남중국해
"오늘의AI위키"의 AI를 통해 더욱 풍부하고 폭넓은 지식 경험을 누리세요.
1. 개요
남중국해는 동아시아와 동남아시아 사이의 해역으로, 역사적으로 다양한 명칭으로 불려왔으며, 현재는 중국, 한국 등에서 남중국해로 통용된다. 이 해역은 중국, 베트남, 필리핀, 말레이시아 등 여러 국가와 접하며, 지리적으로는 대륙붕 위에 위치하고 있다. 남중국해는 중요한 해상 무역로이며, 석유 및 천연가스 등 천연자원이 매장되어 있어 영유권 분쟁이 끊이지 않고 있다. 특히 중국은 이 해역에 대한 광범위한 영유권을 주장하며 인공섬 건설 및 군사적 활동을 강화하고 있으며, 이에 대해 주변국과 국제 사회는 국제법 준수를 요구하고 있다. 주요 분쟁 지역으로는 파라셀 군도와 스프래틀리 군도가 있으며, 국제 중재 재판을 통해 중국의 주장이 일부 부정되기도 했다.
더 읽어볼만한 페이지
2. 명칭
'남중국해'는 영어에서 이 해역을 지칭하는 데 가장 널리 쓰이는 용어이며, 대부분의 유럽 언어에서도 이와 유사한 명칭을 사용한다. 16세기 포르투갈 선원들은 이 해역을 '중국해'(Mare da Chinapt)라고 불렀으며, 이후 인근 수역과 구분할 필요성이 생기면서 남중국해로 불리게 되었다.[2] 국제수로기구(International Hydrographic Organization)는 이 해역을 "남중국해(Nan Hai)"로 지칭한다.[3]
이주서(易州書)는 서주(기원전 1046~771년)의 역사서로, 남중국해에 대한 최초의 중국식 명칭을 '남방해'()라고 기록한다.[4] 춘추시대(기원전 771~476년)의 시경(詩經), 좌전(左傳), 국어(國語) 경전들도 이 해역을 '남해'()라는 이름으로 언급한다.[4] 후한(23~220년) 시대에는 '장해'()라고 불렀고,[4] 남북조 시대에는 '비해'()가 널리 사용되었다. 현재의 중국식 명칭인 '남해'는 청나라 시대에 점차 널리 사용되기 시작했다.[6]
동남아시아에서는 16세기 이전에 번성했던 해상 왕국 참파(현재 중부 베트남)의 이름을 따서 '참파해' 또는 '참파의 바다'라고 불렸다.[7]
일본에서는 2004년까지 南支那海일본어로 표기했지만, 南シナ海일본어로 표기를 변경했고, 이것이 일본에서 표준적으로 사용되는 표기가 되었다. 2016년 기준으로 일본 정부의 외무성 등 공식 문서에서는 '''남중국해'''(南シナ海)로 표기되며, 일본 국내에서도 일반화되어 있다.[75]
여러 국가에서 부르는 명칭은 다음과 같다.
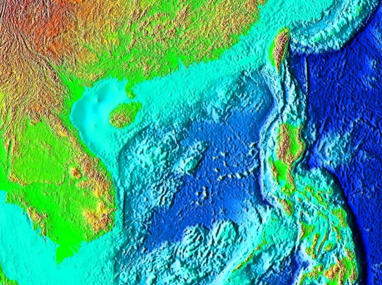
남중국해는 동남아시아의 적도에서 북위 23도 부근 중국 연안까지 펼쳐져 있는 열대 및 아열대 해역이다. 남서부 말레이시아 동쪽 부근은 대륙붕이 넓게 발달하여 수심 200m 이하이다. 동부는 깊고, 특히 루손섬 북서쪽 해역에는 마닐라 해구가 있다.
3. 지리

남중국해는 약 4500만 년 전 에오세에 "위험지역"이 중국 남부에서 갈라지면서 열리기 시작했다. 확장은 약 3000만 년 전 해저 확장을 정점으로 이루어졌으며, 이 과정은 남서쪽으로 진행되어 오늘날 우리가 보는 V자 모양의 분지가 형성되었다. 확장은 약 1700만 년 전에 중단되었다.[19]
분지 형성 과정에서의 텍토닉 압출의 역할에 대한 논쟁이 계속되고 있다. 폴 타포니에와 그의 동료들은 인도가 아시아와 충돌하면서 인도차이나를 남동쪽으로 밀어냈고, 인도차이나와 중국 사이의 상대적 전단력으로 남중국해가 열렸다고 주장했다.[20] 그러나 인도차이나가 아시아 본토에 비해 멀리 이동하지 않았다고 생각하는 지질학자들은 이러한 견해에 이의를 제기한다. 피터 클리프트의 톤킨만 해양 지구 물리 연구에 따르면 홍하 단층이 활동적이었고 적어도 3700만 년 전에는 남중국해 북서부에서 분지 형성을 일으켰는데, 이는 압출이 해양 형성에 일정 부분 기여했음을 시사한다. 남중국해는 개방된 이후 메콩강, 홍하, 주강에서 유입된 많은 양의 퇴적물을 저장해왔다.
태평양과는 주로 타이완섬, 필리핀 제도, 칼리만탄섬 등으로 구분되며, 바시 해협 등 제한된 해협으로만 연결되어 있다. 해역 내의 큰 섬은 하이난섬 정도이지만, 산호초를 포함하여 중소규모의 도서가 많다. 중국이 "난하이 제도"라고 총칭하는 난사 군도, 중사 군도, 시사 군도, 동사 군도 외에도 나투나 제도, 남나투나 제도, 아난바스 제도 등이 있다. 각국의 대륙붕에서는 어업이 이루어지고 있으며, 석유와 천연가스가 발견·채굴되고 있다.
3. 1. 주변 국가 및 지역
남중국해와 접하는 국가 및 지역은 북쪽에서 시계 방향으로 다음과 같다.
남중국해로 유입되는 주요 강으로는 주장, 민, 지룡, 홍하, 메콩강, 메남, 라장, 바람, 카푸아스, 바탕하리, 무시, 캄파르, 인드라기리, 파항, 아그노, 팜팡가, 파시그 강 등이 있다.
