태풍 나리 (2007년)
"오늘의AI위키"의 AI를 통해 더욱 풍부하고 폭넓은 지식 경험을 누리세요.
1. 개요
태풍 나리 (2007년)는 2007년 9월 일본 오키나와 남동쪽 해상에서 발생하여, 9월 16일 대한민국 고흥군에 상륙한 태풍이다. 발생 초기에는 대한민국 남해상으로 진출할 것으로 예상되었으나, 서북서쪽으로 이동하며 급속도로 발달하여 오키나와를 통과하며 최성기를 기록했다. 이 태풍으로 인해 대한민국 제주특별자치도와 전라남도, 일본 오키나와현과 도호쿠 지방에 큰 피해가 발생했으며, 특히 제주도에는 기록적인 폭우가 쏟아졌다. 대한민국에서는 20명이 사망하고 652억 원의 재산 피해가 발생했으며, 일본에서도 3명이 사망하고 314억 엔의 피해가 발생했다.
더 읽어볼만한 페이지
- 2007년 태풍 - 태풍 미탁 (2007년)
2007년 9월에 발생한 태풍 미탁은 필리핀에서 발생하여 북상 중 하기비스와 후지와라 효과로 진로가 바뀌어 중국 상하이에 상륙 후 소멸했으며, 필리핀을 비롯한 동아시아 여러 지역에 강풍과 폭우 피해를 일으켰다. - 2007년 태풍 - 태풍 크로사 (2007년)
2007년 8월에 발생한 태풍 크로사는 925hPa의 중심 기압과 최대 풍속 51m/s의 세력으로 발달하여 대만과 중국 남부 지역에 큰 피해를 입혔다. - 2007년 일본 - 라이브 어스
라이브 어스는 케빈 월과 앨 고어가 주도하여 2007년 7월 7일 7개 대륙에서 열린 대규모 콘서트를 통해 지구 온난화의 심각성을 알리고 전 세계적인 행동 변화를 촉구한 프로젝트로, "S.O.S." 캠페인을 통해 개인의 소비 습관 변화와 기업 및 정치 지도자들의 기후변화 대응을 촉구했다. - 2007년 일본 - 후쿠다 야스오 내각
후쿠다 야스오 내각은 아베 신조 총리 사임 후 출범한 일본 내각으로, 정치 불신 해소와 정책 과제 해결을 목표로 했으나 여러 논란과 민주당과의 대연립 구상 실패 끝에 후쿠다 총리의 사임으로 막을 내린 일본 헌정 사상 최초의 부자 총리 내각이다. - 2007년 9월 - 2007년 FIFA U-17 월드컵
2007년 FIFA U-17 월드컵은 대한민국에서 개최되어 24개국이 참가, 나이지리아가 우승했으며, 대한민국은 조별 리그에서 탈락했고 토니 크로스, 매컬리 크리산투스 등의 수상자를 배출한 국제 축구 대회이다. - 2007년 9월 - 2007년 FIFA 여자 월드컵
2007년 FIFA 여자 월드컵은 중국에서 개최되어 독일이 우승했으며, 2008년 베이징 올림픽 UEFA 지역 예선을 겸하여 독일, 노르웨이, 스웨덴에게 올림픽 출전권이 주어졌다.
| 태풍 나리 (2007년) | |
|---|---|
| 기본 정보 | |
![]() | |
| 명칭 | 태풍 나리 (Falcon) |
| 태풍 정보 (JMA) | |
| 최대 풍속 | 50 m/s (100 노트) |
| 최저 기압 | 935 hPa |
| 태풍 정보 (JTWC) | |
| 해역 | 서태평양 |
| 최대 풍속 | 125 노트 |
| 최저 기압 | 929 hPa |
| 기간 | |
| 발생 | 2007년 9월 11일 |
| 온대 저기압 변질 | 2007년 9월 17일 |
| 소멸 | 2007년 9월 20일 |
| 존속 기간 | 3일 18시간 (9월 13일 15:00 ~ 9월 17일 9:00, 일본 기준) |
| 영향 | |
| 사망자 | 23명 (직접적인 원인) |
| 피해액 | 393,000,000 달러 (미화) |
| 영향 지역 | 일본 대한민국 |
| 기타 | |
| 관련 시즌 | 2007년 태평양 태풍 시즌 |
| 한국어 발음 (IPA) | /na.ɾi/ |
| 일본 정보 | |
| 종류 | 태풍 |
| 등급 | Cat 4 |
| 한국 정보 | |
| 종류 | 열대 |
| 해역 | 북서태평양 |
| 태풍 이름 | 200711 나리 (Nari) |
| 최대 크기 (직경) | 370 km |
| 인명 피해 (사망·실종) | 16명 |
| 10분 최대 풍속 (KMA) | 48 m/s |
| 최대 강풍 반경 (KMA) | 200 km |
2. 발생과 진로

태풍 나리는 2007년 9월 11일 일본 오키나와섬 남동쪽 먼 해상에서 발생하여 서북서진하며 급격히 발달했다. 발생 초기에는 대한민국 남해상으로 진출할 것으로 예상되었으나, 발생 24시간 만에 중심 기압 960 hPa, 강도 '강'의 태풍으로 빠르게 발달했다.
