 않는다고 가정하면 카이제곱 검정 분석은 통계적 균질성을 확인할 것이다"라는 결론을 얻었다.[133][134][135][16]
4. 2. 재료 역사학적 분석
1998년 조 니켈(Joe Nickell) 박사는 토리노 수의의 헤링본 직조가 예수 시대에는 존재할 수 없는 것이라는 사실을 밝혀내었다. 이 시기의 직조는 주로 특정 무늬가 없는 것들 뿐이었다.[166][167] 2000년에 예루살렘에서 1세기것으로 보이는 수의가 발견되었으나, 이는 두 방향으로만 이루어진 직조로 발견되었으며, 이는 토리노 수의의 헤링본 직조와는 완전히 다른 형태였다. 이를 통해, 토리노 수의는 예수 시대 것이 아님이 증명되었다.[168][169][111]2000년에는 예루살렘 근처 무덤에서 1세기 매장용 수의 조각들이 발견되었는데, 유대교 대제사장이나 귀족의 것으로 여겨진다. 이 발견을 바탕으로 연구원들은 토리노 수의가 예수 시대 예루살렘에서 유래한 것이 아니라는 결론을 내렸다.[42][41][40]
토리노의 수의가 위조품이라는 주장은, 기독교 시대 유적에서 발굴된 천의 단순한 직조 방식과 달리 복잡한 직조 방식을 하고 있다는 점[156] 등을 근거로 한다.
4. 3. 생물학적 분석
2015년, 이탈리아의 과학자 바르카치아(Barcaccia)와 그의 동료들은 새로운 연구 결과를 발표했다. 이들은 1977년과 1988년에 수의를 진공청소기로 빨아들였을 때 채취한 인간과 비인간 DNA를 분석했다.[173] 그 결과 지중해 연안 국가, 중앙유럽, 북아프리카, 중동, 동아시아(중국), 아메리카 등지에 서식하는 식물 19종의 흔적이 발견되었다. 인간 미토콘드리아 DNA(mtDNA) 서열 중에는 유럽, 북아프리카, 동아프리카, 중동, 인도 등 다양한 민족과 지리적 지역의 특징적인 해플로그룹(haplogroup)에 속하는 서열이 발견되었다.[173]수의에서 발견된 꽃가루와 먼지의 DNA를 분석한 결과, 여러 지역의 다양한 사람들이 수의와 접촉했음이 확인되었다. 과학자들은 "이러한 다양성은 유럽에서 중세에 제작되었다는 가능성을 배제하지 않지만, 수의가 근동에서 온 것으로 추정되는 여정 동안 거쳐 왔을 역사적 경로와도 일치한다. 게다가 이 결과는 아마포 천의 인도 제작 가능성을 제기한다."라고 설명했다.[96]
2011년 볼로냐 대학교(University of Bologna)의 살바토레 로루소(Salvatore Lorusso) 등은 1931년 주세페 엔리에(Giuseppe Enrie)가 찍은 사진의 네거티브를 포함한 수의 사진 두 장을 정교한 최신 디지털 영상 처리 기술로 분석했지만, 어떤 사진에서도 꽃이나 동전 또는 기타 다른 이미지는 발견되지 않았다.[97]
수의에는 혈흔으로 보이는 여러 개의 붉은 얼룩이 있지만, 이 얼룩이 이미지와 동시에 생성되었는지, 아니면 그 이후에 생긴 것인지는 불확실하다.[39] 이 혈흔에서는 산화철이 발견되지 않아 실제 혈흔이 아닌 중세 시대의 물감인 것으로 밝혀졌다. 또한, 혈흔 자국이 실제 피가 흐르는 자국과는 전혀 다르다는 것이 밝혀져 중세 시대의 작품으로 추정된다.[170][171] 회의론자들은 수의의 진위 여부에 이의를 제기하는 법의학적 혈액 검사 결과를 인용하며, 혈액이 수의를 다룬 사람의 것일 가능성과 수의에 나타난 혈흔의 흐름이 비현실적으로 깔끔하다는 점을 지적한다.[98][37][36]
4. 4. 영상 분석
1976년, 물리학자 존 P. 잭슨, 열역학자 에릭 점퍼, 사진가 윌리엄 모턴은 항공우주 과학에서 개발된 영상 분석 기술을 사용하여 수의 이미지를 분석했다.[116] 이들은 NASA 영상 장비를 사용하여 수의 이미지 사진을 분석하고 3차원 이미지로 해독했다.[131] 그러나 광학 물리학자이자 STURP의 전 회원인 존 디 저먼은 3차원적 특성을 지닌 사진을 만드는 것이 어렵지 않다는 점을 지적했다. 촬영 대상이 정면에서 조명되고 카메라와 피사체 사이에 어떤 종류의 비반사성 "안개"가 존재한다면, 렌즈에서 더 멀리 떨어진 피사체 부분에 도달하여 반사되는 빛이 줄어들어 거리에 따라 달라지는 명암이 생성되기 때문이다.[34]1978년, 조반니 탐부렐리는 CSELT에서 점퍼와 모턴보다 더 높은 해상도로 성의 3D 영상을 제작했다. 탐부렐리의 두 번째 연구 결과는 얼굴을 덮고 있는 것으로 보이는 혈흔을 이미지에서 전자적으로 제거한 것이었다.[47]
수의의 정면 이미지는 1.95m 길이이며, 2.02m 길이의 후면 이미지와 정확히 같은 크기는 아니다.[95] 이미지 분석 결과, 수의가 1.75m 길이의 시신을 감싸는 데 사용되었다는 사실과 호환되는 것으로 나타났다.[95]
이 이미지는 일본의 얼굴 인쇄 예술인 오시구마와 비교할 수 있다. 또한, 대상의 외모는 비잔틴 이콘과 일치한다.[33][93]
