대양
"오늘의AI위키"의 AI를 통해 더욱 풍부하고 폭넓은 지식 경험을 누리세요.
1. 개요
대양은 지구 표면의 대부분을 덮고 있는 거대한 염수 덩어리를 의미하며, 태평양, 대서양, 인도양, 남극해, 북극해 등 5개의 주요 대양으로 구분된다. 대양은 지구 물의 97%를 차지하며, 지구의 기후와 생태계에 중요한 영향을 미친다. 인간은 항해, 어업, 에너지 개발 등 다양한 방식으로 대양을 이용해 왔지만, 해양 오염, 남획, 기후 변화 등으로 인해 대양 생태계는 위협받고 있다. 이에 따라 해양 보호 구역 지정, 국제 협력, 지속 가능한 어업 방식 도입 등 다양한 보호 노력이 이루어지고 있다.
더 읽어볼만한 페이지
- 대양 - 태평양
태평양은 아시아와 아메리카 대륙 사이에 위치하며 지구 표면의 약 1/3을 차지하는 세계 최대의 해양으로, 다양한 부속해와 섬, 해류를 포함하며 마리아나 해구가 있는 등 해양 오염과 환경 문제에 직면해 있다. - 대양 - 남극해
남극해는 남극 대륙을 둘러싸고 남위 60도 이남으로 간주되지만 국가별 해석이 다양하며, 남극 순환류와 독특한 해수 특성, 혹독한 기후, 풍부한 생물 다양성을 지니고 수산 및 광물 자원이 풍부하나 환경 문제에 직면하여 국제적인 보호 노력이 필요하다. - 수역 - 피오르
피오르는 빙하 침식으로 만들어진 U자형 계곡에 바닷물이 들어찬 지형으로, 입구의 문턱, 깊은 수심, 급경사 절벽이 특징이며 고위도 지역에 분포, 독특한 생태계와 경관, 수산 자원으로 활용된다. - 수역 - 홍수
홍수는 과도한 강수량, 눈 녹음, 폭풍 해일, 쓰나미 등으로 발생하는 범람 현상으로 인명 및 재산 피해, 환경 파괴를 일으키며, 기후변화로 심각성이 커짐에 따라 제방 건설, 조기 경보 시스템 구축 등 예방 대책과 취약 계층 지원이 필요하지만, 토양 비옥도 증가와 같은 긍정적인 측면도 존재한다. - 해양학 - 심해
심해는 수심 200m 이상의 깊은 바다로, 태양광이 희박하고 높은 수압, 낮은 수온, 부족한 영양분 등 극한 환경을 가지며, 독특한 심해 생물과 생태계가 존재하지만 최근 인간 활동으로 위협받고 있고, 탐사를 통해 새로운 종과 자원이 발견되고 있다. - 해양학 - 해령
해령은 대양 중앙부를 따라 뻗은 거대한 해저 산맥으로, 판이 갈라지면서 맨틀 물질이 상승하여 새로운 해양 지각이 생성되는 곳이며, 활발한 화산 활동과 높은 지각 열류량을 보인다.
2. 용어
일반적으로 "대양"과 "바다"는 서로 바꿔서 사용할 수 있지만, 엄밀히 말하면 "바다"는 육지로 부분적으로 또는 완전히 둘러싸인 수역(일반적으로 세계 대양의 분할)을 의미한다.[16][15][9][10] 북해나 홍해와 같이 특정하고 훨씬 더 작은 해수 덩어리에도 "바다"라는 단어가 사용된다. 바다와 대양 사이에는 뚜렷한 구분이 없지만, 일반적으로 바다가 더 작으며, 종종 부분적으로(주변해) 또는 완전히(내해) 육지에 접해 있다.[17]
현대의 ‘세계 대양(World Ocean)’ 개념은 20세기 초 러시아의 율리 쇼칼스키 해양학자가 제시한 것으로, 지구 대부분을 덮고 있는 연속적인 대양을 의미한다.[18][19]
'Ocean'이라는 단어는 고대 그리스 신화 속 인물인 오케아노스(Ὠκεανός|오케아노스grc[24])에서 유래되었는데, 그는 고전 그리스 신화에서 티탄의 족장이었다. 고대 그리스인과 로마인들은 오케아노스를 세상을 둘러싸는 거대한 강의 신성한 의인화로 여겼다.
2. 1. 대양과 바다
일반적으로 "대양"과 "바다"는 서로 바꿔서 사용할 수 있지만, 엄밀히 말하면 "바다"는 육지로 부분적으로 또는 완전히 둘러싸인 수역(일반적으로 세계 대양의 분할)을 의미한다.[16][15][9][10] "바다"라는 단어는 북해나 홍해와 같이 특정하고 훨씬 더 작은 해수 덩어리에도 사용된다. 바다와 대양 사이에는 뚜렷한 구분이 없지만, 일반적으로 바다가 더 작으며, 종종 부분적으로(예: 주변해) 또는 완전히(예: 내해) 육지에 접해 있다.[17]2. 2. 세계 대양 (World Ocean)
현대의 ‘세계 대양(World Ocean)’ 개념은 20세기 초 러시아의 율리 쇼칼스키 해양학자가 제시한 것으로, 지구 대부분을 덮고 있는 연속적인 대양을 의미한다.[18][19] 이 지구적이고 상호 연결된 염수 덩어리는 때때로 세계 대양(World Ocean), '지구 대양'(global ocean) 또는 '대양'(the great ocean)이라고 불린다.[20][21][22] 비교적 제한 없는 교환이 가능한 연속적인 물 덩어리에 대한 개념은 해양학에서 매우 중요하다.[23]일반적으로 여러 대양이 인식되지만, 이러한 수역은 지구 규모로 보면 하나의 연결된 해수역이며, 때로는 "세계 대양"(World Ocean)[167] 또는 "구 해양·구해"(global ocean)[168][169][170][171]이라고도 불린다.[172][173] 이와 같이, 일부를 교환하는 것이 비교적 자유롭게 이루어지는 상태에 있는 연속된 수체라는 개념은 해양학에서 중요하고 기본적인 개념이다.[174]
일반적인 대양의 구분은 대륙이나 다양한 열도 등의 기준을 가지고 구분하며, 현재는 5대양으로 분류된다[175](이하, 면적순).
- 태평양: 아시아·오스트레일리아 및 아메리카 대륙으로 구분되는 바다.
- 대서양: 아메리카 대륙·유럽 및 아프리카로 구분되는 바다.
- 인도양: 남아시아, 아프리카 및 오스트레일리아로 구분되는 바다.
- 남극해(남빙양, 남대양, 남극환해[176]): 남극을 둘러싼 바다. 태평양·대서양·인도양의 확장 부분으로 간주되기도 한다.[177]
- 북극해(북빙양, 북대양, 북극환해): 북극을 둘러싸는, 북아메리카와 유라시아로 구분되는 바다. 대서양의 확장 부분으로 간주되기도 한다.
2. 3. 어원
'Ocean'이라는 단어는 고대 그리스 신화 속 인물인 오케아노스(Ὠκεανός|오케아노스grc[24])에서 유래되었는데, 그는 고전 그리스 신화에서 티탄의 족장이었다. 고대 그리스인과 로마인들은 오케아노스를 세상을 둘러싸는 거대한 강의 신성한 의인화로 여겼다.오케아노스(Ōkeanós)의 개념은 인도유럽어족 종교와 관련이 있다. 그리스의 오케아노스는 소/강을 사로잡은 용 브리트라(Vṛtra)에게 붙는 베다의 칭호 ā-śáyāna-와 비교된다. 이러한 개념과 관련하여, 오케아노스는 초기 그리스 화병에서 용의 꼬리를 가진 모습으로 묘사된다.[25]
3. 역사
국제수로기구(IHO)는 2000년에 대서양의 남단을 남위 60도선으로 정하고, 이보다 남쪽 해역을 남극해로 하는 대양 재정의를 실시했으나, 호주의 유보 제안 등으로 인해 아직 비준되지 않았다.[185]
15세기부터 18세기까지 크리스토퍼 콜럼버스에서 제임스 쿡 시대는 해양 지리학적 발견의 시대였으며, 19세기부터 20세기 전반까지는 해양의 식민지 시대라고 불리기도 한다.[235][244] 크리스토퍼 콜럼버스는 대서양 횡단 중 해양 생물을 채집하고 해류와 기후를 기록했으며, 사르가소해를 발견했다. 페르디난드 마젤란은 태평양 수심 조사를 여러 번 실시했지만, 사용한 밧줄의 길이는 360m에 불과했다.[242]
18세기에는 항해에 필요한 체계적인 해양 연구가 이루어졌다. 벤자민 프랭클린은 북대서양의 해수 온도 측정을 통해 걸프 스트림의 상세 정보를 밝혀냈다. 제임스 쿡은 남빙양을 항해하여 하와이 제도를 발견하고, 수온 측정과 1200m까지의 수심 조사를 실시했으며, 항해에 박물학자나 천문학자 등을 동행시키는 계기를 마련했다. 19세기에는 존 로스, 벨링스하우젠, 조지 파월, 제임스 웨델, 제임스 클라크 로스 등이 수심과 수온 조사를 거듭했다.[232]
1872년부터 1876년까지 진행된 영국의 챌린저 호 탐험은 본격적인 해양 조사의 시초로 알려져 있다.[235][244] 362곳에 걸친 지구 규모의 수심 측정, 해류, 생물 등의 조사는[244] 50권의 방대한 보고서로 정리되었다.[235] 이후 독일, 스웨덴, 덴마크, 소비에트 연방 등의 탐험선이 다양한 조사를 실시했다.[235] 1892년경부터 국제적인 협력 체제에 의한 조사도 시작되었고, 1902년에는 국제 해양 탐사 위원회 (ICES)가 설립되어 각 분야의 조사 연구가 이루어졌다.[235]
20세기 초, 독일의 알프레트 베게너가 제창한 대륙 이동설은 시대를 너무 앞서갔고, 이동 동력에 대한 설명을 하지 못해 찬성을 얻지 못했다.[245] 그러나 미국이 제2차 세계 대전 중부터 지속해 온 음파를 이용한 해저 지형 조사 결과, 대서양 중심에 대규모 해저 산맥(대서양 중앙 해령)이 발견되었다. 모리스 유잉 등은 해령을 사이에 둔 대칭 구조와 멀어질수록 퇴적물이 두꺼워지는 모습을 밝혀냈다.[246] 1960년대에는 중앙 해령이 화산의 연속임이 판명되었고, 해리 해먼드 헤스와 로버트 신클레어 디츠에 의해 해양 확장설이 제창되었다. 모홀 계획은 심해 굴착 계획으로 발전하여 해양저 확장을 확인했다.[247] 국제 심해 굴착 계획을 통해 해양성 지각 분포를 지구 규모로 밝혀냈고, 잔류 자기장의 줄무늬로부터 지각 확장 경과도 알게 되었다.[210] 이러한 결과, 해양 확장설은 플레이트 테크토닉스로 발전했다.[209]
3. 1. 물의 기원
과학자들은 상당량의 물이 지구를 형성한 물질 안에 있었을 것으로 추정한다.[26] 물 분자는 지구 형성 과정에서 덜 덩어리였을 때 지구의 중력에서 더 쉽게 탈출했을 것이며, 이를 대기 탈출이라고 한다.행성 형성 동안 지구는 마그마 바다를 가지고 있었을 수 있다. 그 후, 가스 방출, 화산 활동, 운석 충돌로 인해 초기 이산화 탄소, 질소, 수증기 대기가 생성되었다. 이러한 가스와 대기는 수백만 년에 걸쳐 축적된 것으로 여겨진다. 지구 표면이 상당히 냉각된 후, 시간이 지남에 따라 수증기가 응축되어 지구의 첫 번째 바다를 형성했을 것이다.[27] 초기 바다는 오늘날보다 훨씬 더 뜨거웠을 수 있으며, 높은 철 함량으로 인해 녹색으로 보였을 것이다.[28]
지질학적 증거는 지구에 액체 상태의 물이 존재했던 시간적 범위를 제한하는 데 도움이 된다. 이수아 그린스톤 벨트에서 베개 현무암(수중 분출 동안 형성된 암석의 일종) 샘플을 채취하여 38억 년 전에 지구에 물이 존재했다는 증거를 제공한다.[29] 캐나다 퀘벡의 누부아기투크 그린스톤 벨트에서 한 연구에 따르면 38억 년 된 암석[30]과 다른 연구에 따르면 42억 8천만 년 된 암석[31]이 이 시기에 물이 존재했음을 보여준다.[29] 만약 이보다 더 일찍 바다가 존재했다면, 어떠한 지질학적 증거도 아직 발견되지 않았거나, 지각 재활용과 같은 지질학적 과정에 의해 파괴되었을 것이다. 그러나 2020년 8월, 연구자들은 행성 형성 초기부터 바다를 채울 만큼 충분한 양의 물이 지구에 항상 존재했을 수 있다고 보고했다.[32][33][34] 이 모델에서 대기 중의 온실 가스는 새롭게 형성된 태양이 현재 태양 광도의 70%만을 가지고 있었을 때 바다가 얼어붙는 것을 막았다.[35]
3. 2. 대양 형성
과학자들은 상당량의 물이 지구를 형성한 물질 안에 있었을 것으로 믿고 있다.[26] 물 분자는 지구 형성 과정에서 덜 덩어리였을 때 지구의 중력에서 더 쉽게 탈출했을 것이다. 이를 대기 탈출이라고 한다.행성 형성 동안 지구는 마그마 바다를 가지고 있었을 수 있다. 그 후, 가스 방출, 화산 활동 및 운석 충돌로 인해, 현재 이론에 따르면 초기 이산화 탄소, 질소 및 수증기 대기가 생성되었다. 이러한 가스와 대기는 수백만 년에 걸쳐 축적된 것으로 여겨진다. 지구 표면이 상당히 냉각된 후, 시간이 지남에 따라 수증기가 응축되어 지구의 첫 번째 바다를 형성했을 것이다.[27] 초기 바다는 오늘날보다 훨씬 더 뜨거웠을 수 있으며, 높은 철 함량으로 인해 녹색으로 보였을 것이다.[28]
지질학적 증거는 지구에 액체 상태의 물이 존재했던 시간적 범위를 제한하는 데 도움이 된다. 이수아 그린스톤 벨트에서 베개 현무암(수중 분출 동안 형성된 암석의 일종) 샘플을 채취하여 38억 년 전에 지구에 물이 존재했다는 증거를 제공한다.[29] 캐나다 퀘벡의 누부아기투크 그린스톤 벨트에서 한 연구에 따르면 38억 년 된 암석[30]과 다른 연구에 따르면 42억 8천만 년 된 암석[31]이 이 시기에 물이 존재했음을 보여준다.[29] 만약 이보다 더 일찍 바다가 존재했다면, 어떠한 지질학적 증거도 아직 발견되지 않았거나, 지각 재활용과 같은 지질학적 과정에 의해 파괴되었을 것이다. 그러나 2020년 8월, 연구자들은 행성 형성 초기부터 바다를 채울 만큼 충분한 양의 물이 지구에 항상 존재했을 수 있다고 보고했다.[32][33][34] 이 모델에서 대기 중의 온실 가스는 새롭게 형성된 태양이 현재 태양 광도의 70%만을 가지고 있었을 때 바다가 얼어붙는 것을 막았다.[35]
지구 대양의 기원은 알려져 있지 않다. 대양은 Hadean 누대에 형성된 것으로 추정되며, 생명체의 출현의 원인이 되었을 수 있다.