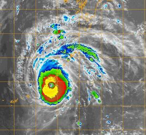
9월 14일 오후 9시, 일본 오키나와섬 남서쪽 약 70 km 부근 해상에서 중심 기압 935 hPa, 중심 부근 최대 풍속 50 m/s (100 kt)로 최성기를 기록했는데, 이는 2003년 태풍 매미에 버금가는 기록이다.
이후 북쪽으로 이동하여 9월 16일 정오 서귀포시 남쪽 20 km 부근 해상을 통과하고, 같은 날 저녁 전라남도 고흥군에 상륙했다. 9월 17일 자정 대한민국 기상청은 한반도 내륙에서 소멸했다고 발표했고, 다른 예보 기관들은 9월 17일 오전에 한반도 내륙을 빠져나와 동해 상에서 소멸했다고 발표했다.
2. 1. 발생 초기
2007년 9월 11일 경 일본 오키나와섬 남동쪽 먼 해상에서 나리가 될 열대저압부가 모습을 드러냈다. 지역특별기상센터는 태풍 발생 예보를 발표했고, 9월 13일에 '나리'는 태풍급 세력으로 발달했다.[1]발생 초기에 발표된 예보에서는 북서쪽으로 이동하다가 점차 북쪽으로 방향을 틀면서 대한민국 남해상으로 진출할 것으로 예상했고, 세력은 남해에 진출했을 때 중심 기압 990 hPa (강도 '약') 정도로 그리 크게 발달하지 못할 것으로 예상했다. 그러나 예보와는 달리 태풍은 서북서쪽으로 이동하면서 발생 24시간 만에 중심 기압 960 hPa, 강도 '강'의 태풍으로 급속도로 발달했다.[1]
태풍은 9월 14일 오후 9시에 일본 오키나와섬 남서쪽 약 70 km 부근 해상에 위치했는데, 이때 이 태풍의 세력은 중심 기압 935 hPa, 중심 부근 최대 풍속 50 m/s (100 kt)로 해석되어, 활동 기간 중 최고를 기록했다. 이는 2003년 대한민국에 130명이 넘는 인명 피해를 발생시킨 태풍 매미에 버금가는 기록이다.[1]
2. 2. 최성기
태풍 나리는 9월 14일 오후 9시에 일본 오키나와섬 남서쪽 약 70 km 부근 해상에서 중심 기압 935 hPa, 중심 부근 최대 풍속 50 m/s (100 kt)로 최성기를 기록했다.[1] 이는 2003년 대한민국에 큰 피해를 입힌 태풍 매미에 버금가는 위력이었다.[1]태풍의 직접적인 영향을 받은 구메 섬에서는 9월 15일 01시 26분에 1958년 통계 시작 이후 가장 강한 최대 순간 풍속인 62.8 m/s(남풍)를 기록했다.[16] 강풍역 반경이 최성기에도 190km로 작았지만, 중심 부근의 기압 경도가 매우 커서 중심 부근에서 맹렬한 바람이 불어 큰 피해가 발생했다.[16]
2. 3. 대한민국 상륙 및 소멸
태풍은 9월 16일 정오에 서귀포시 남쪽 20 km 부근 해상을 중심 기압 960 hPa, 중심 부근 최대 풍속 40 m/s의 강도 '강'의 세력으로 통과했다.[16] 같은 날 저녁 전라남도 고흥군에 상륙하여 한반도 남부 내륙 지역을 관통했다. 9월 17일 자정 대한민국 기상청은 한반도 내륙에서 소멸했다고 발표했고, 다른 예보 기관들은 9월 17일 오전에 한반도 내륙을 빠져나와 동해 상에서 소멸했다고 발표했다.[16]
3. 피해 상황
태풍 나리는 대한민국과 일본에 피해를 입혔다.