국제수로기구(IHO)는 1953년 발간된 "대양과 바다의 경계" 제3판에서 남중국해를 "Nan Hai"로 표기하고, 그 경계를 다음과 같이 정의했다.[3]
- 남쪽: 싱가포르와 말라카 해협의 동쪽과 남쪽 경계
- 동쪽: 보르네오 서쪽 해안에서 루손 북동쪽 지점인 엔가뇨 곶까지
- 북쪽: 복건 해안에서 타이완 북동쪽 지점까지
- 서쪽: 본토, 태국만 남쪽 경계와 말레이 반도 동쪽 해안
1986년 개정 초고에서는 나투나 해를 인정하여 남쪽 경계가 방카 벨리퉁 제도에서 나투나 제도로 수정될 예정이다.[18]
3. 2. 주요 강
주장, 민강, 지룡강, 홍하, 메콩강, 메남강, 라장강, 바람강, 카푸아스강, 바탕하리강, 무시강, 캄파르강, 인드라기리강, 파항강, 아그노강, 팜팡가강, 파시그강이 남중국해로 흘러드는 주요 강이다.[3]3. 3. 해저 지형
동남아시아의 적도에서 북위 23도 부근 중국 연안까지 펼쳐져 있는 열대 및 아열대 해역이다. 남서부 말레이시아 동쪽 부근은 대륙붕이 넓게 발달하여 수심 200미터 이하이다. 동부는 깊고, 특히 루손섬 북서쪽 해역에는 마닐라 해구가 있다. 태평양과는 주로 타이완섬, 필리핀 제도, 칼리만탄섬 등으로 구분되며, 바시 해협 등 제한된 해협으로만 연결되어 있다. 해역 내의 큰 섬은 하이난섬 정도이지만, 산호초를 포함하여 중소규모의 도서가 많다. 중국이 "난하이 제도"라고 총칭하는 난사 군도, 중사 군도, 시사 군도, 동사 군도 외에도 나투나 제도, 남나투나 제도, 아난바스 제도 등이 있다. 각국의 대륙붕에서는 어업이 이루어지고 있으며, 석유와 천연가스가 발견·채굴되고 있다.[3][18]
4. 지질
남중국해는 침수된 대륙붕 위에 있다. 최근 빙하기 동안 전 세계 해수면은 수백 미터 더 낮았고, 보르네오는 아시아 본토의 일부였다.
남중국해는 약 4500만 년 전에 "위험지역"이 중국 남부에서 갈라지면서 열리기 시작했다. 확장은 약 3000만 년 전 해저 확장을 정점으로 이루어졌으며, 이 과정은 남서쪽으로 진행되어 오늘날 우리가 보는 V자 모양의 분지가 형성되었다. 확장은 약 1700만 년 전에 중단되었다.[19]
분지 형성 과정에서의 텍토닉 압출의 역할에 대한 논쟁이 계속되고 있다. 폴 타포니에와 그의 동료들은 인도가 아시아와 충돌하면서 인도차이나를 남동쪽으로 밀어냈다고 주장했다. 인도차이나와 중국 사이의 상대적 전단력으로 남중국해가 열렸다는 것이다.[20] 그러나 인도차이나가 아시아 본토에 비해 멀리 이동하지 않았다고 생각하는 지질학자들은 이러한 견해에 이의를 제기한다. 피터 클리프트의 톤킨만 해양 지구 물리 연구에 따르면 홍강 단층이 활동적이었고 적어도 3700만 년 전에는 남중국해 북서부에서 분지 형성을 일으켰다는 것을 보여준다. 남중국해는 개방된 이후 메콩강, 홍강, 주강에서 유입된 많은 양의 퇴적물을 저장해왔다.
5. 섬과 해산
남중국해에는 250개가 넘는 작은 섬, 환초, 초승달 모양의 산호섬, 여, 암초, 그리고 사주가 있는데, 그 대부분에는 원주민이 살지 않고, 많은 수는 만조 시에는 물에 잠기며, 일부는 영구적으로 물에 잠겨 있다. 주요 지형은 다음과 같다.
스프래틀리 군도는 810 x 900km의 면적에 걸쳐 약 175개의 섬 지형으로 이루어져 있으며, 가장 큰 섬은 길이가 1.3km가 조금 넘고 최고 높이가 3.8m인 타이핑 섬(이투 아바)이다.
스프래틀리 군도 지역에서 가장 큰 단일 지형은 필리핀의 팔라완 섬에서 북동쪽에 위치한, 리드 은행으로도 알려진 100km 너비의 해산인 리드 테이블마운트이다. 현재는 수심 20m에 완전히 잠겨 있지만, 최종 빙하기 이후 해수면 상승으로 약 7,000년 전에 섬이었던 곳이다. 면적이 8866km2인 이 곳은 세계에서 가장 큰 잠수 환초 구조 중 하나이다.
200개가 넘는 섬과 환초가 알려져 있으며, 대부분은 남사군도에 있다. 남사군도는 810km × 900km에 달하며, 하이난섬 등을 제외한 가장 큰 섬은 타이핑다오(이투아바)로, 길이 1.3km, 최고 해발 3.8m이다. 또한, 필리핀의 팔라완 제도와는 팔라완 해구를 사이에 두고 길이 약 100km의 해산인 리드 암초가 있는데, 면적 8,866㎢는 환초로서 세계 최대이다. 현재는 수심 20m에 잠겨 있지만, 약 7000년 전 빙하기가 끝나고 해수면이 상승하기 전까지는 섬이었다.
6. 해상 무역로
남중국해는 역사적으로 동북아시아, 중국, 동남아시아, 그리고 인도와 서쪽을 잇는 중요한 무역로였다.[21][22][23][24] 해저에 가라앉은 수많은 무역선 난파선들은 수 세기 동안 번성했던 무역을 증명한다. 스웨덴의 엔지니어 스텐 셰스트란드에 의해 10세기부터 19세기에 이르는 도자기를 실은 9척의 역사적인 무역선이 발굴되었다.[25]
2016년 기준, 세계 해상 운송(Maritime transport) 16조달러 중 3.4조달러가 남중국해를 통과했다.[26] 2019년 자료에 따르면, 남중국해는 세계 GDP의 5%에 해당하는 무역량을 처리한다.[27]
7. 천연 자원
미국 에너지 정보청(Energy Information Administration)의 2012년~2013년 추산에 따르면, 파라셀 군도와 스프래틀리 군도와 같이 분쟁 지역의 석유와 천연가스 매장량은 매우 적다. 남중국해에 매장되어 있는 확인 또는 추정 매장량은 석유 , 천연가스 약 5380.20조L3이며, 이들 대부분은 분쟁이 없는 해안선 근처에 존재한다.[28][29]
2010년, 서중태평양(중국 본토에 가장 가까운 남중국해 최북단 지역 제외)은 세계 상업 어업 총 어획량의 14%인 1170만 톤을 차지했다. 이는 1970년 400만 톤 미만에서 증가한 수치이다.[30]
중국은 2017년 5월 남중국해에서 하이드레이트에서 메탄을 추출하면서 메탄 하이드레이트 채굴에 돌파구를 마련했다고 발표했지만, 상업적 활용에는 10년 이상이 걸릴 수 있다.[31][32]
8. 영유권 분쟁
남중국해를 둘러싼 영유권 분쟁은 복잡하고 다층적인 양상을 보인다. 1947년 중화민국은 십일단선을 선포하며 남중국해 대부분에 대한 영유권을 주장했고, 1949년 수립된 중화인민공화국 역시 이를 계승하여 구단선을 내세우고 있다. 그러나 중국 정부는 구단선의 법적 근거를 명확히 밝히지 않고 있다.[84]
시사군도(파라셀 군도)는 중화인민공화국, 중화민국(타이완), 베트남이 영유권을 주장하는 지역이다. 1974년 시사군도 전투에서 승리한 중국은 현재 이 군도를 실효 지배하고 있다.[84]
난사군도(스프래틀리 군도)는 더욱 복잡한 분쟁 지역이다. 중화인민공화국과 중화민국(타이완)은 난사군도 전체에 대한 영유권을 주장하는 반면, 베트남, 말레이시아, 필리핀, 브루나이는 일부 지역에 대한 영유권을 주장한다.[84] 이들 국가는 자원 개발, 군사력 배치, 섬 기지화, 국제사법재판소 제소 등 다양한 방법을 통해 자국의 이익을 확보하려 하고 있다.[84]
2014년 아시아 안보 회의(샹그릴라 대화)에서 중국 측 대표는 남중국해 섬들이 한나라 시대부터 중국의 관리하에 있었다고 주장하며 역사적 권리를 강조했다.[85][86]