판 구조론, 빙상 후 반등, 그리고 해수면 상승은 끊임없이 세계 대양의 해안선과 구조를 변화시킨다. 지구상에는 오랜 세월 동안 다양한 형태의 전 지구적인 대양이 존재해 왔다. 대양은 형성된 이후로 많은 조건과 형태를 거쳤으며, 과거의 여러 대양 분할이 있었고, 때로는 전 세계를 덮기도 했다.[42]
더 추운 기후 기간 동안 더 많은 빙상과 빙하가 형성되고, 전 세계 물 공급량의 충분한 양이 얼음으로 축적되어 물 순환의 다른 부분의 양을 줄인다. 따뜻한 시기에는 그 반대 현상이 나타난다. 마지막 빙하기 동안 빙하는 지구 육지 면적의 거의 3분의 1을 덮었고, 그 결과 대양은 오늘날보다 약 122m 낮았다. 약 12만 5천 년 전, 마지막 전 지구적 "온난화" 시기에는 바다가 현재보다 약 5.5m 더 높았다. 약 300만 년 전에는 대양이 최대 50m 더 높았을 수 있다.[36]
3. 3. 탐험 및 연구
15세기부터 18세기까지, 즉 크리스토퍼 콜럼버스로부터 제임스 쿡 시대까지는 해양의 지리학적 발견의 시대였다. 19세기부터 20세기 전반까지는 해양의 식민지 시대라고 불리기도 한다.[235][244]크리스토퍼 콜럼버스는 대서양을 횡단하는 동안 해양 생물을 채집하고, 해류와 기후를 기록했으며, 사르가소해도 발견했다. 페르디난드 마젤란은 태평양의 수심 조사를 여러 번 실시했지만, 그가 사용한 밧줄의 길이는 360m에 불과했다.[242]
18세기에는 항해에 필요한 체계적인 해양 연구가 이루어졌다. 벤자민 프랭클린은 북대서양의 해수 온도 측정을 실시하여 걸프 스트림의 상세 정보를 밝혀냈다. 제임스 쿡(캡틴 쿡)은 남빙양을 항해하여 하와이 제도를 발견하고, 수온 측정과 1200m까지의 수심 조사를 실시했다. 그는 또한, 항해에 박물학자나 천문학자 등을 동행시키는 계기를 마련했다. 19세기에 들어서 존 로스, 벨링스하우젠, 조지 파월, 제임스 웨델, 제임스 클라크 로스 등이 수심과 수온 조사를 거듭했다.[232]
본격적인 해양 조사의 시초는 1872년부터 1876년까지 진행된 영국의 챌린저 호 탐험으로 알려져 있다.[235][244] 362곳에 걸친 지구 규모의 수심 측정, 해류, 생물 등의 조사는[244] 50권의 방대한 보고서로 정리되어 출판되었다.[235] 그 후, 독일, 스웨덴, 덴마크, 소비에트 연방 등의 탐험선이 다양한 조사를 실시했다.[235] 1892년경부터는 국제적인 협력 체제에 의한 조사도 시작되었고, 1902년에는 국제 해양 탐사 위원회 (ICES)가 설립되어 각 분야의 조사 연구가 이루어졌다.[235]
20세기 초, 독일의 알프레트 베게너가 제창한 대륙 이동설은 너무 시대를 앞서갔고, 이동을 일으키는 동력에 대한 설명을 하지 못했기 때문에 찬성을 얻지 못했다.[245] 그러나 미국이 제2차 세계 대전 중부터 지속해 온 음파를 이용한 해저 지형 조사 결과, 대서양 중심에 대규모 해저 산맥(대서양 중앙 해령)이 발견되었다. 이 지질 구조를 조사한 모리스 유잉 등에 의해 해령을 사이에 둔 대칭 구조와, 멀어질수록 퇴적물이 두꺼워지는 모습이 밝혀졌다.[246] 1960년대에는 중앙 해령이 화산의 연속임이 판명되었고, 해리 해먼드 헤스와 로버트 신클레어 디츠에 의해 해양 확장설이 제창되었다. 이를 증명하기 위해 입안된 모홀 계획은 심해 굴착 계획으로 발전하여, 해양저의 확장이 확인되었다.[247] 해양저 조사는 더 나아가 국제 심해 굴착 계획 단계로 진행되어, 해양성 지각의 분포를 지구 규모로 밝혀냈고, 잔류 자기장의 줄무늬로부터 지각이 확장된 경과도 알게 되었다.[210] 이러한 결과를 바탕으로, 해양 확장설은 플레이트 테크토닉스로 발전했다.[209]
4. 지리
국제수로기구(IHO)는 남극해를 남극 대륙을 둘러싼 수역으로 정의하며, 이는 태평양, 대서양, 인도양의 확장 영역으로 간주되기도 한다.[183] 1937년 IHO의 『해양과 바다의 경계』 제2판에서는 남극해를 "남극 대륙 주변의 해역"으로 정의했지만, 1953년 제3판에서는 "남극해의 북쪽 경계는 계절적 영향으로 설정하기 어렵다"는 이유로 정의 목록에서 제외하고 남태평양, 남대서양, 인도양의 남쪽 경계를 남극 대륙까지 확장했다.[183]
2000년 IHO는 해양 조사 결과를 바탕으로 회원국들의 의견을 수렴했다. 68개 회원국 중 28개국이 응답했고, 해류를 중시하는 해양학자들의 의견을 반영하여 아르헨티나를 제외한 모든 국가가 새로운 대양 정의 설정에 합의했다. 명칭은 "Southern Ocean"(남빙양·남대양)이 18표를 얻어 "Antarctic Ocean"(남극해)보다 많은 지지를 받았다. 경계선은 육지로 분단되지 않는 남위 60도선이 과반수의 지지를 얻었고, 남위 50도선이 다음으로 많은 표를 얻었으며, 남위 35도선도 일부 지지를 받았다. 그러나 오스트레일리아의 비준 거부로 『해양과 바다의 경계』 제4판 공표는 보류되었다.[185] 그럼에도 불구하고, 사실상 제4판의 결론은 IHO를 포함한 많은 조직, 학자, 국가에서 사용되고 있다.[189]
각국은 남빙양에 대한 독자적인 정의를 사용하기도 한다. 영국은 남위 55도선을 경계로 채택하고 있으며,[183] 오스트레일리아 지도 제작 당국은 자국과 뉴질랜드 남쪽 해안까지 남빙양에 포함하는 해석을 사용한다.[190] 그러나 뉴질랜드는 이러한 해석에 동의하지 않는다.[191]
4. 1. 5대양
국제수로기구는 전체 바다를 태평양, 대서양, 인도양, 남극해, 북극해의 5개 대양으로 나눈다.[175] 태평양, 대서양, 인도양을 합쳐 3대양이라 부르며, 이 3대양이 전체 해양 면적의 90%를 차지한다.[18]5대양은 면적순으로 다음과 같이 구분된다.[175]
- 태평양: 아시아, 오스트레일리아, 아메리카 대륙으로 둘러싸인 바다.
- 대서양: 아메리카 대륙, 유럽, 아프리카로 둘러싸인 바다.
- 인도양: 남아시아, 아프리카, 오스트레일리아로 둘러싸인 바다.
- 남극해(남빙양): 남극을 둘러싼 바다.
- 북극해(북빙양): 북극을 둘러싸고 있으며, 북아메리카와 유라시아로 둘러싸인 바다.
2000년 국제수로기구 회의에서 남극해가 공식적으로 인정되었다.[18] 남극해는 태평양, 인도양, 대서양의 일부로 보기도 한다.[18] 해양학에서는 북극해를 대서양에 속한 지중해로 취급하기도 한다. 태평양과 대서양은 적도를 기준으로 남북으로 나누기도 한다.[18]
4. 2. 해양 분지
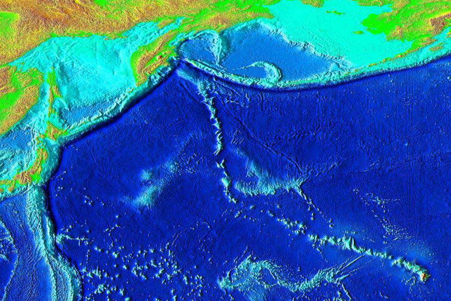
해령에서 생성되어 연결되는 두 개의 판이 해저를 구성한다(해저 확장설).[206] 이는 양방향으로 이동하며 섭입대에서 다른 해양 또는 대륙 판과 부딪혀 그 아래로 섭입한다.[207] 해령은 대서양이나 인도양에서는 대양의 중앙부에 위치하며 각각 대서양 중앙 해령, 중앙 인도양 해령이라고 불린다.[208] 태평양 판은 미국 앞바다의 동태평양 해팽에서 형성된다.[209]해양 지각은 생성된 해령에서 천천히 이동한다. 대서양에서는 연간 약 4cm의 속도로 동서로 확장되며,[206] 태평양 판은 대서양의 2배 정도의 속도로 이동한다.[210] 이 지각 부분은 해분 또는 심해저·해저 평원이라고 불린다.[192] 이 지각에 포함된 철 등의 강자성체는 지자기의 방향으로 배열되어 굳어진다(잔류 자성). 그러나 지구 자기장은 지자기 역전을 일으키는 등 일정하지 않기 때문에 잔류 자성은 해령을 중심으로 좌우 대칭의 줄무늬로 나타난다. 이 변화로부터 과거 지구 자기장이 어떻게 변화했는지 알 수 있다.[211]
해양 지각이 다른 지각과 충돌할 때 한쪽이 지구 내부로 섭입하여,[212] 해분에서 약 2km 정도 깊은 비대칭 V자 모양의[179] 해구를 만드는 경우가 있다.[207] 지구에 존재하는 해구 27곳 중 22곳은 태평양에 존재하며, 동쪽 해구는 특히 깊다.[179] 해양 지각이 섭입하는 부분은 태평양 서부의 일본 열도처럼 열도 호를 만드는 경우와 동부 칠레처럼 만들지 않는 경우가 있다.[212]
육지에 가까운 부분은 퇴적물이 쌓여 해저에 경사가 생긴다. 대륙사면은 해분에서 경사가 시작되는 부분으로, 육지 기원의 퇴적물이 도달하는 지점에 해당한다. 하지만 육지 쪽에 해구가 있는 곳에서는 형성되지 않는다.[192] 수심 3300-1500m 부근부터는 대륙사면이 이어지며, 진흙과 모래 및 자갈과 암석 외에 조개껍질도 5% 정도 섞인 퇴적물이 쌓이면서 수심 약 180m까지 급경사가 이어진다.[192] 이 앞에는 육지까지 이어지는 대륙붕이 있다.[192]
이에 비해, 해분의 퇴적물은 육지 기원의 물질이 적고, 주로 미생물 기원의 연니이다. 대양의 표층 부분은 영양소가 풍부하며, 발생한 미생물이 사멸하면 완만하게 침전되어 심층 부분에 쌓인다. 다만 퇴적되는 물질은 주로 골격이나 석회질이다.[213] 이 외에도, 기류를 타고 도달한 미세한 광물 입자나, 분화로 휩쓸려 올라온 화산재,[214] 해저 화산 분출물 및 우주진[215] 등도 포함된다. 이것들은 원양성 퇴적물이라고 불린다.[214]

대양 지형 중에는 해저에서 솟아오른 산과 언덕도 있다. 이 전형적인 예가 태평양의 하와이 제도와 천황 해산군(하와이-천황 해산 열)이다. 하와이 제도 동쪽 끝의 하와이 섬은 활화산인 마우나 로아 산・킬라우에아 산을 가진 화산섬이다. 이 지하에는 맨틀 층에서 마그마가 솟아오르는 핫스팟이 있으며, 해양 지각 위까지 분출하여 화산섬을 형성한다. 그러나 태평양 판은 서쪽으로 이동하기 때문에 화산섬은 핫스팟에서 벗어나 화산 활동에 의한 섬 형성이 이윽고 멈춘다. 그 후, 침식 작용과 해양 지각의 침강으로 섬의 표고는 점차 낮아지고, 이윽고 해면에 잠겨 해산이 된다.[216][217] 하와이-천황 해산 열은 같은 핫스팟에서 형성된 해저 화산이 웅략 해산을 경계로 열의 방향을 바꾸고 있으며, 약 4300만 년 전에 태평양 판의 이동 방향에 변화가 일어났음을 보여준다.[217]
이 화산섬이 침식을 받는 과정에서, 열대 지역에서 섬의 주변에 형성된 산호초가 충분히 발달하면, 섬이 수몰된 후에도 산호초에 의한 환초가 해수면 위에 남는다.[216][218]
4. 3. 해안과의 상호작용
육지가 바다와 만나는 지역을 해안이라고 하며, 가장 낮은 사리 때와 물보라가 닿는 가장 높은 지점 사이의 부분을 해안선이라고 한다. 해변은 해안선에 모래나 조약돌이 쌓인 것이다.[57] 곶은 바다로 돌출된 육지 지점이며, 더 큰 갑곶은 케이프라고 불린다. 해안선의 만입부, 특히 두 개의 곶 사이는 만이고, 좁은 입구가 있는 작은 만은 작은 만이며, 큰 만은 걸프라고 불릴 수 있다.[58]해안선은 해안에 도달하는 파도의 세기, 육지 경계의 경사, 해안 암석의 구성과 경도, 해안 경사면의 기울기, 국지적 융기 또는 침강으로 인한 육지 수준의 변화 등 여러 요인의 영향을 받는다.[57]
일반적으로 파도는 분당 6~8회의 속도로 해안으로 밀려오며, 이는 물질을 해변 위로 이동시키는 경향이 있고 침식 효과가 적기 때문에 건설성 파라고 한다. 폭풍 파는 연이어 해안에 도달하며, 밀려오는 파도가 해변 물질을 바다 쪽으로 이동시키기 때문에 파괴성 파라고 한다. 그들의 영향으로 해변의 모래와 조약돌은 함께 갈리고 마모된다. 만조 시에는 절벽 기슭에 부딪히는 폭풍 파의 힘은 균열과 틈새에 있는 공기가 압축된 다음 압력 해소와 함께 급격히 팽창하면서 파괴적인 효과를 갖는다. 동시에 모래와 자갈은 바위에 던져지면서 침식 효과를 낸다. 이는 절벽을 깎아내리는 경향이 있으며, 서리 작용과 같은 정상적인 풍화 과정이 뒤따르며, 더 많은 파괴를 일으킨다. 점차적으로 절벽 기슭에 파식대가 발달하며, 이는 추가적인 파도 침식을 줄이는 보호 효과를 갖는다.[57]
육지 가장자리에서 마모된 물질은 결국 바다로 흘러 들어간다. 여기에서 해안과 평행하게 흐르는 해류가 채널을 파내고 기원지에서 모래와 조약돌을 운반하기 때문에 마모의 영향을 받는다. 강에 의해 바다로 운반된 퇴적물은 해저에 정착하여 삼각주가 하구에 형성되게 한다. 이 모든 물질은 파도, 조수 및 해류의 영향으로 앞뒤로 이동한다.[57] 준설 작업은 물질을 제거하고 채널을 깊게 만들지만 해안선의 다른 곳에서 예상치 못한 영향을 미칠 수 있다. 정부는 방파제, 둑 및 기타 해상 방어 시설을 건설하여 토지의 홍수를 막기 위해 노력한다. 예를 들어, 템스 방벽은 폭풍 해일로부터 런던을 보호하도록 설계되었고,[59] 허리케인 카트리나 동안 뉴올리언스 주변의 둑과 제방의 붕괴는 미국에서 인도주의적 위기를 초래했다.