9월 14일, 일본항공은 오키나와를 오가는 14편의 항공편을 취소하여 약 5,300명에게 영향을 미쳤다.[2] 전일본공수는 54편, 류큐 에어 커뮤터는 24편, 스카이마크는 2편의 항공편을 취소했으며, 다음날 일본항공은 16편의 항공편을 추가로 취소했다. 약 21,000명의 승객이 나리로 인해 항공편 일정을 취소했다.[3]
태풍의 직접적인 영향을 받은 구메 섬에서는 15일 01시 26분에 1958년 통계 시작 이후 가장 강한 최대 순간 풍속인 62.8m/s(남풍)를 기록했다.
구메 섬에서는 최대 순간 풍속이 62.8m/s를 관측되어 바람으로 인한 큰 피해가 발생했다. 주택 피해는 전파 10건, 반파 18건, 일부 손괴 약 114건에 달했으며, 구청, 학교, 호텔의 창문 유리가 많이 깨졌다. 또한, 전주가 쓰러지거나 꺾이는 등 약 1,900세대가 정전되었으며, 사탕수수, 전조 국화, 소 축사 붕괴 등의 농축산물 피해와, 어업에서는 어선이 어항 도로까지 밀려나거나 하는 등 어선 약 14척이 파손되는 피해를 입었으며, 보리새우 양식장에서도 피해가 발생했다.
동해에서 일본 열도 북동부 부근에 정체된 장마 전선에, 태풍 11호 주변의 따뜻하고 습한 공기가 유입되면서 9월 15일부터 전선의 활동이 활발해졌다. 18일에는 태풍 11호에서 변질된 저기압이 동해의 전선을 따라 동쪽으로 이동하여 아키타현 앞바다에 도달했다.[19]
이로 인해 15일부터 18일에 걸쳐 도호쿠 지방 북부 (이와테현, 아키타현, 아오모리현)를 중심으로 기록적인 폭우가 쏟아졌다. 이 기간 총 강수량은 이와테현 하나마키시 도요사와에서 300mm, 아키타현 센보쿠시 요로이하타에서 289mm, 아오모리현 신고촌 토라이에서 216mm 등으로, 이와테현, 아키타현, 아오모리현 각지에서 9월 월 평균 강수량을 넘어섰다. 또한 24시간 강수량은 이와테현, 아키타현 내 총 23개 지점에서 관측 사상 최대를 기록했다.[19]
아키타현, 이와테현에서는 폭우로 불어난 하천으로의 추락 등으로 사망자 3명, 행방불명자 1명이 발생했으며, 아오모리현, 아키타현, 이와테현에서는 주택 파손, 침수 피해, 토사 재해 등이 발생했다. 벼 등의 침수, 과실 낙과 등 농업, 임업, 수산업 피해가 있었다. 또한 미야기현에서는 하천 범람으로 인한 침수 피해 및 농지 침수로 인한 농업 피해 등이 발생했다.[19]
; 태풍 11호와 장마 전선에 따른 도호쿠 지방 북부 폭우 피해[19]
| 사망자 | 행방불명자 | 부상자 | 주택 전파 | 주택 반파 | 주택 일부 파손 | 침수 (마루 위) | 침수 (마루 아래) | |
|---|---|---|---|---|---|---|---|---|
| 피해 규모 | 3명 | 1명 | 5명 | 6동 | 226동 | 8동 | 390동 | 1,124동 |
3. 1. 대한민국
태풍 나리(2007년)로 인해 대한민국에서는 최소 300편의 항공편이 결항되었고, 이 중 약 130편은 제주도발 항공편이었다.[5] 제주도에서 운항하는 3,000편의 여객선 운항도 중단되었다.[6] 대한민국 남해안의 여러 항만이 폐쇄되었고,[7] 남부 대부분 지역에 태풍 경보가 발효되었다.[6]전국적으로 총 479개의 구조물이 파손되거나 파괴되었으며, 948명의 이재민이 발생했다. 폭우로 인해 광대한 농지가 침수되었고 도로가 물에 잠겼다.[12] 제주특별자치도는 기록적인 강수량을 기록하며 가장 큰 피해를 입었다.[13]
2007년 9월 20일, 제주특별자치도와 전라남도 고흥군, 보성군, 완도군, 화순군 등이 특별재난지역으로 선포되었다.