수의 천은 약 0.15 mm의 공칭 직경을 가진 실로 짜여 있으며, 직경이 약 10~20 μm인 아마 섬유로 구성되어 있다.[147][89]
수의 이미지는 섬유의 반투명하고 불연속적인 노란색 변색으로 인한 희미하고[147] 표면적인 이미지이다.[147][89] 이미지가 있는 부분에서는 변색이 천 실의 최상부에 있는 2~3개의 섬유에만 영향을 미친다.[147][89] 각 섬유에서 노란색 변색은 외부 세포층에 200 nm만 침투한다.[89]
섬유가 전체 길이에 대해 색이 입혀지는 것은 아니지만, 색이 입혀진 부분에서는 원통형 표면 전체에 색이 입혀지는 특성을 가지고 있다.[89]
짜임새의 교차된 실 아래에는 이미지가 없다.[89]
변색은 일종의 탈수 산화 과정으로 인한 것으로 보이며, 이 과정에서 특정 표면 섬유의 표면이 변색되고 화학적으로 변형되었다.[147][148]
수의 이미지는 어두운 정도가 색상의 변화에 의해 결정되는 것이 아니라(색상은 이미지 전체에 걸쳐 거의 일정함), 단위 면적당 노란색 섬유의 수의 변화에 의해 결정된다는 점에서 면적 밀도 이미지이다.[147][89] 따라서 반톤 이미지로 간주할 수 있다.[147] 또한, 이미지의 앞면과 뒷면 사이에 섬유 착색 분포와 최대 밀도 측면에서 차이가 없다.[147]
혈흔 이미지는 접촉 메커니즘으로 인한 것일 수 있지만, 신체 이미지는 그렇지 않다. 신체 이미지 밀도와 예상되는 천-신체 거리 사이의 매핑은 신체와의 직접 접촉에 의해 형성된 이미지와 일치하지 않는다. 왜냐하면 천이 신체와 접촉할 수 없는 것처럼 보이는 경우에도 이미지가 존재하기 때문이다.[148]
4. 5. 이미지 생성 가설
월터 맥크론은 토리노 수의의 시신 이미지가 젤라틴 템페라에 희석된 적색 오커(일종의 산화철) 안료로 그려졌으며, 이는 14세기 시모네 마르티니 등 유럽 예술가들이 사용한 그리자이유 기법과 유사하다고 결론지었다.[44] 또한 이미지의 "혈흔"은 콜라겐 템페라 매체에서 주홍색(황화수은으로 만든 밝은 빨간색 안료)으로 강조되었다고 밝혔다.[44] 맥크론은 토리노 수의 샘플에 실제 혈흔이 없다고 보고했다.[44]존 헬러와 앨런 애들러는 산화철이 천에 포함되어 있다는 맥크론의 결과에는 동의했지만, 화학 물질의 순도와 다른 고대 직물과의 비교를 통해 아마 썩히기 과정에서 아마가 철을 선택적으로 흡수하지만, 철 자체가 토리노 수의 이미지의 원인이 아니라고 주장했다.[115]
1976년 과학자들은 NASA 영상 장비를 사용하여 수의 이미지 사진을 분석, 3차원 이미지로 디코딩했다.[131] 그러나 광학 물리학자이자 STURP의 전 회원인 존 디 저먼은 정면에서 조명하고 카메라와 피사체 사이에 비반사성 "안개"가 있다면 렌즈에서 멀리 떨어진 피사체 부분에 도달하여 반사되는 빛이 줄어들어 거리에 따라 명암이 생긴다는 점을 들어 3차원적 특성을 지닌 사진을 만드는 것이 어렵지 않다고 지적했다.[34]
이 이미지는 일본의 얼굴 인쇄 예술인 오시구마와 비교되기도 한다. 또한, 대상의 외모는 비잔틴 이콘과 일치한다.[33][93]
수의 이미지는 섬유의 반투명하고 불연속적인 노란색 변색으로 인한 희미하고[147] 표면적인 이미지이다.[147][89] 이미지 부분에서 변색은 천 실 최상부 2~3개 섬유에만 영향을 미치며,[147][89] 각 섬유에서 노란색 변색은 외부 세포층에 200 nm만 침투한다.[89] 섬유 전체 길이에 색이 입혀지는 것은 아니지만, 색이 입혀진 부분에서는 원통형 표면 전체에 색이 입혀진다.[89] 짜임새의 교차된 실 아래에는 이미지가 없다.[89] 변색은 탈수 산화 과정으로 인한 것으로 보이며, 특정 표면 섬유의 표면이 변색되고 화학적으로 변형되었다.[147][148]
수의 이미지는 어두운 정도가 색상의 변화가 아닌, 단위 면적당 노란색 섬유 수의 변화에 의해 결정된다는 점에서 면적 밀도 이미지이며,[147][89] 반톤 이미지로 간주할 수 있다.[147] 이미지의 앞면과 뒷면 사이에 섬유 착색 분포와 최대 밀도 차이는 없다.[147] 혈흔 이미지는 접촉으로 인한 것일 수 있지만, 신체 이미지는 그렇지 않다. 신체 이미지 밀도와 예상되는 천-신체 거리 사이의 매핑은 신체와의 직접 접촉으로 형성된 이미지와 일치하지 않는다. 천이 신체와 접촉할 수 없는 경우에도 이미지가 존재하기 때문이다.[148]
토리노의 수의가 위조품이라는 주장은 “시신을 쌌던 천에 형상이 비친다”는 기적적인 사건이 성서에 언급되지 않았다는 점, 성서 시대 유대인의 매장 관습과 반한다는 점, 기독교 시대 유적에서 발굴된 천과 달리 복잡한 직조 방식을 하고 있다는 점[156] 등을 근거로 한다.