5. 물리적 특성
대양은 다양한 물리적 특성을 가지고 있으며, 이러한 특성은 지구 시스템에서 중요한 역할을 한다.
=== 색 ===
대양의 푸르스름한 색은 여러 요인이 복합적으로 작용한 결과이다. 용존된 유기물과 클로로필이 주요 요인이다.[203] 그러나 연안 해역에서는 토사 (황해), 조류 (홍해), 식물성 플랑크톤 등에 의해 색이 달라지기도 한다.[204] 쿠로시오 해류는 검푸른 색을 띠는데, 이는 함유 물질이 적고 투명도가 높아 청색을 덜 흡수하기 때문이다.[205]
=== 물 순환, 날씨, 강수량 ===
대양은 지구 전체 물 순환에서 가장 큰 부분을 차지하며(지구 물의 97%),[60] 생물권에도 큰 영향을 미친다(지구 생물권의 약 90%).[56] 대양에서의 증발은 강수량의 약 90%를 차지하며,[60] 전 세계적으로 67%의 구름 덮개와 일관적인 대양 구름 덮개 72%를 유발한다.[61] 해양 온도는 기후와 육상 생물에 영향을 미치는 바람 패턴을 형성하며, 열대 저기압(태풍, 허리케인)과 같은 극단적인 날씨 현상도 대양에서 발생한다.
=== 파도와 너울 ===
해양 표면의 움직임은 부분적이고 교번적인 상승과 하강, 즉 요동으로 나타난다. 물과 공기의 경계면을 따라 전파되는 일련의 역학적 파동을 너울이라고 하며, 항해, 서핑 등에 영향을 미친다.[62]
바람은 물 표면에 파동을 일으키는데, 약한 바람은 잔물결을, 강한 바람은 더 큰 파도를 만든다. 파도는 이동 속도가 바람의 속도와 거의 같을 때 최대 높이에 도달하며, 포효하는 40도처럼 지속적인 바람이 부는 곳에서는 너울이 발생한다.[63][64][65] 바람이 약해져도 파도는 육지에 닿을 때까지 이동하며, 다른 파도와 만나면 간섭하여 불규칙한 바다를 만들 수 있다.[64]
보강 간섭은 비정상적으로 높은 괴물 파도를 만들 수 있다.[66] 대부분의 파도는 3m 미만이지만,[66] 강한 폭풍으로 인해 두 배 이상 높아지기도 한다.[67] 괴물 파도는 25m 이상으로 기록되기도 한다.[68][69]
파도의 최고점은 마루, 최저점은 골, 마루 사이의 거리는 파장이라고 한다. 파도가 얕은 물로 이동하면 속도가 느려지고 파고가 증가하며(파고 천퇴), 특정 한계를 넘으면 부서진다.[66] 부서진 파도는 해변 위로 돌진한 후 중력에 의해 바다로 후퇴한다.[70]
=== 해수면과 표면 ===
해양 표면은 해양학 및 지리학에서 중요한 기준점이며, 평균 해수면으로 사용된다.[1] 해양 표면은 해양 표면 지형과 같이 측정 가능한 지형을 가지기도 한다.[1]
해양 표면은 해양 및 대기 과정에서 중요한 경계면으로,[1] 입자 교환, 공기와 물의 순환, 퇴적물 형성에 기여하며, 해양, 육지, 공중 생명체를 풍요롭게 한다.[1] 이러한 과정과 구성 요소는 해양 표면 생태계를 이룬다.[1]
=== 조수 ===
조석은 주로 달의 조석력에 의해 발생하는 해수면의 규칙적인 오르내림 현상이다. 조석력은 지구상의 모든 물질에 영향을 주지만, 해양과 같은 유체에서 그 효과가 뚜렷하다.[73] 해양 조석은 태양의 조석력, 지구의 자전, 대륙의 형태 등에 의해서도 영향을 받는다. 달의 조석력은 태양보다 2배 이상 강하다.[73]
달의 조석력은 지구 물질을 달 쪽으로, 그리고 달과 가장 가까운 쪽과 먼 쪽으로 부풀게 한다. 지구가 달 아래에서 자전하는 데 약 25시간이 걸리므로, 조석은 12.5시간 주기로 순환한다. 그러나 대륙이 조석 융기를 방해하기 때문에, 대부분의 지역에서 조석 극대화 시점은 달과 일치하지 않을 수 있다. 조석의 시기와 규모는 대륙의 영향으로 전 세계적으로 다르므로, 특정 지역의 조석을 예측하려면 조석표가 필요하다.
각 조석 주기마다 만조와 간조가 나타나며, 만조와 간조 사이의 높이 차이를 조석 범위(조석 진폭)라고 한다.[74][75] 태양과 달이 정렬될 때(보름달 또는 그믐달)는 사리, 어긋날 때(반달)는 조금이 발생한다.[74]
외해에서 조석 범위는 1m 미만이지만, 연안 지역에서는 10m 이상으로 증가하기도 한다.[76] 세계에서 가장 큰 조석 범위는 캐나다의 펀디만과 웅가바만에서 발생하며, 최대 16m에 달한다.[77] 브리스톨 해협, 쿡만, 갈레고스강 등도 기록적인 조석 범위를 보인다.[78]
조석은 강한 바람과 저기압 시스템이 결합하여 발생하는 폭풍 해일과 혼동되어서는 안 된다.
=== 깊이 ===
해양의 평균 깊이는 약 3688m이며,[64] 거의 절반이 3000m보다 깊다.[22] 수심 200m 이하를 "심해"라고 하며, 지구 표면의 약 66%를 덮고 있다.[79] 카스피해와 같은 내해는 이 수치에 포함되지 않는다.
마리아나 해구는 북마리아나 제도 근처 태평양에 위치하며, 가장 깊은 곳은 10971m로 추정된다.[80] 1951년 영국 해군 함선 ''챌린저 II''가 챌린저 해연으로 명명했으며, 1960년 트리에스테가 해구 바닥에 도달했다.
=== 해양 구역 ===
해양학자들은 물리적, 생물학적 조건을 기준으로 해양을 수직 및 수평 구역으로 분류한다. 원양(pelagic zone)은 열린 대양의 수주를 의미하며, 빛의 양과 깊이에 따라 세분화된다.[83]
대양의 층은 빛의 투과에 따라 (위에서 아래로) 유광층, 중심해층, 무광 심해층으로 나뉜다.
- 유광층: 빛의 강도가 표면 값의 1%에 불과한 깊이로 정의되며,[81] 일반적으로 약 200m 깊이까지이다. 광합성이 가능하여 생물 다양성이 가장 높다.
- 중심해층: 유광층 아래에 위치하며, 빛이 거의 없어 광합성이 어렵다.[81]
- 무광 심해: 표면 햇빛이 전혀 투과되지 않으며, 열수 분출구가 에너지원 역할을 한다.[83]
심해대(aphotic zone)의 부유(pelagic) 부분은 수심과 온도를 기준으로 다음과 같이 나뉜다:[83]
저서대(benthic)는 무광대(aphotic)이며 심해의 세 구역과 일치한다.
해수 표면과 심층수 사이의 뚜렷한 경계는 열염약층(온도), 염분약층(염분), 화학약층(화학), 밀도약층(밀도)으로 나타난다.
표영 구분대는, 무광층 부분의 수체의 밑바닥 모양에 따라서도 구분된다. 이것은, 심해의 3개의 모양에 대응한다.
표영 구분대는 또, 연안 지대와 해양 지대의 2개로 나눌 수 있다.
또, 연안대(littoral zone)와 조간대(intertidal zone)라는 구분도 있다. 전자는 만조와 간조 사이에 위치하며, 바다와 육지의 경계에 해당하는 부분이다. 후자는 조위가 영역에 영향을 주는 부분이다.[199]
=== 부피 ===
세계 대양의 부피는 약 13억 세제곱킬로미터(3억 1000만 세제곱마일)이며,[201] 입방체로 환산하면 한 변은 1111km이다.
=== 온도 ===
해양 온도는 해수 표면에 닿는 태양 복사량에 따라 달라진다. 열대 지역에서는 표층 온도가 30°C 이상, 극지방에서는 해빙과 평형을 이루는 -2°C 정도이다. 해양에는 순환이 있어, 따뜻한 표면 해류는 열대에서 멀어지며 냉각되고, 밀도가 높아져 가라앉는다. 차가운 물은 심해 해류로 적도를 향해 이동 후 다시 솟아오르며, 심해의 물은 전 세계적으로 -2°C에서 5°C 사이이다.[86]
수심에 따른 온도 구배는 표층수가 깊은 물과 섞이는 정도에 따라 달라진다. 열대 지역에서는 약 100m 깊이의 따뜻한 표층이 안정적으로 유지되어 깊은 물과 잘 섞이지 않지만, 극지방 근처에서는 겨울철 냉각과 폭풍으로 인해 표층이 밀도가 높아져 깊은 곳까지 섞이고 여름에는 다시 성층화된다. 광합성 작용 깊이는 약 100m이며, 이 가열된 표층과 관련이 있다.[114]
=== 지역별 온도 및 염분 ===
대양의 수온과 염분은 지역의 물 수지(강수량 대 증발량)와 "해양-대기" 온도 경사 차이 때문에 지역에 따라 크게 달라진다.[87][88][89][90][91]
=== 해빙 ===
일반적으로 염도 35‰의 해수는 어는점이 약 -1.8°C이다.[83][92] 해빙은 물보다 밀도가 낮아 해수면에 뜨며, 지구 표면의 약 7%, 전 세계 바다의 약 12%를 덮고 있다.[93][94][95] 해빙은 처음에는 얇은 막으로 얼기 시작하여 빙상을 형성한다. 형성된 얼음은 약간의 바닷소금을 포함하지만, 형성된 해수보다는 적다. 낮은 염도로 얼음이 형성되면 염분 농도가 높은 잔류 해수가 생성되어 밀도가 증가하고, 수직 침강을 촉진한다.[96]
=== 해류와 지구 기후 ===
해류는 바람, 코리올리 효과, 온도, 염분 차이 등 여러 힘에 의해 발생하는 지속적이고 방향성 있는 해수의 흐름이다.[97] 해류는 주로 수평적인 물의 움직임이며, 바람과 파도는 표층 해류를 생성한다. 이러한 해류는 코리올리 힘에 의해 영향을 받는다.
해류는 바람, 해수 밀도,[219] 고저차[220] 등의 힘에 의해 발생하며, 육지나 해저 형태, 수심의 영향을 받는다.[219] 깊은 바다에서는 코리올리 효과가 크게 작용하여 해류 방향이 꺾인다. 바람이 해수면을 움직이면 코리올리 효과로 인해 북반구에서는 오른쪽, 남반구에서는 왼쪽으로 꺾인다. 이 움직임은 아래 물에도 영향을 주어 더 꺾이게 하며, 깊은 수심까지 단계적으로 쌓여 해수 전체에서는 표면류 이상의 각도를 갖는 방향으로 흐른다.[220]
심해 수온은 열대 지방에서도 2℃ 전후로 낮은데, 이는 태양광 때문이 아니라[225] 양극에서 냉각되어 침강한 해수가 대양을 흐르며 공급되기 때문이다. 이를 해양 대순환[226] 또는 열염 순환[227]이라고 한다.