2013년 필리핀은 9단선의 무효화, 해양 지형의 성격 규정, 배타적경제수역 권리 등을 주장하며 중국을 상설중재재판소에 제소했다.[61][62][63] 2016년 상설중재재판소는 남중국해 판결을 통해 필리핀의 주장을 대부분 인정하고, 중국의 역사적 권리 주장은 유엔 해양법 협약 상 근거가 없다고 판결했다. 또한 난사군도와 스카보로 암초의 모든 지형은 배타적경제수역을 발생시키지 않는 "암석"이라고 판결했다.[65]
그러나 중국은 이 판결을 무시하고, 2017년 동남아시아국가연합(ASEAN) 외교장관회의에서 당사국 간 합의를 통해 문제를 해결하려는, 중국에게 유리한 방향으로 상황을 이끌었다.[91] 같은 해 11월 중국-ASEAN 정상회의에서는 "남중국해 행동 규범" 협상 개시에 합의했고,[92] ASEAN 의장 성명에서 남중국해 문제에 대한 "우려" 문구가 사라지고 "중국과 ASEAN의 관계 개선"에 대한 평가가 담겼다.[93][94]
2020년 스가 요시히데 일본 내각총리대신은 베트남 방문 연설에서 남중국해 긴장 고조에 반대하며 법치주의를 강조했다.[96]
2024년에는 필리핀과 중화인민공화국 선박이 세컨드 토마스 암초 인근에서 충돌하는 사건이 발생했다.[97] 미국은 중국의 행동을 비난했고, 필리핀군은 중국 해경의 고의적인 충돌로 필리핀 해군 병사 7명이 부상당하고, 수병 1명의 손가락이 절단되었다고 발표했다.[98][99][100][101]
이처럼 남중국해 영유권 분쟁은 역사적, 법적, 정치적 요인이 복합적으로 작용하는 민감한 문제이다. 중국은 일방적인 권익 주장을 지속하며 주변국에 대한 위협적인 행동을 반복하고 있으며, 일본을 비롯한 국제사회는 국제법 준수를 촉구하고 있다.[102][103][104]
이해관계가 충돌하는 국가들 사이에서는 남중국해의 명칭에 대한 논의도 진행 중이다. 필리핀은 '서필리핀해', 인도네시아는 '북나투나 해'라는 명칭을 사용하며 자국의 권리를 주장하고 있다.[11][15]
8. 1. 주요 분쟁 지역
남중국해에는 250개가 넘는 작은 섬, 환초, 초승달 모양의 산호섬, 여, 암초, 사주 등이 있으며, 대부분은 사람이 살지 않는다. 많은 섬이 만조 때 물에 잠기거나 영구적으로 물에 잠겨 있다. 주요 분쟁 지역은 다음과 같다:스프래틀리 군도는 약 175개의 섬 지형으로 구성되어 있으며, 가장 큰 섬은 타이핑 섬이다. 리드 테이블마운트는 스프래틀리 군도 지역에서 가장 큰 단일 지형으로, 한때 섬이었으나 현재는 수심 20m에 잠겨 있다.
1947년 중화민국은 십일단선을 선포하여 남중국해 대부분을 자국 관할로 주장했고, 1949년 성립된 중화인민공화국도 이를 계승하여 구단선을 주장하고 있다. 그러나 중국 정부는 구단선의 법적 해석에 대해 공식적으로 발표한 바 없다.
파라셀 군도는 중화인민공화국, 중화민국(타이완), 베트남이 영유권을 주장하고 있다. 1974년 시사군도 전투에서 중국이 승리한 후, 중국은 파라셀 군도를 실효 지배하고 있다.
스프래틀리 군도는 중화인민공화국, 중화민국(타이완), 베트남, 말레이시아, 필리핀, 브루나이가 영유권을 주장하고 있다. 각국은 자원 개발, 군 배치, 섬 기지화, 국제사법재판소 제소 등을 통해 권익 확보를 추진하고 있다.[84]
2014년 아시아 안보 회의(샹그릴라 대화)에서 중국 측 대표는 남중국해 섬들이 2,000년 전 한나라 시대부터 중국의 관리 하에 있었다고 주장했다.[85][86]
2016년 상설중재재판소는 남중국해 판결을 통해 필리핀의 주장을 전면적으로 인정하고, 난사군도와 스카버러 암초의 모든 암초는 배타적경제수역 및 대륙붕을 생성하지 않는 “암석”이라고 판결했다.
그러나 중국은 이 판결을 무시하고 2017년 ASEAN 외교장관회의에서 당사국 간 합의 형성을 통해 문제를 해결하려는, 중국에게 유리한 형태로 승인받았다.[91] 같은 해 11월 중국-ASEAN 정상회의에서는 구체적인 협상 시작에 합의했고,[92] ASEAN 의장 성명에서 남중국해 문제에 대한 “우려” 문구가 사라지고 “중국과 ASEAN의 관계 개선”에 대한 평가가 담겼다.[93][94]
2020년 스가 요시히데 일본 내각총리대신은 베트남 방문 연설에서 남중국해 긴장을 고조시키는 어떤 행동에도 반대하며, 법에 의한 지배 유지를 지지한다고 밝혔다.[96]
2024년 필리핀과 중화인민공화국 선박이 세컨드 토마스 암초 근처에서 충돌했다.[97] 미국은 중국의 행동을 비난하며 필리핀과의 협력을 강조했다.[98] 필리핀군은 중국 해경의 고의적인 충돌로 필리핀 해군 병사 7명이 부상당하고, 수병 1명의 손가락이 절단되었다고 발표했다.[99][100][101]
현재까지 중국은 남중국해에서 인근 국가들에 대한 위험 행위를 반복하고 있으며, 일본을 포함한 서구 및 아시아 각국은 국제법 준수를 요구하는 성명을 발표하고 있다.[102][103][104]
8. 2. 중국의 주장
1935년, 중화민국의 중국국민당은 브루나이 근해의 제임스초를 "증모"(현행 중국명은 증모암사)라고 명명했지만, 국내 혼란과 해군력 부족으로 사실상 지배는 하지 못했다.[84]1947년, 중화민국 국부정권은 동남아시아 각국의 본토 영해선 바로 근처까지를 자국의 관할로 하는 "십일단선"을 선포했다.[84]
1949년에 성립한 중화인민공화국도 중화민국이 주장했던 십일단선과 거의 같은 "구단선"(또는 "U자선", "소설선"이라고도 함)을 선포했다.[84] 그러나 "구단선"의 법적 해석(도서 귀속의 선, 역사적 권리의 범위, 역사적 수역선, 전통적인 경계선)에 대해서는 중국 정부가 공식적으로 발표한 바 없다.[84]
중국 하이난섬 남쪽에 있는 시사군도(파라셀 군도)에 대해서는 중화인민공화국, 중화민국(타이완), 베트남의 3개국이 영유권을 주장하고 있다.[84] 중국 정부는 1974년 시사군도 전투에서 남베트남군을 공격하여 섬들을 점령했고,[84] 중국인을 이주시키거나 중국인민해방군을 주둔시키는 등 지배를 강화하고 있다.[84]
난사군도(스프래틀리 군도) 등을 둘러싸고는 6개국이 영유권을 주장하고 있다.[84] 중화인민공화국, 중화민국(타이완)은 전체 영유를 주장하고, 베트남, 말레이시아, 필리핀, 브루나이의 4개국은 일부 영유를 주장하고 있다.[84] 각국은 자원 개발을 독자적으로 하거나 협력하는 한편, 군 배치와 섬의 기지화, 국제사법재판소 제소 등을 통한 권익 확보도 추진하고 있다.[84]
2014년 6월 1일, 싱가포르에서 열린 아시아 안보 회의(샹그릴라 대화)에서 중국 측 대표인 왕관중·인민해방군 부총참모장은 남중국해의 섬들은 2,000년 전 한나라 시대에 중국이 발견하여 관리해왔다는 취지의 발언을 했다.[85][86]
2016년 7월 12일, 상설중재재판소는 제소한 필리핀 측의 주장을 전면적으로 인정하고, 난사군도와 스카보로 암초에 있는 모든 암초는 법적으로 배타적경제수역 및 대륙붕을 생성하지 않는 "암석"이라는 남중국해 판결을 내렸다.