5. 종교적 관점
마태오,[6] 마르코,[7] 루카[8]에는 아리마태아의 요셉이 예수의 시신을 "신돈(sindon)"이라는 아마포 수의로 싸서 새 무덤에 안치했다고 기록되어 있다. 요한 복음서는 그가 "오토니아(othonia)"라는 아마포 천을 사용했다고 말한다.[9] 부활 후 요한 복음서[10]는 시몬 베드로가 무덤에서 아마포 천[오토니아]과 예수의 머리를 쌌던 수건이 따로 놓여 있는 것을 보았다고 기록한다. 루카 복음서[11]는 베드로가 무덤에서 아마포 천[오토니아]이 저절로 놓여 있는 것을 보았다고 전한다.
예수의 매장포로 여겨지는 조각들은 프랑스의 최소 네 개의 교회와 이탈리아의 세 개의 교회에서 보관하고 있지만, 토리노 수의만큼 많은 종교적 추종자들을 모은 것은 없다.[67] 수의와 관련된 종교적 신념과 관행은 역사적·과학적 논의보다 앞서 존재했으며 21세기에도 계속되고 있다.[66] 토리노 수의는 침례교, 가톨릭, 루터교, 감리교, 정교회, 오순절교, 장로교 등 여러 전통의 기독교인들에게 존중받고 있다.[109] 여러 루터교 교회에서는 교육적이고 헌신적인 목적으로 토리노 수의 복제품을 전시해왔다.[64][63]
5. 1. 교황청의 입장
1389년, 트루아의 주교는 대립교황 클레멘스 7세에게 수의가 "기발한 방식으로 인공적으로 그려진 것"이며 "그것을 그린 화가에 의해서도 인간의 손으로 만들어진 것이며 기적으로 만들어진 것이 아님이 증명되었다"고 선언했다.[13] 1390년, 클레멘스 7세는 네 개의 교황령을 발표하여 수의 전시를 허용했지만, "모든 사기를 종식시키기 위해, 앞서 언급된 형상이 우리 주 예수 그리스도의 진정한 수의가 아니라 수의를 나타내거나 모방하기 위해 만들어진 그림이나 패널임을 크게 말하라"고 명령했다.[13] 그러나 1506년, 교황 율리우스 2세는 이러한 입장을 뒤집고 수의의 진위를 선언하고 자체 미사와 예식으로 공개적인 숭배를 허가했다.[60]바티칸 신문 ''로세르바토레 로마노''는 1898년 5월 28일 세콘도 피아의 사진에 대한 이야기를 1898년 6월 15일 자 판에서 다루었지만, 아무런 논평 없이 그렇게 했고, 그 후 거의 반세기 동안 교회 관계자들은 일반적으로 사진에 대해 공식적으로 논평하는 것을 삼갔다.
1940년 수녀 마리아 피에리나 드 미켈리가 밀라노의 구리아에 수의 형상이 새겨진 메달 제작 허가를 공식적으로 요청했다. 허가가 승인되었고, 그 형상이 새겨진 최초의 메달이 교황 비오 12세에게 바쳐졌으며, 교황은 메달을 승인했다. 1958년 교황 비오 12세는 예수의 성면에 대한 경건과 관련하여 그 형상을 승인하고, 축일을 재의 수요일 전날 매년 기념하도록 선포했다.[59][58]
1936년, 교황 비오 12세는 수의를 "아마도 다른 어떤 것과도 같은 신성한 것"이라고 불렀고,[122] 예수의 성면으로서 그에 대한 신앙 행위를 승인했다.[57]
1983년, 수의는 사보이 왕가에 의해 교황청에 기증되었다.[108] 그러나 이와 같은 모든 성물과 마찬가지로, 로마 가톨릭 교회는 그 진위 여부에 대해 아무런 선언도 하지 않았다.
1998년, 교황 요한 바오로 2세는 수의를 "뛰어난 성물"이자 "복음의 거울"이라고 불렀다.[56][55] 그는 1998년 5월 24일 일요일 토리노 대성당에서의 연설(세콘도 피아의 1898년 5월 28일 사진 100주년 기념)에서 다음과 같이 말했다. "수의는 인간의 죄뿐만 아니라 하느님의 사랑의 이미지입니다… 십자가에 못 박힌 자의 고통받는 몸이 남긴 자국은 인간이 동료 인간에게 고통과 죽음을 초래할 수 있는 엄청난 능력을 증명하는 것으로, 모든 시대의 무고한 자들의 고통의 성화로 남아 있습니다."[51] 1998년과 2000년에 공개 전시를 마련했다.