멕시코 만류(걸프 스트림)는 북대서양을 흘러 서유럽을 따뜻하게 한다. 플로리다 반도 부근의 해수를 그레이트브리튼 섬 연안까지 운반하여 주변 육지를 따뜻하게 하는데, 왓카나이의 연평균 기온(6.6℃)보다 런던의 평균 기온(10.0℃)이 높은 것이 그 예이다.[221]
해안선에서 낮과 밤에 부는 해풍과 육풍처럼, 대양과 대륙 사이에서 대규모로 발생하는 현상이 아시아의 몬순이다. 여름(6-8월)에는 인도 아대륙이 따뜻해져 상승 기류가 생기고 기압이 낮아진다. 저온의 인도양은 고기압 상태가 되어 남풍이 불어오고, 코리올리 힘에 의해 북동쪽으로 꺾여 중국 대륙이나 일본 열도까지 불어와 장마를 발생시킨다. 12-2월에는 대륙성 고기압이 우세해져 북동에서 남서로 바람이 분다.[229]
5. 1. 색
대양의 푸르스름한 색은 여러 요인이 복합적으로 작용하여 만들어진다. 특히 영향을 미치는 것은 용존된 유기물과 클로로필이다.[203] 그러나 연안 해역에서 보이는 토사의 색(황해), 조류의 색(홍해) 또는 식물성 플랑크톤의 황색이 섞여 보이는 벽색이 되는 경우는 드물다.[204] 쿠로시오 해류는 보이는 색깔에서 유래된 이름이지만, 이 해류는 함유 물질이 적고 투명도가 높기 때문에 파장이 짧은 청색을 비교적 흡수하지 않아 검푸르게 보이는 것을 어원으로 한다.[205]5. 2. 물 순환, 날씨, 강수량
대양수는 지구 전체 물 순환에서 가장 큰 물 덩어리를 차지한다(대양은 지구 물의 97%를 포함한다). 대양으로부터의 증발은 물을 대기 중으로 이동시켜 나중에 육지와 대양으로 다시 비로 내리게 한다.[60] 대양은 생물권에 상당한 영향을 미친다. 대양 전체는 지구 생물권의 약 90%를 덮고 있는 것으로 생각된다.[56] 물 순환의 한 단계인 대양 증발은 대부분의 강수량(약 90%)의 원천이며,[60] 전 세계적으로 67%의 구름 덮개와 일관적인 대양 구름 덮개 72%를 유발한다.[61] 해양 온도는 기후와 육상 생물에 영향을 미치는 바람 패턴에 영향을 미친다. 가장 극적인 형태의 날씨 중 하나는 대양에서 발생한다: 열대 저기압 (시스템이 형성되는 위치에 따라 "태풍" 및 "허리케인"이라고도 함).5. 3. 파도와 너울
해양 표면의 움직임은 부분적이고 교번적인 상승과 하강으로, 요동이라고도 한다. 물과 공기의 경계면을 따라 전파되는 일련의 역학적 파동을 너울이라고 하며, 항해, 서핑 등에서 사용된다.[62]물 표면 위로 부는 바람은 바람의 방향에 수직인 파동을 형성한다. 약한 미풍은 잔물결을, 더 강한 돌풍은 더 큰 파도를 일으킨다. 파도는 이동 속도가 바람의 속도와 거의 일치할 때 최대 높이에 도달한다. 포효하는 40도에서처럼 바람이 지속적으로 부는 개방된 해역에서는 너울이 발생한다.[63][64][65] 바람이 약해져도 이미 형성된 파도는 육지에 닿을 때까지 원래 방향으로 계속 이동한다. 파도의 크기는 유효거리, 바람의 강도와 지속 시간에 따라 달라진다. 다른 방향에서 오는 파도와 만나면 간섭으로 인해 파선되고 불규칙한 바다가 될 수 있다.[64]
보강 간섭은 비정상적으로 높은 괴물 파도를 형성할 수 있다.[66] 대부분의 파도는 3m 미만이며,[66] 강한 폭풍이 그 높이를 두 배 또는 세 배로 만드는 것은 드문 일이 아니다.[67] 그러나 괴물 파도는 25m 이상의 높이로 기록되기도 했다.[68][69]
파도의 최고점은 마루, 최저점은 골, 마루 사이의 거리는 파장이라고 한다. 파도가 육지에 접근하여 얕은 물로 이동하면 행동이 바뀐다. 각도로 접근하는 경우 파도는 구부러지거나(굴절) 바위와 곶을 감쌀 수 있다(회절). 파도가 해저에 닿는 지점에 도달하면 속도가 느려지고, 파고가 증가하는데, 이를 파고 천퇴라고 한다. 파도의 높이와 수심의 비율이 특정 한계를 초과하면 거품이 이는 물덩어리로 넘어져 "부서지며",[66] 이는 중력의 영향으로 바다로 후퇴하기 전에 해변 위로 시트 형태로 돌진한다.[70]
5. 4. 해수면과 표면
해양 표면은 해양학 및 지리학에서 중요한 기준점이며, 특히 평균 해수면으로 사용된다.[1] 해양 표면은 전반적으로 미미하지만, 해양의 부피에 따라 해양 표면 지형과 같이 측정 가능한 지형을 가진다.[1]해양 표면은 해양 및 대기 과정에서 중요한 경계면이다.[1] 입자 교환을 허용하고, 공기와 물을 풍부하게 하며, 일부 입자가 퇴적물이 되면서 토양을 형성한다.[1] 이러한 교환은 해양, 육지 및 공중의 생명체를 비옥하게 했다.[1] 이러한 모든 과정과 구성 요소가 함께 해양 표면 생태계를 구성한다.[1]
5. 5. 조수
조석은 주로 달의 중력 조석력에 의해 발생하는, 바다 수위가 규칙적으로 오르내리는 현상이다. 조석력은 지구상의 모든 물질에 영향을 주지만, 해양과 같은 유체만이 인간의 시간 척도에서 그 효과를 뚜렷하게 나타낸다.[73] 조석은 주로 달의 중력 때문에 발생하지만, 해양 조석은 태양의 조석력, 지구의 자전, 그리고 해양 수류를 막는 암석 대륙의 형태에 의해서도 크게 영향을 받는다. 달이 지구에 미치는 조석력은 태양이 지구에 미치는 중력보다 훨씬 강함에도 불구하고, 태양의 조석력보다 2배 이상 강하다.[73]달의 조석력은 지구 물질을 달을 향해, 그리고 지구에서 달과 가장 가까운 쪽과 가장 먼 쪽으로 부풀게 하는 것이 주된 효과이다. 지구가 달 아래에서 자전하는 데 거의 25시간이 걸리고(달이 지구 주위를 28일 동안 공전하는 것을 고려하면), 조석은 12.5시간 주기로 순환한다. 그러나 암석 대륙이 조석 융기를 방해하기 때문에, 대부분의 지역에서 조석이 극대화되는 시점은 실제로 달과 일치하지 않을 수 있다. 이는 대양이 대륙을 "피해야" 하기 때문이다. 조석의 시기와 규모는 대륙의 영향으로 인해 전 세계적으로 크게 달라진다. 따라서 특정 지역의 조석 시기를 예측하려면 달의 위치뿐만 아니라 대륙과 태양 등을 고려한, 미리 계산된 조석표가 필요하다.
각 조석 주기마다, 주어진 지점에서 조석은 최고 수위인 만조까지 상승했다가 최저 수위인 간조로 다시 낮아진다. 물이 빠지면서 전해안, 즉 조간대가 점차 드러난다. 만조와 간조 사이의 높이 차이를 조석 범위 또는 조석 진폭이라고 한다.[74][75] 태양과 달이 정렬될 때(보름달 또는 그믐달), 이들의 결합된 효과로 인해 더 높은 "사리"가 발생하고, 태양과 달이 어긋날 때(반달)는 조석 범위가 더 작아진다.[74]
외해에서 조석 범위는 1m 미만이지만, 연안 지역에서는 일부 지역에서 10m 이상으로 증가한다.[76] 세계에서 가장 큰 조석 범위는 캐나다의 펀디만과 웅가바만에서 발생하며, 최대 16m에 달한다.[77] 기록적인 조석 범위를 가진 다른 지역으로는 잉글랜드와 웨일스 사이의 브리스톨 해협, 알래스카의 쿡만, 아르헨티나의 갈레고스강 등이 있다.[78]
조석은 강한 바람이 얕은 지역에서 해안으로 물을 밀어 올리고, 이것이 저기압 시스템과 결합하여 해수면을 일반적인 만조보다 훨씬 더 높게 상승시킬 수 있는 폭풍 해일과 혼동되어서는 안 된다.
5. 6. 깊이
해양의 평균 깊이는 약 4km이다. 좀 더 정확하게는 평균 깊이는 3688m이다.[64] 세계 해양의 거의 절반이 3000m보다 깊다.[22] 수심 200m 이하를 "심해"라고 하며, 심해는 지구 표면의 약 66%를 덮고 있다.[79] 이 수치에는 카스피해와 같이 세계 대양에 연결되지 않은 바다는 포함되지 않는다.해양에서 가장 깊은 지역은 마리아나 해구로, 북마리아나 제도 근처 태평양에 있다.[80] 마리아나 해구의 최대 깊이는 10971m로 추정된다. 1951년 영국 해군 함선 ''챌린저 II''는 마리아나 해구를 측량했고, 해구의 가장 깊은 부분을 "챌린저 해연"으로 명명했다. 1960년에는 트리에스테가 두 명의 승무원을 태우고 해구 바닥에 도달했다.
5. 7. 해양 구역
해양학자들은 물리적 및 생물학적 조건을 기준으로 해양을 수직 및 수평 구역으로 분류한다. 원양(pelagic zone)은 열린 대양의 수주로 구성되며, 빛의 양과 깊이에 따라 더 세분화될 수 있다.[83]대양의 층은 빛의 투과에 따라 (위에서 아래로) 유광층, 중심해층, 그리고 무광 심해층으로 나눌 수 있다.
- 유광층은 "빛의 강도가 표면 값의 1%에 불과한 깊이"로 정의된다.[81] 이는 일반적으로 열린 대양에서 약 200m 깊이까지이다. 이곳은 광합성이 일어날 수 있는 지역이며, 따라서 가장 생물 다양성이 높다.
- 유광층 아래는 아주 적은 양의 빛이 있는 중심해층 또는 황혼층이다. 기본적인 개념은 빛이 거의 없기 때문에 광합성이 호흡보다 순 성장을 달성하기 어려울 것이라는 것이다.[81]
- 그 아래는 표면 햇빛이 전혀 투과되지 않는 무광 심해이다. 열수 분출구는 무광층 (깊이 200m 이상)에서 에너지원이다.[83]
심해대(aphotic zone)의 부유(pelagic) 부분은 수심과 온도를 기준으로 수직 영역으로 더 나눌 수 있다:[83]
저서대(benthic)는 무광대(aphotic)이며 심해의 세 구역과 일치한다.
해수 표면과 심층수 사이의 뚜렷한 경계는 물의 특성을 기반으로 그릴 수 있다. 이러한 경계는 열염약층(온도), 염분약층(염분), 화학약층(화학), 밀도약층(밀도)이라고 한다.
표영 구분대는, 무광층 부분의 수체의 밑바닥 모양에 따라서도 구분된다. 이것은, 심해의 3개의 모양에 대응한다.
표영 구분대는 또, 연안 지대와 해양 지대의 2개로 나눌 수 있다.
또, 연안대(littoral zone)와 조간대(intertidal zone)라는 구분도 있다. 전자는 만조와 간조 사이에 위치하며, 바다와 육지의 경계에 해당하는 부분이다. 후자는 조위가 영역에 영향을 주는 부분이다.[199]
5. 8. 부피
세계 대양의 부피는 약 13억 세제곱킬로미터(3억 1000만 세제곱마일)이며[201], 입방체로 환산하면 한 변은 1111km가 된다.5. 9. 온도
해양 온도는 해수 표면에 닿는 태양 복사량에 따라 달라진다. 태양이 거의 정점에 있는 열대 지역에서는 표층 온도가 30°C 이상으로 상승할 수 있으며, 극지방 근처에서는 해빙과 평형을 이루는 온도가 약 -2°C이다. 해양에는 물의 지속적인 순환이 있다. 따뜻한 표면 해류는 열대 지역에서 멀어지면서 냉각되고, 물은 더 밀도가 높아져 가라앉는다. 차가운 물은 온도와 밀도 변화에 의해 추진되어 심해 해류로 적도를 향해 이동한 후 결국 표면으로 다시 솟아오른다. 심해의 물은 전 세계적으로 -2°C에서 5°C 사이의 온도를 갖는다.[86]수심에 따른 온도 구배는 표층수가 더 깊은 물과 섞이는 방식 또는 섞이지 않는 방식과 관련이 있다(혼합이 없는 것을 '해양 성층화'라고 한다). 이는 온도에 따라 달라진다. 열대 지역에서는 약 100m 깊이의 따뜻한 표층이 상당히 안정적이며 더 깊은 물과 많이 섞이지 않는 반면, 극지방 근처에서는 겨울철 냉각과 폭풍으로 인해 표층이 더 밀도가 높아지고 깊은 곳까지 섞이며 여름에는 다시 성층화된다. 광합성 작용 깊이는 일반적으로 약 100m이며(하지만 변동이 있음) 이 가열된 표층과 관련이 있다.[114]
5. 10. 지역별 온도 및 염분
대양의 수온과 염분은 지역의 물 수지(강수량 대 증발량)와 "해양-대기" 온도 경사의 차이 때문에 지역에 따라 크게 달라진다.[87][88][89][90][91] 아래 표는 해양 지역별 특성과 그에 따른 일반적인 값을 나타낸다.
5. 11. 해빙
일반적으로 염도 35‰의 해수는 어는점이 약 -1.8°C이다.[83][92] 해빙은 물보다 밀도가 낮기 때문에 바다 표면에 뜬다. 해빙은 지구 표면의 약 7%, 전 세계 바다의 약 12%를 덮고 있다.[93][94][95] 해빙은 보통 표면에서 처음에는 매우 얇은 얼음 막으로 얼기 시작하며, 추가적인 결빙이 발생하면 이 얼음 막이 두꺼워져 빙상을 형성할 수 있다. 형성된 얼음은 약간의 바닷소금을 포함하지만, 형성된 해수보다는 훨씬 적다. 이렇게 낮은 염도로 얼음이 형성되면 염분 농도가 더 높은 잔류 해수가 생성된다. 이는 밀도를 증가시켜 물의 수직 침강을 촉진한다.[96]5. 12. 해류와 지구 기후
해류는 바다에 작용하는 여러 힘에 의해 발생하는 지속적이고 방향성 있는 해수의 흐름이다. 여기에는 바람, 코리올리 효과, 온도 및 염분 차이가 포함된다.[97] 해류는 주로 수평적인 물의 움직임이며, 바람과 파도는 표층 해류를 생성한다. 이러한 해류는 지구 순환의 영향(코리올리 힘)에 의해서도 발생한다.해류를 일으키는 힘에는 바람 또는 해수의 밀도[219] 및 고저차[220] 등이 있으며, 육지나 해저의 형태 또는 수심의 영향을 받는다.[219] 대양과 같이 깊은 바다에서는, 이러한 해류를 일으키는 작용에 지구의 자전으로 생기는 코리올리 효과가 크게 영향을 미쳐 그 방향이 꺾인다. 항시 부는 바람이 대양 표면의 물을 바람 방향과 같은 방향으로 움직이려 하면, 거기에 코리올리 효과가 더해져 북반구에서는 오른쪽으로, 남반구에서는 왼쪽으로 꺾인다. 이 표면류의 움직임은 바로 아래의 물도 움직이려 하지만, 이것에도 코리올리 효과가 영향을 미쳐 더욱 꺾인다. 이것이 힘을 약화시키면서 깊은 수심까지 단계적으로 쌓여, 해수 전체에서는 표면류 이상의 각도를 갖는 방향으로 흐른다.[220]
심해의 수온은 열대 지방에서도 2℃ 전후로 낮다. 그 이유는 태양광이 도달하지 않아 데워지지 않기 때문이라고 생각하기 쉽지만, 이것은 오해이다.[225] 심해의 해수는 양극에 가까운 곳에서 냉각되어 침강하며, 그것이 대양을 지구 규모로 흐름으로써 공급된다. 이것을 해양 대순환[226] 또는 열염 순환[227]이라고 한다.