중국은 남중국해 판결을 받아들여 기존에 소극적이었던 "남중국해 행동 규범" 초안 작성에 착수하여 대략적인 합의가 이루어졌고,[90] 2017년 8월 필리핀에서 열린 ASEAN 외교장관회의에서 당사국 간의 합의 형성을 통한 마무리를 꾀하는 중국에게 유리한 형태로 승인되었으며,[91] 같은 해 11월 중국 ASEAN 정상회의는 대략적인 합의 내용을 구체적으로 논의하는 협상을 시작하기로 합의했다.[92]
현재까지 중국은 일방적으로 남중국해에서의 권익을 주장하고 있으며, 남중국해에서 인근 국가들에 대한 위험 행위, 위험 항행을 반복하고 있다.[102][103][104]
8. 3. 국제 중재 재판
2013년 1월, 필리핀은 9단선, 해양 지형의 성격, 그리고 배타적경제수역(EEZ)을 둘러싼 문제에 대해 중국을 상대로 중재 절차를 시작했다.[61][62][63] 그러나 중국은 이 중재에 참여하지 않았다.[64]2016년 7월 12일, 중재판정부는 대부분의 주장에 대해 필리핀의 손을 들어주는 판결을 내렸다. 판정부는 중국이 9단선 내에서 역사적으로 배타적 통제를 행사한 적이 없다는 점을 들어, 중국이 해양 자원에 대한 "역사적 권리"를 주장할 "법적 근거"가 없다고 결론지었다.[65] 또한 9단선 내 해양 지역(육지와 영해는 제외)에 대한 중국의 역사적 권리 주장은 유엔 해양법 협약(UNCLOS)에 따라 정당하게 인정받을 수 있는 권리를 넘어서는 것이므로 법적 효력이 없다고 판결했다.[61]
판정부는 중국의 매립 공사와 스프래틀리 군도(난사군도) 인공섬 건설을 비판하며, 이로 인해 "산호초 환경에 심각한 피해"가 발생했다고 밝혔다.[66] 또한 타이핑다오와 스프래틀리 군도의 다른 지형들을 UNCLOS에 따른 "암초"로 규정하고, 따라서 200해리의 배타적경제수역을 가질 자격이 없다고 판결했다.[67] 중재판정부의 결정은 양국 모두에게 최종적이고 불복할 수 없는 것으로 판결되었다.[68][69]
중국은 이 판결을 "근거 없는 것"이라고 비난하며 거부했다.[70] 중국은 중재 결과를 무시하고 필리핀과의 양자 협상을 계속 추진했다.[64]
타이완은 스프래틀리 군도에서 가장 큰 섬인 타이핑다오를 현재 관리하고 있으며, 이 판결 역시 거부했다.[71] 2023년 11월 기준으로, 이 판결을 지지하는 국가는 26개국, 판결을 언급했지만 이행을 촉구하지는 않는 대체로 긍정적인 성명을 발표한 국가는 17개국, 판결을 거부한 국가는 8개국이다.[72]
이 판결을 지지하는 국가는 오스트레일리아, 오스트리아, 벨기에, 캐나다, 체코, 덴마크, 핀란드, 프랑스, 독일, 그리스, 인도, 아일랜드, 이탈리아, 일본, 네덜란드, 뉴질랜드, 필리핀, 폴란드, 포르투갈, 루마니아, 슬로바키아, 대한민국, 스페인, 스웨덴, 영국, 미국이다. 반면, 이 판결을 거부하는 국가는 중국, 몬테네그로, 파키스탄, 러시아, 수단, 시리아, 타이완, 바누아투이다.[72][73]
국제연합 자체는 이 사건의 법적 및 절차적 장점이나 분쟁 중인 주장에 대해 입장을 가지고 있지 않다. 국제연합 사무총장은 남중국해 당사국 행위 규범 선언의 틀 안에서 아세안과 중국 간의 행동 규범에 대한 지속적인 협의가 모든 당사국 간의 상호 이해를 증진시키기를 바란다고 밝혔다.[74]
8. 4. 관련 사건
- 1935년, 중화민국의 중국국민당이 브루나이 근해의 제임스초를 “증모”(현행 중국명은 증모암사)라 명명했지만, 국내 혼란과 해군력 부족으로 사실상 지배는 할 수 없었다.
- 1939년 4월, 일본 해군은 스프래틀리 군도(난사 군도)에서 가장 큰 섬인 태평도를 점거하여 “장도”라고 명명했다.
- 1945년 8월, 일본은 포츠담 선언을 수락하고 패전하면서 남중국해의 섬 영유권을 포기했다.
- 1945년 12월, 중화민국 정부는 “남사관리처”를 광둥성에 설치했다.
- 1947년, 중화민국의 국부정권은 동남아시아 각국의 본토 영해선 바로 근처까지를 자국의 관할로 하는 “십일단선”을 선포했다.
- 1949년에 성립한 중화인민공화국도 중화민국이 주장했던 십일단선과 거의 같은 “구단선”(또는 “U자선”, “소설선”이라고도 함)을 선포했다. 하지만 “구단선”의 법적 해석(도서 귀속의 선, 역사적 권리의 범위, 역사적 수역선, 전통적인 경계선 등)에 대해서는 중국 정부가 공식적으로 발표한 바 없다.
- 하이난섬 남쪽에 있는 시사군도(파라셀 군도)에 대해서는 중화인민공화국, 중화민국(타이완), 베트남의 3개국이 영유권을 주장하고 있다. 중국 정부는 1974년 시사군도 전투에서 남베트남군을 공격하여 섬들을 점령했고, 중국인을 이주시키거나 중국인민해방군을 주둔시키는 등 지배를 강화하고 있다.