그의 후계자인 교황 베네딕토 16세는 그것을 "채찍질을 당하고, 가시관을 쓰고, 십자가에 못 박히고, 오른쪽 옆구리가 찔린 한 남자의 피로 쓰여진 성화"라고 불렀다.[122] 2013년, 교황 프란치스코는 그것을 "채찍질을 당하고 십자가에 못 박힌 한 남자의 성화"라고 언급했다.[122] 2013년 3월 30일, 부활절 행사의 일환으로 토리노 대성당에서 수의가 전시되었다. 교황 프란치스코는 그 행사를 위해 영상 메시지를 녹화하여 수의에 있는 형상을 "한 남자의 성화"라고 묘사하고 "수의의 사람은 우리에게 나자렛 예수를 묵상하도록 초대한다"고 말했다.[107][106] 신중하게 말한 그의 성명에서 교황 프란치스코는 신자들에게 경외심으로 수의를 묵상하도록 촉구했지만, "그 진위 여부를 단호하게 주장하지 않았습니다".[106]
교황 프란치스코는 2015년 6월 21일 성수의 앞에서 기도하고 숭배하고 성 요한 보스코의 탄생 200주년을 기념하기 위해 토리노로 순례를 떠났다.[50][49][48]
5. 2. 한국 개신교의 입장
한국 개신교는 우상 숭배를 경계하는 입장을 취하며, 토리노 수의에 대해서도 회의적인 시각을 가지고 있다. 장 칼뱅(John Calvin)은 그의 저서 ''유물론 논고(Treatise on Relics)''에서 토리노 수의가 진품일 수 없는 이유를 설명했다.[12]칼뱅은 요한 복음사가가 언급한 예수의 매장 방식과 토리노 수의의 형태가 다르다는 점을 지적했다. 요한 복음서에 따르면, 예수는 "유대인들의 매장 풍습대로" 매장되었는데, 이는 시신을 어깨까지 감싸고 머리는 따로 수건으로 묶어 네 귀퉁이를 매듭으로 묶는 방식이었다. 그러나 토리노 수의는 머리를 포함한 온몸을 덮는 큰 아마포 조각으로, 온전한 시신의 형상을 나타낸다. 칼뱅은 이를 근거로 토리노 수의가 진품이 아니라고 주장했다.[12]
6. 논란과 반론
토리노의 수의는 발견된 이후로 진품이라고 믿어져 왔지만, 위조품이거나 오인이라는 주장도 꾸준히 제기되어 왔다. 특히 일반에 공개될 때마다 전문가들의 과학적 조사가 이루어졌다.
위조품이라는 주장은 다음과 같은 근거를 바탕으로 한다.
- 성서 기록과의 불일치: 성서에는 “시신을 쌌던 천에 형상이 비친다”는 기적적인 사건이 언급되지 않았다.
- 유대인의 매장 관습과의 차이: 성서 시대 유대인들은 머리와 몸통을 다른 천으로 쌌는데, 수의는 그렇지 않다.[156]
- 직조 방식의 차이: 기독교 시대 유적에서 발견된 천은 단순한 직조 방식인 반면, 수의는 복잡한 직조 방식을 사용한다.[156]
- 얼굴 생김새: 수의 속 인물은 백인의 특징을 가지고 있어, 성서 시대 팔레스타인 사람의 얼굴과 다르다.
- 혈흔의 부자연스러움: 법의학적 조사 결과, 시체를 그대로 쌌다고 보기에는 혈흔이 부자연스럽게 묻어 있다.[157]
1988년에는 옥스퍼드 대학교, 애리조나 대학교, 스위스 연방 공과대학교에서 방사성 탄소 연대 측정법을 통해 수의의 연대를 측정했다. 그 결과, 수의는 1260년에서 1390년 사이 중세 시대에 만들어진 것으로 추정되었다. 이 결과와 더불어, 수의를 소유했던 샤르니 가문이 템플 기사단과 관련이 있다는 점, 수의 속 인물과 템플 기사단 마지막 총장 자크 드 몰레의 초상화가 비슷하다는 점 등을 근거로, 수의가 자크 드 몰레의 매장 천이라는 주장도 제기되었다.[158]
그러나 이 연대 측정 결과는 여러 반론에 직면했다.
- 표본 선정 문제: 과거 수리 과정에서 추가된 부분이나, 일반 공개 시 맨손으로 만졌던 부분이 측정에 사용되었을 가능성이 제기되었다.
- 바이오 플라스틱 막: 1995년 캘리포니아 산 안토니오 대학교의 조사에서 수의에 박테리아가 생성한 바이오 플라스틱 막이 발견되었고, 이것이 연대 측정 결과에 오차를 유발했을 수 있다는 주장이 나왔다.
- 바닐린: 로스앨러모스 국립 연구소의 조사에 따르면, 1988년에 조사된 천 부분에는 바닐린이 포함되어 있었으며, 이 부분은 화재로 인해 수리된 부분이었다. 바닐린이 포함되지 않은 부분은 BC 1300년에서 3000년 전의 천일 가능성이 제기되었다. 또한, 수의의 바느질 방법은 사해 연안 마사다 유적에서 발견된 천과 유사한 독특한 방식이었다.
하지만, 이러한 반론들은 과학적으로 반박되었다. 예를 들어, 중세 시대 수리 부분이나 생물 오염이 연대 측정에 영향을 미치려면 육안으로도 확인 가능한 수준(두께 0.3mm)의 오염이 있어야 하는데, 이는 사실과 다르다는 것이다.
진품설을 뒷받침하는 자료로는 천에 비친 네거티브 형태 전신상의 독특한 색 농담, 붓자국 없음, 이미지의 표면성 등이 과학적으로 설명 및 재현이 불가능하다고 주장되기도 하지만, 중세 시대에 구할 수 있는 재료로 여러 재현 실험이 진행되었고, 비슷한 도상도 작성되고 있다.