멕시코 만류(걸프 스트림)는 북대서양을 남서쪽에서 북동쪽으로 흘러가며 서유럽을 따뜻한 기후로 유지하는 역할을 한다. 이 해류는 열대·아열대 기후에서 데워진 플로리다 반도 부근의 해수를 멀리 떨어진 그레이트브리튼 섬 연안까지 운반한다. 이로 인해 주변 육지는 따뜻해지는데, 예를 들어 북위 45도에 위치한 왓카나이의 연평균 기온은 6.6℃에 머무는 반면, 북위 51도에 위치한 런던의 평균 기온은 10.0℃에 달한다.[221]
해안선에서 낮과 밤에 각각 부는 해풍과 육풍의 메커니즘과 같은 현상이, 대양과 대륙 사이에서 대규모로 발생하여 아시아의 몬순이 된다. 여름의 6-8월은 인도 아대륙이 상대적으로 따뜻해져 상승 기류를 생성하고, 이 지역의 기압은 낮아진다. 그러면 저온의 인도양이 고기압 상태가 되어, 그곳에서 남풍이 흘러 들어온다. 이 바람의 방향은 코리올리 힘의 영향을 받아 북동쪽으로 꺾여 중국 대륙이나 일본 열도까지 불어와 일본에 장마를 발생시킨다. 12-2월에는 이 관계가 역전되어 대륙성 고기압이 우세해져 북동에서 남서로 바람이 흐른다.[229]
6. 화학적 특성
대양의 화학적 특성은 해수의 성분과 관련된 여러 가지 요소를 포함한다.
해수에는 산소, 이산화 탄소, 질소 등 다양한 기체가 녹아 있다. 이러한 기체는 해수 표면에서 기체 교환을 통해 유입되며, 물의 온도와 염분에 따라 용해도가 달라진다.[107] 차가운 물일수록 기체가 더 잘 녹는다. 예를 들어, 온도가 30°C에서 0°C로 낮아지면 산소 농도는 거의 두 배로 증가한다.[109][112]
표층 해양에서는 광합성을 통해 산소가 방출되고 이산화탄소가 소비된다. 식물성 플랑크톤과 같은 미세 조류가 이 과정을 주도한다. 깊은 해양에서는 유기물이 분해되면서 산소가 소비되고 이산화탄소가 방출된다.[114] 이러한 이산화탄소 순환은 지구 탄소 순환의 중요한 부분이다.
해양은 탄소 흡수원 역할을 하여 대기 중 이산화탄소를 흡수한다. 맹그로브나 염생 습지와 같은 연안 해양 서식지는 "블루 카본"이라고 불리는 탄소 흡수 과정에 중요한 역할을 한다.
해수 pH 값은 약 8.05[117]에서 8.08[118] 사이로 약알칼리성을 띈다. 1950년에서 2020년 사이에 해수 표면 평균 pH는 약 8.15에서 8.05로 낮아졌다.[120] 이는 인간 활동으로 인한 이산화 탄소 배출이 주요 원인이며, ''해양 산성화''라고 불린다.[121] 대기 중 CO2가 해양에 흡수되면 탄산이 생성되고, 이는 중탄산 이온과 수소 이온으로 분해된다. 수소 이온의 증가는 해양 pH를 낮춘다.
알칼리도는 해수에서 염기와 산의 균형을 의미하며, 화학적 완충제 역할을 하여 pH를 조절한다. 해수에는 탄산염, 중탄산염, 붕산염 이온 등이 알칼리도에 기여한다.[114]
대양에는 다양한 화학 원소가 용해되어 있으며, 각 원소의 농도는 공급 속도와 제거 속도에 따라 달라진다. 원소는 강, 대기, 열수 분출구 등을 통해 유입되고, 퇴적물 침강, 매몰, 증발 등을 통해 제거된다. 원소의 체류 시간은 제거되기 전까지 대양에 용해되어 있는 평균 시간을 의미한다.
질소, 인, 철, 칼륨 등은 생명에 필수적인 영양소이다. 이들은 유기 물질 분해와 퇴적물 침강을 통해 해양에서 지속적으로 제거된다.
6. 1. 염분
염분은 해수에 녹아있는 총 염의 양을 나타내는 척도이다. 원래는 해수 중 염화물의 양을 측정하여 염소량이라고 불렀다. 현재는 물 샘플의 전기 전도도를 측정하는 것이 표준 관행이다. 염분은 해수 내의 총 할로젠 이온(플루오린, 염소, 브로민, 요오드 포함)의 양을 측정하는 염소량을 사용하여 계산할 수 있다. 국제 협정에 따라, 염분을 결정하기 위해 다음 공식을 사용한다.[102]:염분 (‰) = 1.80655 × 염소량 (‰)
평균 해수의 염소량은 약 19.2‰이며, 따라서 평균 염분은 약 34.7‰이다.[102]
염분은 해수의 밀도에 큰 영향을 미친다. 깊이에 따른 염분 증가가 급격한 구역을 할로클라인이라고 한다. 해수의 염분 함량이 증가함에 따라 최대 밀도가 발생하는 온도도 높아진다. 염분은 물의 어는점과 끓는점에 모두 영향을 미치며, 끓는점은 염분과 함께 증가한다. 대기압에서[103], 일반적인 해수는 약 −2 °C에서 언다.
염분은 증발이 더 많은 지구의 해양에서 더 높고 강수량이 더 많은 곳에서 더 낮다. 강수량이 증발량을 초과하는 경우, 극지방 및 일부 온대 기후 지역의 경우처럼, 염분은 낮아질 것이다. 증발이 강수량을 초과하는 경우, 때때로 열대 지역의 경우처럼, 염분은 더 높아질 것이다. 예를 들어, 지중해에서는 증발이 강수량보다 많아 평균 염분이 38‰로, 세계 평균 34.7‰보다 더 높다.[104] 따라서 극지방의 해양수는 열대 지역의 해양수보다 염분 함량이 낮다.[102] 그러나 해빙이 고위도에서 형성될 때, 소금은 얼음이 형성되면서 얼음에서 배제되어 북극해와 같은 극지방의 잔류 해수의 염분을 증가시킬 수 있다.[83][105]
기후 변화가 해양에 미치는 영향으로 인해, 1950년에서 2019년 사이의 해수면 염분 관측 결과에 따르면 염분과 증발이 높은 지역은 더 짜게 되고 염분과 강수량이 낮은 지역은 더 신선해졌다.[106] 태평양과 남극해/남해는 신선해지고 대서양은 더 짜게 되었을 가능성이 매우 높다.[106]
6. 2. 용존 기체
해양에는 산소, 이산화 탄소, 질소를 포함한 다량의 용존 기체가 포함되어 있다. 이러한 기체는 해수 표면에서 기체 교환을 통해 해수에 용해되며, 이러한 기체의 용해도는 물의 온도와 염분에 따라 달라진다.[107] 지구 대기와 해양에서 가장 풍부한 네 가지 기체는 질소, 산소, 아르곤, 이산화 탄소이다. 해양 부피를 기준으로, 해수에 용해된 가장 풍부한 기체는 평형 상태에서 이산화 탄소(탄산수소염 및 탄산염 이온 포함, 평균 14mL/L), 질소(9mL/L), 산소(5mL/L)이며, 온도는 24°C이다.[109][110][111] 모든 기체는 따뜻한 물보다 차가운 물에서 더 잘 용해된다. 예를 들어, 염분과 압력이 일정하게 유지될 때, 물의 온도가 따뜻한 여름날 30°C에서 어는점 0°C으로 떨어지면 산소 농도가 거의 두 배로 증가한다. 마찬가지로, 이산화 탄소와 질소 기체도 차가운 온도에서 더 잘 용해되며, 용해도는 온도에 따라 서로 다른 속도로 변화한다.[109][112]6. 3. 산소, 광합성, 탄소 순환
해양 생지화학 순환, 해양 탈산소화, 해양 탄소 순환, 생물학적 펌프표층 해양에서의 광합성은 산소를 방출하고 이산화탄소를 소비한다. 식물성 플랑크톤은 이러한 과정을 제어하는 미세한 부유 조류의 일종이다. 식물이 성장한 후에는 해양에서 광합성에 의해 생성된 유기물의 박테리아 분해의 결과로 산소가 소비되고 이산화탄소가 방출된다. 대기와 접촉하지 않는 깊은 해양에서 유기물의 침강과 박테리아 분해는 산소 농도를 감소시키고 탄산염과 중탄산염과 함께 이산화탄소를 증가시킨다.[114] 이 해양에서의 이산화탄소 순환은 지구 탄소 순환의 중요한 부분이다.
해양은 광합성과 용해에 의해 대기에서 흡수된 이산화탄소의 주요 탄소 흡수원을 나타낸다(탄소 격리 참조). 또한 맹그로브와 염생 습지와 같은 연안 해양 서식지에서 이산화탄소 흡수에 대한 관심이 높아지고 있는데, 이 과정은 종종 "블루 카본"이라고 불린다. 이 생태계는 강력한 탄소 흡수원일 뿐만 아니라 인간 활동과 환경 파괴로 위협받는 생태학적으로 중요한 서식지이기 때문에 주목받고 있다.
6. 4. pH
현재 대양 표면의 pH 값(''전 지구 평균 표면 pH'')은 대략 8.05[117]에서 8.08[118] 사이이다. 이는 약간 알칼리성을 띈다는 것을 의미한다. 1950년에서 2020년 사이에 대양 표면의 평균 pH는 약 8.15에서 8.05로 떨어졌다.[120] 인간 활동으로 인한 이산화 탄소 배출이 이러한 과정을 초래하는 주요 원인으로, 이를 ''해양 산성화''라고 부르며, 대기 중 이산화 탄소(CO2) 농도가 410 ppm을 초과했다(2020년 기준).[121] 대기에서 CO2가 대양에 흡수되면 탄산 (H2CO3)이 생성되고, 이는 중탄산 이온과 수소 이온 (H+)으로 해리된다. 자유 수소 이온 (H+)의 존재는 대양의 pH를 낮춘다.대양에는 깊이에 따라 유기물의 분해와 관련된 자연적인 pH 구배가 존재하며, 이는 깊어질수록 pH를 서서히 낮춘다. 유기물의 분해로 인해 심해에서는 해수의 pH가 자연적으로 7.8까지 낮아진다.[122] 생물학적 생산성이 높은 지역의 표층수에서는 8.4까지 높을 수 있다.[114]
''전 지구 평균 표면 pH''의 정의는 대양 표면의 최상층, 즉 수심 약 20~100m까지를 말한다. 수심이 더 깊은 곳(100m 이상)의 pH 값은 아직 해양 산성화의 영향을 동일하게 받지 않았다. 8.2에서 약 7.8로 자연적인 pH 구배가 존재하는 더 깊은 물 덩어리가 있으며, 이 물이 산성화되는 데는 매우 오랜 시간이 걸릴 것이고, 산성화로부터 회복되는 데에도 그만큼의 시간이 걸릴 것이다. 그러나 대양의 최상층(광합성대)은 해양 생산성에 매우 중요하므로, 최상층의 pH 값과 온도 변화는 해양 생물과 해류 등에 많은 연쇄적인 영향을 미칠 수 있다.
해양 산성화 침투와 관련한 핵심 문제는 표층수와 심층수가 섞이는 방식 또는 섞이지 않는 방식(혼합 부족을 해양 성층이라고 부름)이다. 이는 결국 수온에 달려 있으며, 따라서 열대 지역과 극지방 간에 차이가 있다.
해수의 화학적 성질은 pH 측정을 복잡하게 만들며, 화학 해양학에서는 여러 개의 서로 다른 pH 척도가 존재한다.[123] 해수에 대한 보편적으로 받아들여지는 기준 pH 척도는 없으며, 여러 기준 척도에 따른 측정값의 차이는 최대 0.14 단위까지 나타날 수 있다.[124]
6. 5. 알칼리도
알칼리도는 해수, 또는 모든 자연수에서 염기(양성자 수용체)와 산(양성자 공여체)의 균형을 의미한다. 알칼리도는 화학적 완충제 역할을 하여 해수의 pH를 조절한다. 해수에는 알칼리도에 기여할 수 있는 많은 이온이 있지만, 이들 중 상당수는 농도가 매우 낮다. 즉, 탄산염, 중탄산염, 붕산염 이온만이 산소가 잘 공급되는 열린 바다에서 해수 알칼리도에 크게 기여한다. 이온 중 처음 두 개가 이 알칼리도의 95% 이상을 차지한다.[114]해수의 알칼리도에 대한 화학 방정식은 다음과 같다.
: AT = [HCO3-] + 2[CO32-] + [B(OH)4-]
표층 해수에서 식물성 플랑크톤의 증가는 일부 중탄산염 및 탄산염 이온을 유기물로 변환시킨다. 이 유기물의 일부는 심해로 가라앉아 다시 탄산염과 중탄산염으로 분해된다. 이 과정은 해양 생산성 또는 해양 일차 생산과 관련이 있다. 따라서 알칼리도는 깊이에 따라 증가하는 경향이 있으며, 대서양에서 태평양 및 인도양으로 이어지는 전 지구적 열염 순환 경로를 따라 증가하지만, 이러한 증가는 미미하다. 농도는 전체적으로 단지 몇 퍼센트만 변화한다.[114][122]
대기 중의 CO2 흡수는 해양의 알칼리도에 영향을 미치지 않는다.[125] 하지만 pH 값 감소로 이어진다(이를 해양 산성화라고 한다).[121]
6. 6. 화학 원소 및 이온의 체류 시간
대양에는 용해된 이온 상태로 많은 화학 원소가 포함되어 있다. 대양에 용해된 원소는 농도가 매우 다양하다. 나트륨과 염화물과 같이 리터당 여러 그램에 달하는 매우 높은 농도를 가진 원소도 있고, 철과 같이 리터당 몇 나노그램(10−9 그램)에 불과한 미량으로 존재하는 원소도 있다.[102]
어떤 원소의 농도는 대양으로의 공급 속도와 제거 속도에 따라 달라진다. 원소는 강, 대기 및 열수 분출구에서 대양으로 유입된다. 원소는 퇴적물에 침강 및 매몰되거나, 물과 일부 가스의 경우 대기로 증발하여 대양에서 제거된다. 해양학자들은 원소의 체류 시간을 추정하여 유입과 제거의 균형을 조사한다. 체류 시간은 원소가 제거되기 전에 대양에 용해되어 있는 평균 시간을 의미한다. 나트륨과 같이 대양에 매우 풍부한 원소는 높은 유입 속도를 보인다. 반대로, 철과 알루미늄과 같은 다른 원소는 암석에 풍부하지만 용해도가 매우 낮아 대양으로의 유입이 적고 제거가 빠르다. 이러한 순환은 지구가 처음 형성된 이래로 진행되어 온 주요 지구 원소 순환의 일부를 나타낸다. 대양에서 매우 풍부한 원소의 체류 시간은 수백만 년으로 추정되는 반면, 반응성이 높고 불용성인 원소의 경우 체류 시간은 수백 년에 불과하다.[102]
6. 7. 영양소
질소, 인, 철, 칼륨 등은 생명에 필수적인 원소이자 생물학적 물질의 주요 구성 요소이며, 일반적으로 "영양소"로 알려져 있다. 질산염과 인산염의 해양 체류 시간은 각각 10,000년[128]과 69,000년[129]이며, 칼륨은 해양에서 훨씬 더 풍부한 이온으로 체류 시간이 1,200만년[130]이다. 이러한 원소들의 생물학적 순환은 유기 물질이 분해되어 퇴적물로 해저로 가라앉으면서 해양의 수주에서 지속적으로 제거되는 과정을 나타낸다.집약 농업과 하수 처리에서 나온 인산염은 유출수를 통해 강과 연안 지역으로 운반되어 해양에서 대사된다. 결국, 인산염은 해저로 가라앉아 인간에게 상업적 자원으로서 더 이상 이용할 수 없게 된다.[131] 무기 비료의 필수 성분인 인회석의 생산은[132] 세계의 일부 해양 퇴적물에서 발생하는 느린 지질 과정으로, 채굴 가능한 퇴적성 인회석 (인산염)을 비재생 자원으로 만든다 (피크 인 참조). 이러한 인간 활동으로 인한 비재생 인산염의 지속적인 순 손실은 미래에 비료 생산 및 식량 안보에 대한 자원 문제가 될 수 있다.[133][134]
7. 해양 생물

해양 생물은 해양 서식지, 해양 1차 생산, 해양 생물학, 해양 생태계 등과 밀접한 관련이 있다.