- 난사군도(스프래틀리 군도) 등을 둘러싸고는 6개국이 영유권을 주장하고 있다. 중화인민공화국, 중화민국(타이완)은 전체 영유를 주장하고, 베트남, 말레이시아, 필리핀, 브루나이의 4개국은 일부 영유를 주장하고 있다. 각국은 자원 개발을 독자적으로 하거나 협력하는 한편, 군 배치와 섬의 기지화, 국제사법재판소 제소 등을 통한 권익 확보도 추진하고 있다. 이해관계가 충돌하는 국가들 사이에서 남중국해의 명칭이 다른 데는 이러한 배경이 있다.[84]
- 이 밖에 중국과 베트남은 통킹만, 말레이시아와 베트남은 타이만, 말레이시아와 필리핀은 동보르네오 해역을 둘러싸고 배타적경제수역 주장이 중복·대립하고 있다.
- 2010년 7월 23일, 하노이에서 열린 동남아시아국가연합(ASEAN) 지역 포럼(ARF)은 남중국해 문제를 중요한 의제 중 하나로 논의했다. 2002년의 “남중국해 행동 선언”을 효과적으로 실시하고, 법적 구속력 있는 “남중국해 행동 규범”으로 발전시키는 것에 대한 지지를 확인했다.
- 2011년 11월 4일·5일, 하노이에서 남중국해의 안보와 협력을 주제로 국제회의가 열렸다. 폐막식에서 세베리노(ASEAN 전 사무총장)는 남중국해 분쟁을 평화적으로 해결하기를 기대하는 동시에, 영유권 문제의 해결은 당사국 간의 협상으로만 해결할 수 있다고 말했다.
- 2014년 6월 1일, 싱가포르에서 열린 아시아 안보 회의(샹그릴라 대화)에서 중국 측 대표인 왕관중·인민해방군 부총참모장은 남중국해의 섬들은 2,000년 전 한나라 시대에 중국이 발견하여 관리해왔다는 취지의 발언을 했다.[85][86] 왕관중은 또한, 명시적으로 언급하지 않으면서 중국에 자제를 촉구한 일본의 아베 신조 총리에 대해 “아베 총리대신은 빙빙 돌려 중국을 공격하고, 헤이글 장관은 직설적으로 비난했다. 헤이글 장관 쪽이 낫다”고 말했다. 이에 대해 오노데라 방위상은 “중국의 반응은 이해할 수 없다”고 반박했다.[86][87]
- 미국의 CSIS(전략국제문제연구소)는 2016년 1월에 작성한 보고서에서 중국이 여러 개의 항모 타격 부대를 보유할 가능성을 지적하는 동시에, “2030년까지 남중국해가 사실상 중국의 호수가 될 것”이라고 경고하며, 오바마 정권의 대중·대북 정책이 부족하다고 지적했다.[88]
- 일본방송협회(NHK)에 따르면, 2016년 7월까지 국제사법재판소에서 진행되고 있는 중재 재판에 대해 중국 정부는 외교 협상을 통한 해결도 검토하고 있었다.[89]
- 2016년 7월 12일, 상설중재재판소는 제소한 필리핀 측의 주장을 전면적으로 인정하고, 난사군도와 스카보로 암초에 있는 모든 암초는 법적으로 배타적경제수역 및 대륙붕을 생성하지 않는 “암석”이라는 남중국해 판결을 내렸다.
- 중국은 남중국해 판결을 받아들여 기존에 소극적이었던 “남중국해 행동 규범” 초안 작성에 착수하여 대략적인 합의가 이루어졌고,[90], 2017년 8월 필리핀에서 열린 ASEAN 외교장관회의에서 당사국 간의 합의 형성을 통한 마무리를 꾀하는 중국에게 유리한 형태로 승인되었다.[91] 같은 해 11월 중국 ASEAN 정상회의는 대략적인 합의 내용을 구체적으로 논의하는 협상을 시작하기로 합의했고,[92], ASEAN 의장 성명에는 그동안 게재되어 왔던 남중국해 문제에 대한 “우려”라는 문구가 사라지고 “중국과 ASEAN의 관계 개선”에 대한 평가가 담겼다.[93][94] ASEAN 정상회의에서 대중 관계 개선을 위해 시진핑국가주석(당총서기)와 리커창국무원 총리(총리) 등 중국 지도부와 이례적으로 2회 연속 회담을 가진 일본의 아베 총리도 ASEAN과 중국의 이러한 움직임을 환영한다고 밝혔다.[95]
- 2020년 10월 19일, 스가 요시히데내각총리대신은 취임 후 첫 해외 순방지로 베트남을 방문하여 베트남 대학생들을 상대로 “일본은 남중국해의 긴장을 고조시키는 어떤 행동에도 강하게 반대한다. 일본은 남중국해의 법에 의한 지배의 유지를 일관되게 지지해왔다”고 연설했는데, 이는 남중국해에서 인공섬을 적극적으로 건설하고 있는 중국에 대한 비판이며, 또 중국이 최근 몇 달 동안 남중국해에서 베트남에 큰 압력을 가하고 있는 것에 대한 견제였다.[96]
- 2024년 6월 17일, 필리핀과 중화인민공화국(중국) 양국은 성명을 통해 중국 선박과 필리핀의 보급선이 스프래틀리(난사) 군도에 있는 세컨드 토마스 암초 근처에서 충돌했다고 발표했다.[97] 미국 국무부에 따르면, 커트 캠벨 미국무부장관은 17일 이 충돌과 관련해 필리핀의 라자로 외무차관과 전화로 협의했다. 필리핀의 보급선과 중국 해경국 함선이 충돌한 것과 관련해 백악관의 커비 홍보보좌관(국가안보 담당)은 17일 기자회견에서 중국의 “도발적이고 무모한 행동”이라고 비난하며, “초기 보고에 따르면 최소한 필리핀 선원 1명이 부상을 입었다”고 우려를 표명했다.[98]
- 18일, 필리핀군은 남중국해에서 보급 임무 중이던 필리핀 해군 병사 7명이 부상했으며, 그중 수병 1명이 중국 해경국으로부터 “고의적으로 고속으로 충돌”당해 '''손가락이 절단되었다'''고 보도했다.[99][100][101] 그 외에도 중국 해경국에 총 8정을 압수당하고 필리핀 보트 4척을 일시적으로 나포당했다. 협상 끝에 석방되었지만, 중국 측은 선체에 구멍을 냈다.