대한민국에서 총 20명이 사망했고, 재산 피해액은 6520억원(7000만달러)에 달했다.[14]
3. 1. 1. 제주특별자치도
9월 16일 제주특별자치도 동쪽 해안을 스쳐 지나가면서 제주도에 엄청난 피해를 입혔다.[22]제주도는 예로부터 토양의 물 빠짐이 좋아 홍수가 흔치 않은 지역이었다. 그러나 태풍 나리는 시간당 100mm 안팎의 폭우를 제주도에 뿌렸다. 9월 16일 하루 동안 한라산 윗세오름에는 563.5mm, 제주시에는 420mm, 서귀포시에는 265.5mm의 비가 내렸는데, 이는 1959년 태풍 사라가 내습했을 때 제주도의 1일 최대 강수량 267.5mm를 훌쩍 뛰어넘는 기록이다.[22] 이러한 유례없는 폭우로 인해 제주시의 4대 하천이 모두 범람했고, 이는 큰 피해를 야기했다.
폭우로 인한 급류에 밀려온 토사가 천지연폭포에 돌섬을 만들었고,[23] 한라산 Y계곡의 이끼폭포와 청류계곡 등 총 6곳이 산사태로 무너지는 등 관광 자원에도 큰 피해가 발생했다.[24]
피해가 커지면서 2007년 9월 20일 제주특별자치도 전체에 특별재난지역이 선포되었다.
| 피해 내용 | 내용 |
|---|---|
| 인명 피해 | 사망 13명, 부상 1명 |
| 재산 피해 | 1.6조원여 원[25] |
태풍 나리로 인해 대한민국에서 최소 300편의 항공편이 결항되었으며,[5] 이 중 약 130편은 제주도발 항공편이었다. 제주도에서 운항하는 3,000편의 여객선 운항도 중단되었다.[6]
3. 1. 2. 전라남도
9월 16일, 태풍 나리가 전라남도 고흥군에 상륙하면서 전라남도에 직접적인 피해를 입혔다. 9월 16일 하루 동안 고흥군에 239 mm, 완도군에 114 mm의 비가 내렸다. 이로 인해 발생한 재산 피해액이 특별재난지역 선정 기준을 충족하여, 전라남도 고흥군·보성군·완도군·화순군이 특별재난지역으로 선포되었다.[26]- 재산 피해 : 8720억원[26]
3. 2. 일본

9월 14일, 일본항공은 오키나와를 오가는 14편의 항공편을 취소하여 약 5,300명에게 영향을 미쳤다.[2] 전일본공수는 54편, 류큐 에어 커뮤터는 24편, 스카이마크는 2편의 항공편을 취소했으며, 다음날 일본항공은 16편의 항공편을 추가로 취소했다. 약 21,000명의 승객이 나리로 인해 항공편 일정을 취소했다.[3]

미국 해병대 기지에서 최대 101km/h의 풍속이 기록되었다.[8] 태풍은 구메지마 섬[13]을 직접 통과하며 섬에서 기록적인 226km/h의 순간 최대 풍속을 기록했다.[10] 눈이 통과하면서 948.4 hPa (mbar)의 기압이 기록되었다.[13] 오키나와 전체 강수량은 120mm에 달한 것으로 추정되며, 시간당 강우량은 45.5mm로 최고조에 달했다.[10] 최소 4,500 가구가 섬 전체에서 정전되었으며, 대부분 구메지마에 있었다. 나하 시에서는 비로 인해 벽이 붕괴되었지만 부상자는 없었다. 최악의 피해를 입은 구메지마 마을에서는 차가 뒤집혔다는 보고도 있었다. 수많은 건물들이 창문을 잃었고, 수많은 나무들이 쓰러졌다.[3]
나리의 외곽 띠는 규슈에서 홍수를 유발하여 3명이 사망하고 3명이 부상당했다. 14채의 가옥이 파괴되고, 22채가 손상되었으며, 117채가 영향을 받았다. 총 1,247헥타르의 농지가 태풍으로 인해 피해를 입거나 파괴되었다. 태풍이 절정에 달했을 때, 4,800가구가 정전되었고 3,700가구가 단수되었다. 두 현의 피해액은 총 314억 엔 (3.23억달러)에 달했다.[11]