7. 1. 생물 다양성
해양 생물은 육상 생물보다 30억 년 먼저 진화했다. 해안으로부터의 깊이와 거리는 각 지역에 존재하는 식물과 동물의 생물 다양성에 큰 영향을 미친다.[136] 해양 생물의 다양성은 광대하며, 다음을 포함한다.- 동물: 대부분의 동물 문은 해양에 서식하는 종을 가지고 있으며, 해면동물, 자포동물 (예: 산호와 해파리), 빗해파리, 완족동물, 극피동물 (예: 성게와 불가사리)과 같이 해양 환경에서만 발견되는 많은 종을 포함한다. 두족류 (예: 문어와 오징어), 갑각류 (예: 바다가재, 게 및 새우), 물고기, 상어, 고래류 (예: 고래, 돌고래 및 쇠돌고래)를 포함하여 다른 많은 익숙한 동물 그룹이 주로 해양에 서식한다. 또한 바닷새(펭귄, 갈매기, 펠리칸 등), 바다거북과 같이 많은 육상 동물들이 삶의 주요 부분을 바다에서 보내도록 적응했다.
- 식물: 해초, 맹그로브를 포함한다.
- 조류: 녹조류, 규조류, 와편모조류와 같은 광합성, 단세포 진핵생물 및 홍조류 (식용 김의 원료인 돌김 등), 갈조류 (예: 다시마)와 같은 다세포 조류를 포함하는 "포괄적인" 용어이다.
- 세균: 전 세계에서 발견되는 어디에나 있는 단세포 원핵생물
- 고세균: 세균과 구별되는 원핵생물로, 해양의 많은 환경과 많은 극단적인 환경에 서식한다.
- 균류: 다양한 역할을 하는 많은 해양 곰팡이가 해양 환경에서 발견된다.
7. 2. 먹이 사슬
대양의 표층은 먹이 사슬에서 생식 연쇄 (살아있는 생물을 직접 먹는 연쇄)가 성립하는 곳이다. 육상이나 하구, 연안 등에서는 식물이나 조류 등 광합성 생물이 사후에 먹히는 부식 연쇄의 비율이 높지만, 대양 표층부에서는 식물 플랑크톤으로 시작하는 먹이 사슬이 각각 상위 계층 생물에게 산 채로 포식되는 체계가 성립한다. 식물 플랑크톤은 주로 동물 플랑크톤에게 먹히고, 동물 플랑크톤은 주로 소형 어류와 오징어류가 먹는다. 그리고, 이러한 생물이 참치, 돛새치, 상어 등 대형 육식 동물의 먹이가 된다. 각 개체는 연쇄의 하위에 위치할수록 개체수가 많아 전형적인 피라미드 구조를 이룬다.[231]심해저의 열수 분출공 또한 생물이 서식하는 특징적인 장소이다. 광합성 생물이 살 수 없는 이러한 곳에서는 분출하는 열수에 포함된 황화수소를 에너지원으로 하는 박테리아를 먹는 새우·게, 삿갓조개, 관벌레, 말미잘 및 조개류 등이 밀집 상태로 서식하고 있다.[234]
8. 인간과 대양의 관계

대양은 역사 전반에 걸쳐 인간 활동과 연관되어 왔다.
8. 1. 이용
대양은 항해 및 탐험, 해상 전쟁, 여행, 해상 운송 및 무역, 식량 생산(예: 어업, 고래잡이, 해조류 양식, 양식업), 레저(크루즈, 요트, 레크리에이션 보트 낚시, 스쿠버 다이빙), 발전(해양 에너지 및 해상 풍력 발전 참조), 채굴 산업(해상 시추 및 심해 채굴), 담수 생산(해수 담수화) 등 매우 다양한 목적으로 이용된다.[137]세계 상품의 많은 부분은 선박을 통해 세계 항구 사이를 이동한다.[137] 특히 대서양과 태평양 연안을 따라 대량의 상품이 운송된다.[138] 제조 상품을 포함한 다양한 화물은 표준 크기의 잠금 가능한 컨테이너에 담겨 컨테이너선의 전용 터미널에서 적재된다.[139] 이러한 컨테이너화는 해상 운송 효율을 높이고 비용을 절감하여 세계화와 20세기 중후반 국제 무역의 급증을 이끌었다.[140]
대양은 어업을 통한 주요 식량 공급원이다. 주요 어획물로는 새우, 생선, 게, 바닷가재 등이 있다.[56] 상업적으로 많이 잡히는 어종은 멸치, 알래스카 명태, 참치 등이다.[141] FAO의 2020년 보고서에 따르면, 2017년에 세계 해양 어업의 어류 개체수 중 34%가 남획으로 분류되었다.[141] 자연 어업과 양식업에서 얻은 생선 및 기타 수산물은 단백질 등 필수 영양소의 주요 공급원이다. 2017년 기준, 생선 소비는 세계 인구의 동물성 단백질 섭취량의 17%를 차지했다.[141] 이러한 수요를 충족하기 위해 연안 국가들은 배타적 경제 수역 내 해양 자원을 이용하며, 어선들은 국제 해역의 어족 자원을 활용하기 위해 더 멀리 진출하고 있다.[142]
대양은 해양 파도, 조수, 염도 차이, 해양 열 에너지 등 방대한 양의 에너지를 가지고 있으며, 이는 발전에 활용될 수 있다.[143] 지속 가능한 해양 에너지에는 조력 발전, 해양 열 에너지 변환, 파력 발전 등이 있다.[143][144] 해상 풍력 발전은 대양에 설치된 풍력 터빈을 통해 이루어지는데, 육상보다 풍속이 높다는 장점이 있지만, 건설 비용이 더 많이 든다.[145] 대양 해저 아래 암석에는 석유와 천연 가스 같은 석유 매장량이 풍부하다. 해상 플랫폼 및 시추 장비는 석유나 가스를 해상 시추하여 육지로 운송한다.[146]
대양 해저는 광물 자원의 공급원으로서도 주목받고 있다. 대서양과 태평양 해저에는 망간, 니켈, 구리, 코발트 등을 포함하는 망간 단괴가 넓게 분포하고 있다. 이들의 형성 과정은 아직 밝혀지지 않았지만, 경제적인 채굴 방법이 개발된다면 유용한 자원이 될 수 있다.[248] 그 외에도 인회석, 글로비게리나 연니(유공충 연니 등), 규조 연니, 적점토 등의 심해저 자원이 존재한다.[249]
8. 2. 국제법
"공해 자유"는 17세기부터 시작된 국제법의 원칙이다. 이는 대양 항해의 자유를 강조하고 공해에서 벌어지는 전쟁을 반대한다.[147] 오늘날 이 개념은 유엔 해양법 협약(UNCLOS)에 명시되어 있다.[147]1958년에 비준된 국제 해사 기구(IMO)는 주로 해상 안전, 책임 및 보상을 담당하며, 해상 사고와 관련된 해양 오염에 대한 몇 가지 협약을 개최했다. 해양 거버넌스는 세계 대양과 관련된 정책, 행동 및 업무의 수행이다.[148]
9. 위협

인간의 활동은 해양 생물과 해양 서식지에 여러 부정적인 영향을 미치는데, 여기에는 해양 오염(해양 쓰레기, 미세 플라스틱 포함), 남획, 해양 산성화 및 기타 기후 변화가 해양에 미치는 영향 등이 포함된다.[149]
9. 1. 기후 변화
인간의 활동은 해양 생물과 해양 서식지에 여러 부정적인 영향을 미치는데, 여기에는 해양 오염(해양 쓰레기 및 미세 플라스틱 포함), 남획, 해양 산성화 및 기타 기후 변화가 해양에 미치는 영향 등이 포함된다.[149]9. 2. 해양 오염
인간의 활동은 해양 생물과 해양 서식지에 여러 부정적인 영향을 미치는데, 여기에는 해양 오염(해양 쓰레기 및 미세 플라스틱 포함), 남획, 해양 산성화 및 기타 기후 변화가 해양에 미치는 영향 등이 포함된다.[149]해양 오염은 바다에 유입되는 유해 물질로 인해 발생한다. 이는 생태계에 해로운 영향을 미치고, 인류에게도 위험을 초래한다. 오염 물질은 화학 물질, 입자, 산업 폐기물, 농업 및 주거 폐기물, 소음, 또는 침입 유기체일 수 있다.
해양 오염의 대부분은 육상 기원이며, 이는 강, 하천, 하수 및 대기 유입을 통해 바다로 유입된다. 또한 선박이나 해양 자원의 추출에서 발생하는 오염도 포함된다.
해양 오염은 광범위한 문제를 야기하며, 생물 다양성과 해양 생물의 건강에 심각한 영향을 미친다. 오염 물질은 해양 생태계 내의 먹이 사슬에 침투하여 다양한 종에 생물 축적을 일으킨다.
해양 오염은 다양한 형태로 나타난다. 일부 오염 물질은 독성을 나타내며, 다른 오염 물질은 미세 플라스틱과 같이 물리적 문제를 야기한다. 특히 플라스틱 오염은 해양 생물에게 심각한 위협이 된다.
9. 3. 남획
과도한 어획은 어획량(수확량)이 지속 가능한 수준을 넘어설 때 발생하며, 이로 인해 어류 개체군이 고갈되어 생태계의 붕괴와 같은 심각한 결과가 초래될 수 있다.[149]
10. 보호
해양 보호는 해양 보호 구역 지정 및 시행, 공급망 투명성 확보, 해양 오염 방지, 생태계 지원, 지속 가능한 해산물 지원, 해양 정화 프로젝트 개발 등 다양한 방식으로 이루어진다. 2021년에는 43명의 전문가 과학자들이 해양 보호 구역의 보호 수준을 평가하고, 해양 보호 품질과 범위를 개선, 계획 및 모니터링하기 위한 후속 노력의 지침이 될 수 있는 최초의 과학적 프레임워크 버전을 발표했다.[154] 여기에는 "자연을 위한 글로벌 딜"의 30% 보호 목표[154] 및 UN의 지속 가능한 개발 목표 14 ("수중 생물")를 위한 노력이 있다.[155][156]
10. 1. 해양 보호
해양 보호는 인간이 의존하는 해양 생태계를 보호하는 역할을 한다.[150][151] 이러한 생태계를 위협으로부터 보호하는 것은 환경 보호의 주요 구성 요소이다. 보호 조치 중 하나는 해양 보호 구역 (MPA)의 지정 및 시행이다. 해양 보호는 국가, 지역 및 국제적 맥락에서 고려해야 할 수 있다.[152]다른 조치로는 공급망 투명성 요구 정책, 해양 오염 방지 정책, 생태계 지원 (예: 산호초 지원) 및 지속 가능한 해산물 지원 (예: 지속 가능한 어업 방식 및 양식업 유형) 등이 있다. 또한 해양 자원 및 채취 또는 교란으로 심각한 피해를 일으킬 수 있는 구성 요소의 보호, 더 광범위한 대중 및 영향을 받는 지역 사회의 참여,[153] 그리고 해양 정화 프로젝트 개발 (해양 플라스틱 오염 제거) 등이 있다. 후자의 예로는 Clean Oceans International과 The Ocean Cleanup이 있다.
2023년 3월에는 공해 조약이 서명되었다. 이 조약은 법적 구속력이 있다. 주요 성과는 국제 해역에 해양 보호 구역을 만들 수 있는 새로운 가능성이다. 이를 통해 이 협정은 2030년까지 해양의 30%를 보호하는 것을 가능하게 한다 (30 by 30 목표의 일부).[157][158] 이 조약은 "오염자 부담" 원칙과 이러한 활동을 하는 국가의 관할권을 벗어난 지역을 포함한 인간 활동의 다양한 영향에 관한 조항을 담고 있다. 이 협정은 193개 유엔 회원국에서 채택되었다.[159]
참조
[1]
웹사이트
How deep is the ocean?
https://oceanservice[...]
2023-05-10
[2]
웹사이트
Challenger Deep – the Mariana Trench
https://web.archive.[...]
2012-07-30
[3]
간행물
1.1 Overview of the Oceans
https://rwu.pressboo[...]
2023-05-10
[4]
웹사이트
Voyager: How Long until Ocean Temperature Goes up a Few More Degrees?
https://scripps.ucsd[...]
2014-03-18
[5]
웹사이트
How does the temperature of ocean water vary? : Ocean Exploration Facts: NOAA Office of Ocean Exploration and Research
https://oceanexplore[...]
2013-03-05
[6]
웹사이트
Coastline – The World Factbook
https://www.cia.gov/[...]
[7]
웹사이트
Coastal and Marine Ecosystems – Marine Jurisdictions: Coastline length
http://earthtrends.w[...]
2012-03-18
[8]
웹사이트
Ocean.
https://www.merriam-[...]
Merriam-Webster
2021-03-14
[9]
웹사이트
ocean, n
http://www.oed.com/v[...]
Oxford English Dictionary
2012-02-05
[10]
웹사이트
ocean
http://www.merriam-w[...]
Merriam-Webster
2012-02-06
[11]
웹사이트
How much oxygen comes from the ocean?
https://oceanservice[...]