- 현재까지 중국은 일방적으로 남중국해에서의 권익을 주장하고 있으며, 남중국해에서 인근 국가들에 대한 위험 행위, 위험 항행을 반복하고 있다. 이에 대해 일본 정부를 포함한 서구, 아시아 각국은 국제법을 준수할 것을 요구하는 성명을 여러 차례 발표하고 있다.[102][103][104]
8. 5. 한국의 입장
南中國海|남중국해중국어는 대한민국과 직접적인 영해 분쟁은 없지만, 이 지역의 안정과 항행의 자유는 한국의 경제와 안보에 중요한 영향을 미친다.한국은 남중국해 문제에 대해 직접적인 당사국은 아니지만, 이 해역이 주요 해상 수송로의 일부이기 때문에 분쟁의 평화적 해결과 항행의 자유 보장을 강조한다. 특히, 동남아시아 국가들과의 교역량이 증가함에 따라 남중국해의 안정은 한국 경제에 필수적이다.[84]
한국 정부는 남중국해 분쟁 당사국들에게 국제법 준수와 대화를 통한 평화적 해결을 촉구해왔다. 또한, 동남아시아국가연합(ASEAN) 등 다자 협력 체제를 통해 남중국해 문제 해결에 기여하고자 노력하고 있다. 2010년 하노이에서 열린 ASEAN 지역 포럼(ARF)에서 남중국해 문제가 중요 의제로 논의되었을 때, 한국은 2002년의 "남중국해 행동 선언"을 지지하고, 법적 구속력 있는 "남중국해 행동 규범"으로 발전시키는 것을 지지했다.[84]
2014년 싱가포르에서 열린 아시아 안보 회의(샹그릴라 대화)에서 중국 측 대표가 남중국해 섬들이 2,000년 전부터 중국의 영토였다고 주장했을 때, 한국은 직접적인 언급은 피했지만, 국제법과 대화를 통한 분쟁 해결 원칙을 재확인했다.[85][86]
2016년 상설중재재판소가 필리핀의 주장을 인정하는 남중국해 판결을 내렸을 때, 한국 정부는 판결을 존중하며, 남중국해 분쟁이 평화적으로 해결되어야 한다는 입장을 밝혔다. 이후 중국이 "남중국해 행동 규범" 초안 작성에 참여하고, 2017년 ASEAN 외교장관회의에서 당사국 간 합의를 통해 마무리하는 방향으로 승인되었을 때, 한국은 이러한 움직임을 긍정적으로 평가했다.[90][91]
최근 남중국해에서 중국과 필리핀 간의 충돌이 발생하고, 중국의 위험한 행동이 계속되자, 한국을 포함한 국제사회는 우려를 표명하고 있다. 한국 정부는 국제법 준수와 항행의 자유 보장을 촉구하며, 남중국해 문제의 평화적 해결을 위한 국제사회의 노력에 동참하고 있다.[97][98][102][103][104]
8. 6. 기타 분쟁
남중국해에서는 스프래틀리 군도를 둘러싼 분쟁 외에도 다양한 분쟁이 존재한다.8. 7. 명칭 변경 논의
'남중국해'는 영어에서 이 해역을 지칭하는 데 가장 널리 쓰이는 용어이며, 대부분의 유럽 언어에서도 이와 유사한 명칭을 사용한다. 16세기 포르투갈 선원들은 이 해역을 '중국해'(Mare da China|중국해pt)라고 불렀으며, 이후 남중국해로 불리게 되었다.[2]이주서(易州書)에는 서주 시대에 남중국해를 '남방해'(南方海)라고 불렀다는 기록이 있다.[4] 춘추 시대의 여러 경전에서는 '남해'(南海)라는 이름으로 언급되었다.[4] 후한 시대에는 '장해'(漲海), 남북조 시대에는 '비해'(沸海)라고 불렸다. 현재의 중국식 명칭인 '남해'는 청나라 시대부터 널리 사용되었다.[6]
동남아시아에서는 16세기 이전에 참파의 이름을 따서 '참파해'라고 불렸으며,[7] 제2차 세계 대전 중 일본은 '남중국해'( )라고 불렀다. 2004년까지는 南支那海일본어로 표기했지만, 이후 南シナ海일본어로 표기가 변경되었다.[75]
중국에서는 '남해'(南海), 베트남에서는 '동해'(Biển Đông|동해vi)라고 부른다.[8][9][10] 말레이시아, 인도네시아, 필리핀에서는 '남중국해'(, )라고 부르며, 필리핀 영해 내 해역은 '루손 해협'(Dagat Luzontl)이라고도 한다.[11]
스프래틀리 군도 분쟁이 격화되면서 필리핀은 2011년부터 '서필리핀해'라는 명칭을 사용하기 시작했다.[12] 2012년 9월, 필리핀 대통령은 행정명령을 통해 정부 기관이 '서필리핀해' 명칭을 사용하도록 지시했다.[13][14]
2017년 7월, 인도네시아는 자국 배타적경제수역의 북쪽 끝을 '북나투나 해'로 개명했다.[15]
스트레이츠 타임스(The Straits Times)는 "남중국해라는 명칭이 중국에 주변국을 괴롭힐 정당성을 부여하고 있다"며 "동남아시아해(ASEAN Sea)"로 명칭 변경을 주장하고 있다.[81]
태국의 활동가 단체는 2010년 "동남아시아해(Southeast Asia Sea)"로 명칭 변경 서명 운동을 벌였다.[83]
참조
[1]
웹사이트
China Komentari Penamaan Laut Natuna Utara oleh Indonesia
https://news.detik.c[...]
[2]
서적
Locating Southeast Asia: Geographies of Knowledge and Politics of Space
null
Singapore University Press
2005
[3]
웹사이트
Limits of Oceans and Seas, 3rd edition
https://iho.int/uplo[...]
2020-12-28
[4]
논문
China's Sovereignty over the South China Sea Islands: A Historical Perspective
null
[5]
서적
The Rise of the Chinese Empire: Nation, State, and Imperialism in Early China, ca. 1600 B.C. – A.D. 8
https://archive.org/[...]
University of Michigan Press
[6]
서적
插圖本中國地名史話 (An illustrated history of Chinese place names)
齊鲁書社 (Qilu Publishing)
[7]
웹사이트
The Cham: Descendants of Ancient Rulers of South China Sea Watch Maritime Dispute From Sidelines – The ancestors of Vietnam's Cham people built one of the great empires of Southeast Asia
https://web.archive.[...]
2014-06-18
[8]
웹사이트
VN and China pledge to maintain peace and stability in East Sea
http://chinhphu.vn/p[...]
Socialist Republic of Vietnam Government Web Portal
[9]
웹사이트
FM Spokesperson on FIR control over East Sea
http://www.vietnamem[...]
Embassy of Vietnam in USA
2001-03-11
[10]
웹사이트
The Map of Vietnam
http://gis.chinhphu.[...]
Socialist Republic of Vietnam Government Web Portal
[11]
서적
Seas and Waterways of the World: An Encyclopedia of History, Uses, and Issues
https://books.google[...]
ABC-CLIO
[12]
뉴스
South China Sea renamed in the Philippines
http://news.asiaone.[...]
2011-06-13
[13]
웹사이트
Administrative Order No. 29, s. 2012
http://www.officialg[...]
Government of the Philippines
2012-09-05
[14]
뉴스
West Philippine Sea Limited To Exclusive Economic Zone
http://ph.news.yahoo[...]
2012-09-14
[15]
웹사이트
Why Did Indonesia Just Rename Its Part of the South China Sea?
https://thediplomat.[...]
2017-07-17
[16]
뉴스
Asserting sovereignty, Indonesia renames part of South China Sea
https://www.reuters.[...]
2017-07-14
[17]
논문
Natuna Waters: Explaining a Flashpoint between Indonesia and China
https://scholarhub.u[...]