9월 13일 15시에 남대동도 남동 해상에서 발생한 제11호 태풍은 세력을 키우며 북서쪽으로 향했다. 14일에는 매우 강한 태풍이 되어 오키나와 본섬 지방의 근해를 통과했다. 태풍의 직접적인 영향을 받은 구메 섬에서는 15일 01시 26분에 1958년 통계 시작 이후 가장 강한 최대 순간 풍속인 62.8m/s(남풍)를 기록했다. 태풍은 15일부터 16일에 걸쳐 동중국해를 북상하여 16일 저녁에는 한반도 남단에 도달했다. 그 후 17일 09시에는 동해 서부에서 온대 저기압으로 바뀌었다[16]。
동북 지방에서는 태풍에서 변한 온대 저기압과 가을 장마 전선을 향해 따뜻하고 습한 공기가 유입되어 기록적인 폭우가 내렸다.[17][18] 이 태풍은 강풍역 반경이 최성기에도 190km로 1999년 이전의 표현으로 '매우 작은' 태풍이었지만, 중심 부근의 기압 경도가 매우 커서 중심 부근에서 맹렬한 바람이 불었다. 이 때문에 직접적인 영향을 받은 구메 섬에서는 최대 순간 풍속이 62.8m/s를 관측하여 바람으로 인한 큰 피해가 발생했다.
주택 피해는 전파 10건, 반파 18건, 일부 손괴 약 114건에 달했으며, 구청이나 학교, 호텔의 창문 유리가 많이 깨졌다. 또한, 전주가 쓰러지거나 꺾이는 등 약 1,900세대가 정전되었으며, 사탕수수나 전조 국화, 소 축사 붕괴 등의 농축산물 피해와, 어업에서는 어선이 어항 도로까지 밀려나거나 하는 등 어선 약 14척이 파손되는 피해를 입었으며, 보리새우 양식장에서도 피해가 발생했다.
동해에서 일본 열도 북동부 부근에 정체된 장마 전선에, 태풍 11호 주변의 따뜻하고 습한 공기가 유입되면서, 9월 15일부터 전선의 활동이 활발해졌고, 18일에는 태풍 11호에서 변질된 저기압이 동해의 전선을 따라 동쪽으로 이동하여 아키타현 앞바다에 도달했다.[19] 이로 인해 15일부터 18일에 걸쳐 도호쿠 지방 북부 (이와테현, 아키타현, 아오모리현)를 중심으로 기록적인 폭우가 쏟아졌으며, 이 기간 총 강수량은 이와테현 하나마키시 도요사와에서 300mm, 아키타현 센보쿠시 요로이하타에서 289mm, 아오모리현 신고촌 토라이에서 216mm 등으로, 이와테현, 아키타현, 아오모리현 각지에서 9월 월 평균 강수량을 넘어섰다. 또한 24시간 강수량은 이와테현, 아키타현 내 총 23개 지점에서 관측 사상 최대를 기록했다.[19]
아키타현, 이와테현에서는 폭우로 불어난 하천으로의 추락 등으로 사망자 3명, 행방불명자 1명이 발생했으며, 아오모리현, 아키타현, 이와테현에서는 주택 파손, 침수 피해, 토사 재해 등이 발생했고, 벼 등의 침수, 과실 낙과 등 농업, 임업, 수산업 피해가 있었다. 또한 미야기현에서는 하천 범람으로 인한 침수 피해 및 농지 침수로 인한 농업 피해 등이 발생했다.[19]
; 태풍 11호와 장마 전선에 따른 도호쿠 지방 북부 폭우 피해[19]
| 사망자 | 행방불명자 | 부상자 | 주택 전파 | 주택 반파 | 주택 일부 파손 | 침수 (마루 위) | 침수 (마루 아래) | |
|---|---|---|---|---|---|---|---|---|
| 피해 규모 | 3명 | 1명 | 5명 | 6동 | 226동 | 8동 | 390동 | 1,124동 |
4. 대한민국 내 관련 통계
태풍 나리는 대한민국 기상 관측 사상 최대 풍속 7위(, 고산)[11], 최대 순간 풍속 6위(52.4 m/s, 울릉도)[12]를 기록했다.