6. 1. 옹호론
일부 옹호론자들은 에데사의 왕 아브갈이 나병에서 치유되었다는 기록 이후, 성의가 에데사에 홍수가 나면서 다시 나타났고, 동로마 황제가 군대를 보내 콘스탄티노플로 옮긴 944년까지 성소에 보관되었다고 주장한다. 이후 1204년까지 콘스탄티노플에 소장되었다고 주장하며, 1204년 4차 십자군이 콘스탄티노플을 침략했을 때 프랑스 기사 로버트 드 클래리가 그리스도의 모습이 담긴 수의를 보았다고 기록했지만, 도시 함락 후 수의는 사라졌다고 한다. 이들은 1205년 4차 십자군의 기사 오손 드 라 로쉬가 수의를 아테네로 옮겼고, 1353년 오손의 먼 후손 잔느 드 베르지가 리레이에서 처음으로 수의를 소장하고 있던 제프리 드 샤네이와 결혼해서 공동 소유했으며, 샤네이의 후손들이 1452년에 수의의 소유권을 사보이아 가문에게 넘겼다고 주장한다. 그러나 이 기록에서 나타난 수의가 토리노 수의와 동일하다는 근거는 없다.[155]6. 2. 반론
1988년 옥스퍼드 대학교(University of Oxford), 애리조나 대학교(University of Arizona), 스위스 연방 공과대학교(ETH Zürich)에서 실시한 방사성 탄소 연대 측정법(탄소14법 연대 측정) 결과, 토리노 수의의 직조 시기는 1260년부터 1390년 사이, 즉 중세 시대로 추정되었다.[158] 그러나 이 결과는 여러 반론에 직면했다.- 샘플 오염 가능성: 과거 수리 작업 시 추가된 부분이나, 일반 공개 시 맨손으로 만졌던 부분이 샘플로 사용되었을 가능성이 제기되었다.
- 생물 오염: 1995년 캘리포니아 산 안토니오 대학교(University of the Incarnate Word)의 조사에서 수의에 박테리아가 생성한 바이오 플라스틱 막이 발견되었고, 이것이 연대 측정 결과에 오차를 유발했을 수 있다는 주장이 나왔다.
- 바닐린 함유: 로스앨러모스 국립 연구소(Los Alamos National Laboratory) 조사 결과, 1988년 조사된 천 부분에는 바닐린(vanillin)이 포함되어 있었으며, 이 부분은 화재로 인해 수리된 부분이었다. 바닐린이 없는 부분은 BC 1300년에서 3000년 전의 천일 가능성이 제기되었다. 또한, 수의의 바느질 방법은 사해 연안 마사다(Masada) 유적에서 발견된 천과 유사한 독특한 방식이었다.
이러한 반론들은 과학적으로 반박되었다. 예를 들어, 중세 시대 수리 부분이나 생물 오염이 연대 측정에 영향을 미치려면 육안으로도 확인 가능한 수준(두께 0.3mm)의 오염이 있어야 하는데, 이는 사실과 다르다.
토리노 수의가 중세 시대에 제작되었다는 증거는 다음과 같다.
참조
[1]
웹사이트
Why Shroud of Turin's Secrets Continue to Elude Science
https://www.national[...]
2023-08-06
[2]
뉴스
The $1m challenge: 'If the Turin Shroud is a forgery, show how it was done'
https://www.theguard[...]
2023-08-06
[3]
서적
La Conquête de Constantinople
https://archive.org/[...]
[4]
서적
Three Old French Chronicles of the Crusades
University of Washington
2023-08-27
[5]
뉴스
Shroud of Turin Given to Vatican by Former King of Italy
https://www.washingt[...]
2022-03-10
[6]
성경
[7]
성경
[8]
성경
[9]
성경
[10]
성경
[11]
성경
[12]
문서
An Admonition showing, the Advantages which Christendom might derive from an Inventory of Relics
[13]
웹사이트
Gli scienziati credono nel dubbio- Torino LASTAMPA.it
http://www3.lastampa[...]
2021-06-02
[14]
성경
[15]
서적
The Oxford Companion To Archaeology
Oxford University Press
[16]
웹사이트
How old is the Turin Shroud?
https://www.chemistr[...]
2020-02-19
[17]
서적
Biblical Exegesis and Church Doctrine
https://books.google[...]
Wipf & Stock
2022-09-11
[18]
학술지
The Ongoing Historical Debate About the Shroud of Turin: The Case of the Pray Codex
https://onlinelibrar[...]
2021-09
[19]
웹사이트
Comments On The Restoration
http://www.shroud.co[...]
Shroud.com
2010-03-04
[20]
서적
The Shroud of Turin: The History and Legends of the World's Most Famous Relic
https://www.baylorpr[...]
Baylor University Press
2019
[21]
웹사이트
The Turin Shroud Body Image: The Scorch Hypothesis Revisited
http://shroudofturin[...]
2016-06-06
[22]
학술지
Image Formation and the Shroud of Turin
[23]
서적
The Turin Shroud and the Crystal Lens
Empowerment Technologies Pty. Ltd.
[24]
학술지
A reappraisal of late thirteenth-century responses to the Shroud of Lirey-Chambéry-Turin: encolpia of the Eucharist, vera eikon or supreme relic?
[25]
학술지
Is the Shroud of Turin the first recorded photograph?
1993-11-11
[26]
문서
The methods and techniques employed in the manufacture of the Shroud of Turin
https://researchspac[...]
[27]
학술지
Verification of the Nature and Causes of the Photo-negative Images on the Shroud of Lirey-Chambéry-Turin
https://doi.org/10.1[...]
1995-04-01
[28]
웹사이트
Remaking the Shroud
http://channel.natio[...]
2016-06-06
[29]
학술지
Letter to the Editor Comments on 'Life-Size Reproduction of the Shroud of Turin and Its Image' by L. Garlaschelli
[30]
문서
Scientific Comparison between the Turin Shroud and the First Handmade Whole Copy
http://www.acheiropo[...]