[18]
웹사이트
Limits of Ocean and Seas Special Publication 23 Draft 4th Edition
https://www.iho.int/[...]
2017-07-17
[19]
서적
Lexicon of Geological Units of Viet Nam
http://idm.gov.vn/Ng[...]
Department of Geology and Mineral of Việt Nam
[20]
서적
Rock Formations and Unusual Geologic Structures: Exploring the Earth's Surface
https://books.google[...]
Infobase Publishing
[21]
웹사이트
The Portuguese as the First Maritime Power
https://hum54-15.ome[...]
2024-05-07
[22]
웹사이트
Central Themes {{!}} Asia for Educators {{!}} Columbia University
http://afe.easia.col[...]
2024-05-07
[23]
웹사이트
Beyond diplomacy. Japan and Vietnam during the 17th and 18th centuries {{!}} IIAS
https://www.iias.asi[...]
2024-05-07
[24]
웹사이트
Japan and Vietnam -Archival Records on Our History-
https://www.archives[...]
2024-05-07
[25]
웹사이트
STEN SJÖSTRAND COLLECTION (Discovery and salvage of four Ming dynasty Chinese shipwrecks, Royal Nanhai, Nanyang, Xuande and Longquan loaded with stoneware and porcelain, made between 1440 and 1470, from e.g., Thailand, China and Vietnam)
https://www.skanesau[...]
2022-02-08
[26]
웹사이트
How Much Trade Transits the South China Sea?
https://chinapower.c[...]
2017-08-02
[27]
웹사이트
There are bigger shipping choke points than Suez
https://www.afr.com/[...]
2024-01-15
[28]
웹사이트
Contested areas of South China Sea likely have few conventional oil and gas resources – Today in Energy – U.S. Energy Information Administration (EIA)
http://www.eia.gov/t[...]
[29]
웹사이트
All those oil and gas deposits everyone wants in the South China Sea may not even be there
https://foreignpolic[...]
2013-04-05
[30]
간행물
World review of fisheries and aquaculture
http://www.fao.org/d[...]
Food and Agriculture Organisation
[31]
뉴스
China claims breakthrough in 'flammable ice'
https://www.bbc.com/[...]
2017-05-19
[32]
웹사이트
China Taps Lode of 'Fire Ice' in South China Sea
https://foreignpolic[...]
2024-01-29
[33]
웹사이트
Vietnamese ships in Indonesian waters show extent of Asean maritime disputes
https://www.scmp.com[...]
2020-11-02
[34]
논문
The South China Sea and US-China Rivalry
null
[35]
논문
Explaining the increase of China's power in the South China Sea through international relation theories
null
[36]
웹사이트
Direct bilateral dialogue 'best way to solve disputes' – China.org.cn
http://www.china.org[...]
[37]
뉴스
Resolving S.China Sea disputes pivotal to stability: Clinton
https://web.archive.[...]
AFP News
2010-07-23
[38]
뉴스
Vietnam Enlists Allies to Stave Off China's Reach
https://www.nytimes.[...]
2010-02-05
[39]
논문
Sovereignty over Pedra Branca/Pulau Batu Puteh, Middle Rocks and South Ledge
https://scholarship.[...]
[40]
논문
China's Assertive Foreign Policy in South China Sea Under XI Jinping: Its Impact on United States and Australian Foreign Policy
https://www.neliti.c[...]
2015
[41]
뉴스
India-China face-off in South China Sea: Report
http://www.dnaindia.[...]
2011-09-02
[42]
웹사이트
Paper no. 4677 INS Airavat Incident: What does it Portend?
https://web.archive.[...]
2011-09-02
[43]
웹사이트
How India is Impacted by China's Assertiveness in the S. China Sea
http://www.gatewayho[...]
2015-06-11
[44]
뉴스
China paper warns India off Vietnam oil deal
https://web.archive.[...]
2011-10-16
[45]
웹사이트
South China Sea: India should avoid rushing in where even US exercises caution
https://web.archive.[...]
2011-09-17
[46]
뉴스
China warns India on South China Sea exploration projects
http://www.thehindu.[...]
2011-09-15
[47]
뉴스
Taiwan sticks to its guns, to U.S. chagrin
https://web.archive.[...]
1999-07-14
[48]
웹사이트
Taiwan reiterates Paracel Islands sovereignty claim
http://www.taipeitim[...]
2014-05-11
[49]
뉴스
Photo: Taiwan military exercises with Vietnam as an imaginary enemy generals admit Taiping Island
https://web.archive.[...]
2012-09-05
[49]
뉴스
Vietnam's angry at Taiwan as it stages live-fire drill in the Spratlys
https://web.archive.[...]
2012-08-12
[49]
뉴스
Vietnam Demands Taiwan Cancel Spratly Island Live Fire
https://web.archive.[...]
2013-03-01
[49]
뉴스
Taiwan unmoved by Vietnam's protest against Taiping drill
https://web.archive.[...]
2012-09-05
[50]
뉴스
Q&A: South China Sea dispute
https://www.bbc.com/[...]
2016-07-12
[51]
뉴스
Vietnam Says China Still Ramming Boats, Airs Sinking Video
https://www.bloomber[...]
2014-06-06
[52]
웹사이트
China sets the stage for a 'bloody nose' attack on US aircraft carriers, but it would backfire horribly
https://www.business[...]
2019-01-11
[53]
웹사이트
China should think twice before threatening to attack Americans
https://www.foxnews.[...]
Fox News
2019-01-04
[54]
뉴스
Forty Years After U.S. Recognition, China Is 'America's Greatest Foreign Policy Failure'
https://www.thedaily[...]
2018-12-31
[55]
웹사이트
罗援少将在2018军工榜颁奖典礼与创新峰会上的演讲 – Major General Luo Yuan's speech at the 2018 Military Industry Awards Ceremony and Innovation Summit
http://www.kunlunce.[...]
kunlunce.com/
2018-12-25
[56]
웹사이트
Senior Chinese military official urges PLAN to attack US naval vessels in S. China Sea
https://www.taiwanne[...]
Taiwan News
2018-12-08
[57]
Youtube
John M. Richardson: "Maintaining Maritime Superiority"
https://www.youtube.[...]
2019-02
[58]
뉴스
U.S. Navy ship sails in disputed South China Sea amid trade talks with Beijing
https://news.yahoo.c[...]
2019-01-07
[59]
Youtube
John M. Richardson: "Maintaining Maritime Superiority"
https://www.youtube.[...]
2019-02
[60]
웹사이트
ASEAN stops pulling punches over South China Sea
https://web.archive.[...]
2020-07-03
[61]
웹사이트
PCA Case No 2013-19
http://www.pcacases.[...]
Permanent Court of Arbitration
2016-07-12
[62]
뉴스
Timeline: South China Sea dispute
https://ghostarchive[...]
2016-07-12
[63]
잡지
China's Global Reputation Hinges on Upcoming South China Sea Court Decision
https://time.com/440[...]
2016-07-11
[64]
서적
The Art of State Persuasion: China's Strategic Use of Media in Interstate Disputes
Oxford University Press
[65]
웹사이트
Press Release: The South China Sea Arbitration (''The Republic of the Philippines v. The People's Republic of China'')
https://web.archive.[...]