National Ocean Service. National Oceanic and Atmospheric Administration U.S. Department of Commerce
2021-02-26
[12]
간행물
The Ocean and Climate Change
https://web.archive.[...]
IUCN (International Union for Conservation of Nature)
2017
[13]
뉴스
Mapping an ocean of species
https://www.latimes.[...]
2009-08-02
[14]
웹사이트
Sea
http://www.merriam-w[...]
Merriam-webster.com
2013-03-13
[15]
서적
Landscape and Culture – Cross-linguistic Perspectives
https://books.google[...]
John Benjamins Publishing Company
[16]
웹사이트
WordNet Search – sea
http://wordnetweb.pr[...]
Princeton University
2012-02-21
[17]
웹사이트
What's the difference between an ocean and a sea?
http://oceanservice.[...]
National Oceanic and Atmospheric Administration
2013-04-19
[18]
서적
Rising Sea Levels: An Introduction to Cause and Impact
https://books.google[...]
McFarland, Incorporated, Publishers
2022-08-26
[19]
서적
Ecocritical Shakespeare (Literary and Scientific Cultures of Early Modernity)
https://archive.org/[...]
Ashgate Publishing, Ltd
[20]
웹사이트
Is It Ocean Or Oceans?
https://www.forbes.c[...]
2020-02-03
[21]
웹사이트
Ocean
https://web.archive.[...]
Sciencedaily.com
2012-11-08
[22]
웹사이트
Distribution of land and water on the planet
https://web.archive.[...]
[23]
간행물
Maps of the whole world ocean
1942-07
[24]
문서
Ὠκεανός
https://www.perseus.[...]
[25]
서적
A Reader in Comparative Indo-European Religion
Univ of Zagreb
2016
[26]
간행물
Origin of water in the terrestrial planets
[27]
웹사이트
Why do we have an ocean?
https://oceanservice[...]
2013-06-01
[28]
웹사이트
NASA Astrobiology
https://astrobiology[...]
2017-06-05
[29]
서적
Oceans, Origin of
Springer Berlin Heidelberg
2014
[30]
간행물
Pre-3750 Ma supracrustal rocks from the Nuvvuagittuq supracrustal belt, northern Québec
2007-03
[31]
간행물
Formation age and metamorphic history of the Nuvvuagittuq Greenstone Belt
https://hal.archives[...]
2012-11
[32]
뉴스
Meteorite study suggests Earth may have been wet since it formed – Enstatite chondrite meteorites, once considered 'dry,' contain enough water to fill the oceans – and then some
https://web.archive.[...]
2020-08-27
[33]
뉴스
Unexpected abundance of hydrogen in meteorites reveals the origin of Earth's water
https://web.archive.[...]
2020-08-27
[34]
간행물
Earth's water may have been inherited from material similar to enstatite chondrite meteorites
https://doi.org/10.1[...]
2020
[35]
conference
Our Changing Sun: The Role of Solar Nuclear Evolution and Magnetic Activity on Earth's Atmosphere and Climate
Astronomical Society of the Pacific
[36]
웹사이트
The Water Cycle summary
https://water.usgs.g[...]
2018-01-15
[37]
웹사이트
8(o) Introduction to the Oceans
http://www.physicalg[...]
[38]
웹사이트
Earth Is a Water World
http://www.nasa.gov/[...]
2022-08-27
[39]
웹사이트
Water-Worlds
https://education.na[...]
2022-08-24
[40]
논문
Ocean worlds exploration
Elsevier BV
[41]
웹사이트
Ocean Worlds
http://www.nasa.gov/[...]
2022-08-27
[42]
논문
Ancient Earth was a water world
American Association for the Advancement of Science (AAAS)
2021-03-09
[43]
웹사이트
Where is Point Nemo?
http://oceanservice.[...]
2015-02-20
[44]
웹사이트
Pacific Ocean
http://www.eoearth.o[...]
2015-03-07
[45]
웹사이트
Atlantic Ocean
http://www.eoearth.o[...]
2015-03-07
[46]
웹사이트
Indian Ocean
http://www.eoearth.o[...]
2015-03-07
[47]
웹사이트
Southern Ocean
http://www.eoearth.o[...]
2015-03-10
[48]
웹사이트
Arctic Ocean
http://www.eoearth.o[...]
2015-03-07
[49]
웹사이트
Limits of Oceans and Seas, 3rd edition
https://iho.int/uplo[...]
International Hydrographic Organization
2020-12-28
[50]
서적
Regional Oceanography: an Introduction
http://www.es.flinde[...]
Daya Publishing House
2006-04-10
[51]
간행물
Arctic Ocean
https://www.britanni[...]
2012-07-02
[52]
웹사이트
Recommendation ITU-R RS.1624: Sharing between the Earth exploration-satellite (passive) and airborne altimeters in the aeronautical radionavigation service in the band 4 200–4 400 MHz (Question ITU-R 229/7)
https://www.itu.int/[...]
ITU Radiotelecommunication Sector (ITU-R)
2015-04-05
[53]
간행물
Plate tectonics
http://www.eoearth.o[...]
2013-03-28
[54]
웹사이트
Plate Tectonics: The Mechanism
http://www.ucmp.berk[...]
University of California Museum of Paleontology
2013-09-20
[55]
웹사이트
What is the longest mountain range on earth?
http://oceanservice.[...]
US Department of Commerce
2014-10-17
[56]
웹사이트
NOAA – National Oceanic and Atmospheric Administration – Ocean
https://oceanservice[...]
Noaa.gov
2020-02-16
[57]
서적
Principles of Physical Geography
Hodder & Stoughton
[58]
서적
The Penguin Dictionary of Physical Geography
Penguin Books
[59]
뉴스
Thames Barrier engineer says second defence needed
https://www.bbc.co.u[...]
2013-09-18
[60]
웹사이트
The Water Cycle: The Oceans
https://www.usgs.gov[...]
US Geological Survey
2021-07-17
[61]
논문
Spatial and Temporal Distribution of Clouds Observed by MODIS Onboard the Terra and Aqua Satellites
Institute of Electrical and Electronics Engineers (IEEE)
[62]
문서
Observation of swell dissipation across oceans
[63]
서적
Encyclopedia of the Oceans
Oxford University Press
[64]
웹사이트
Volumes of the World's Oceans from ETOPO1
http://ngdc.noaa.gov[...]
NOAA
2015-03-07
[65]
서적
Wind Generated Ocean Waves
https://archive.org/[...]
Elsevier
[66]
서적
Essentials of Oceanography
Brooks/Cole
[67]
문서
Fact Sheet 6 The Beaufort Scale
http://www.metoffice[...]
Met Office
[68]
논문
Were extreme waves in the Rockall Trough the largest ever recorded?
[69]
문서
Observed Statistics of Extreme Waves
https://web.archive.[...]
Naval Postgraduate School
[70]
웹사이트
Ocean waves
http://oceanexplorer[...]
National Oceanic and Atmospheric Administration
2013-04-17
[71]
웹사이트
Life of a Tsunami
http://walrus.wr.usg[...]
US Geological Survey
2021-07-14
[72]
웹사이트
Physics of Tsunamis
https://www.tsunami.[...]
National Tsunami Warning Center of the USA
2021-07-14
[73]
웹사이트
Tides
http://oceanexplorer[...]
National Oceanic and Atmospheric Administration
2013-04-20
[74]
웹사이트
Tides and Water Levels
http://oceanservice.[...]
NOAA Ocean Service Education
2013-04-20
[75]
웹사이트
Tidal amplitudes
http://www.arctic.uo[...]
University of Guelph
2013-09-12
[76]
서적
Descriptive physical oceanography : an introduction
https://www.elsevier[...]
Academic Press
2011
[77]
웹사이트
Weird Science: Extreme Tidal Ranges
https://manoa.hawaii[...]
University of Hawaiʻi
2021-11-09
[78]
웹사이트
Where are the Highest Tides in the World?
https://casualnaviga[...]
2021-11-09
[79]
웹사이트
Deep-Sea Fishes
http://www.soest.haw[...]
School of Ocean and Earth Science and Technology, the [[University of Hawaiʻi at Mānoa]]
2007-06-07
[80]
뉴스
Scientists map Mariana Trench, deepest known section of ocean in the world
https://www.telegrap[...]
Telegraph Media Group
2012-03-23
[81]
서적
The Oceans and Climate, Second Edition
https://www.cambridg[...]
Cambridge University Press
2003
[82]
웹사이트
What is a thermocline?
https://oceanservice[...]
US Department of Commerce
2021-02-07
[83]
서적
Descriptive physical oceanography : an introduction
https://www.elsevier[...]
Academic Press
2011
[84]
웹사이트
Volume of Earth's Oceans
http://hypertextbook[...]
2007-06-07
[85]
간행물
The volume of Earth's ocean
2010
[86]
웹사이트
Ocean Circulation
http://eesc.columbia[...]
Columbia University
2013-07-06
[87]
웹사이트
IPCC Fourth Assessment Report: Climate Change 2007, Working Group I: The Physical Science Basis, 5.6 Synthesis
https://archive.ipcc[...]
2021-07-19
[88]
웹사이트
Evaporation minus precipitation, Latitude-Longitude, Annual mean
http://www.ecmwf.int[...]
ECMWF
[89]
서적
Atmosphere, Weather, and Climate
https://archive.org/[...]
Routledge
2003
[90]
간행물
Sea Surface Temperature Variability: Patterns and Mechanisms
http://www.cgd.ucar.[...]
[91]
서적
Ocean circulation : wind-driven and thermohaline processes
https://www.cambridg[...]
Cambridge University Press
2010
[92]
문서
Sea ice
https://www.britanni[...]
Britannica Online Encyclopedia
2013-04-21
[93]
웹사이트
How Does Arctic Sea Ice Form and Decay?
http://www.arctic.no[...]
NOAA
2005-04-25
[94]
서적
On Sea Ice
https://books.google[...]
University of Alaska Press
2010
[95]
서적
Sea Ice – Physics and Remote Sensing
John Wiley & Sons, Inc.
2015
[96]
웹사이트
Sea Ice
https://nsidc.org/le[...]
2022-11-22
[97]
웹사이트
What is a current?
https://oceanservice[...]
National Ocean Service
2020-12-13
[98]
웹사이트
Tidal Currents – Currents: NOAA's National Ocean Service Education
https://oceanservice[...]
US Department of Commerce
2021-02-07
[99]
서적
Descriptive physical oceanography : an introduction
https://www.elsevier[...]
Academic Press
2011
[100]
문서
Summary for Policymakers
https://www.ipcc.ch/[...]
Cambridge University Press
[101]
웹사이트
World Ocean Atlas 2009
https://www.nodc.noa[...]
2022-01-18
[102]
서적
Marine geochemistry
https://www.wiley.co[...]
Wiley/Blackwell
2012
[103]
웹사이트
Can the ocean freeze? Ocean water freezes at a lower temperature than freshwater.
http://oceanservice.[...]
2019-01-02
[104]
웹사이트
Hydrologic features and climate
https://www.britanni[...]
2022-01-18
[105]
웹사이트
Salinity and Brine
https://nsidc.org/cr[...]
2022-01-18
[106]
간행물
Chapter 9: Ocean, Cryosphere and Sea Level Change
https://www.ipcc.ch/[...]
Cambridge University Press, Cambridge, United Kingdom and New York, New York, USA
[107]
서적
World Ocean Atlas 2005, Volume 3: Dissolved Oxygen, Apparent Oxygen Utilization, and Oxygen Saturation
NOAA Atlas NESDIS 63, U.S. Government Printing Office
2006
[108]
서적
Marine geochemistry
https://www.wiley.co[...]
Wiley/Blackwell
2012
[109]
서적
Seawater
Elsevier
[110]
웹사이트
Dissolved Gases other than Carbon Dioxide in Seawater
http://www.soest.haw[...]
soest.hawaii.edu
2014-05-05
[111]
웹사이트
Dissolved Oxygen and Carbon Dioxide
http://butane.chem.u[...]
chem.uiuc.edu
2014-02-03
[112]
웹사이트
12.742. Marine Chemistry. Lecture 8. Dissolved Gases and Air-sea exchange
http://ocw.mit.edu/c[...]
2014-05-05
[113]
웹사이트
Ocean carbon cycle
https://www.grida.no[...]
2009-06-05
[114]
서적
Marine geochemistry
https://www.wiley.co[...]
Wiley/Blackwell
2012
[115]
논문
Declining oxygen in the global ocean and coastal waters
2018-01-05
[116]
논문
Oxygen minimum zones in the eastern tropical Atlantic and Pacific oceans
http://oceanrep.geom[...]
2008
[117]
논문
Ocean acidification in emission-driven temperature stabilization scenarios: the role of TCRE and non-{{CO2}} greenhouse gases
2023
[118]
간행물
Technical Summary
https://www.ipcc.ch/[...]
2022-07-21
[119]
웹사이트
Ocean Acidification
https://www.national[...]
National Geographic
2018-10-09
[120]
논문
Ocean acidification in emission-driven temperature stabilization scenarios: the role of TCRE and non-CO2 greenhouse gases
2023
[121]
논문
The Impacts of Ocean Acidification on Marine Ecosystems and Reliant Human Communities
2020-10-17
[122]
서적
Chemical Oceanography and the Marine Carbon Cycle
https://www.cambridg[...]
Cambridge University Press
[123]
서적
CO2 in seawater: equilibrium, kinetics, isotopes
Elsevier Science B.V.
[124]
서적
Aquatic Chemistry, An Introduction Emphasizing Chemical Equilibria in Natural Waters
John Wiley & Sons
[125]
간행물
Annex VII: Glossary
https://www.ipcc.ch/[...]
2022-06-05
[126]
웹사이트
Calculation of residence times in seawater of some important solutes
http://www.gly.uga.e[...]
gly.uga.edu
2014-02-03
[127]
서적
Marine geochemistry
https://www.wiley.co[...]
Wiley/Blackwell
2012
[128]
웹사이트
Monterey Bay Aquarium Research Institute
https://www.mbari.or[...]
[129]
웹사이트
Monterey Bay Aquarium Research Institute
https://www.mbari.or[...]
[130]
웹사이트
Potassium
https://www3.mbari.o[...]
[131]
논문
The Oceanic Phosphorus Cycle
https://pubs.acs.org[...]
2007
[132]
논문
The story of phosphorus: Global food security and food for thought
https://linkinghub.e[...]
2009
[133]
논문
Recent revisions of phosphate rock reserves and resources: a critique
https://esd.copernic[...]
2014-12-19
[134]
논문
Soil and human security in the 21st century
http://www.escholars[...]