[31]
학술지
Life-size Reproduction of the Shroud of Turin and its Image
2010
[32]
서적
Judgment day for the Shroud of Turin
Prometheus Books
[33]
서적
Biblical Exegesis and Church Doctrine
Paulist Press
[34]
웹사이트
On the Visibility of the Shroud Image
http://www.ohioshrou[...]
2016-06-06
[35]
학술지
A BPA Approach to the Shroud of Turin
2018-07-10
[36]
간행물
Wiener Berichte uber Naturwissenschaft in der Kunst
1987-1988
[37]
뉴스
The Shroud of Turin: Medical examiners disagree
Medical World News
1980-12-22
[38]
웹사이트
Initial Examination – 1979
http://mcri.org/home[...]
2013-06-16
[39]
논문
Blood on the Shroud of Turin
1980-08-15
[40]
뉴스
Shroud of Turin Not Jesus', Tomb Discovery Suggests
http://news.national[...]
2009-12-19
[41]
뉴스
'Jesus-era' burial shroud found
http://news.bbc.co.u[...]
2009-12-16
[42]
뉴스
DNA of Jesus-era shrouded man in Jerusalem reveals earliest case of leprosy
http://www.physorg.c[...]
2009-12-16
[43]
간행물
Materials Evaluation
1982
[44]
논문
The Shroud of Turin: Blood or Artist's Pigment?
http://www.mccronein[...]
1990
[45]
논문
ACS Award in Analytical Chemistry
2000-01-24
[46]
뉴스
Why Shroud of Turin's Secrets Continue to Elude Science
https://web.archive.[...]
National Geographic
2015-04-17
[47]
논문
Some Results in the Processing of the Holy Shroud of Turin
1981-11
[48]
웹사이트
Pope will visit Shroud of Turin, commemorate birth of St. John Bosco
http://ncronline.org[...]
2014-11-05
[49]
웹사이트
Pope Francis to Venerate Famed Shroud of Turin in 2015
http://www.cruxnow.c[...]
2014-11-06
[50]
웹사이트
Pope Francis to pray before the Holy Shroud in Turin
http://www.romerepor[...]
2014-11-05
[51]
연설
Address in Turin Cathedral
https://www.vatican.[...]
1998-05-24
[52]
웹사이트
Address of John Paul II
https://www.vatican.[...]
1998-05-24
[53]
뉴스
Pope John Paul II's visit to the Shroud of Turin
Pittsburgh Post-Gazette
1998-05-25
[54]
서적
OSV's encyclopedia of Catholic history
Our Sunday Visitor
2004
[55]
웹사이트
Pastoral Visit of His Holiness John Paul II to Vercelli and Turin, Italy, 23–24 May 1998
https://www.vatican.[...]
1998-05-24
[56]
웹사이트
Pope Francis and the Shroud of Turin – National Catholic Reporter
http://ncronline.org[...]
2013-04
[57]
서적
Saintly Men of Modern Times
Our Sunday Visitor
2003
[58]
서적
Saintly Men of Modern Times
Our Sunday Visitor
2003
[59]
서적
Mother Maria Pierina
Cenacle Publishing
1999
[60]
백과사전
Shroud of Turin (relic)
Encyclopædia Britannica
2010-12-28
[61]
논문
The Cult of Images in the Age before Iconoclasm
1954
[62]
서적
The Holy Man of Tours
TAN Books and Publishers
2009
[63]
뉴스
Replica Shroud of Turin on display at St. Matthew
http://galenagazette[...]
Galena Gazette
2014-04-08
[64]
뉴스
Shroud of Turin replica on exhibit at St. Peter's Lutheran Church
https://www.thehour.[...]
2015-10-07
[65]
서적
Encyclopedia of Catholic Devotions and Practices
Our Sunday Visitor
2002
[66]
서적
Encyclopedia of Catholic Devotions and Practices
Our Sunday Visitor
2002
[67]
서적
Relics
1984
[68]
뉴스
Turin Shroud goes back on display at city's cathedral
https://www.bbc.com/[...]
2015-04-19
[69]
웹사이트
Turin Shroud shown live on Italy TV
https://www.bbc.co.u[...]
2013-03-30
[70]
웹사이트
To see the Shroud : 2M and counting
http://www.zenit.org[...]
2010-05-05
[71]
뉴스
Shroud of Turin Saved From Fire in Cathedral
https://www.nytimes.[...]
1997-04-12
[72]
서적
Architecture for the shroud: relic and ritual in Turin
[73]
서적
La Sindone dei Vangeli (Sindon Evangelica). Componimenti poetici sulla Sindone. Bolla di papa Giulio II (1506). Pellegrinaggio di S. Carlo Borromeo a Torino (1578)
[74]
서적
Architecture for the shroud: relic and ritual in Turin
University of Chicago Press
[75]
서적
The Sacred Shroud
Pocket Books
[76]
뉴스
Turin shroud 'older than thought'
http://news.bbc.co.u[...]
2005-01-31
[77]
웹사이트
Il Codice Pray
http://sindone.weebl[...]
[78]
서적
Relics
https://archive.org/[...]
Our Sunday Visitor
1984
[79]
서적
Architecture for the shroud: relic and ritual in Turin
University of Chicago Press
[80]
웹사이트
How Tall is the Man on the Shroud?
http://www.shroudoft[...]
2009-04-12
[81]
서적
The orphaned manuscript: a gathering of publications on the Shroud of Turin
Effata Editrice IT
[82]
뉴스
Is It a Fake? DNA Testing Deepens Mystery of Shroud of Turin
https://www.livescie[...]