PCA
2016-07-12
[66]
뉴스
Beijing rejects tribunal's ruling in South China Sea case
https://web.archive.[...]
2016-07-12
[67]
뉴스
Taiwan rejects South China Sea ruling, says will deploy another navy vessel to Taiping
https://web.archive.[...]
2016-07-12
[68]
뉴스
A UN-appointed tribunal dismisses China's claims in the South China Sea
https://web.archive.[...]
2016-07-12
[69]
뉴스
Beijing's South China Sea Claims Rejected by Hague Tribunal
https://web.archive.[...]
2016-07-12
[70]
뉴스
South China Sea: Tribunal backs case against China brought by Philippines
https://web.archive.[...]
2016-07-12
[71]
뉴스
Taiwan-controlled Taiping Island is a rock, says international court in South China Sea ruling
http://www.scmp.com/[...]
2016-07-13
[72]
웹사이트
Arbitration Support Tracker {{!}} Asia Maritime Transparency Initiative
https://amti.csis.or[...]
Center for Strategic and International Studies
2024-08-25
[73]
웹사이트
Declaration by the High Representative on behalf of the EU on the Award rendered in the Arbitration between the Republic of the Philippines and the People's Republic of China
https://web.archive.[...]
2018-02-09
[74]
뉴스
Daily Press Briefing by the Office of the Spokesperson for the Secretary-General
https://www.un.org/p[...]
United Nations
2020-10-27
[75]
간행물
南シナ海に関するフィリピンと中国との間の仲裁(仲裁裁判所による最終的な仲裁判断)(外務大臣談話)
https://www.mofa.go.[...]
外務省
2016-07-12
[76]
간행물
Limits of Oceans and Seas (Special Publication No. 23) 3rd edition
http://www.iho.int/i[...]
International Hydrographic Organization
2014-05-12
[77]
웹사이트
Statement of the DFA on the Chinese vessels in the West Philippine Sea (or South China Sea), June 4, 2011
http://www.gov.ph/20[...]
필리핀공화국 정부
2011-06
[78]
뉴스
Indonesia declares 'North Natuna Sea'
https://web.archive.[...]
NHK WORLD
2017-07-14
[79]
뉴스
【緊迫・南シナ海】インドネシア、仲裁裁定受け地図を改訂
https://www.sankei.c[...]
산케이 뉴스
2017-07-18
[80]
뉴스
インドネシアも中国と舌戦 「南シナ海」の一部呼称変更
https://www.nikkei.c[...]
日本経済新聞社
2017-07-20
[81]
웹사이트
Rename South China Sea to Asean Sea
https://www.nst.com.[...]
The Straits Times - Breaking News, Lifestyle & Multimedia News
2023-08-23
[82]
뉴스
Asserting sovereignty, Indonesia renames part of South China Sea
https://www.reuters.[...]
2023-08-23
[83]
웹사이트
Sign the Petition
https://www.change.o[...]
2023-08-23
[84]
뉴스
南シナ海を「西フィリピン海」…中国に抗議の意
http://www.yomiuri.c[...]
読売新聞社
2011-06-14
[85]
웹사이트
人民解放軍副総参謀長、「中国は漢の時代から南シナ海を管理してきた」―中国紙
http://www.xinhua.jp[...]
新華経済
2014-06-02
[86]
웹사이트
中国軍幹部 日米の発言に強く反発
http://www3.nhk.or.j[...]
NHK
2014-06-01
[87]
뉴스
中国軍幹部「首相発言は挑発」 アジア安保会議で日米批判
http://www.nikkei.co[...]
日本経済新聞社
2014-06-01
[88]
뉴스
南シナ海「2030年までに中国の湖に」米研究機関
http://www.asahi.com[...]
朝日新聞社
2016-01-21
[89]
웹사이트
「南シナ海」仲裁裁判 中国が不利な判断に備え対策検討
http://www3.nhk.or.j[...]
NHK
2016-06-30
[90]
웹사이트
南シナ海規範「骨抜き」 枠組み合意
https://mainichi.jp/[...]
毎日新聞社
2017-05-18
[91]
웹사이트
南シナ海行動規範を承認 ASEAN、中国主導で
https://www.nikkei.c[...]
日本経済新聞社
2017-08-06
[92]
웹사이트
南シナ海行動規範、交渉開始で合意=中ASEAN首脳会議
https://web.archive.[...]
時事通信社
2017-11-13
[93]
웹사이트
北朝鮮懸念、中国には配慮=ASEAN首脳会議声明発表
http://www.afpbb.com[...]
AFPBB
2017-11-16
[94]
웹사이트
南シナ海問題「懸念」消えた? ASEAN議長声明発表
http://www.asahi.com[...]
朝日新聞社
2017-11-16
[95]
웹사이트
安倍外交、対中けん制を抑制 南シナ海、トーンダウン
https://www.nikkei.c[...]
日本経済新聞社
2017-11-15
[96]
뉴스
Japan's new PM endorses Abe’s Indo-Pacific policy
https://www.theindia[...]
2020-10-20
[97]
웹사이트
米、中国の「攻撃的な」行動非難 南シナ海でフィリピン船と衝突
https://www.cnn.co.j[...]
2024-06-18
[98]
웹사이트
米、南シナ海衝突めぐり中国を非難「無責任」 フィリピン船員負傷も:朝日新聞デジタル
https://www.asahi.co[...]
2024-06-18
[99]
웹사이트
比軍兵士の指切断し銃押収 中国が南シナ海で先鋭化「さらに強力な措置も可能」
https://www.sankei.c[...]
2024-06-19
[100]
웹사이트
フィリピン水兵、南シナ海で重傷 中国海警局が「意図的に激突」
https://jp.reuters.c[...]
2024-06-18
[101]
웹사이트
比軍兵士の指切断し銃押収と報道 中国、南シナ海で先鋭化 | 共同通信
https://nordot.app/1[...]
2024-06-18
[102]
웹사이트
「法の支配は重大な危機」岸田首相、中国念頭にフィリピン議会で演説:朝日新聞デジタル
https://www.asahi.co[...]
2024-06-18
[103]
웹사이트
米、南シナ海で「国際法無視」と中国批判 国防費の透明性向上も要求 フィリピン船への放水で
https://www.sankei.c[...]
2024-06-18
[104]
웹사이트
船衝突、中国を一斉批判 米欧日「南シナ海、法順守を」
https://www.nikkei.c[...]
2024-06-18
본 사이트는 AI가 위키백과와 뉴스 기사,정부 간행물,학술 논문등을 바탕으로 정보를 가공하여 제공하는 백과사전형 서비스입니다.
모든 문서는 AI에 의해 자동 생성되며, CC BY-SA 4.0 라이선스에 따라 이용할 수 있습니다.
하지만, 위키백과나 뉴스 기사 자체에 오류, 부정확한 정보, 또는 가짜 뉴스가 포함될 수 있으며, AI는 이러한 내용을 완벽하게 걸러내지 못할 수 있습니다.
따라서 제공되는 정보에 일부 오류나 편향이 있을 수 있으므로, 중요한 정보는 반드시 다른 출처를 통해 교차 검증하시기 바랍니다.
문의하기 : help@durumis.com