4. 1. 최대 풍속
| 순위 | 태풍 번호 | 태풍 이름 | 최대 풍속 | 관측 연월일 | 관측 장소 |
|---|---|---|---|---|---|
| 1위 | 0314 | 매미 | 51.1m/s | 2003/9/12 | 고산 |
| 2위 | 1618 | 차바 | 2016/10/5 | 고산 | |
| 3위 | 0012 | 프라피룬 | 47.4m/s | 2000/8/31 | 흑산도 |
| 4위 | 2009 | 마이삭 | 2020/9/3 | 고산 | |
| 4위 | 5412 | 쥰 | 1954/9/14 | 울릉도 | |
| 6위 | 0215 | 루사 | 43.7m/s | 2002/8/31 | 고산 |
| 7위 | 0711 | 나리 | 2007/9/16 | 고산 | |
| 8위 | 1904년 태풍 | - | 42.4m/s | 1904/8/18 | 목포 |
| 9위 | 1905년 태풍 | - | 42.3m/s | 1905/9/2 | 목포 |
| 10위 | 1913 | 링링 | 42.2m/s | 2019/9/7 | 흑산도 |
4. 2. 최대 순간 풍속
| 순위 | 태풍 번호 | 태풍 이름 | 최대 순간 풍속 | 관측 연월일 | 관측 장소 |
|---|---|---|---|---|---|
| 1 | 0314 | 매미 | 60.0 m/s | 2003/9/12 | 제주 |
| 2 | 0012 | 프라피룬 | 58.3 m/s | 2000/8/31 | 흑산도 |
| 3 | 0215 | 루사 | 56.7 m/s | 2002/8/31 | 고산 |
| 4 | 1618 | 차바 | 56.5 m/s | 2016/10/5 | 고산 |
| 5 | 1913 | 링링 | 54.4 m/s | 2019/9/7 | 흑산도 |
| 6 | 0711 | 나리 | 52.4 m/s | 2007/9/17 | 울릉도 |
| 7 | 1215 | 볼라벤 | 51.8 m/s | 2012/8/28 | 완도 |
| 8 | 9219 | 테드 | 51.0 m/s | 1992/9/25 | 울릉도 |
| 9 | 2009 | 마이삭 | 49.2 m/s | 2020/9/3 | 고산 |
| 10 | 8613 | 베라 | 49.0 m/s | 1986/8/28 | 울진 |
5. 사후 대처
태풍 나리 이후, 대한민국 정부는 제주특별자치도를 국가 재난 지역으로 선포했다. 재산의 30% 이상을 손실한 주민들은 세금 납부 기한을 9개월 연장받을 수 있었고, 정부는 제주도의 재건 비용의 약 90%를 지원할 것이라고 밝혔다.[15]
5. 1. 대한민국
태풍 나리(2007년)로 인해 대한민국에서는 최소 300편의 항공편이 결항되었으며,[5] 이 중 약 130편은 제주도발 항공편이었다. 제주도에서는 3,000편의 여객선 운항도 중단되었다.[6] 태풍으로 인해 대한민국 남해안의 여러 항만이 폐쇄되었고,[7] 대한민국 남부 대부분 지역에 태풍 경보가 발효되었다.[6]전국적으로 총 479개의 구조물이 파손되거나 파괴되었으며, 948명의 이재민이 발생했다. 폭우로 인해 광대한 농지가 침수되었고 도로가 물에 잠겼다.[12] 가장 피해가 컸던 지역은 제주도로, 기록적인 590mm의 강수량을 기록했다.[13] 제주도에서 최소 12명이 사망했고 피해액은 2800억원(1920만달러)에 달했다.[15] 전국적으로 총 20명이 사망했고, 총 피해액은 652억원(7000만달러)이었다.[14]
태풍 나리 이후, 대한민국 정부는 제주특별자치도를 국가 재난 지역으로 선포했다. 재산의 30% 이상을 손실한 주민들은 세금 납부 기한을 9개월 연장받을 수 있었고, 정부는 제주도의 재건 비용의 약 90%를 지원할 것이라고 밝혔다.[15]
참조
[1]
웹사이트
Japan Meteorological Agency Annual Tropical Cyclone Report
http://www.jma.go.jp[...]