2018-04-09
[83]
서적
The Encyclopedia of Christian Civilization
Wiley-Blackwell
[84]
학술지
The Remarkable Metrological History of Radiocarbon Dating
[85]
학술지
Material witness: Shrouded in mystery
[86]
서적
The Shroud
Random House
[87]
웹사이트
Turin Shroud: full text of Pope Francis' comments
https://www.telegrap[...]
2013-03-30
[88]
서적
A Chemist's Perspective On The Shroud of Turin
https://books.google[...]
Lulu Press, Inc.
2008
[89]
학술지
Microscopic and Macroscopic Characteristics of the Shroud of Turin Image Superficiality
[90]
뉴스
Turin Shroud Confirmed as Fake
http://www.physorg.c[...]
2005-06-21
[91]
학술지
The Turin Shroud: Fake? Fact? Photograph?
[92]
학술지
Physical Properties of Silver Halide Microcrystals
1974
[93]
서적
Biblical Exegesis and Church Doctrine
https://books.google[...]
Wipf & Stock Publishers
[94]
웹사이트
The Shroud of Turin: The Great Gothic Art Fraud
Internet Infidels
2010-05-06
[95]
학술지
Turin Shroud: Compatibility Between a Digitized Body Image and a Computerized Anthropomorphous Manikin
2010
[96]
학술지
Uncovering the sources of DNA found on the Turin Shroud
2015-10-05
[97]
간행물
The Shroud of Turin between history and science: an ongoing debate
https://www.academia[...]
University of Bologna
[98]
웹사이트
shroud of Turin
http://www.skepdic.c[...]
2000-08-23
[99]
학술지
Investigating a Dated piece of the Shroud of Turin
[100]
학술지
Dating the Turin Shroud: An Assessment
https://journals.uai[...]
1990
[101]
학술지
The Shroud of Turin: Relic or Icon?
[102]
백과사전
[103]
학술지
Radiocarbon dating of the Shroud of Turin
https://escholarship[...]
1989-02-16
[104]
서적
Oxford English Dictionary
[105]
학술지
Le Linceul de Turin
[106]
뉴스
Pope Francis and the Turin Shroud: Making sense of a mystery
http://www.economist[...]
The Economist
2013-03-31
[107]
뉴스
Pope: "I join all of you gathered before the Holy Shroud"
http://www.news.va/e[...]
The Vatican Today
2013-04-03
[108]
서적
Voices, Visions, and Apparitions
OSV Publishing
1993
[109]
뉴스
A theological basis for sindonology & its ecumenical implications
Collegamento pro Sindone
2001
[110]
뉴스
Turin Shroud Going on TV, With Video From Pope
https://www.nytimes.[...]
New York Times
2013-03-29
[111]
서적
Inquest on the Shroud of Turin: Latest Scientific Findings
Prometheus Books
1998
[112]
학술지
Les sources de l'histoire du linceul de Turin. Revue critique
2009-12
[113]
학술지
Spectral properties of the Shroud of Turin
[114]
학술지
Ultraviolet fluorescence photography of the Shroud of Turin
1981-07
[115]
서적
Report on the Shroud of Turin
https://archive.org/[...]
Houghton Mifflin
1983
[116]
학술지
The Authentication of the Turin Shroud, An Issue in Archaeological Epistemology
[117]
웹사이트
The Shroud of Turin
https://c14.arch.ox.[...]
2008-03
[118]
웹사이트
Chemistry in the face of belief
https://www.chemistr[...]
2013-12-23
[119]
웹사이트
A Skeptical Response to ''Studies on the Radiocarbon Sample from the Shroud of Turin'' by Raymond N. Rogers
http://llanoestacado[...]
2005-03-14
[120]
서적
Radiocarbon Dating, Second Edition: An Archaeological Perspective
Routledge
2016
[121]
서적
Radiocarbon Dating, Second Edition: An Archaeological Perspective
Left Coast Press
2014
[122]
웹사이트
Pope Francis and the Shroud of Turin
https://www.ncronlin[...]
2013-04-01
[123]
웹사이트
Shroud of Turin {{!}} History, Description, & Authenticity
https://www.britanni[...]
2020-09-16
[124]
간행물
Formation of the Image on the Shroud of Turin
American Chemical Society
1983
[125]
학술지
Correlation of image intensity on the Turin Shroud with the 3-D structure of a human body shape
1984-07-15
[126]
학술지
Sampling error?
1991-07-18
[127]
웹사이트
Analytical Results On Thread Samples Taken From The Raes Sampling Area (Corner) of the Shroud Cloth
http://www.ohioshrou[...]
2008
[128]
서적
The Shroud of Turin
1999
[129]
학술지
Regression analysis with partially labelled regressors: carbon dating of the Shroud of Turin
2012-04-27
[130]
학술지
Discrepancies in the radiocarbon dating area of the Turin shroud
http://chemistry-tod[...]
2008-07-08
[131]
서적
Report on the Shroud of Turin
Houghton Mifflin
1983
[132]
학술지
Crucifixion Evidence Debunks Turin 'Shroud'
2018
[133]
학술지
Regression analysis with partially labelled regressors: carbon dating of the Shroud of Turin
Springer Science and Business Media LLC
2012-04-27
[134]
학술지
Radiocarbon Dating of the Turin Shroud: New Evidence from Raw Data
https://philarchive.[...]
Wiley
2019-03-22
[135]
학술지
An instructive inter-laboratory comparison: The 1988 radiocarbon dating of the Shroud of Turin
Elsevier BV
[136]
학술지
Studies on the radiocarbon sample from the shroud of turin
http://www.shroud.it[...]