[135]
논문
Marine animal microbiomes: toward understanding host–microbiome interactions in a changing ocean
[136]
서적
Biology: Concepts & Connections
2014-05-14
[137]
서적
Marine Policy: An Introduction to Governance and International Law of the Oceans
https://books.google[...]
Routledge
[138]
논문
A Global Map of Human Impact on Marine Ecosystems
https://www.science.[...]
2008
[139]
서적
Marine Cargo Operations: a guide to stowage
Cornell Maritime Press
[140]
웹사이트
Industry Globalization {{!}} World Shipping Council
https://www.worldshi[...]
2021-05-04
[141]
서적
The State of World Fisheries and Aquaculture 2020
http://www.fao.org/d[...]
FAO
2020
[142]
웹사이트
Fisheries: Latest data
http://www.greenfact[...]
GreenFacts
2013-04-23
[143]
웹사이트
What is Ocean Energy
https://www.ocean-en[...]
Ocean Energy Systems
2021-05-14
[144]
서적
Ocean Wave Energy – Current Status and Future Perspectives
https://archive.org/[...]
Springer
[145]
웹사이트
Offshore Wind Power 2010
http://btm.dk/news/o[...]
BTM Consult
2013-04-25
[146]
웹사이트
How offshore drilling works
http://science.howst[...]
2013-05-06
[147]
웹사이트
The United Nations Convention on the Law of the Sea (A historical perspective)
http://www.un.org/De[...]
United Nations Division for Ocean Affairs and the Law of the Sea
2013-05-08
[148]
서적
Environmental Governance.
https://www.routledg[...]
Taylor & Francis
2011
[149]
간행물
Recent pace of change in human impact on the world's ocean
[150]
웹사이트
Protecting the Marine Environment
https://www.epa.gov/[...]
2021-10-25
[151]
웹사이트
Quantitative targets for marine protection: a review of the scientific basis and applications
https://www.doc.govt[...]
2021-10-25
[152]
웹사이트
Is marine protection compatible with the right to economic development in Pacific Island States?
https://core.ac.uk/r[...]
[153]
간행물
Public perceptions of ocean health and marine protection: Drivers of support for Oregon's marine reserves
2021-02-15
[154]
간행물
A Global Deal For Nature: Guiding principles, milestones, and targets
[155]
뉴스
Improving ocean protection with the first marine protected areas guide
https://phys.org/new[...]
2021-10-19
[156]
간행물
The MPA Guide: A framework to achieve global goals for the ocean
https://archimer.ifr[...]
[157]
웹사이트
What to know about the new U.N. high seas treaty – and the next steps for the accord
https://www.npr.org/[...]
2023-03-09
[158]
웹사이트
How people power helped protect the oceans
https://www.greenpea[...]
2023-03-09
[159]
뉴스
Newly Adopted UN High Seas Treaty Gives Ocean a 'Fighting Chance'
https://www.ecowatch[...]
2023-06-23
[160]
문서
グロウブズ (1990)、pp.24-26、I 物理学から見た海 海洋と海とはどう違うのか
[161]
문서
丸川 (1932)、pp.26-29、第二章 海洋の形態 第一節 海洋の分類
[162]
웹사이트
附属海
2024-08-03
[163]
웹사이트
Ὠκεανός
http://www.perseus.t[...]
Henry George Liddell, Robert Scott, ''A Greek–English Lexicon'', at Perseus project
2012-01-20
[164]
웹사이트
How deep is the ocean?
http://oceanservice.[...]
アメリカ海洋大気庁
2012-01-20
[165]
웹사이트
Census of Marine Life maps an ocean of species
http://esciencenews.[...]
Science News
2012-01-20
[166]
문서
'Biology: Concepts & Connections. Chapter 34: The Biosphere: An Introduction to Earth''s Diverse Environment. (sec 34.7)'
[167]
웹사이트
【World Ocean】
http://ejje.weblio.j[...]
webio英和・和英辞典
2012-01-20
[168]
웹사이트
【global ocean】
http://ejje.weblio.j[...]
webio英和・和英辞典
2012-01-20
[169]
웹사이트
Welcome to the United Nations Atlas of the Oceans
http://www.oceansatl[...]
UN Atlas of the Oceans
2012-01-20
[170]
웹사이트
Ocean
http://www.answers.c[...]
コロンビア大学出版局
2012-01-20
[171]
웹사이트
Distribution of land and water on the planet
http://www.oceansatl[...]
HEAD DEPARTMENT OF NAVIGATION AND OCEANOGRAPHY (HDNO) OF THE RUSSIAN FEDERATION MINISTRY OF DEFENCE
2012-01-20
[172]
웹사이트
Ocean
http://www.answers.c[...]
The Columbia Encyclopedia 2002. New York: Columbia University Press
2012-01-20
[173]
웹사이트
Distribution of land and water on the planet
http://www.oceansatl[...]
HDNO
2012-01-20
[174]
간행물
Maps of the whole world ocean
アメリカ地理学協会
1942-07
[175]
서적
大陸はどのように動くのか
技術評論社
2023-02
[176]
웹사이트
【南大洋】
https://www.weblio.j[...]
海の辞典、Weblio百科辞書
2012-01-20
[177]
웹사이트
Limits of Oceans and Seas, 3rd edition
http://www.iho-ohi.n[...]
International Hydrographic Organization
2012-01-20
[178]
문서
平ら (2005)、p.254、巻末用語集
[179]
웹사이트
地球科学用語集【か】
http://home.hiroshim[...]
広島大学地球資源論研究室
2012-01-20
[180]
웹사이트
Arctic Ocean
https://www.cia.gov/[...]
中央情報局
2012-01-20
[181]
웹사이트
The Ocean
http://marinebio.org[...]
The MarineBio Conservation Society
2012-01-20
[182]
웹사이트
Arctic Ocean
http://www.britannic[...]
Encyclopædia Britannica
2012-01-20
[183]
웹사이트
Limits of Oceans and Seas, 3rd edition
http://www.iho-ohi.n[...]
国際水路機関
2012-01-20
[184]
웹사이트
Atlantic Ocean
https://www.cia.gov/[...]
中央情報局
2012-01-20
[185]
뉴스
Canberra all at sea over position of Southern Ocean
http://www.theage.co[...]
The Age
2003-12-22
[186]
웹사이트
Indian Ocean
https://www.cia.gov/[...]
中央情報局
2012-01-20
[187]
웹사이트
Pacific Ocean
https://www.cia.gov/[...]
中央情報局
2012-01-20
[188]
웹사이트
Southern Ocean
https://www.cia.gov/[...]
中央情報局
2012-01-20
[189]
웹사이트
Proposal for the preparation of a new International Bathymetric Chart of the Southern Ocean
http://www.iho.shom.[...]
International Hydrographic Organization
2003-09-10
[190]
웹사이트
Map showing Australian definition of the Southern Ocean
http://aadc-maps.aad[...]
[191]
웹사이트
InfoMap: Asia, South-East; Pacific, South-West
http://www.linz.govt[...]
[192]
문서
グロウブズ (1990)、pp.126-128、IV 地質学から見た海 海洋底はどんな姿をしているのか
[193]
문서
西村 (1981)、pp.5-8、海のひろがりと生態区分
[194]
웹사이트
生物圏(その2:海域生態系‐水産)
http://home.hiroshim[...]
広島大学地球資源研究室
[195]
웹사이트
Marine Ecology
http://www.ldeo.colu[...]
コロンビア大学
[196]
간행물
海洋中層における光合成生物の生存戦略と生元素循環へのその影響
https://kaken.nii.ac[...]
静岡大学
[197]
웹사이트
Invitation to Oceanography
https://books.google[...]
[198]
웹사이트
Blue Water - Characteristics
http://www.onr.navy.[...]
Science & Technology Focus
[199]
웹사이트
Marine conservation science and policy service learning program
http://www.rjd.miami[...]
R.J. Dunlap Marine Conservation Program
[200]
웹사이트
The World's Oceans and Seas
http://encarta.msn.c[...]
Encarta
2024-08-03
[201]
웹사이트
Volume of Earth's Oceans
http://hypertextbook[...]
2007-06-07
[202]
웹사이트
Deep-Sea Fishes
http://www.soest.haw[...]
School of Ocean Earth Science and Technology, University of University of Hawai{{okina}}i at M?noa
2007-06-07
[203]
논문
Marine Optical Biogeochemistry: The Chemistry of Ocean Color
[204]
문서
グロウブズ (1990)、p.44、I 物理学から見た海 海はなぜ蒼いのか
[205]
문서
ニュートン2010年8月号、pp.22-23、何が「黒潮」をつくりだしているのか
[206]
문서
平ら (2005)、pp.24-28、第一章 プレートテクトニクスの創造 海洋底拡大説の証明
[207]
문서
グロウブズ (1990)、pp.123-125、IV 地質学から見た海 地震がなぜ起こるのか
[208]
문서
グロウブズ (1990)、pp.126-128、IV 地質学から見た海 海洋底はどんな姿をしているのか
[209]
문서
平ら (2005)、pp.52-54、第一章 プレートテクトニクスの創造 プレートテクトニクスの提唱
[210]
문서
平ら (2005)、pp.49-52、第一章 プレートテクトニクスの創造 地磁気の縞模様
[211]
문서
平ら (2005)、pp.255-256、巻末用語集
[212]
웹사이트
第二部-2- 地球の科学 第14章 プレートテクトニクスとプルームテクトニクス
http://www.s-yamaga.[...]
Science & Technology Focus
2012-01-20
[213]
문서
グロウブズ (1990)、pp.134-136、IV 地質学から見た海 海洋底の堆積物はどんなものでできているか
[214]
문서
平ら (2005)、pp.86-87、第三章 激変した地球環境 地球に何が起こったのか
[215]
문서
丸川 (1932)、pp.48-66、第五節 海洋沈殿物
[216]
웹사이트
第二部-2- 地球の科学 第7章 火山(2)
http://www.s-yamaga.[...]
Science & Technology Focus
2012-01-20
[217]
문서
平ら (2005)、pp.45-49、第一章 プレートテクトニクスの創造 ホットスポット仮説
[218]
문서
平ら (2005)、pp.28-31、第一章 プレートテクトニクスの創造 サンゴ礁の掘削
[219]
문서
グロウブズ (1990)、pp.27-31、I 物理学から見た海 海流はなぜ起こるのか、海流はどんな働きをしているのか
[220]
문서
ニュートン2010年8月号、pp.24-25、海流はどのようにして生まれるのか
[221]
문서
ニュートン2010年8月号、pp.26-27、北海道よりも北にあるロンドンが温暖な理由とは
[222]
문서
ニュートン2010年8月号、pp.38-39、暖かいはずの赤道の海水が冷たい不思議
[223]
문서
ニュートン2010年8月号、pp.40-41、こうしてエルニーニョ現象が起こる
[224]
문서
ニュートン2010年8月号、pp.42-43、エルニーニョが世界中に異常気象をもたらす
[225]
문서
平ら (2005)、pp.101-104、第三章 激変した地球環境 白亜紀の世界
[226]
간행물
ニュートン別冊 太陽と惑星
ニュートンプレス
[227]
웹사이트
カイ用水の大循環(熱塩循環)と気候変動
http://ksgeo.kj.yama[...]
山形大学理学部地球環境学科 大学院理工学研究科地球環境学専攻
2012-01-20
[228]
웹사이트
The Source of Europe's Mild Climate/American Scientist
http://www.americans[...]
[229]
문서
ニュートン2010年8月号、pp.32-33、モンスーンや梅雨はどうしておきるのか
[230]
문서
グロウブズ (1990)、pp.88-90、III 生物学から見た海 魚は海洋のどんなところに棲んでいるのか
[231]
문서
西村 (1981)、pp.71-72、章II 外洋の植民 植民の順序
[232]
문서
グロウブズ (1990)、pp.8-12、はじめに 十八‐十九世紀の活躍した人は、どんな功績を残したか
[233]
웹사이트
深海魚の多様性 特殊な環境に適応した生物たち
http://museum-sv.mus[...]
北海道大学総合博物館第8回公開シンポジウム
2012-01-20
[234]
웹사이트
深海熱水噴出孔とは
http://www-es.s.chib[...]
千葉大学理学部地球科学課 地史古生物学研究室
2012-01-20
[235]
문서
宇田 (1969)、pp.16-19、II 海はどのように開発されてきたか 世界の海洋探検調査
[236]
문서
グロウブズ (1990)、pp.4-7、はじめに はるかな昔、どんな人が海洋を調べたのか
[237]
웹사이트
言語と文化 No.10 帝国の隠喩的世界
http://leo.aichi-u.a[...]
愛知大学名古屋語学教育研究室
2012-01-20
[238]
문서
増田 (1979)、pp.79-91 地理学者コロンブス インディアスはインドではない
[239]
서적
出身地でわかる中国人
https://books.google[...]
PHP研究所
[240]
문서
増田 (1979)、pp.16-22 航海者コロンブス 海に出る
[241]
문서
増田 (1979)、pp.74-78 地理学者コロンブス コロンブスの航海目標
[242]
문서
グロウブズ (1990)、pp.7-8、はじめに ルネサンス全盛のころ、探検家は海洋について何を知ったのか
[243]
문서
グロウブズ (1990)、pp.12-15、はじめに 注目すべき最初の海洋学者は誰か
[244]
문서
グロウブズ (1990)、pp.16-19、はじめに 科学としての海洋学はいつ始まったのか
[245]
문서
平ら (2005)、pp.18-21、第一章 プレートテクトニクスの創造 ウェゲナーの大胆な仮説
[246]
서적
平ら (2005)、pp.22-24、第一章 プレートテクトニクスの創造 海底調査から大陸移動説が復活
[247]
서적
平ら (2005)、pp.24-28、第一章 プレートテクトニクスの創造 海洋底拡大説の証明
[248]
서적
グロウブズ (1990)、pp.137-141、IV 地質学から見た海 マンガン団塊とは何か、それはどんな役に立つのか
[249]
서적
宇田 (1969)、pp.36-41、III 海底とその資源 海底鉱物資源と深海堆積物
본 사이트는 AI가 위키백과와 뉴스 기사,정부 간행물,학술 논문등을 바탕으로 정보를 가공하여 제공하는 백과사전형 서비스입니다.
모든 문서는 AI에 의해 자동 생성되며, CC BY-SA 4.0 라이선스에 따라 이용할 수 있습니다.
하지만, 위키백과나 뉴스 기사 자체에 오류, 부정확한 정보, 또는 가짜 뉴스가 포함될 수 있으며, AI는 이러한 내용을 완벽하게 걸러내지 못할 수 있습니다.
따라서 제공되는 정보에 일부 오류나 편향이 있을 수 있으므로, 중요한 정보는 반드시 다른 출처를 통해 교차 검증하시기 바랍니다.
문의하기 : help@durumis.com