Japan Meteorological Agency
2009-02-17
[2]
웹사이트
Typhoon Nari Strengthens on Path for Okinawa in Japan (Update4)
https://www.bloomber[...]
Bloomberg News
2007-09-14
[3]
웹사이트
Typhoon Nari blows through Okinawa
http://www.japanupda[...]
Japan Update
2007-09-16
[4]
웹사이트
Typhoon Nari heads for Okinawa
http://www.kadena.af[...]
Kadena Air Base
2007-09-14
[5]
웹사이트
Typhoon Nari strikes South Korea
http://www.bbc.co.uk[...]
British Broadcasting Corporation
2007-09-17
[6]
웹사이트
Typhoon Damages Korean Peninsula
https://www.koreatim[...]
2009-02-17
[7]
웹사이트
Typhoon Nari Set for South Korea After Lashing Japan (Update1)
https://www.bloomber[...]
Bloomberg News
2007-09-16
[8]
웹사이트
Typhoon Nari breezes by Okinawa
http://www.okinawa.u[...]
United States Marines
2007-09-21
[9]
웹사이트
Typhoon Nari sideswipes Okinawa
http://www.kadena.af[...]
Kadena Air Base
2007-09-14
[10]
웹사이트
Super typhoon lashes Ishigaki with record winds
http://www.japanupda[...]
Japan Update
2007-09-21
[11]
웹사이트
41st Session Country Report: Japan
http://www.typhoonco[...]
World Meteorological Organization
[12]
웹사이트
Typhoon Nari leaves 14 people dead
http://www.channel4.[...]
Channel 4
2007-09-17
[13]
웹사이트
Monthly Tropical Weather Summary for September 2007
http://www.typhoon20[...]
Typhoon 2000
2008-02-13
[14]
웹사이트
Natural catastrophes and man-made disasters in 2007
http://www.swissre.c[...]
Swiss Re
[15]
웹사이트
Jeju Designated Disaster Area
https://www.koreatim[...]
2009-02-17
[16]
웹사이트
台風第11号及び前線による大雨の被害状況等について(第3報:最終報)
https://www.mlit.go.[...]
国土交通省
2020-04-21
[17]
웹사이트
2007年台風のまとめ
http://agora.ex.nii.[...]
デジタル台風
2020-04-21
[18]
PDF
秋雨前線による平成19年9月15日から18日にかけての大雨
https://www.jma-net.[...]
[19]
웹사이트
秋雨前線による大雨 (平成19年9月15日~9月18日)
https://www.data.jma[...]
気象庁
2023-03-05
[20]
웹사이트
2007年 東北で大雨被害 秋雨前線
https://www.nhk.or.j[...]
[21]
PDF
平成19年9月 東北地方の大雨被害状況
https://www.fdma.go.[...]
[22]
뉴스
<2007 제주> 태풍 '나리' 강타..최악의 물난리
https://news.naver.c[...]
연합뉴스
2007-12-17
[23]
뉴스
뒤끝있는‘나리’…천지연에 돌섬 남겨
http://www.hani.co.k[...]
한겨레
2007-09-27
[24]
뉴스
탐라계곡이 사라졌다
https://news.naver.c[...]
제주일보
2007-10-04
[25]
웹사이트
인명 및 재산 피해 통계
http://www.kma.go.kr[...]
기상청
[26]
뉴스
전남도, 태풍피해 고흥ㆍ보성ㆍ완도ㆍ화순군 특별재난지역 선포
https://news.naver.c[...]
연합뉴스 보도자료
2007-10-08
본 사이트는 AI가 위키백과와 뉴스 기사,정부 간행물,학술 논문등을 바탕으로 정보를 가공하여 제공하는 백과사전형 서비스입니다.
모든 문서는 AI에 의해 자동 생성되며, CC BY-SA 4.0 라이선스에 따라 이용할 수 있습니다.
하지만, 위키백과나 뉴스 기사 자체에 오류, 부정확한 정보, 또는 가짜 뉴스가 포함될 수 있으며, AI는 이러한 내용을 완벽하게 걸러내지 못할 수 있습니다.
따라서 제공되는 정보에 일부 오류나 편향이 있을 수 있으므로, 중요한 정보는 반드시 다른 출처를 통해 교차 검증하시기 바랍니다.
문의하기 : help@durumis.com