2005-01-20
[137]
웹사이트
The 'Inscriptions' on the Shroud
https://www.shroud.c[...]
[138]
서적
Nouvelles découvertes sur le suaire de Turin
Albin Michel
1998
[139]
서적
L'immagine della Sindone, ricerca fotografica e informatica
Editrice Elle Di Ci
1997
[140]
서적
The dating of the Shroud from coins of Pontius Pilate
Cogan, Youngtown (Arizona)
1982
[141]
논문
The three-dimensional image of Jesus' burial cloth
Holy Shroud Guild
[142]
뉴스
Shroud of Turin – Mysteries of History
https://www.usnews.c[...]
U.S. News & World Report
2010-12-19
[143]
뉴스
Where Did the Shroud of Turin Originate? A Botanical Quest
Eretz Magazine
[144]
저널
Doubts Concerning the Coins Over the Eyes
[145]
뉴스
Death certificate is imprinted on the Shroud of Turin, says Vatican scholar
http://www.timesonli[...]
The Times
2010-10-24
[146]
뉴스
Jesus Christ's 'death certificate' found on Turin Shroud
http://www.telegraph[...]
The Telegraph
2009-11-20
[147]
저널
Physics and Chemistry of the Shroud of Turin, A Summary of the 1978 Investigation
https://www.shroud.c[...]
Elsevier BV
[148]
저널
A Comprehensive Examination of the Various Stains and Images on the Shroud of Turin
https://www.shroud.c[...]
J.B. Lambert
[149]
웹사이트
La Cattedrale Santa Sindone Sito ufficiale
http://www.sindone.o[...]
[150]
웹사이트
The Sudarium of Oviedo:Its History and Relationship to the Shroud of Turin The Shroud of Turin Website
https://www.shroud.c[...]
[151]
웹사이트
Sindone e Vangeli Santa Sindone Sito ufficiale
http://www.sindone.o[...]
[152]
웹사이트
Cos'è la Sindone Santa Sindone Sito ufficiale
http://www.sindone.o[...]
[153]
웹사이트
聖骸布の歴史 聖骸布(ガエタノ・コンプリ)
http://www.v-cimatti[...]
[154]
웹사이트
トリノの聖骸布、5年ぶりに一般公開 AFPBB News(2015年4月20日)
https://www.afpbb.co[...]
[155]
웹사이트
聖骸布の人物は誰か 聖骸布(ガエタノ・コンプリ)
http://www.v-cimatti[...]
[156]
웹사이트
世界最古のハンセン病患者は1世紀の男性、エルサレムで発見のミイラ AFPBB News(2009年12月17日)
https://www.afpbb.co[...]
[157]
저널
A BPA Approach to the Shroud of Turin
https://onlinelibrar[...]
2018-07-10
[158]
서적
封印のイエス―「ヒラムの鍵」が解くキリストのミステリー
学習研究社
1998-08
[159]
간행물
聖骸布の謎に迫る
ドン・ボスコ社
[160]
웹인용
이탈리아 토리노의 예수 수의 핏자국 절반은 가짜
https://www.yna.co.k[...]
연합뉴스
2021-03-03
[161]
웹인용
예수 고통 담은 ‘토리노의 수의’ 한국 온다
http://m.cpbc.co.kr/[...]
가톨릭평화신문
2021-03-03
[162]
웹인용
Pope Francis and the Shroud of Turin - National Catholic Reporter
http://ncronline.org[...]
2016-06-06
[163]
저널
Radiocarbon dating of the Shroud of Turin
2007-11-18
[164]
웹사이트
Radiocarbon Dating of the Shroud of Turin
http://www.shroud.co[...]
[165]
웹인용
How old is the Turin Shroud?
https://www.chemistr[...]
2020-02-19
[166]
뉴스
Turin Shroud Confirmed as Fake
http://www.physorg.c[...]
Agence France-Presse
2008-02-17
[167]
저널
The Turin Shroud: Fake? Fact? Photograph?
[168]
뉴스
DNA of Jesus-era shrouded man in Jerusalem reveals earliest case of leprosy
http://www.physorg.c[...]
Physorg.com
2009-12-16
[169]
뉴스
'Jesus-era' burial shroud found
http://news.bbc.co.u[...]
BBC News
2009-12-16
[170]
웹인용
A Skeptical Response to ''Studies on the Radiocarbon Sample from the Shroud of Turin'' by Raymond N. Rogers
http://llanoestacado[...]
2016-01-02
[171]
논문
The Shroud of Turin: Medical examiners disagree
Medical World News
1980-12-22
[172]
논문
The Shroud of Turin between history and science: an ongoing debate
https://www.academia[...]
University of Bologna
[173]
저널
Uncovering the sources of DNA found on the Turin Shroud
2015-10-05
본 사이트는 AI가 위키백과와 뉴스 기사,정부 간행물,학술 논문등을 바탕으로 정보를 가공하여 제공하는 백과사전형 서비스입니다.
모든 문서는 AI에 의해 자동 생성되며, CC BY-SA 4.0 라이선스에 따라 이용할 수 있습니다.
하지만, 위키백과나 뉴스 기사 자체에 오류, 부정확한 정보, 또는 가짜 뉴스가 포함될 수 있으며, AI는 이러한 내용을 완벽하게 걸러내지 못할 수 있습니다.
따라서 제공되는 정보에 일부 오류나 편향이 있을 수 있으므로, 중요한 정보는 반드시 다른 출처를 통해 교차 검증하시기 바랍니다.
문의하기 : help@durumis.com
